ID: 7294
УЗКОКОЛЕЙНЫЕ ЖЕЛЕЗНЫЕ ДОРОГИ ЛЕНИНГРАДСКОЙ ОБЛАСТИ
3707
Ленинградская область — субъект Российской Федерации. Центр — г. Санкт-Петербург (в состав области не входит). Площадь — 85 300 км², численность населения 1 650 тыс. чел. (2006).
Ленинградская область исторически отличалась наличием большого количества узкоколейных железных дорог различного назначения. По насыщенности узкоколейными железными дорогами она находилась на одном из первых мест.
По состоянию на 2009 год, в Ленинградской области (без Санкт-Петербурга) сохранялись следующие узкоколейные железные дороги: Кургальская узкоколейная железная дорога (начальный пункт — посёлок Ефимовский), Репольская узкоколейная железная дорога, узкоколейная железная дорога Пельгорского торфопредприятия, узкоколейная железная дорога торфопредприятия «Гладкое», узкоколейная железная дорога торфопредприятия «Ларьян» (начальный пункт — посёлок Красава), узкоколейная железная дорога шахты «Ленинградская» (местонахождение — город Сланцы), узкоколейная железная дорога Павловского завода строительных материалов (местонахождение — посёлок Павлово-на-Неве), узкоколейная железная дорога Ленинградского мачтопропиточного завода (местонахождение — город Отрадное).
Всего в регионе насчитывалось 8 сохранившихся узкоколейных железных дорог, две из которых — лесовозные (Кургальская, Репольская), 3 торфовозные. Наибольшую вероятность ликвидации в близком будущем имеет узкоколейная железная дорога Ленинградского мачтопропиточного завода. Велика вероятность ликвидации и других дорог.
В 2011 году была полностью разобрана Репольская узкоколейная железная дорога.
БОКСИТОГОРСКИЙ РАЙОН
Узкоколейная железная дорога Бокситогорского биохимического завода. Начальный пункт — город Бокситогорск, расположенный у станции Бокситогорск (конечный пункт ведомственной железнодорожной линии широкой колеи Большой Двор — Бокситогорск)

Узкоколейная железная дорога на топографической карте
масштаба 1:200 000, изданной в 1986 году. По информации от Н. Янченко, первый участок узкоколейной железной дороги был открыт в 1939 году. Узкоколейная железная дорога пролегла по направлению Бокситогорск — Ларьянстрой (ныне Ларьян) — посёлок Багерный. В 1949 году был основан посёлок Красава. В 1951 году была открыта линия узкоколейной железной дороги Красава — Перегрузочная (город Тихвин), стало возможным сквозное движение по узкоколейной железной дороге от Тихвина до Бокситогорска.
В 1965 году единая системая узкоколейной железной дороги была разорвана на две части: западную, обслуживающую торфопредприятие «Ларьян» (его управление находится в Красаве), и восточную, расположенную вблизи Бокситогорска. Вплоть до момента ликвидации она принадлежала Бокситогорскому биохимическому заводу.
Локомотивное депо находилось вблизи Бокситогорского биохимического завода. По информации А. Корсакова, депо имело два стойла — на узкую и широкую колею. Среди имевшегося подвижного состава — тепловозы ТУ6А, мотовозы ЭСУ2А, тепловоз-дрезина ТУ6Д, путевой струг УПС1.
Бокситогорский биохимический завод был остановлен в начале 1990-х годов. Узкоколейная железная дорога с момента его остановки не работала и была разобрана ориентировочно в 1993-1995 годах.
http://narrow.parovoz.com/emb/index.php?ID=877 — описание узкоколейной железной дороги на сайте Д. Зиновьева (на 03.2011 содержит грубые фактические ошибки)
__________________________________________________________________________________________________
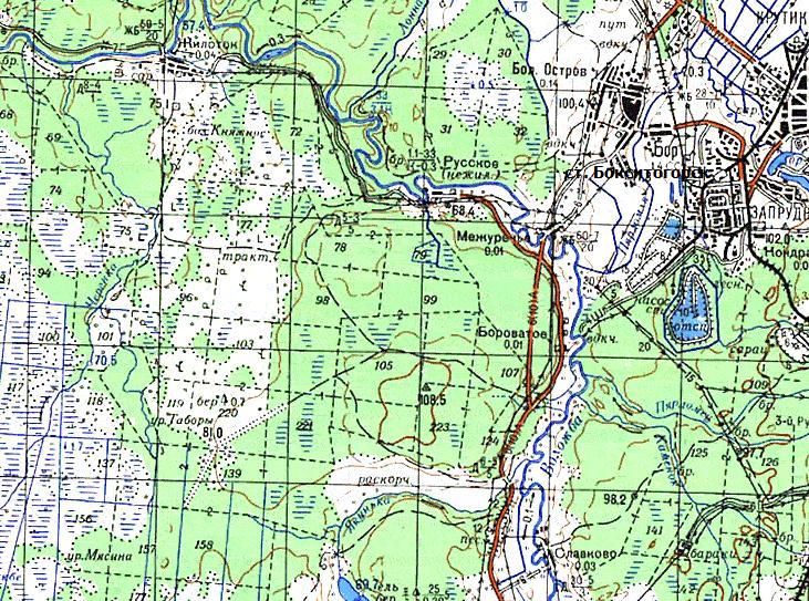
Узкоколейная железная дорога в окрестностях посёлка Русское. Начальный пункт — посёлок Русское, находившийся на левом берегу реки Воложба.

Узкоколейная железная дорога на топографической карте
масштаба 1:200 000, изданной в 1942 году.

Район местонахождения узкоколейной железной дороги на топографической карте
масштаба 1:100 000, изданной в 1987 году. Узкоколейная железная дорога (либо рельсовый путь узкой колеи, на котором применялась конная или ручная тяга) была построена ориентировочно в 1930-х годах. Протяжённость узкоколейной железной дороги (рельсового пути узкой колеи), согласно топографической карте масштаба 1:200 000, изданной в 1942 году, составляла около 3 километров.
Узкоколейная железная дорога полностью разобрана. Ориентировочный период ликвидации — 1950-е годы.
__________________________________________________________________________________________________
Чудецкая узкоколейная железная дорога. Начальный пункт — посёлок Коли, расположенный у станции Коли на железнодорожной линии Тихвин — Подборовье.
Узкоколейная железная дорога полностью разобрана. Дата ликвидации — 2006 год.
__________________________________________________________________________________________________
Заборская узкоколейная железная дорога. Начальный пункт — посёлок Заборье, расположенный у станции Заборье на железнодорожной линии Подборовье — Вологда.
Узкоколейная железная дорога полностью разобрана. Дата ликвидации — 2003 год.
__________________________________________________________________________________________________
Кургальская узкоколейная железная дорога. Начальный пункт — посёлок Ефимовский, расположенный у станции Ефимовская на железнодорожной линии Тихвин — Подборовье.
По состоянию на 2009 год, узкоколейная железная дорога действует.
ВОЛОСОВСКИЙ РАЙОН
Репольская узкоколейная железная дорога. Начальный пункт — посёлок Реполка.
Узкоколейная железная дорога полностью разобрана. Дата ликвидации: 2011 год.
__________________________________________________________________________________________________
Узкоколейная железная дорога Изварского лесопункта. Начальный пункт — нижний склад Изварского лесопункта, находившийся на 51-м километре железнодорожной линии Мшинская — Волосово (железнодорожная линия разобрана).
Узкоколейная железная дорога полностью разобрана. Ориентировочная дата ликвидации — 2002 год.
__________________________________________________________________________________________________
Узкоколейная железная дорога Устьевского лесопункта. Начальный пункт — «перевалка», изначально расположенная в окрестностях посёлка Красный Луч.

Район местонахождения узкоколейной железной дороги на топографической карте масштаба 1:200 000, изданной в 1979 году
(северная часть), 1973 году (южная часть). Узкоколейная железная дорога в эти годы действовала, на карте
она не обозначена в силу халатного отношения картографов к своей работе. По информации от А. Корсакова, узкоколейная железная дорога была лесовозной, находилась в ведении Устьевского лесопункта Волосовского леспромхоза. Управление лесопункта находилось в посёлке Красный Луч.
Узкоколейная железная дорога была открыта в 1960 году. По информации от А. Корсакова, первоначально на ней работал мотовоз МУЗ4, затем поступали мотовозы МД54-4.
Начальный пункт узкоколейной железной дороги («перевалка») находился в ненаселённой местности примерно в 5 километрах от Красного Луча. Протяжённость линии узкоколейной железной дороги в 1960-е годы составляла около 10 километров.
В 1970-х годах «перевалка» была переведена в другое место — в район деревни Устье.
В конце 1970-х годов на замену мотовозам МД54-4 поступил тепловоз ТУ6А. В 1980-х годах поступили ещё два тепловоза ТУ6А. Мотовозы МД54-4 были списаны и порезаны.
Приблизительно в середине 1980-х годов узкоколейная железная дорога была проложена к деревне Ухора. «Перевалка» снова была перенесена на другое место — в Ухору, расположенную на значительном удалении от Красного Луча. Не выяснено, сохранялась ли возможность сквозного движения по маршруту Устье — Ухора.
В 1996 году узкоколейная железная дорога была разобрана, вывозка леса стала осуществляться автомобильным транспортом.
По состоянию на 2000 год, вблизи бывшей «перевалки» (начального пункта узкоколейной железной дороги) в Ухоре фрагментарно сохранялась кабина тепловоза ТУ6А.
http://uzd.spb.ru/len02.htm — описание узкоколейной железной дороги (в числе других узкоколейных железных дорог Волосовского леспромхоза) на сайте А. Корсакова
__________________________________________________________________________________________________
Узкоколейная железная дорога (?) в Молосковицах. Возможный начальный пункт — станция Молосковицы, расположенная на железнодорожной линии Гатчина — Веймарн.

Узкоколейная железная дорога (в действительности — подъездной путь широкой колеи)
на топографической карте масштаба 1:100 000, изданной в 1978 году. В некоторых топографических картах обозначена узкоколейная железная дорога, пролегающая от станции Молосковицы в северном направлении. Протяжённость узкоколейной железной дороги, согласно картам, составляет около 1500 метров.
По информации от С. Соколова, по этом направлению пролегает подъездной путь широкой колеи к карьеру. Скорее всего, узкоколейной железной дороги здесь никогда не было.
__________________________________________________________________________________________________
Узкоколейная железная дорога в районе бывшей станции Верест. Начальный пункт — станция Верест, находившаяся на железнодорожной линии Мшинская — Волосово (железнодорожная линия разобрана в 1943 году).

Узкоколейная железная дорога на топографической карте
масштаба 1:100 000, изданной в 1941 году.

Узкоколейная железная дорога на топографической карте
масштаба 1:200 000, изданной в 1942 году.

Узкоколейная железная дорога на топографической карте масштаба 1:200 000,
изданной в 1973 году (нанесена условно, на основе данных других карт).

Район местонахождения начального участка узкоколейной железной дороги
на топографической карте масштаба 1:50 000, изданной в 197? году. Узкоколейная железная дорога была лесовозной, принадлежала Верестскому леспромхозу. Ориентировочный период открытия — 1930-е годы. В Вересте в то время находилась лесомашинная станция.
Цитата из материала «ЛЕС ЗАГОТАВЛИВАТЬ — ДЕЛО СЕМЕЙНОЕ», опубликованного в газете «Сельская Новь», номер от 15 мая 2004 года, автор — Л. Лебедева (http://selsknov.korpunkt.ru/news7314_401.html):
Это был чудесный уголок, где заповедная, поистине сказочная красота природы гармонично уживалась с хозяйственной деятельностью человека. Почти все мужчины работали в Верестском леспромхозе, лес вывозился по узкоколейной железной дороге.
Говорят, ещё недавно одна ржавая вагонетка, зацепившаяся за обломки моста, висела над речкой Лемовжей, словно памятник тому далекому и для кого-то прекрасному времени — времени их детства, молодости.
Скорее всего, узкоколейная железная дорога не была восстановлена после Великой Отечественной войны 1941-1945 годов. Эти места после войны полностью опустели — не был восстановлен посёлок Верест, не была восстановлена (за исключением участка Волосово — 46 км) железная дорога Мшинская — Волосово.
http://old.wikimapia.org/#lat=59.1417828&lon=29.6246338&z=13&l=1&m=s&v=9 — район бывшего посёлка Верест на спутниковых снимках
ВОЛХОВСКИЙ РАЙОН
Узкоколейная железная дорога на Волховских плитняковых разработках. Начальный пункт — посёлок Бабино, расположенный на правом берегу реки Волхов.

Узкоколейная железная дорога на топографической карте
масштаба 1:200 000, изданной в 1942 году.

Узкоколейная железная дорога на топографической карте масштаба 1:50 000, изданной в 197? году.

Район местонахождения узкоколейной железной дороги на топографической карте
масштаба 1:100 000, изданной в 198? году. Узкоколейная железная дорога предназначалась для доставки камня-известняка (плитняка) от карьера до пристани на реке Волхов. Узкоколейная железная дорога была построена не позднее 1930-х годов, её протяжённость составляла около 3 километров. По информации от А. Корсакова, на узкоколейной железной дороге работали неустановленные мотовозы.
Узкоколейная железная дорога была разобрана в конце 1960-х годов. После ликвидации узкоколейной железной дороги для вывозки известняка стал использоваться автомобильный транспорт.
http://uzd.spb.ru/len03.htm — описание узкоколейной железной дороги на сайте А. Корсакова
__________________________________________________________________________________________________
Узкоколейная железная дорога на карьере в окрестностях населённого пункта Посадница. Начальный пункт — населённый пункт Посадница, расположенный на левом берегу реки Сясь.

Узкоколейная железная дорога на топографической карте
масштаба 1:200 000, изданной в 1942 году.

Узкоколейная железная дорога на топографической карте масштаба 1:50 000, изданной
в 198? году (нанесена условно, на основе данных предыдущей карты). Узкоколейная железная дорога использовалась для сообщения между карьером (скорее всего, известняковым) и пристанью на берегу реки Сясь. Узкоколейная железная дорога была построена не позднее 1930-х годов, её протяжённость составляла около 1500 метров.
Узкоколейная железная дорога была разобрана ориентировочно в 1960-х годах. После ликвидации узкоколейной железной дороги в карьере стал использоваться автомобильный транспорт.
__________________________________________________________________________________________________
Узкоколейная железная дорога в окрестностях села Дубно. Начальный пункт — село Дубно, расположенное вблизи берега Ладожского озера.

Узкоколейная железная дорога на топографической карте
масштаба 1:100 000, изданной в 193? году.

Узкоколейная железная дорога на топографической карте
масштаба 1:200 000, изданной в 1941 году.

Узкоколейная железная дорога на топографической карте масштаба 1:50 000,
изданной в 197? году (нанесена условно). Узкоколейная железная дорога предназначалась для вывоза известняка из карьера к пристани на Новоладожском канале. Узкоколейная железная дорога была построена не позднее 1930-х годов. Протяжённость узкоколейной железной дороги составляла около 2 километров.
Не позднее 1960-х годов узкоколейная железная дорога была разобрана, добыча известняка в этом районе была прекращена. Карьеры, в которых находилась узкоколейная железная дорога, заполнились водой и превратились в озёра.
__________________________________________________________________________________________________
Сорзуйская (?) узкоколейная железная дорога. Начальный пункт — посёлок Сорзуй, расположенный на правом берегу реки Кондега.

Узкоколейная железная дорога на топографической карте
масштаба 1:500 000, изданной в 1988 году.

Узкоколейная железная дорога на топографической карте
масштаба 1:200 000, изданной в 1988 году. Узкоколейная железная дорога являлась лесовозной, «сплавной». По информации от А. Максимова, первый участок узкоколейной железной дороги был открыт в 1960-х годах. Кондега — небольшая река, лес сплавлялся по ней только в период весеннего паводка. Позднее сплав был прекращён, лес стали перегружать на автотранспорт.
Среди известного подвижного состава, находившегося на узкоколейной железной дороге — два мотовоза МД54-4, как минимум один тепловоз ТУ6А.
В 1995-1996 годах (информация от А. Максимова) узкоколейная железная дорога была полностью разобрана.
__________________________________________________________________________________________________
Узкоколейная железная дорога на стройплощадке Волховской ГЭС. Местонахождение — город Волхов.
Волховская ГЭС была построена в 1921-1926 годах. Она являлась первой сравнительно крупной гидроэлектростанцией, построенной при Советской власти. В честь строительства Волховской ГЭС расположенная вблизи неё узловая железнодорожная станция Званка была переименована в Волховстрой, такое же название получил посёлок при станции (с 1933 года — город Волховстрой, с 1940 года — город Волхов).
По информации от А. Корсакова, при строительстве Волховской ГЭС использовалась временная узкоколейная железная дорога. На ней работали паровозы. После завершения строительства Волховской ГЭС узкоколейная железная дорога была разобрана, паровозы были переданы на узкоколейную железную дорогу Дубовицкого торфопредприятия.
__________________________________________________________________________________________________
Узкоколейная железная дорога Дубовицкого торфопредприятия. Начальный пункт — город Волхов, окрестности станции Волховстрой II.

Узкоколейная железная дорога на топографической карте
масштаба 1:200 000, изданной в 1942 году.

Узкоколейная железная дорога на топографической карте
масштаба 1:500 000, изданной в 1988 году.

Узкоколейная железная дорога на топографической карте масштаба 1:100 000,
изданной в 1986 году (нанесена условно, на основе данных других карт). Дубовицкое торфопредприятие находилось в правобережной части города Волхова. В ведении торфопредприятия находилась торфовозная узкоколейная железная дорога протяжённостью около 7 километров.
По информации от А. Корсакова, Дубовицкое торфопредприятие создавалось в 1920-х годах, одновременно со строительством Волховской ГЭС. Основным потребителем добытого торфа должен был стать Волховский алюминиевый завод (строительство завода началось в 1929 году, введён в эксплуатацию в 1932 году).
Узкоколейная железная дорога была открыта не позднее 1932 года. На неё поступили паровозы, ранее работавшие на узкоколейной железной дороге, обслуживавшей стройплощадку Волховской ГЭС. Торф доставлялся главным образом на котельную Волховского алюминиевого завода.
После Великой Отечественной войны узкоколейная железная дорога продолжала активно работать и развиваться. На неё поступали новые паровозы. Котельная Волховского завода была реконструирована и превращена в ТЭЦ (теплоэлектроцентраль), при этом она продолжала работать на торфе.
В 1960-х годах ТЭЦ была переведена на газовое топливо. Торфопредприятие было закрыто, узкоколейная железная дорога была полностью разобрана.
http://uzd.spb.ru/len10.htm — описание узкоколейной железной дороги на сайте А. Корсакова
__________________________________________________________________________________________________
Узкоколейная железная дорога Селивановского торфопредприятия. Начальный пункт — посёлок Селиваново.

Узкоколейная железная дорога на топографической карте
масштаба 1:200 000, изданной в 1942 году.

Узкоколейная железная дорога на топографической карте
масштаба 1:500 000, изданной в 1988 году.

Узкоколейная железная дорога на топографической карте
масштаба 1:200 000, изданной в 1988 году. Узкоколейная железная дорога на топографической карте масштаба 1:100 000, изданной в 198? году
Появление Селивановского торфопредприятия было связано со строительством Сясьского целлюлозно-бумажного комбината в нынешнем городе Сясьстрой. Торфопредприятие создавалось с целью обеспечения топливным торфом целлюлозно-бумажного комбината, который был введён в эксплуатацию в 1928 году.
По информации от А. Корсакова, в состав первой очереди Сясьского целлюлозно-бумажного комбината входили древесно-подготовительный, кислотно-варочный, сушильно-бумажный цеха, а также теплоэлектростанция (ТЭС) №1. Согласно проекту, ТЭС должна была работать на торфе, добытом на на Селивановском торфомассиве, однако к 1928 году наладить массовую добычу торфа не удалось. Поэтому первоначально торф завозился из других торфопредприятий по широкой колее.
Не позднее 1935 года узкоколейная железная дорога вступила в строй. Появился центральный посёлок торфопредприятия — Селиваново, «номерные» посёлки на торфомассиве (они просуществовали недолго). Изначально локомотивное депо находилось в Сясьстрое, на территории Сясьского целлюлозно-бумажного комбината. Владельцем узкоколейной железной дороги вплоть до 1970-х годов являлся комбинат.
В 1970-х годах узкоколейная железная дорога была передана Селивановскому торфопредприятию. Локомотивное депо было переведено из Сясьстроя в Селиваново. В Сясьстрое был построен механизированный перегруз торфа в вагоны широкой колеи, имевший крытую двухярусную перегрузочную эстакаду.
Тяговый подвижной состав узкоколейной железной дороги первоначально был представлен паровозами. С 1960-х годов использовались мотовозы МД54-4, ЭСУ1А, ЭСУ2А, тепловозы ТУ4, ТУ6А, ТУ7. Протяжённость узкоколейной железной дороги в 1970-х годах составляла около 30 километров.
В 1997 году электростанция Сясьского целлюлозно-бумажного комбината была газифицирована и перестала использовать торфяное топливо. Других потребителей торфа не нашлось. Почти сразу же после перевода электростанции на газовое топливо узкоколейная железная дорога была разобрана. До конца 1997 года полная разборка узкоколейной железной дороги была завершена.
http://uzd.spb.ru/len31.htm — описание узкоколейной железной дороги на сайте А. Корсакова
__________________________________________________________________________________________________
Узкоколейная железная дорога в окрестностях посёлка Зеленец. Начальный пункт — посёлок Зеленец, расположенный у станции Зеленец на железнодорожной линии Волховстрой — Тихвин.
Узкоколейная железная дорога полностью разобрана. Ориентировочный период ликвидации — 1980-е годы.
ВСЕВОЛОЖСКИЙ РАЙОН
Узкоколейная железная дорога Ириновского торфопредприятия. Начальный пункт — посёлок Рахья, расположенный у станции Рахья на железнодорожной линии Мельничный Ручей — Ладожское Озеро.
Узкоколейная железная дорога полностью разобрана. Дата ликвидации — 1997 год.
__________________________________________________________________________________________________
Узкоколейная железная дорога в окрестностях посёлка Ваганово. Начальный пункт — посёлок Ваганово, расположенный у станции Ваганово на железнодорожной линии Мельничный Ручей — Ладожское Озеро.

Узкоколейная железная дорога на топографической карте
масштаба 1:100 000, изданной в 1941 году.

Узкоколейная железная дорога на топографической карте
масштаба 1:200 000, изданной в 1942 году.

Район местонахождения узкоколейной железной дороги на топографической карте масштаба 1:50 000,
изданной в 1998 году (узкоколейная железная дорога не обозначена). Узкоколейная железная дорога была построена не позднее 1930-х годов. Протяжённость узкоколейной железной дороги, согласно картам, составляла около 7 километров. Назначение узкоколейной железной дороги не установлено (возможно, обслуживание воинской части).
Не позднее 1970-х годов узкоколейная железная дорога была заменена железнодорожной линией широкой колеи, её конечный пункт — территория воинской части. Приблизительно в 2000 году железнодорожная линия широкой колеи была разобрана.
http://old.wikimapia.org/#lat=60.0719497&lon=31.024189&z=13&l=1&m=s&v=9 — разобранная железнодорожная линия широкой колеи Ваганово — воинская часть на спутниковых снимках
__________________________________________________________________________________________________
Узкоколейная железная дорога Всеволожская — Кальтино (?). Возможный начальный пункт — станция Всеволожская, расположенная на железнодорожной линии Пискарёвка — Мельничный Ручей.

Район возможного местонахождения узкоколейной железной дороги на
топографической карте масштаба 1:200 000, изданной в 1942 году. По неподтверждённым данным, в 1930-х годах и ранее существовавала узкоколейная железная дорога, пролегавшая по направлению Всеволожская — Кальтино. Автору не известно ни одной топографической карты (любого времени издания — от 1890-х до 1990-х годов), на которой она была бы обозначена как действующая или разобранная.
Узкоколейная железная дорога (в случае, если она когда-либо существовала) полностью разобрана.
__________________________________________________________________________________________________
Узкоколейная железная дорога Шлиссельбургского порохового завода и торфопредприятия «Дунай». Начальный пункт — посёлок имени Морозова.

Узкоколейная железная дорога на карте, изданной в 1909 году (показана на участке от завода до пристани).

Узкоколейная железная дорога на топографической карте
масштаба 1:200 000, изданной в 1942 году.

Узкоколейная железная дорога на топографической карте масштаба 1:100 000, изданной в 198? году
(нанесена условно, на основе данных других карт). Узкоколейная железная дорога на топографической карте масштаба 1:25 000, изданной в 1941 году
История этой узкоколейной железной дороги неразрывно связана с Шлиссельбургским пороховым заводом, расположенным в нынешнем посёлке имени Морозова (Морозовка). Завод основан в 1884 году. По неподтверждённым данным, уже в конце XIX века на заводе действовал рельсовый путь узкой колеи с конной тягой, соединявший территорию завода с пристанью, расположенной напротив Шлиссельбургской крепости.
В 1896 году южнее порохового завода была открыта линия Ириновской узкоколейной железной дороги общего пользования, соединявшая станции Мельничный Ручей и Шереметьевка (ныне Петрокрепость). На Шлиссельбургский пороховой завод было построено ответвление.
По неподтверждённым данным, конная тяга использовалась вплоть до 1910-х годов. Cуществовали пассажирские перевозки.
Цитата из материала «Пассажирские перевозки в посёлке имени Морозова», опубликованного на сайте «Общественный транспорт Ленинградской области» (http://lenobltrans.narod.ru/moroz.html):
Поселок Шлиссельбургского порохового завода (ШПЗ) был основан в 1884 году. Перевозки в поселке и между цехами завода производились по узкоколейной железной дороге кучерами.
Автобусное движение в поселке было открыто в середине 1950-х годов. Выполнял перевозки заводской транспортный цех.
По данным на 1962 год, в транспортном цехе имелось два автобуса, которые возили рабочих из поселка к цехам №№ 2 и 8. Кроме автобусов в то время также ходили автомашины и мотовозы.
Мотовозы (вагонетки с сиденьями для пассажиров) ходили по узкоколейной дороге от станции Петрокрепость до заводоуправления. Трасса узкоколейной железной дороги проходила вдоль нынешней улицы Скворцова, а так же имела ответвления до старой и новой пристани и еще одно, вглубь поселка.
В начале 1970-х годов от платформы 19 км до поселка по выходным дням ходило маршрутное такси: микроавтобус РАФ-977. Позже, когда была построена платформа 21км, необходимость в маршрутке отпала. Утратила свое значение и узкоколейка, и позже она была разобрана.
Цитата из публикации на веб-форуме посёлка Морозовка, 2007 год (http://www.morozovka.net/forum/viewthread.php?forum_id=7&thread_id=1321):
Это была обычная узкоколейная железная дорога. Ходила по ней вагонетка, на которой вдоль были сколочены скамейки для перевозки пассажиров. Возили не только людей, но и грузы, дрова и т.д. В движение вагонетка приводилась одной лошадиной силой под управлением ямщика.
Основная ветка проходила вдоль современной улицы Скворцова и соединяла станцию Петрокрепость с заводоуправлением. Но были и стрелки. Ответвления от дороги шли на старую и новую пристань, одна ветка проходила по поселку вдоль 12-ти немецких домов.
P.S. Кстати, рельсы от этой дороги до сих пор в большом количестве можно найти на близлежащих садовых участках. Только у меня их, наверное, полсотни наберется.
С 1910-х годов узкоколейная железная дорога использовалась для доставки на Шлиссельбургский пороховой завод топливного торфа. Добыча торфа была налажена на болоте Дунай. Протяжённость узкоколейной железной дороги возросла как минимум до 15 километров.
В 1920-х годах Ириновская узкоколейная железная дорога (линия Мельничый Ручей — Шереметьевка) была реконструирована на широкую колею. С этого времени на узкоколейной железной дороге имелось пересечение с железной дорогой широкой колеи.
Узкоколейная железная дорога была полностью разобрана ориентировочно в конце 1960-х годов. Торфяное болото Дунай было застроено дачами. Разобранные линии узкоколейной железной дороги стали использоваться как грунтовые дороги среди дачных массивов.
http://www.morozovka.net/forum/viewthread.php?forum_id=7&thread_id=1321&rowstart=20 — фотографии пригородного поезда широкой колеи и узкоколейной железной дороги в Морозовке
__________________________________________________________________________________________________
Узкоколейная железная дорога Щегловского торфопредприятия. Начальный пункт — посёлок Щеглово, расположенный в окрестностях станции Кирпичный Завод на железнодорожной линии Мельничный Ручей — Невская Дубровка.

Узкоколейная железная дорога на топографической карте
масштаба 1:100 000, изданной в 1941 году.

Узкоколейная железная дорога на топографической карте масштаба 1:100 000,
изданной ориентировочно в 1980 году (южная часть), 1989 году (северная
часть). Обозначена не полностью, частично обозначена разобранной. Узкоколейная железная дорога относилась к категории торфовозных. Ориентировочный период открытия первого участка — 1920-е годы. Топливный торф поступал на кирпичный завод, находившийся в одноимённом посёлке. На торфомассиве были построены «номерные» посёлки рабочих-торфяников.
По информации от А. Корсакова, в первые годы на узкоколейной железной дороге работали танк-паровозы, после Великой Отечественной войны — паровозы серии К, с 1960-х годов — мотовозы МД54-4.
Узкоколейная железная дорога работала приблизительно до середины 1980-х годов. В 1980-е годы она была полностью разобрана. На месте бывшей главной станции узкоколейной железной дороги был сооружён домостроительный комбинат.
__________________________________________________________________________________________________
Узкоколейная железная дорога кирпичного завода «Самарка». Начальный пункт — посёлок имени Свердлова (историческое название Самарка), располоежнный на правом берегу реки Невы.

Узкоколейная железная дорога на карте, изданной в 1909 году
(показана как действующая до Южной Самарки).

Узкоколейная железная дорога на топографической карте масштаба 1:200 000, изданной в 1942 году.

Узкоколейная железная дорога на топографической карте масштаба 1:100 000, изданной в 1941 году.

Узкоколейная железная дорога на топографической карте масштаба 1:25 000, изданной в 1941 году.

Узкоколейная железная дорога на топографической карте масштаба 1:100 000, изданной
в 198? году (нанесена условно, на основе данных предыдущих карт). Узкоколейная железная дорога предназначалась для доставки топливного торфа от торфяных массивов до кирпичного завода в нынешнем посёлке имени Свердлова. Правый берег Невы в районе деревень Щербинка и Пороги в середине XIX века стал местом размещения нескольких кирпичных заводов. На кирпичных заводах были построены рельсовые пути узкой колеи, предназначенные для доставки глины из карьеров.
Не позднее 1900-х годов была построена узкоколейная железная дорога от кирпичного завода «Самарка» до торфомассива: вначале до ближайшего, расположенного в 4 километрах (на нём возник посёлок торфяников Южная Самарка). В 1910-х годах узкоколейная железная дорога была продлена до более крупного и удалённого торфомассива, расположенного в 6-8 километрах от кирпичного завода. На этом торфомассиве возник посёлок Северная Самарка.
Цитата из материала «Наш музей», опубликованного на сайте школы посёлка имени Свердлова (http://schoolsverdlova.my1.ru/index/0-17):
В конце 19 и начале 20 веков Россия вступает на капиталистический путь развития. Промышленная революция проникает и в кирпичное производство. Меняется и облик заводов. Уже самое оборудование заводов, состоящее из паровых машин, двигателей внутреннего сгорания, прессов различных конструкций требовало фабричных помещений; сосредоточение формовки в одном месте замены легких шатров малой емкости, разбросанных при ручном труде на громадной площади особого рода сушил в 2-3 и даже 4 этажа.
Глина стала добываться экскаваторами, подвозка глины была налажена по узкоколейной железной дороге в особых вагонетках. Переход на механическое производство кирпича приходится в основном на период с 1904-1914 года. Однако 85% производства кирпича продолжало оставаться ручным.
...
Значительно изменяется и завод «Самарка». Здесь также устанавливается паровая машина (там, где сейчас находится пекарня и механические прессы). Ренненкампф основал производство по добыче торфа на Южной, а потом на Северной Самарке, откуда к заводу была проведена узкоколейная железная дорога.
Узкоколейная железная дорога была разобрана ориентировочно в начале 1960-х годов в связи с переходом кирпичного завода на другое топливо. По направлению узкоколейной железной дороги (но на значительном удалении от неё) был построен подъездной путь широкой колеи от станции Манушкино до промышленных предприятий и воинской части в посёлке имени Свердлова. Подъездной путь широкой колеи был полностью разобран приблизительно в 2003 году.
По состоянию на 2010 год, посёлок Северная Самарка сохраняется. Территория бывших торфоразработок частично занята мусорной свалкой. Посёлок Южная Самарка был ликвидирован в 1970-е годы, от него не осталось почти никаких следов. У бывшего посёлка находится памятник девушкам-лесорубам, погибшим при артобстреле 23 августа 1942 года.
__________________________________________________________________________________________________
Карьерные узкоколейные железные дороги вблизи населённых пунктов Маслово и Большие Пороги. Начальные пункты — населённые пункты Маслово и Большие Пороги, расположенные на правом берегу реки Невы.

Узкоколейные железные дороги на топографической карте
масштаба 1:100 000, изданной в 1941 году.

Узкоколейные железные дороги на топографической карте
масштаба 1:25 000, изданной в 1939 году.

Узкоколейные железные дороги на топографической карте масштаба 1:50 000, изданной ориентировочно
в 1970 году (нанесены условно, на основе данных предыдущих карт). Кирпичные заводы вблизи населённых пунктов Маслово и Пороги были построены в XIX веке. Одновременно с постройкой кирпичных заводов здесь была начата активная добыча песка и глины.
Вблизи населённых пунктов Маслово и Пороги действовали узкоколейные железные дороги, предназначенные для доставки песка и глины из карьеров на заводы и к пристани на реке Неве.
Узкоколейные железные дороги были разобраны не позднее 1960-х годов.
__________________________________________________________________________________________________
Узкоколейная железная дорога вблизи населённого пункта Малые Пороги. Начальный пункт — населённый пункт Малые Пороги, расположенный на правом берегу реки Невы.

Узкоколейная железная дорога на топографической карте
масштаба 1:25 000, изданной в 1941 году.

Узкоколейная железная дорога на топографической карте масштаба 1:50 000, изданной ориентировочно
в 1970 году (нанесена условно, на основе данных предыдущей карты). Кирпичный завод вблизи населённого пункта Малые Пороги был построен в XIX веке. Вблизи кирпичного завода действовала узкоколейная железная дорога, предназначенная для доставки сырья из карьера на завод, а также к пристани на реке Неве.
Узкоколейная железная дорога была разобрана не позднее 1960-х годов.
__________________________________________________________________________________________________
Временная узкоколейная железная дорога Ладожское Озеро — Кобона. Начальный пункт — станция Ладожское Озеро (конечный пункт железнодорожной линии Мельничный Ручей — Ладожское Озеро).

Узкоколейная железная дорога Ладожское Озеро — Морье на топографической карте
масштаба 1:500 000, изданной в 1941 году.

Схема прифронтовых железных дорог в районе Ладожского озера (из книги
«Железнодорожники в Великой Отечественной войне 1941-1945»).

Район местонахождения узкоколейной железной дороги на топографической карте
масштаба 1:200 000, изданной в 1991 году.

Район местонахождения узкоколейной железной дороги вблизи бывших портов на мысу Осиновец
и в бухте Гольсмана на топографической карте масштаба 1:50 000, изданной в 1998 году. Появление этой узкоколейной железной дороги связано с блокадой Ленинграда, продолжавшейся с 1941 года по 1944 год. В начале сентября 1941 года вражескими войсками были перекрыты все наземные коммуникации, ведущие к Ленинграду.
Спустя несколько дней после установления сухопутной блокады было начато строительство портов в районе станции Ладожское Озеро (конечного пункта железной дороги Ленинград — Мельничный Ручей — Ладожское Озеро) на западном берегу Ладожского озера. До войны станция Ладожское Озеро была небольшой и не имела особого значения, крупных портовых сооружений здесь не существовало. В кратчайшие сроки был построен комплекс портовых сооружений, растянувшийся вдоль берега на 8 километров — от мыса Осиновец до мыса Морьин Нос (порт занимал не всё побережье, а отдельные его участки).
В порту были проложены железнодорожные пути широкой и узкой колеи, их развёрнутая протяжённость составляла десятки километров.
По неподтверждённым данным, на участке от станции Ладожское Озеро до мыса Морье узкоколейная железная дорога существовала до войны (она обозначена на карте масштаба 1:500 000, изданной в 1941 году — скорее всего, до начала строительства порта).
На узкоколейной железной дороге работали по меньшей мере два мотовоза – МУЗ4 и мотовоз производства Одесского завода имени Январского восстания (эти мотовозы видны на сохранившихся архивных фотографиях из коллекции И. Тимофеева).
Зимой 1941-1942 годов доставка грузов в Ленинград производилась по ледовой автомобильной дороге от села Кобона до станции Ладожское Озеро. В декабре 1941 года началось строительство железнодорожной линии широкой колеи Войбокало — Лаврово — Кобона. 5 февраля 1942 года первый поезд прибыл в Лаврово (восточный берег Шлиссельбургской бухты Ладожского озера), немногим позднее железная дорога была продлена до Кобоны и далее до портовых сооружений, строившихся на Кареджской косе.
В навигацию 1942 года доставка грузов в Ленинград производилась водным путём из Кобоно-Кареджского порта, расположенного на Кареджской косе, до портов в районе станции Ладожское Озеро. По неподтверждённым данным, в Кобоно-Кареджском порту также была построена узкоколейная железная дорога.
К осени 1942 года прорвать наземную блокаду Ленинграда не удалось, предстояла вторая блокадная зима. Было принято решение о строительстве по льду Ладожского озера по направлению Кобона — мыс Осиновец двух железных дорог: широкой и узкой колеи. Объект имел обозначение «стройка №400».
Активное строительство железных дорог по льду Ладожского озера началось в декабре 1942 года. Железные дороги строились свайно-ледовыми: в дно озера (его максимальная глубина в данном районе составляет 12 метров) забивались деревянные сваи, которые вмораживались в лёд. Практика показала, что эксплуатация ледовой железной дороги будет затруднительна: забитые в дно сваи часто вырывались или ломались подвижным массивом льда.
18 января 1943 года советскими войсками был освобождён небольшой участок земли на южном берегу Ладожского озера, сплошная наземная блокада была прорвана. К этому моменту было построено немногим менее половины от намеченной протяжённости ледовых железных дорог. Сразу же после прорыва наземной блокады строительство ледовых железных дорог было прекращено, рельсы были сняты. На освобождённой полосе земли вдоль южного берега Ладожского озера была в кратчайшие сроки построена железная дорога широкой колеи Поляны — Шлиссельбург («дорога Победы»).
В 1944 году почти все сооружения ладожских портов и временные железные дороги были демонтированы. Почти вся территория бывшего Кобона-Кареждского порта, находившаяся на Кареджской косе (как правило, затопленной и оказывающейся на суше лишь в редкие маловодные периоды) вскоре после войны снова ушла под воду.
http://uzd.spb.ru/len35.htm — описание узкоколейной железной дороги на сайте А. Корсакова
http://www.kobona.ru/liferoad/rwlake.html — «Строительство железной дороги нормальной и узкой колеи через Ладожское озеро» (информация и фотографии)
http://vsev.net/history/wwii/atlantida — «Маленькая Атлантида на Ладоге или исчезнувшая Кареджская коса» (материал, опубликованный в газете «Всеволожские вести», 2004 год, автор — Б. Тимофеев)
http://militera.lib.ru/h/kovalchuk_vm/02.html — «Перевозки по Ладожскому озеру в 1941 г.» (фрагмент книги «Ленинград и Большая Земля», автор — Ковальчук В. М.)
__________________________________________________________________________________________________
Узкоколейная железная дорога в окрестностях станции Пери (?). Возможный начальный пункт — станция Пери, расположенная на железнодорожной линии Пискарёвка — Хиитола.

Узкоколейная железная дорога (?) на топографической карте
масштаба 1:100 000, изданной в 1937 году.

Узкоколейная железная дорога (?) на топографической карте масштаба 1:50 000, изданной в 1989 году
(нанесена условно, на основе данных предыдущей карты). По утверждению П. Екимова, в 1930-х годах в районе станции Пери существовала узкоколейная железная дорога, пролегавшая по направлению Пери — Осельки. Трассировка представляла собой «полукольцо» вокруг горы Осельской. Протяжённость узкоколейной железной дороги составляла около 4 километров.
Скорее всего, в действительности по данному направлению пролегала железная дорога широкой колеи, узкоколейной дороги никогда не было.
Железная дорога широкой колеи была разобрана не позднее 1970-х годов.
ВЫБОРГСКИЙ РАЙОН
Лесовозная узкоколейная железная дорога в окрестностях станции Бородинское. Начальный пункт — станция Бородинское, расположенная на железнодорожной линии Выборг — Каменногорск — Хиитола.

Район местонахождения узкоколейной железной дороги на топографической карте
масштаба 1:50 000, изданной в 1989 году. Узкоколейная железная дорога была лесовозной. Предположительно, она была построена в 1950-х годах, разобрана в 1960-х годах.
Цитата из книги «Карельский перешеек», авторы — Б. Б. Иппо, Н. Н. Турчанинов, А. Н. Штин, Лениздат, 1962 год
(http://hibaratxt.narod.ru/sprav/karelskyp/index17.html):
В Бородинском находится нижний склад Лесогорского лесопункта. Далеко в леса уходят отсюда трассы мощных лесовозов, пути узкоколейных железных дорог. Порубочные участки расположены на северо-востоке в болотистых лесах.
Лесопункт единственное на Карельском перешейке предприятие, где добыча леса производится с промышленными целями. Леса на территории остальных районов перешейка подлежат только санитарной вырубке.
Автору не известно ни одной топографической карты, на которой узкоколейная железная дорога была бы показана действующей, разобранной, или хотя бы её трасса однозначно определялась как грунтовая дорога или просека.
__________________________________________________________________________________________________
Узкоколейная железная дорога на территории Выборгского порта. Местонахождение — город Выборг.

Район местонахождения узкоколейной железной дороги на топографической карте
масштаба 1:20 000, изданной в Финляндии в 1937 году. По информации от исследователя железных дорог из Финляндии Юкки Нурминена (Jukka Nurminen), на территории Выборгского порта как минимум в 1930-х и 1940-х годах имелась узкоколейная железная дорога. Среди тягового подвижного состава — паровозы.
Узкоколейная железная дорога полностью разобрана.
__________________________________________________________________________________________________
Городская узкоколейная железная дорога (трамвай) в Выборге. Местонахождение — город Выборг.
Трамвайное движение в Выборге было открыто 28 сентября 1912 года (на тот момент город находился в составе Великого Княжества Финляндского — формально составной части Российской Империи, которая имела высочайший уровень государственной автономии и де-факто частью России не являлась). Ширина колеи составляла 1000 мм. С первого дня трамвай работал на электрической тяге. Система была построена и эксплуатировалась акционерным обществом.
В начале 1940 года город Выборг (Виипури) был захвачен советскими войсками и включён в состав СССР, в 1941 году Финляндия возвратила его, в 1944 году город окончательно стал российским. По информации от И.Г. Кашлакова, в ходе боёв за город в 1944 году трамвайное хозяйство подверглось большим разрушениям. Активные восстановительные работы начались в 1946 году. 21 сентября 1946 года трамвайное движение было возобновлено.
В 1957 году вышестоящими властями было принято решение о ликвидации Выборгского трамвая «в связи с убыточностью». Движение было остановлено 25 апреля 1957 года. Подвижной состав частично был порезан, частично передан в другие города с трамвайной сетью колеи 1000 мм — Калининград и Пятигорск. Пути были разобраны, здания и сооружения снесены или переоборудованы под другое использование.
http://lenobltrans.narod.ru/vyb-tm.html — «История Выборгского трамвая» (материал, опубликованный на сайте «Общественный транспорт Ленинградской области»)
__________________________________________________________________________________________________
Узкоколейная железная дорога на территории форта Ино. Местонахождение — бывший форт Ино (Николаевский).

Район местонахождения узкоколейной железной дороги на топографической карте
масштаба 1:100 000, изданной в 1990 году. Форт Ино (Николаевский) являлся составной частью Кронштадтской морской крепости. Как и другой форт Кронштадтской морской крепости — «Красная Горка», расположенный на противоположном берегу Финского залива, он предназначался для защиты дальних морских подступов к Кронштадту и Санкт-Петербургу.
Строительство форта началось в 1909 году. Место строительства находилось на территории Финляндии. При строительстве форта для перевозки стройматериалов использовалась узкоколейная железная дорога. После завершения строительства она должна была использоваться для перевозки боеприпасов.
Цитата из материала «Форт Ино. Строительство и разрушение», опубликованного в журнале «Цитадель», №2, 1996 год, автор — К.К. Михаленя (http://www.aroundspb.ru/fort/ino/ino1.php):
К бетонному заводу провели от залива водопровод (длиной 227 саженей), устроили 1300 саженей проволочного ограждения, 200 саженей узкоколейного железнодорожного полотна. К концу [1909] года были построены: здание караульного дома, 2 бревенчатых барака на 175-185 рабочих каждый и 1 дощатый барак на 252 рабочих, бревенчатая кухня и дощатая столовая на 500 человек.
По информации от исследователя железных дорог из Финляндии Юкки Нурминена (Jukka Nurminen), ширина колеи узкоколейной железной дороги составляла 900 мм. На ней использовалось как минимум пять паровозов.
В 1918 году Россия утратила контроль над фортом Ино, он оказался на территории независимой Финляндии. В последующие годы форт был уничтожен согласно условиям мирного договора.
__________________________________________________________________________________________________
Узкоколейная железная дорога (?) в районе Приветнинского карьера. Возможный начальный пункт — станция Приветнинское (прежнее название Ино), расположенная на железнодорожной линии Зеленогорск — Приморск — Выборг.

Подъездной путь широкой колеи на топографической карте
масштаба 1:50 000, изданной в 1989 году. Вблизи станции Ино (с 1948 года Приветнинское) находится песочный карьер. Добыча песка здесь началась не позднее 1910 годов. К карьеру был проложен подъездной путь широкой колеи.
Высказываются версии о существовании узкоколейной железной дороги Ино — карьер. Скорее всего, узкоколейной железной дороги никогда не было, подъездной путь всегда был ширококолейным.
__________________________________________________________________________________________________
Узкоколейная железная дорога вблизи посёлка Каннельярви. Начальный пункт — посёлок Каннельярви, расположенный у станции Каннельярви на железнодорожной линии Зеленогорск — Выборг.

Узкоколейная железная дорога на топографической карте масштаба 1:50 000,
изданной в 1989 году (нанесена условно). Предположительно, узкоколейная железная дорога действовала в ту эпоху, когда данная территория находилась в составе независимой Финляндии (1918-1940 годы). Скорее всего, узкоколейная железная дорога предназначалась для вывоза щебня из карьеров.
С 1961 года действует ширококолейная железнодорожная линия, пролегающая по направлению Каннельярви — Семиозерье (к балластным карьерам).
__________________________________________________________________________________________________
Узкоколейная железная дорога Кирилловское — кирпичный завод. Начальный пункт — станция Кирилловское (историческое название Голицыно, название в независимой Финляндии — Перкъярви), расположенная на железнодорожной линии Зеленогорск — Выборг.

Узкоколейная железная дорога на топографической карте
масштаба 1:200 000, изданной в 1942 году.

Узкоколейная железная дорога на топографической карте
масштаба 1:100 000, изданной в 1941 году.

Узкоколейная железная дорога на топографической карте масштаба 1:50 000, изданной в 1987 году
(нанесена условно, на основе данных предыдущих карт). Узкоколейная железная дорога обслуживала кирпичный завод, находившийся в нынешнем посёлке Заводской. Завод был построен князем Салтыковым, открыт в 1900 году. В то время он находился на территории Великого Княжества Финляндского, в его «ближней» к России части, которая, в отличие от остальной Финляндии, была в некоторой степени русифицирована. Железнодорожная станция Голицыно (ныне Кирилловское) была единственной в Финляндии станцией со славянским названием.
В 1900-х годах была построена узкоколейная железная дорога, связавшая кирпичный завод со станцией Голицыно. Её протяжённость составила около 7 километров. Узкоколейная железная дорога предназначалась для доставки на завод сырья и вывоза готовой продукции.
Цитата из материала «История некоторых населённых пунктов Выборгского района Ленинградской области», опубликованного в журнале «Цитадель», №2, 1996 год, автор — К.К. Михаленя (http://kannas.nm.ru/vyborg_district2.htm):
Железнодорожное полотно в этой местности проходило по частным владениям князей Голицыных, которые безвозмездно уступили свои земли под строительство. Поэтому железнодорожная станция близ озера Муолаанъярви получила название «Голицыно».
Кирпичный завод, основанный князем Салтыковым в 1900 году и работавший, по рассказам послевоенных новопоселенцев, некоторое время и после войны, был соединен со станцией узкоколейной железной дорогой (в основном для подвоза материалов и отправки готовой продукции). В настоящее время рельсов на узкоколейке нет, и эта линия используется как обычная лесная дорога.
В 1948 году пристанционному посёлку Перкъярви I было присвоено название Кириллово (позднее Кирилловское) в честь героя советско-финской войны 1939-1940 гг. младшего воентехника Кириллова, похороненного здесь. Деревне Перкъярви II было присвоено название Кирпичное в связи с близостью кирпичного завода. Деревне Савикко, в которой находился кирпичный завод, было присвоено название Заводской.
Узкоколейная железная дорога, по одной версии, была разрушена в 1944 году и не восстанавливалась (кирпичный завод продолжал работать без узкоколейной железной дороги), по другой версии — была полностью разобрана в послевоенное время в связи с переходом на автомобильный транспорт.
Существуют версии о существовании в 1930-е годы узкоколейной железной дороги к западу от станции Перкъярви (Кирилловское). Скорее всего, по этому направлению пролегал подъездной путь широкой колеи, узкоколейной железной дороги никогда не было.
__________________________________________________________________________________________________
Узкоколейная железная дорога кирпичного завода в Сяйине. Начальный пункт — посёлок Черкасово (прежнее название Сяйине), расположенный вблизи станции Верхнечеркасово (прежнее название Сяйине) на железнодорожной линии Зеленогорск — Выборг.

Узкоколейная железная дорога на топографической карте
масштаба 1:200 000, изданной в 1942 году.

Узкоколейная железная дорога на топографической карте масштаба 1:50 000, изданной
в 1989 году (нанесена условно, на основе данных предыдущей карты). Узкоколейная железная дорога была построена не позднее 1930-х годов в независимой Финляндии. Узкоколейная железная дорога обслуживала кирпичный завод. Её протяжённость, согласно топографическим картам, составляла около 2 километров.
Узкоколейная железная дорога полностью разобрана не позднее 1960-х годов.
__________________________________________________________________________________________________
Узкоколейная железная дорога на острове Большой Берёзовый (Койвисто). Местонахождение — остров Большой Берёзовый (Койвисто).

Узкоколейная железная дорога на топографической карте
масштаба 1:200 000, изданной в 1942 году.

Узкоколейная железная дорога на топографической карте масштаба 1:50 000, изданной в 1989 году
(нанесена условно, на основе данных предыдущей карты). Узкоколейная железная дорога находилась в восточной части острова Койвисто. Протяжённость узкоколейной железной дороги, согласно топографическим картам, составляла около 5 километров. Узкоколейная железная дорога была построена в 1910-х годах, основное назначение — доставка боеприпасов на береговые артиллерийские батареи.
Цитата из материала, посвящённого истории острова (http://puppmaster.livejournal.com/71507.html):
С 1811 года Выборгская губерния входила в состав присоединенного к России Финляндского княжества. В это время существенным аспектом освоения рассматриваемой территории стали военные приготовления.
...
В это время в южной части острова Большой Березовый был построен форт и установлены шесть 254 мм орудий производства Обуховского завода. Для доставки боеприпасов на острове была построена узкоколейная железная дорога (разобрана в 1950-е гг.).
По неподтверждённым данным, узкоколейная железная дорога была дейстовала также на острове Западный Берёзовый, она была построена независимой Финляндией.
Узкоколейная железная дорога была полностью разобрана не позднее 1960-х годов.
__________________________________________________________________________________________________
Узкоколейная железная дорога Мерисуо (63 км) — Кивенаппа (Первомайское). Начальный пункт — о.п. 63 км (прежнее название Мерисуо), расположенный на железнодорожной линии Зеленогорск — Выборг.

Узкоколейные железные дороги в районе станции Мерисуо (63 км) на топографической карте
масштаба 1:100 000, изданной в 1989 году (нанесены условно). По информации от К. Бахметьева, узкоколейная железная дорога пролегала по направлению Мерисуо — Кивенаппа (Первомайское). Скорее всего, она была построена Финляндией в 1942-1943 годах для доставки материалов и оборудования к местам строительства оборонительной линии «Карельский вал».
Цитата из публикации К. Бахметьева, 2004 год (http://finance.groups.yahoo.com/group/750mm/message/4178):
Насыпь была очень узкой. Основная площадка насыпи имела явно недостаточные размеры для прокладки по ней автодороги, или железной дороги широкой колей. Размер основной площадки насыпи идеально подходил для прокладки по ней колеи 750 мм. Чем дальше я исследовал данный объект, тем больше убеждался, что передо мной остатки узкоколейной железной дороги.
Я продолжил свой путь по трассе этой неизвестной мне ранее УЖД. В результате насыпь уперлась в просёлочную дорогу. По другую сторону дороги насыпи не было видно. Но в стык с насыпью от дороги отходила тропа, по которой я продолжил свой путь. Двигаясь по этой тропе, я, как и следовало ожидать, вышел к железной дороге широкой колеи, в районе остановочного пункта 63 км.
Когда очередь дошла до исторической карты Карельского перешейка, изданной в 1991 году, я обнаружил то, что искал. На карте было обозначено место расположения оборонительных сооружений линии «Карельский вал», сооружённой финнами в 1942-1944 годах. Вдоль «Карельского вала» на карте видна была характерная линия, которыми на карте обозначены разобранные железные дороги.
Расположение этой линии в точности совпадало с трассой насыпи, которую я обнаружил в лесу. Судя по карте, эта УЖД имела протяжённость около 27 км. В районе остановочного пункта 63 км она пересекала железную дорогу широкой колеи Санкт-Петербург-Выборг. Мои догадки о том, что я обнаружил остатки УЖД, подтвердились.
Узкоколейная железная дорога в 1942-1943 годах была построена также южнее станции Мерисуо. Неизвестно, составляла ли она единую сеть с узкоколейной железной дорогой, находившейся севернее станции Мерисуо.
По неподтверждённым данным, после войны узкоколейная железная дорога севернее станции Мерисуо частично была сохранена и использовалась как торфовозная — для вывоза торфа из ближайших торфомассивов. Узкоколейная железная дорога была разобрана не позднее 1960-х годов.
__________________________________________________________________________________________________
Узкоколейная железная дорога в районе станции Яппиля. Начальный пункт — остановочный пункт (бывшая станция) Яппиля, расположенная на железнодорожной линии Зеленогорск — Приморск — Выборг.

Узкоколейная железная дорога на топографической карте масштаба 1:50 000,
изданной в 1989 году (нанесена условно) Узкоколейная железная дорога (по другим данным — железная дорога широкой колеи) связывала станцию Яппиля с побережьем Финского залива. По информации от П. Сапунова, существовали две линии узкоколейной железной дороги (железной дороги широкой колеи), пролегавшие севернее и южнее. Узкоколейная железная дорога (железная дорога широкой колеи) предназначалась для обслуживания береговых артиллерийских батарей.
По информации от исследователя железных дорог из Финляндии Юкки Нурминена (Jukka Nurminen), узкоколейная (?) строилась и разбиралась дважды. Годы строительства — 1917 и 1941, в обоих случаях железная дорога просуществовала недолго.
ГАТЧИНСКИЙ РАЙОН
Узкоколейная железная дорога в Дивенской. Начальный пункт — посёлок Дивенская, расположенный у станции Дивенская на железнодорожной линии Гатчина — Луга.

Узкоколейная железная дорога на топографической карте масштаба 1:100 000,
изданной в 1980 году (западная часть), 1988 году (восточная часть).
Обозначена только в западной части.

Узкоколейная железная дорога на топографической карте масштаба 1:50 000,
изданной ориентировочно в 1970 году. Узкоколейная железная дорога дорога предназначалась для вывоза песка из карьера. Ориентировочный период постройки — 1940-е либо 1950-е годы (на топографических картах, изданных в 1941 году и ранее, узкоколейная железная дорога отсутствует). Протяжённость узкоколейной железной дороги составляла немногим менее 3 километров.
По информации от А. Корсакова, вывезенный по узкоколейной железной дороге песок доставлялся на площадку рядом со станцией широкой колеи, где перегружался на автомобили. Промышленного предприятия, потреблявшего песок (например, кирпичного завода) в Дивенской не было.
Узкоколейная железная дорога была разобрана ориентировочно в середине 1970-х годов. Для вывоза песка стал использоваться автомобильный транспорт. Район местонахождения узкоколейной железной дороги позднее был занят массивами садоводств.
http://uzd.spb.ru/len06.htm — описание узкоколейной железной дороги на сайте А. Корсакова
__________________________________________________________________________________________________
Узкоколейная железная дорога Дружногорского стекольного завода. Начальный пункт — посёлок Дружная Горка.

Узкоколейная железная дорога на топографической карте
масштаба 1:200 000, изданной в 1932 году.

Узкоколейная железная дорога на топографической карте
масштаба 1:200 000, изданной в 1942 году.

Узкоколейная железная дорога на топографической карте масштаба 1:100 000, изданной в 1988 году
(нанесена условно, на основе данных других карт). Узкоколейная железная дорога на топографической карте масштаба 1:50 000, изданной ориентировочно в 1970 году
Дружногорский стекольный завод основан в 1800 году. Владельцами завода было семейство предпринимателей германского происхождения Риттингов. В 1908 году началось строительство узкоколейной железной дороги, предназначенной для доставки на завод топливного торфа из Чащинского болота.
Цитата из материала «Стеклозаводчики Риттинги в России», автор — Е. Е. Князева, научный сотрудник Российского государственного исторического архива (http://history.gatchina.ru/arhiv/ritting1.htm):
В Гатчинском районе (бывший Царскосельский уезд), в 11 километрах от железнодорожной станции Сиверская, в посёлке Дружная горка стоит стекольный завод, которому в 2000 году исполнилось 200 лет. Точной даты его постройки среди архивных материалов обнаружить не удалось, однако в справочнике «Альбом участников Всеросийской промышленной выставки в Нижнем Новгороде в 1896 году» дата основания указана – 1800 год.
В 1908 году началось строительство узкоколейки лёгкого типа от завода до торфяных болот. Общество стекляннго производства «И.Риттинг» заключило договор с князем Фёдором Львовичем Сан-Витгенштейном о сдаче последним в аренду части своего майоратного имения «Дружноселье» на 36 лет под постройку там узкоколейки. Узкоколейная дорога соединяла стекольный завод с местом заготовки торфа в Долговской казённой даче. Торф служил основным топливом, также использовались дрова еловых и сосновых пород, уголь.
В 1901-1913 годах Риттинг арендует на 60 лет участки на Чащинском болоте с торфяными залежами. В своём прошении в Петербургско — Псковское управление Государственных имуществ он пишет: «несмотря на большие трудности и препятстви, с которыми связано устройство торфяных заводов, обществу стеклянного производства «И.Риттинг» желательно было бы произвести опыты отопления завода торфом, что в случае успеха могло бы принести взаимную пользу».
В местечке Осиновая горка возвели в 1905 году ряд сооружений для обработки торфа, построили бараки для рабочих и столовую, запустили четыре локомотива по 12 лошадиных сил. На 1907 год там числилось 200 рабочих. Ежегодно выделялись средства, как видно по отчётам, на торфоразработки и осушение болот. Например, за 1910 год выработано 532.518 пудов торфа, в 1913 – 616.308 пудов, за 1914 – 1. 394.439 пудов.
Вблизи Чащинского болота был построен посёлок торфодобытчиков Старое Болото. По информации от А. Корсакова, там находилось паровозное депо. Вскоре после открытия линии на Чащинское болото, в 1910-х годах, была построена линия узкоколейной железной дороги на станцию Дивенская, предназначенная для доставки к железной дороге широкой колеи продукции завода. Протяжённость узкоколейной железной дороги с этого времени составляла около 20 километров.
При строительстве в 1940-1941 годах железной дороги широкой колеи Будогощь — Веймарн над узкоколейной железной дорогой был построен капитальный каменный путепровод. Неизвестно, было ли открыто движение по широкой колее на этом участке (железная дорога Будогощь — Веймарн к моменту начала Великой Отечественной войны не была достроена, после войны строительство не возобновлялось).
В 1941-1944 годах посёлок Дружная Горка находился на территории, оккупированной фашистской Германией. Вскоре после освобождения стекольный завод был восстановлен. По информации от А. Корсакова, в 1940-х годах на узкоколейную железную дорогу поступили два паровоза производства Воткинского машиностроительного завода и один трофейный паровоз из Германии. Позднее поступили мотовозы МУЗ4.
В 1960 году был введён в эксплутацию подъездной путь широкой колеи Строганово — Дружная Горка. Это привело к исчезновению необходимости перевозок по узкоколейной железной дороге между Дружной Горкой и Дивенской.
В 1962 году вместо торфа завод стал использовать мазут. Линия узкоколейной железной дороги на Чащинское болото вскоре после этого была разобрана, посёлки торфяников на болоте были ликвидированы.
С 1962 года до конца 1980-х годов протяжённость действующей узкоколейной железной дороги составляла около 2 километров. Действующий участок находился в черте посёлка Дружная Горка, на нём выполнялись технологические межцеховые перевозки. По информации от А. Корсакова, в последние годы на узкоколейной железной дороге работали мотовозы МД54-4.
Приблизительно в 1989 году последний участок узкоколейной железной дороги перестал использоваться, затем был разобран.
http://uzd.spb.ru/len07.htm — описание узкоколейной железной дороги на сайте А. Корсакова
__________________________________________________________________________________________________
Узкоколейная железная дорога Кобринского торфопредприятия. Начальный пункт — посёлок Кобринское, расположенный в окрестностях станции Прибытково на железнодорожной линии Гатчина — Луга.

Узкоколейная железная дорога на топографической карте масштаба 1:100 000, изданной в 1984 году
(нанесена условно, на основе данных карты масштаба 1:50 000). Узкоколейная железная дорога на топографической карте масштаба 1:50 000, изданной ориентировочно в 1970 году
Узкоколейная железная дорога принадлежала Кобринскому торфопредприятию, использовалась для вывоза торфа из торфомассива к месту перегрузки на широкую колею у станции Прибытково.
По информации от А. Корсакова, строительство Кобринского торфопредприятия началось в 1945 году. Ориентировочная дата открытия временного движения по узкоколейной железной дороге — 1947 год. По информации от С. Соколова, здание локомотивного депо в посёлке Кобринское имеет на фасаде дату постройки — 1949 год.
Добыча торфа велась первоначально велась на Кобринском торфомассиве, расположенном вблизи посёлка Кобринское. В 1960-х годах был освоен Мельничный торфомассив, расположенный к востоку от села Куровицы. На него была проложена линия узкоколейной железной дороги.
Подвижной состав узкоколейной железной дороги в 1970-х годах, по информации от А. Корсакова, был представлен тепловозами ТУ4, вагонами ТСВ, самоходным снегоочистителем СЩС.
В начале 1980-х годов запасы торфа на обоих торфомассивах были почти выработаны. Массовая добыча торфа была прекращена, узкоколейная железная дорога была разобрана. С середины 1980-х годов территории торфомассивов стали выделяться под строительство дач жителям Ленинграда.
По информации от А. Корсакова, в 2004 году в посёлке Кобринское сохранялось полуразрушенное здание локомотивного депо и кабина снегоочистителя СЩС.
http://uzd.spb.ru/len12.htm — описание узкоколейной железной дороги на сайте А. Корсакова
http://web.archive.org/web/20080213090537/http://koleya.spb.ru/reports/2005-06-11_pribytkovo.html — описание похода на разобранную узкоколейную железную дорогу любителей железных дорог С. Соколова и К. Кравченко, 2005 год
__________________________________________________________________________________________________
Узкоколейная железная дорога в окрестностях станции Пудость. Начальный пункт — станция Пудость, расположенная на железнодорожной линии Лигово — Гатчина.

Узкоколейная железная дорога (в действительности на тот момент — подъездной путь широкой колеи
Пудость — ЛИЯФ) на топографической карте масштаба 1:100 000, изданной в 1984 году. По информации от С. Соколова, история узкой колеи в окрестностях нынешней станции Пудость началась в XIX веке, когда были построены рельсовые пути узкой колеи, связывавшие каменоломни (места добычи туфового камня) с берегом реки Ижоры, а позднее — со станцией Пудость.
В 1920-х годах (?) к северо-восток от станции Пудость было создано торфопредприятие. В течение некоторого времени действовала торфовозная узкоколейная железная дорога. На топографических картах, изданных в 1941 году, узкоколейная железная дорога в данной местности не обозначена.
Последний участок узкоколейной железной дороги был разобран не позднее 1970-х годов.
В топографических картах, изданных в 1980-е годы, показана узкоколейная железная дорога от станции Гатчина до Ленинградского (ныне Петербургского) института ядерной физики (ЛИЯФ). В действительности это подъездной путь широкой колеи. По информации от С. Соколова, он частично проложен по трассе узкоколейной железной дороги, когда-то был «трёхниточным» (1520 мм/750 мм).
__________________________________________________________________________________________________
Узкоколейная железная дорога в окрестностях станции Семрино. Начальный пункт — станция Семрино, расположенная на железнодорожной линии Павловск — Батецкая.

Узкоколейная железная дорога на топографической карте
масштаба 1:200 000, изданной в 1942 году.

Узкоколейная железная дорога на топографической карте
масштаба 1:100 000, изданной в 1941 году.

Узкоколейная железная дорога на топографической карте масштаба 1:100 000, изданной в 1984 году
(нанесена условно, на основе данных других карт). Предположительно, узкоколейная железная дорога была лесовозной, скорее всего использовалась для вывоза истопной древесины (дров). Узкоколейная железная дорога была построена не позднее 1930-х годов. Протяжённость узкоколейной железной дороги, согласно топографическим картам, составляла около 5 километров.
Узкоколейная железная дорога была полностью разобрана не позднее 1960-х годов.
__________________________________________________________________________________________________
Узкоколейная железная дорога в окрестностях станции Слудицы. Начальный пункт — станция Слудицы, расположенная на железнодорожной линии Павловск — Батецкая.

Узкоколейная железная дорога на топографической карте
масштаба 1:200 000, изданной в 1942 году.

Узкоколейная железная дорога на топографической карте масштаба 1:50 000, изданной ориентировочно в 1970 году
(нанесена условно, на основе данных других карт). В районе станции Слудицы существовала узкоколейная железная дорога Слудицы — деревня Малые Слудицы (предположительно, построена до 1917 года, разобрана не позднее 1920-х годов, назначение не установлено).
Существовала узкоколейная железная дорога, пролегавшая от станции Слудицы в северо-восточном направлении (использовалась для вывоза леса, предположительно построена в 1930-е годы, разобрана не позднее 1960-х годов).
__________________________________________________________________________________________________
Узкоколейная железная дорога в окрестностях станции Чаща. Начальный пункт — станция Чаща, расположенная на железнодорожной линии Павловск — Батецкая.

Узкоколейная железная дорога на топографической карте
масштаба 1:200 000, изданной в 1933 году.

Узкоколейная железная дорога на топографической карте масштаба 1:50 000, изданной в 198? году
(нанесена условно, на основе данных других карт). Узкоколейная железная дорога (по другим данным — железная дорога широкой колеи) пролегала от станции Чаща в западном и восточном направлениях. Узкоколейная железная дорога (железная дорога широкой колеи) являлась лесовозной.
Узкоколейная железная дорога (железная дорога широкой колеи) была построена не позднее 1920-х годов, разобрана не позднее 1960-х годов.
__________________________________________________________________________________________________
Узкоколейная железная дорога (?) в окрестностях станции Сусанино. Начальный пункт — окрестности станции Сусанино, расположенной на железнодорожной линии Павловск — Батецкая.

Узкоколейная железная дорога (?) на топографической карте масштаба 1:200 000,
изданной в 1942 году (обозначена разобранной).

Узкоколейная железная дорога (?) на топографической карте масштаба 1:100 000, изданной
в 1984 году (нанесена условно, на основе данных других карт). Единственным источником информации об этой узкоколейной железной дороге (либо железной дороге широкой колеи) являются топографические карты. Согласно картам, узкоколейная железная дорога (либо железная дорога широкой колеи) примыкала к магистральной Петербурго-Витебской железной дороге между станциями Сусанино и Красницы.
Предположительно, узкоколейная железная дорога (железная дорога широкой колеи) использовалась для вывоза леса. Узкоколейная железная дорога (железная дорога широкой колеи) действовала непродолжительное время, скорее всего в 1910-1920-х годах.
__________________________________________________________________________________________________
Узкоколейная железная дорога Форносовского торфопредприятия на Кауштинском торфомассиве. Начальный пункт — произвоственный участок, расположенный на северной границе Кауштинского торфомассива.

Узкоколейная железная дорога на топографической карте масштаба 1:100 000,
изданной в 1984 году.

Узкоколейная железная дорога на топографической карте масштаба 1:50 000, изданной в 197? году. Узкоколейная железная дорога была торфовозной, принадлежала Форносовскому торфопредприятию. «Основная» узкоколейная железная дорога Форносовского торфопредприятия находилась вблизи посёлка Форносово. Узкоколейная железная дорога на Кауштинском торфомассиве никогда не была с ней связана.
Узкоколейная железная дорога была построена ориентировочно в 1960-х годах. Подвижной состав завозился автотранспортом. Главная линия узкоколейной железной дороги связывала торфополя с местом перегрузки торфа на автомобили, её протяжённость составляла около 4 километров.
По информации от А. Корсакова, тяговый подвижной состав узкоколейной железной дороги был представлен четырьмя мотовозами МД54-4, одной ЭСУ2А. Узкоколейная железная дорога была разобрана в 1997-1998 годах. После этого ещё несколько лет (как минимум до 2002 года) вблизи бывшего начального пункта узкоколейной железной дороги стояли два мотовоза МД54-4 и платформы. Приблизительно в 2004 году этот подвижной состав был порезан.
__________________________________________________________________________________________________
Узкоколейная железная дорога Гатчинского торфопредприятия. Начальный пункт — посёлок Гатчинское торфопредприятие (Центральный), расположенный у станции Фрезерный на железнодорожной линии Тосно — Новолисино — Владимирская — Гатчина.

Узкоколейная железная дорога на топографической карте масштаба 1:200 000, изданной в 1942 году.

Узкоколейная железная дорога на топографической карте масштаба 1:100 000, изданной в 1941 году.

Узкоколейная железная дорога на топографической карте масштаба 1:100 000, изданной в 1984 году.

Узкоколейная железная дорога на топографической карте
масштаба 1:150 000, изданной в 1990 году.

Узкоколейная железная дорога на топографической карте масштаба 1:50 000, изданной в 197? году («узкоколейная железная дорога»
к северу от железной дороги широкой колеи — в действительности на тот момент являлась подъездным путём широкой колеи). Узкоколейная железная дорога была построена в 1920-х годах либо 1930-х годах. Существовали линии узкоколейной железной дороги, расположенные севернее и южнее станции Фрезерный на железной дороге широкой колеи. Не выяснено, составляли ли они единую сеть.
Линии узкоколейной железной дороги к северу от железной дороги широкой колеи были разобраны в 1970-х годах. Линии узкоколейной железной дороги к югу от железной дороги широкой колеи действовали дольше. Ориентировочный период ликвидации последнего участка узкоколейной железной дороги — 1980-е годы.
__________________________________________________________________________________________________
Узкоколейная железная дорога Вырицкого кирпичного завода. Начальный пункт — посёлок Кирпичный Завод, расположенный в окрестностях станции Посёлок (конечный пункт железнодорожной линии Вырица — Посёлок).

Узкоколейная железная дорога на топографической карте
масштаба 1:100 000, изданной в 1984 году.

Узкоколейная железная дорога на топографической карте
масштаба 1:50 000, изданной в 198? году. Вырицкому кирпичному заводу принадлежала узкоколейная железная дорога протяжённостью менее 1 километра, предназначенная для доставки глины от карьера до заводского цеха. Несмотря на незначительную протяжённость, узкоколейная железная дорога обозначалась на топографических картах масштаба 1:50 000 и 1:100 000.
По информации от А. Корсакова, кирпичный завод основан в 1910-х годах. Уже в то время на нём действовала узкоколейная железная дорога. После Великой Отечественной войны завод был восстановлен и реконструирован.
В 1950-х (?) годах на узкоколейную железную дорогу поступил мотовоз, предположительно МД54-2. Он проработал на узкоколейной железной дороге вплоть до закрытия завода. Вблизи места разгрузки вагонетки перемещались с помощью канатной тяги.
Кирпичный завод был закрыт приблизительно в 1980 году. Узкоколейная железная дорога после этого была разобрана.
По состоянию на 2000 год, сохранялся фрагмент мотовоза, лежавший в болоте недалеко от бывшего завода.
http://uzd.spb.ru/len04.htm — описание узкоколейной железной дороги на сайте А. Корсакова
КИНГИСЕППСКИЙ РАЙОН
Узкоколейная железная дорога в окрестностях станции Усть-Луга. Начальный пункт — станция Усть-Луга (конечный пункт железнодорожной линии Котлы — Усть-Луга, до 1941 промежуточная станция на линии Котлы — Курголово).

Район местонахождения узкоколейной железной дороги на топографической карте
масштаба 1:100 000, изданной в 1978 году. По неподтверждённым данным, в районе станции Усть-Луга как минимум в 1930-х годах действовала узкоколейная железная дорога. Назначение не установлено.
Узкоколейная железная дорога полностью разобрана.
__________________________________________________________________________________________________
Узкоколейная железная дорога на Байковском карьере. Местонахождение — Байковский карьер.

Узкоколейная железная дорога на топографической карте
масштаба 1:200 000, изданной в 1933 году.

Узкоколейная железная дорога на топографической карте масштаба 1:50 000, изданной в 198? году
(нанесена условно, на основе данных предыдущей карты). Единственный источник информации об этой узкоколейной железной дороге — топографическая карта масштаба 1:200 000, изданная в 1933 году. На тот момент узкоколейная железная дорога находилась на территории независимой Эстонии. Согласно данной карте, узкоколейная железная дорога связывала карьер с берегом реки Наровы, где находился черепичный завод.
На топографической карте масштаба 1:200 000, изданной в 1942 году, узкоколейная железная дорога не обозначена.
Узкоколейная железная дорога полностью разобрана.
__________________________________________________________________________________________________
Узкоколейная железная дорога в окрестностях населённого пункта Пейпия. Местонахождение — окрестности населённого пункта Пейпия.

Узкоколейная железная дорога на топографической карте
масштаба 1:200 000, изданной в 1933 году.

Узкоколейная железная дорога на топографической карте масштаба 1:50 000, изданной в 198? году
(нанесена условно, на основе данных предыдущей карты). Узкоколейная железная дорога обеспечивала сообщение между пристанью на Финском заливе и «минной пристрелочной станцией» Обуховского завода, находившейся на Копанском (Копенском) озере. На «минной пристрелочной станции» производились испытания различных видов торпед и морских мин.
Узкоколейная железная дорога была построена вместе с пристрелочной станцией в 1908 году. Она на всём протяжении дублировалась подвесной канатной дорогой. Протяжённость узкоколейной железной дороги составляла около 2 километров.
Цитата из книги «Торпеды Российского флота», авторы — Ю.Л. Коршунов, Г.В. Успенский (http://www.navylib.su/arms/torpedos-rus/05.htm):
В поисках другого места для пристрелочной станции были рассмотрены многие варианты, в том числе и такие, как постройка специального бассейна в Кронштадте восточнее Военной гавани, размещение станции на Шуваловских озерах, в Сестрорецком разливе и ряде других пунктов. Наконец в 1907 году место выбрали — Копенское озеро на южном берегу Копорского залива (в настоящее время оно называется Копанским). От залива озеро отделяется узким перешейком. Будучи вытянуто с севера на юг на семь верст, оно имело глубину до 49 футов (14,9 м) и славилось исключительно прозрачной водой. Его удаление от Петербурга по шоссе составляло 100 верст, а от железной дороги 20-30 верст.
С владельцем озера герцогом Мекленбург-Стрелецким быстро договорились и 20 октября 1907 года Обуховский завод получил заказ на строительство пристрелочной станции, оценивавшееся по предварительной смете в 313 тыс. руб. Требовалось соорудить саму станцию в виде деревянного строения на сваях или ряжах, построить каменную электростанцию, установить паровой котел и динамо-машину, возвести жилые дома и т. д. Предусматривалась даже разработка специального вагона для перевозки торпед по железной дороге.
Строительство станции началось 14 января 1908 года, а уже 7 августа того же года Обуховский завод приступил к пристрелке первой партии торпед. Для их доставки в Копорский залив зафрахтовали пароход «Взрыв». От пристани, вынесенной из-за мелководья далеко в залив, торпеды предполагалось транспортировать по подвесной дороге. Часть ее проходила над водой, для чего между берегом и пристанью установили на ряжах столбы. Подвесная дорога приводилась в действие электромоторами, дублирующим средством являлась рельсовая колея, проложенная по специально сооруженной эстакаде. Однако в свой первый приход пароход «Взрыв» эту систему действующей не застал. Торпеды пришлось сбрасывать за борт «хвостами вниз», а затем буксировать к берегу. Далее до станции их катили по дороге, как бревна.
Сведения о наличии на узкоколейной железной дороге локомотивов не известны. Не исключено, что она являлась рельсовым путём узкой колеи, на котором применялась конная тяга.
http://photoarchive.spb.ru:9090/www/showChildObjects.do?object=2001799299 — различные фотографии времён строительства узкоколейной железной дороги и пристрелочной станции
http://photoarchive.spb.ru:9090/www/showChildObjects.do?object=2001851097 — фотография пути узкоколейной железной дороги у минной пристрелочной станции
http://photoarchive.spb.ru:9090/www/showChildObjects.do?object=2001851065 — общий вид подвесной дороги и мостиков, ведущих на минную пристрелочную станцию Обуховского завода
http://photoarchive.spb.ru:9090/www/showChildObjects.do?object=2001850873 — вид натяжной станции канатной дороги, путь узкоколейной железной дороги
Узкоколейная железная дорога обозначена на топографической карте масштаба 1:200 000, изданной в 1933 году. На топографической карте масштаба 1:200 000, изданной в 1942 году, узкоколейная железная дорога не обозначена.
Узкоколейная железная дорога полностью разобрана.
КИРИШСКИЙ РАЙОН
Пчёвжинская узкоколейная железная дорога. Начальный пункт — станция Бор, расположенная в посёлке Пчёвжа, вблизи станции Пчёвжа на железнодорожной линии Кириши — Будогощь.

Узкоколейная железная дорога на топографической карте
масштаба 1:500 000, изданной в 1988 году. Узкоколейная железная дорога на топографической карте масштаба 1:200 000, изданной в 1986 году
Пчёвжинская узкоколейная железная дорога была лесовозной, являлась одной из крупнейших в регионе. По информации от А. Корсакова, первый участок узкоколейной железной дороги был открыт в 1947 году. Вывезенная по узкоколейной железной дороге древесина в основном использовалась на строительстве города Кириши.
Главная станция узкоколейной железной дороги в посёлке Пчёвжа получила официальное название Бор. Тяговый подвижной состав первоначально был представлен паровозами и мотовозами. По информации от А. Корсакова, в 1961 году протяжённость узкоколейной железной дороги составляла 94 километра, в том числе магистральных путей — 45 километров.
К концу 1960-х годов узкоколейная железная дорога достига максимальной длины — магистраль протянулась от Пчёвжи в северном направлении примерно на 50 километров, почти до села Бережки, расположенного на берегу реки Волхов. Суммарная протяжённость составляла свыше 100 километров.
С начала 1970-х годов, по информации от А. Корсакова, магистраль в сторону Бережков начали разбирать в связи с выработкой лесных массивов в этом районе. Заготовка леса стала вестись значительно ближе к Пчёвже, в районе истоков реки Носовая. В 1991 году последний раз был получен новый подвижной состав: несколько сцепов, построенных Демиховским машиностроительным заводом, один тепловоз ТУ8.
Вывозка леса по узкоколейной железной дороге продолжалась вплоть до 1998 года. В начале 1998 года было принято решение о ликвидации узкоколейной железной дороги.
Разборка узкоколейной железной дороги началась летом 1998 года. При этом использовались не тепловозы, а трактора и автомобили. Уничтожение узкоколейной железной дороги началось со станции Бор и постепенно «продвигалось» в лес. К концу 1998 года оно было в основном завершено.
http://uzd.spb.ru/len15.htm — описание узкоколейной железной дороги на сайте А. Корсакова
__________________________________________________________________________________________________
Узкоколейная железная дорога лесопункта Смирник Пчёвжинского леспромхоза. Начальный пункт — посёлок Смирник, расположенный вблизи разъезда №2 железнодорожной линии Тихвин — Будогощь.

Узкоколейная железная дорога на топографической карте масштаба 1:100 000,
изданной в 1986 году (нанесена условно). Лесопункт Смирник Пчёвжинского (позднее Киришского) леспромхоза находился вблизи разъезда №2 на железнодорожной линии Тихвин — Будогощь. По информации от А. Корсакова, в лесопункте действовала лесовозная узкоколейная железная дорога.
Главная линия узкоколейной железной дороги пролегала от посёлка Смирник в направлении Крапивно и далее в лес. На узкоколейной железной дороге имелся по меньшей мере один мотовоз Мгф, построенный в Финляндии.
Узкоколейная железная дорога была разобрана ориентировочно в 1970-х годах. В те же годы лесопункт был закрыт, посёлок Смирник был ликвидирован.
__________________________________________________________________________________________________
Военно-полевая узкоколейная железная дорога в районе станции Глажево. Начальный пункт — станция Глажево, расположенная на железнодорожной линии Ирса — Волховстрой.

Узкоколейная железная дорога на топографической карте масштаба 1:25 000, изданной
в 1942 году для нужд германской армии (показана в западной части).

Узкоколейная железная дорога на топографической карте масштаба 1:50 000, изданной в 1984 году (западная часть),
1986 году (восточная часть). Нанесена условно, на основе данных других карт. Узкоколейная железная дорога, предположительно, была построена для нужд германской армии в 1942 году, действовала на протяжении непродолжительного времени. Протяжённость узкоколейной железной дороги составляла не менее 10 километров.
Узкоколейная железная дорога полностью разобрана.
КИРОВСКИЙ РАЙОН
Узкоколейная железная дорога Павловского завода строительных материалов. Местонахождение — посёлок Павлово, расположенный у станции Павлово-на-Неве на железнодорожной линии Заневский Пост — Горы.
По состоянию на 2009 год, узкоколейная железная дорога действует.
__________________________________________________________________________________________________
Узкоколейная железная дорога Ленинградского мачтопропиточного завода. Местонахождение — город Отрадное, расположенный у станции Пелла на железнодорожной линии Обухово — Горы.
По состоянию на 2010 год, узкоколейная железная дорога действует.
__________________________________________________________________________________________________
Узкоколейная железная дорога на участке «28 километр» Мгинского карьероуправления. Местонахождение — участок «28 километр» Мгинского карьероуправления, расположенный в окрестностях села Путилово.
Узкоколейная железная дорога не действует ориентировочно с 2004 года. По состоянию на 2009 год, узкоколейная железная дорога узкоколейная железная дорога почти полностью разобрана и едва ли может быть восстановлена.
__________________________________________________________________________________________________
Узкоколейная железная дорога торфопредприятия «Назия». Начальный пункт — посёлок Назия (Жихарево), расположенный у станции Жихарево на железнодорожной линии Мга — Волховстрой.
Узкоколейная железная дорога полностью разобрана. Дата ликвидации — 2001 год.
__________________________________________________________________________________________________
Узкоколейная железная дорога завода строительных материалов в посёлке Назия (Жихарево). Начальный пункт — посёлок Назия (Жихарево), расположенный у станции Жихарево на железнодорожной линии Мга — Волховстрой.
По информации от А. Корсакова, на заводе строительных материалов действовала узкоколейная железная дорога. Не установлено, составляла ли она единую сеть с узкоколейной железной дорогой торфопредприятия «Назия».
Узкоколейная железная дорога выполняла межцеховые грузовые перевозки. По информации от А. Корсакова, в конце 1980-х годов на узкоколейную железную дорогу поступил тепловоз ТУ8.
По информации от А. Корсакова, в середине 1990-х годов работа узкоколейной железной дороги была остановлена. В 2002 году узкоколейная дорога была разобрана, тепловоз был порезан.
__________________________________________________________________________________________________
Новобытская (?) узкоколейная железная дорога. Начальный пункт — посёлок Новый Быт, расположенный у станции Новый Быт на железнодорожной линии Мга — Волховстрой.
Узкоколейная железная дорога полностью разобрана. Ориентировочная дата ликвидации: 1998 год.
__________________________________________________________________________________________________
Узкоколейная железная дорога Синявинского торфопредприятия. Начальный пункт — посёлок Синявино, находившийся у станции Синявино, конечного пункта железной дороги широкой колеи Мга — Синявино (на участке Грибное — Синявино железная дорога была разрушена в 1941-1944 годах, не восстанавливалась).

Узкоколейная железная дорога на топографической карте
масштаба 1:200 000, изданной в 1932 году.

Узкоколейная железная дорога на топографической карте
масштаба 1:500 000, изданной в 1938 году. Узкоколейная железная дорога на топографической карте масштаба 1:100 000, изданной в 1941 году

Узкоколейная железная дорога на топографической карте
масштаба 1:200 000, изданной в 1942 году.

Узкоколейная железная дорога на топографической карте масштаба 1:200 000, изданной в 1986 году. Узкоколейная железная дорога на топографической карте масштаба 1:100 000, изданной ориентировочно в 1982 году
Узкоколейная железная дорога Синявинского торфопредприятия являлась одной из крупнейших и старейших торфовозных узкоколейных железных дорог Ленинградской области.
История узкоколейной железной дороги началась не позднее 1910 года, когда на Невском судостроительно-судоремонтном заводе в городе Шлиссельбурге была открыта внутризаводская узкоколейная железная дорога, предназначенная для технологических грузовых перевозок. Узкоколейная железная дорога связывала заводские цеха со шлюзами.
Не позднее 1920-х годов была открыта линия узкоколейной железной дороги от Шлиссельбурга до Синявинского торфомассива. Она предназначалась для доставки топливного торфа на промышленные предприятия Шлиссельбурга.
Активное развитие узкоколейной железной дороги было связано со строительством Дубровской (Кировской) ГРЭС-8 в нынешнем городе Кировске. Строительство Дубровской ГРЭС началось в 1931 году, в 1933 году электростанция дала первый ток. Изначально предполагалось, что Дубровская ГРЭС будет работать на торфе, добываемом на Синявинском торфомассиве и в Назии.
По состоянию на 1941 год, сеть узкоколейных железных дорог уже была развитой и протяжённой (не менее 40 километров линий). На торфмассивах было построено 9 «номерных» рабочих посёлков. Синявинское торфопредприятие служило экспериментальной базой Всесоюзного научно-исследовательского института механизации торфяной промышленности (ВИМТ). В посёлке №5 имелся завод опытных машин, существовали поля для испытания машин и проведения технологических исследований.
С сентября 1941 года до января 1944 года в районе Синявино происходили жесточайшие бои. Узкоколейная железная дорога и все населённые пункты в этой местности были почти полностью разрушены.
В январе 1943 года северная часть Синявинского торфомассива была освождена от немецких войск. По ней была проложена железная дорога Поляны — Шлиссельбург («Дорога Победы»), ставшая первой наземной коммуникацией, связавшей блокированный Ленинград с остальной частью страны. «Дорога Победы» имела два хода — северный и южный. Южный ход был частично построен на месте линии узкоколейной железной дороги.
По информации от А. Корсакова, после войны узкоколейная железная дорога восстанавливалась далеко не сразу. По сути, торфопредприятие и узкоколейная железная дорога создавались заново. Большинство из «номерных» рабочих посёлков не восстановили.
Не было восстановлено после войны старинное село Синявино. Хотя оно было крупное и значимое. Не была восстановлена железная дорога широкой колеи Грибное — Синявино. Вместо прежних 9 рабочих посёлков было построено два рабочих посёлка, получивших названия Синявино Первое и Синявино Второе (на месте бывшего 8-го посёлка).
Завод опытных машин ВИТМ и опытная база после войны не восстанавливались. Их было решено перенести на торфопредприятие «Назия».
Непосредственно к Кировской ГРЭС узкоколейная железная дорога не подходила — торф перегружался в вагоны широкой колеи и транспортировался к приёмным бункерам ГРЭС по ведомственным путям широкой колеи. Торф поступал на Кировскую ГРЭС и из многих других торфопредприятий региона.
В послевоенные годы добыча торфа осложнялась большим количеством неразорвавшихся боеприпасов на торфополях. Неоднократно происходили взрывы, имелись жертвы.
По информации от А. Корсакова, в 1960-х годах на узкоколейную железную дорогу поступали тепловозы ТУ4, цельнометаллические торфовозные вагоны УМВ.
В конце 1970-х годов запасы торфа на Синявинском торфомассиве истощились. Кировская ГРЭС в то время по-прежнему работала на торфе, но его доставляли в основном из других торфопредприятий.
Приблизительно в 1985 году было принято решение о закрытии Синявинского торфопредприятия. По информации от А. Корсакова, узкоколейная железная дорога была полностью разобрана в 1985-1987 годах. Подвижной состав был передан на другие торфопредприятия Ленинградской области.
По состоянию на 1990-е годы, значительная часть бывших Синявинских торфоразработок была застроена садовыми участками. Среди немногих сохранившихся образцов подвижного состава — кузова пассажирских вагонов, использовавшиеся в качестве дачных построек.
http://uzd.spb.ru/len32.htm — описание узкоколейной железной дороги на сайте А. Корсакова
http://www.lo-sinyavino.ru/mo/oi — материал, посвящённый истории Синявино
__________________________________________________________________________________________________
Узкоколейная железная дорога Кировской ГРЭС-8. Местонахождение — город Кировск.

Узкоколейная железная дорога на топографической карте
масштаба 1:100 000, изданной в 1941 году.

Район местонахождения узкоколейной железной дороги на топографической карте
масштаба 1:50 000, изданной в 198? году. Строительство Дубровской (Кировской) ГРЭС №8 началось в 1931 году. В 1933 году электростанция дала первый ток, в 1940 году вышла на проектную мощность. В годы Великой Отечественной войны электростанция была почти полностью разрушена, восстановлена в 1950-е годы. Вблизи стройплощадки Дубровской ГРЭС возникли рабочие посёлки, первоначально называвшиеся 1-й городок и 2-й городок. Позднее они были объединены в посёлок Невдубстрой (с 1953 года — город Кировск).
По информации от А. Корсакова, при строительстве Дубровской ГРЭС на ней действовала узкоколейная железная дорога, обслуживавшая стройплощадку. Возможно, в то время она составляла единую сеть с узкоколейной железной дорогой Синявинского торфопредприятия.
Южнее Дубровской ГРЭС, у деревни Московская Дубровка (деревня была уничтожена в период Великой Отечественной войны, после войны не восстанавливалась) в 1930-е годы действовала узкоколейная железная дорога, соединявшая песчаный карьер с пристанью на левом берегу реки Невы. Скорее всего, эта узкоколейная железная дорога после 1944 года не восстанавливалась.
Вплоть до 1960-х годов (?), по информации от А. Корсакова, на Кировской ГРЭС-8 действовала узкоколейная железная дорога, предназначенная для вывоза золы на золоотвал. С 1960-х годов на Кировской ГРЭС-8 действуют только железнодорожные пути широкой колеи.
__________________________________________________________________________________________________
Узкоколейная железная дорога в окрестностях станции Погостье. Начальный пункт — посёлок Погостье, расположенный у станции Погостье на железнодорожной линии Мга — Посадниково.

Лесовозная узкоколейная железная дорога вблизи станции Погостье на топографической
карте масштаба 1:200 000, изданной в 1942 году.

Лесовозная узкоколейная железная дорога вблизи станции Погостье на топографической карте масштаба 1:100 000,
изданной в 1984 году (нанесена условно, на основе данных других карт).

Военно-полевая узкоколейная железная дорога Погостье — Жихарево в атласе «Схемы железных дорог
и водных путей сообщения СССР», изданном в 1943 году.

Район местонахождения военно-полевой узкоколейной железной дороги
Жихарево — Погостье (Жарок) на топографической карте
масштаба 1:500 000, изданной в 1988 году. Посёлок Погостье как минимум с 1930-х годов являлся начальным пунктом лесовозной узкоколейной железной дороги, пролегавшей в северном направлении, протяжённостью около 10 километров.
В январе 1942 года командованием Красной Армии было принято решение о строительстве военно-полевой узкоколейной железной дороги Жихарево — Погостье (по другим данным, Жихарево — Жарок). При этом частично использовались трассы узкоколейной железной дороги торфопредприятия «Назия» и лесовозной узкоколейной железной дороги в Погостье.
Цитата из книги «Пути и тревоги», автор — А. М. Крюков (http://militera.lib.ru/memo/russian/krukov_am/06.html):
В январе 1942 года войска Волховского фронта (Волховский фронт был образован 17 декабря 1941 года, командующий — генерал армии К. А. Мерецков, член Военного совета — армейский комиссар 1 ранга А. И. Запорожец, начальник штаба — генерал Г. Д. Стельмах) начали наступление. Перешли в наступление и соединения 54-й армии. Задача была одна — усилиями Ленинградского, Волховского и правого крыла Северо-Западного фронта разгромить противника под Ленинградом и освободить город от блокады. К сожалению, успешно решить поставленную задачу войска этих фронтов не сумели. В полосе наступления 54-й армии была прорвана вражеская оборона западнее Кириши на глубину 22 километра. Однако развить успех на Любань и соединиться здесь со 2-й ударной армией не удалось.
В ходе наступления выяснилось, что подвоз материальных средств передовым частям, из-за отсутствия коммуникаций, крайне ограничен зимой, а с приходом весны, по болотам и заболоченным перелескам, станет почти невозможен. Существовавшие две или три однопутные, с редкими разъездами, автомобильные дороги обеспечить доставку грузов не могли. Да и дороги эти были из сплошных бревенчатых настилов, уложенных поперек оси пути. Строительство таких дорог — дело трудоемкое, а провозная способность их — малая. Автомобили по ним двигались со скоростью 5–7 километров в час, часто ломались, много расходовали бензина.
Выход из создавшегося положения командование армии видело в строительстве узкоколейной железнодорожной линии от станции Жихарево, расположенной на железнодорожном участке Волховстрой — Мга, до станции Жарок, находившейся на железнодорожной линии Будогощь — Мга. Командарм И. И. Федюнинский приказал построить узкоколейку. Это задание было поручено нашему батальону, а комбат В. И. Ефимов назначил меня ответственным за эту стройку.
Морозным утром 21 января вместе с представителем ВОСО армии мы выехали на станцию Жихарево. Проекта новой узкоколейки не было. Поэтому мы намеревались от Жихарево двинуться к станции Жарок, и на месте прикинуть трассу будущей дороги.
Вскоре нам удалось набросать черновой проект военно-полевой узкоколейки. Протяженность ее составляла 43 километра. От станции Жихарево до 22-го километра трассы было решено использовать старую насыпь железной дороги, которая до войны служила для вывоза торфа. От 22 до 38-километра трасса шла по крайне болотистой залесенной равнинной местности. На 38-м километре узкоколейка выходила на главный путь перегона Погостье — Жарок и по нему соединялась со станцией Жарок. Отдельные участки линии проходили в 2–3 километрах от переднего края.
К работам приступили 27 января. Мороз в те дни стоял тридцатиградусный. Снежный покров на трассе достигал более метра. Заносы снега поднимались местами в рост человека. Люди мерзли, а костров, в целях маскировки, разводить не разрешалось. Скупой на калории суп, приготовленный в Жихарево, старшины рот доставляли прямо на трассу. Но в пути следования, из-за отсутствия достаточного количества термосов, он остывал, покрывался тонкой пленкой льда. Бойцы ложками ломали ледяную пленку и растирали ее о стенки котелков. Затем бросали в это холодное варево кусочки мерзлого хлеба и, пристроившись за снежным сугробом, принимались за пищу. Было тяжело.
Столкнулись мы и с другого рода трудностями: не хватало узкоколейных рельсов. Приходилось использовать рельсы широкой колеи с недействующего участка Мга — Кириши. Эти рельсы мы снимали у самого переднего края, рядом с траншеями противника. Уходили за рельсами ночью. Без шума сгребали с полотна слой снега, разбирали путь и на руках уносили рельсы.
...
С наступлением весеннего потепления работы на строительстве узкоколейки усложнились. Трасса проходила по топким болотам и трясинам. Путь приходилось укладывать на сплошные жердевые слани.
Постоянно заботились о маскировке линии. С этой целью до минимума сокращалась вырубка леса и кустарника. Кто-то из бойцов предложил оригинальный способ маскировки от воздушного противника — связывать макушки деревьев, росших по обе стороны вдоль полотна. Предложение было простым, но эффективным. Путь лежал в своего рода аллее, прикрытый от глаз противника живой зеленой аркой.
Строительство узкоколейки было закончено досрочно, и по ней вскоре прошел первый поезд. Доставка грузов войскам улучшилась.
Скорее всего, узкоколейная железная дорога была разобрана сразу же после того, как в начале 1944 года линия фронта была перемещена на запад. Лесовозная узкоколейная железная дорога в Погостье, по неподверждённым данным, после Великой Отечественной войны не восстанавливалась.
__________________________________________________________________________________________________
Транспортный объект в окрестностях станции Апраксин. Начальный пункт — окрестности станции Апраксин, расположенной на железнодорожной линии Мга — Волховстрой.

Транспортный объект на топографической карте масштаба 1:25 000,
изданной в 1942 году для нужд германской армии.

Транспортный объект на топографической карте масштаба 1:50 000, изданной в 197? году
(нанесён условно, на основе данных других карт). Транспортный объект, подписанный как «Holtzbahn», обозначен на топографической карте масштаба 1:25 000, изданной в 1942 году для нужд германской армии.
«Holtzbahn» означает «деревянная железная дорога», то есть рельсовый путь из деревянных направляющих. Такой объект не является железной дорогой.
Транспортный объект полностью разобран.
__________________________________________________________________________________________________
Транспортный объект в окрестностях станции Апраксин. Начальный пункт — окрестности станции Апраксин, расположенной на железнодорожной линии Мга — Волховстрой.

Транспортный объект на топографической карте масштаба 1:25 000,
изданной в 1942 году для нужд германской армии.

Транспортный объект на топографической карте масштаба 1:50 000, изданной в 198? году.
Нанесён условно, на основе данных предыдущей карты. Транспортный объект, подписанный как «Holtzbahn», обозначен на топографической карте масштаба 1:25 000, изданной в 1942 году для нужд германской армии.
«Holtzbahn» означает «деревянная железная дорога», то есть рельсовый путь из деревянных направляющих. Такой объект не является железной дорогой.
Транспортный объект полностью разобран.
__________________________________________________________________________________________________
Транспортный объект в окрестностях населённого пункта Келколово. Начальный пункт — окрестности станции населённого пункта Келколово, расположенного вблизи железнодорожной линии Мга — Невдубстрой.

Транспортный объект на топографической карте масштаба 1:25 000,
изданной в 1942 году для нужд германской армии.

Транспортный объект на топографической карте масштаба 1:50 000, изданной в 198? году.
Нанесён условно, на основе данных предыдущей карты. Транспортный объект, подписанный как «Holtzbahn», обозначен на топографической карте масштаба 1:25 000, изданной в 1942 году для нужд германской армии.
«Holtzbahn» означает «деревянная железная дорога», то есть рельсовый путь из деревянных направляющих. Такой объект не является железной дорогой.
Транспортный объект полностью разобран.
ЛОДЕЙНОПОЛЬСКИЙ РАЙОН
Оятская узкоколейная железная дорога. Начальный пункт — посёлок Мехбаза, расположенный на левом берегу реки Оять.

Узкоколейная железная дорога на топографической карте
масштаба 1:500 000, изданной в 1988 году.

Узкоколейная железная дорога на топографической карте масштаба 1:200 000, изданной в 1988 году. Оятская (Яровщинская) узкоколейная железная дорога являлась лесовозной, «сплавной», принадлежала Оятскому леспромхозу.
Вся представленная информация об узкоколейной железной дороге приводится по материалу А. Корсакова.
Первый участок узкоколейной железной дороги был открыт в 1948 году. Новый посёлок, в котором находилась главная станция узкоколейной железной дороги, получил официальное название Мехбаза. Немногим севернее был расположен Оятский сплавучасток — место, где находились эстакады для разгрузки вывезенного по узкоколейной железной дороге леса и подготовки его к сплаву.
По состоянию на 1954 год, протяжённость Оятской узкоколейной железной дороги составляла 50 километров, из них только 21 км — магистральные пути. На узкоколейной железной дороге имелся лесной посёлок Маягиничи. Тяговый подвижной состав был представлен различными паровозами и мотовозом МУЗ4.
С 1970-х годов паровозы были заменены мотовозами МД54-4. Во второй половине 1970-х годов узкоколейная железная дорога достигла максимальной протяжённости — 73 км, в том числе 51 км магистральных путей.
В конце 1970-х годов был запрещён сплав леса по реке Оять, сразу же после этого объём вывозки по узкоколейной железной дороге резко сократился. В 1983 году вывозка леса по узкоколейной железной дороге была прекращена, Оятский леспромхоз полностью перешёл на автомобильную вывозку леса. Узкоколейная железная дорога после этого не разбиралась. Её было решено сохранить на случай возможного возобновления вывозки, а также для доступа в лес. Местные жители активно ездили по узкоколейной железной дороге на мотодрезинах.
В начале 1990-х годов узкоколейная железная дорога была полностью разобрана.
По состоянию на 2000 год, в посёлке Мехбаза сохранялось несколько кабин мотовозов МД54-4 и бак тендера паровоза. По состоянию на 2006 год, ничего этого уже не было.
http://uzd.spb.ru/len20.htm — описание узкоколейной железной дороги на сайте А. Корсакова
__________________________________________________________________________________________________
Узкоколейная железная дорога на стройплощадке Нижнесвирской ГЭС. Местонахождение — посёлок Свирьстрой, расположенный в окрестностях станции Янега на железнодорожной линии Лодейное Поле — Петрозаводск.

Район местонахождения узкоколейной железной дороги на топографической карте
масштаба 1:50 000, изданной в 1988 году. Нижнесвирская ГЭС строилась в 1927-1936 годах. На стройплощадке Нижнесвирской ГЭС использовалась временная узкоколейная железная дорога.
Нижнесвирская ГЭС и Верхнесвирская ГЭС (в городе Подпорожье) строились трестом «Свирьстрой». Посёлок при стройплощадке ГЭС получил название Свирьстрой. Он был связан со станцией Янега железнодорожной линией широкой колеи.
По информации от А. Корсакова, на узкоколейной железной дороге, действовавшей на стройплощадке Нижнесвирской ГЭС, работали 5 паровозов серии 157 производства Коломенского завода (поступили в 1929-30 годах), мотовоз Deutz MLH332F производства Германии (поступил в 1932 году).
После завершения строительства ГЭС в 1936 году три паровоза были переданы в Сучан (Приморский край). Однако узкоколейная железная дорога не разбиралась полностью. По информации от А. Корсакова, она была оставлена для технологических перевозок, на ней вплоть до Великой Отечественной войны находилось пять мотовозов типа «Комсомолец», несколько паровозов.
В период Великой Отечественной войны Нижнесвирская ГЭС была оккупирована финнами. Локомотивы частично были вывезены на Нижнесвирскую военно-полевую узкоколейную железную дорогу.
В 1944 году шлюз Нижнесвирской ГЭС был взорван при отступлении финских войск. Возможно, узкоколейная железная дорога использовалась при восстановлении электростанции. Восстановление было завершено в достаточно сжатый срок.
Не позднее 1950-х годов узкоколейная железная дорога была полностью разобрана.
Железная дорога широкой колеи Янега — Свирьстрой была разобрана не позднее 1980-х годов.
http://uzd.spb.ru/len11.htm — описание узкоколейной железной дороги на сайте А. Корсакова
ЛОМОНОСОВСКИЙ РАЙОН
Узкоколейная железная дорога вблизи посёлка Большая Ижора. Начальный пункт — посёлок Большая Ижора, расположенный у станции Большая Ижора на железнодорожной линии Лигово — Веймарн.

Узкоколейная железная дорога на топографической карте
масштаба 1:100 000, изданной в 1939 году.

Узкоколейная железная дорога на топографической карте
масштаба 1:25 000, изданной в 1941 году.

Узкоколейная железная дорога на топографической карте масштаба 1:50 000,
изданной в 197? году (нанесена условно, на основе данных других карт). Узкоколейная железная дорога была построена не позднее 1930-х годов. Узкоколейная железная дорога предназначалась для вывоза песка из карьеров (возможно, это было не единственным назначением). Протяжённость узкоколейной железной дороги, согласно топографическим картам, составляла около 3 километров.
Узкоколейная железная дорога была полностью разобрана не позднее 1960-х годов.
__________________________________________________________________________________________________
Узкоколейная железная дорога в окрестностях станции Воронка. Начальный пункт — станция (ныне остановочный пункт) Воронка, расположенная на железнодорожной линии Лигово — Веймарн.

Узкоколейная железная дорога на топографической карте
масштаба 1:200 000, изданной в 1942 году.

Узкоколейная железная дорога на топографической карте масштаба 1:100 000, изданной в 1939 году. Узкоколейная железная дорога на топографической карте масштаба 1:25 000, изданной в 1941 году

Узкоколейная железная дорога на топографической карте масштаба 1:200 000, изданной в 1979 году
(в оригинале карты была обозначена разобранной, обозначена не полностью). Предположительно, узкоколейная железная дорога была лесовозной. Узкоколейная железная дорога построена не позднее 1930-х годов. Протяжённость узкоколейной железной дороги, согласно картам, составляла около 20 километров.
В период в Великой Отечественной войны в данном районе происходили ожесточённые бои. Расположенные вблизи узкоколейной железной дороги населённые пункты Готобужи, Лубаново, Лужки и многие другие после войны не возродились.
Не выяснено, была ли восстановлена узкоколейная железная дорога после Великой Отечественной войны. В любом случае, она была полностью разобрана не позднее 1960-х годов.
__________________________________________________________________________________________________
Узкоколейная железная дорога на карьере 75-го километра. Местонахождение — карьер 75-го километра, расположенный вблизи бывшего поста Карьер 75 км на железнодорожной линии Лигово — Веймарн.

Узкоколейная железная дорога на топографической карте
масштаба 1:100 000, изданной в 1939 году.

Узкоколейная железная дорога на топографической карте
масштаба 1:25 000, изданной в 1941 году.

Узкоколейная железная дорога на топографической карте масштаба 1:200 000, изданной в 1979 году
(нанесена условно, на основе данных других карт). Узкоколейная железная дорога была построена не позднее 1930-х годов. Узкоколейная железная дорога предназначалась для вывоза песка из песчаного карьера. Протяжённость узкоколейной железной дороги, согласно топографическим картам, составляла около 3 километров.
Узкоколейная железная дорога была полностью разобрана не позднее 1960-х годов.
__________________________________________________________________________________________________
Узкоколейная железная дорога на территории форта Красная Горка. Местонахождение — форт Красная Горка, находившийся вблизи станции Краснофлотск (конечного пункта железнодорожной линии Лебяжье — Краснофлотск).

Район местонахождения узкоколейной железной дороги на топографической карте
масштаба 1:50 000, изданной в 198? году. Форт Красная Горка (Алексеевский) являлся составной частью Кронштадтской морской крепости. Как и другой форт Кронштадтской морской крепости — Ино (Николаевский), расположенный на противоположном берегу Финского залива, он предназначался для защиты дальних морских подступов к Кронштадту и Санкт-Петербургу.
Строительство форта началось в 1909 году. При строительстве форта для перевозки стройматериалов использовалась узкоколейная железная дорога. После завершения строительства она должна была использоваться для перевозки боеприпасов. Форт просуществовал до 1960-х годов. Не выяснено, до какого времени на нём действовала узкоколейная железная дорога.
Цитата из материала «Краткая история форта «Красная Горка», автор — А. Артёмов
(http://www.krasnaya-gorka.sbor.ru/fort/kr_istoriya/fort_kr_istoriya.htm):
Форт (точнее сказать – морскую крепость) «Красная Горка» начали проектировать ровно сто лет назад — в 1907 г. как форпост Кронштадской Военно-морской базы. Место под него подбиралось так, чтобы Кронштадт оказывался вне зоны действия корабельной артиллерии флота вероятного противника. Напротив «Красной горки» планировался его собрат – форт-крепость «Ино». Работы на обоих фортах начались в 1909 году.
...
Настала эпоха ракет. Кто-то «наверху» решил, что ствольная артиллерия, несмотря на некоторые явные преимущества перед ракетами, изжила себя. В 1955 году Кронштадская крепость была расформирована, начался демонтаж артиллерии с островных фортов. Черед «Красной горки» настал в 1962 году. С уходом артиллеристов форт, а точнее его 12-дм батареи, превратились в хранилища боезапаса Ижорского арсенала. В этом качестве они используются до сих пор.
После 1962 года на территории бывшего форта размещались склады боеприпасов. Как минимум с этого времени узкоколейная железная дорога здесь не действует.
__________________________________________________________________________________________________
Узкоколейная железная дорога Куммолово — Копорьевский карьер. Начальный пункт — станция (ныне остановочный пункт) Куммолово, расположенная на железнодорожной линии Лигово — Веймарн.

Узкоколейная железная дорога на топографической карте
масштаба 1:200 000, изданной в 1942 году.

Узкоколейная железная дорога на топографической карте масштаба 1:100 000, изданной в 1978 году
(нанесена условно, на основе данных других карт). Узкоколейная железная дорога предназначалась для вывоза песка из Копорьевского песчаного карьера к железной дороге Лигово — Веймарн. По информации от А. Корсакова, карьер начал осваиваться в 1910-х годах в связи с началом строительства железной дороги на участке Лебяжье — Веймарн, песок предполагалось использовать для отсыпки насыпи.
Строительство железной дороги было прервано из-за революционных событий 1917 года и Гражданской войны, в начале 1920-х годов возобновилось.
Скорее всего, узкоколейная железная дорога действовала с 1920-х годов до 1941 годов до 1941 года, после Великой Отечественной войны не восстанавливалась.
Не исключено, что полноценной узкоколейной железной дороги здесь не было — по данному направлению пролегал рельсовый путь узкой колеи, на котором применялась конная тяга.
http://uzd.spb.ru/len13.htm — описание узкоколейной железной дороги на сайте А. Корсакова
__________________________________________________________________________________________________
Узкоколейная железная дорога в окрестностях станции Лебяжье. Местонахождение — посёлок Лебяжье, расположенный вблизи станции Лебяжье на железнодорожной линии Лигово — Веймарн.

Узкоколейная железная дорога на топографической карте
масштаба 1:25 000, изданной в 1941 году.

Узкоколейная железная дорога на топографической карте масштаба 1:50 000,
изданной в 198? году (нанесена условно). Единственный источник информации об этой узкоколейной железной дороге — топографическая карта масштаба 1:25 000, изданная в 1941 году. Согласно данной карте, узкоколейная железная дорога находилась южнее станции Лебяжье, её протяжённость составляла около 1 километра.
Скорее всего, узкоколейная железная дорога обслуживала объекты оборонного назначения, которыми насыщены окрестности посёлка Лебяжье.
Узкоколейная железная дорога полностью разобрана.
__________________________________________________________________________________________________
Узкоколейная железная дорога в окрестностях станции Калище. Местонахождение — окрестности станции Калище, расположенной на железнодорожной линии Лигово — Веймарн.

Узкоколейная железная дорога на топографической карте
масштаба 1:25 000, изданной в 1941 году.

Узкоколейная железная дорога на топографической карте масштаба 1:50 000, изданной
в 198? году (нанесена условно, на основе данных предыдущей карты). Единственным источником информации об этой узкоколейной железной дороге являются топографические карты. Согласно картам, узкоколейная железная дорога связывала железную дорогу широкой колеи Лигово — Веймарн с пристанью (?) в районе устья реки Коваши. Протяжённость узкоколейной железной дороги, согласно картам, составляла около 5 километров.
Узкоколейная железная дорога была разобрана не позднее 1960-х годов. На территории, по которой она пролегала, был построен город Сосновый Бор.
ЛУЖСКИЙ РАЙОН
Лужская узкоколейная железная дорога. Начальный пункт — город Луга, расположенный вблизи узловой станции Луга.
Узкоколейная железная дорога полностью разобрана. Период ликвидации — 1980-е годы.
__________________________________________________________________________________________________
Рельсовый путь узкой колеи в районе деревни Вяз. Начальный пункт — деревня Вяз, расположенная на правом берегу реки Луга.

Район местонахождения рельсового пути узкой колеи на топографической карте
масштаба 1:100 000, изданной в 1980 году. По информации от С. Соколова, в районе деревни Вяз в конце XIX века был построен рельсовый путь узкой колеи, предназначенный для доставки леса к берегу реки Луги для последующего сплава по реке. На рельсовом пути применялась конная тяга.
Вероятнее всего, рельсовый путь узкой колеи не используется с 1930-х годов. По утверждению С. Соколова, в 2000-х годах в лесном массиве можно было найти отдельные сохранившиеся рельсы.
__________________________________________________________________________________________________
Рельсовый путь узкой колеи на Лужском деревообрабатывающем комбинате. Местонахождение — город Луга, район станции Луга I (южный парк).
По информации от С. Соколова, на Лужском деревообрабатывающем комбинате как минимум в 1940-1950-х годах действовал рельсовый путь узкой колеи, предназначенный для межцеховых грузовых перевозок. На рельсовом пути использовались легковесные рельсы (около 8 килограммов на метр), ширина колеи — 600 миллиметров. Тяга — ручная или канатная (от стационарной лебёдки).
Рельсовый путь узкой колеи был разобран не позднее 1990-х годов.
__________________________________________________________________________________________________
Узкоколейная железная дорога Лужского кирпичного завода. Местонахождение — город Луга.

Узкоколейная железная дорога на топографической карте
масштаба 1:100 000, изданной в 1941 году.

Узкоколейная железная дорога на топографической карте масштаба 1:50 000,
изданной в 199? году (нанесена условно, на основе данных карты,
изданной в 1941 году). Единственный источник информации об этой узкоколейной железной дороге — топографические карты 1940-х годов. Узкоколейная железная дорога предназначалась для доставки глины от карьера до кирпичного завода. Протяжённость узкоколейной железной дороги составляла около 1500 метров.
Узкоколейная железная дорога полностью разобрана не позднее 1970-х годов.
__________________________________________________________________________________________________
Узкоколейная железная дорога кирпичного завода в посёлке Слапи. Начальный пункт — посёлок Слапи, расположенный к востоку от города Луга.

Узкоколейная железная дорога на топографической карте масштаба 1:50 000,
изданной в 199? году (нанесена условно). По информации от Сергея Соколова, в посёлке Слапи находился кирпичный завод. Узкоколейная железная дорога связывала кирпичный завод с железнодорожной линией Луга — Батецкая — Новгород. В месте примыкания узкоколейной железной дороги к железнодорожной линии Луга — Батецкая — Новгород (у нынешнего остановочного пункта 9 км) имелось путевое развитие и перегруз.
Протяжённость узкоколейной железной дороги составляла 2 километра. Имелся деревянный мост через реку Лугу.
На топографической карте масштаба 1:100 000, изданной в 1941 году, узкоколейная железная дорога в данной местности не обозначена.
Узкоколейная железная дорога полностью разобрана. Ориентировочный период ликвидации — начало 1950-х годов.
__________________________________________________________________________________________________
Узкоколейная железная дорога Крупели — Рыбинский Клин. Начальный пункт — карьер у населённого пункта Крупели.

Узкоколейная железная дорога на топографической карте
масштаба 1:100 000, изданной в 1980 году. По информации от С. Соколова, по меньшей мере в 1910-х годах действовала узкоколейная железная дорога от песчаного карьера у населённого пункта Крупели до ширококолейной железнодорожной магистрали Гатчина — Луга и далее до соединения с Лужской узкоколейной железной дорогой (населённый пункт Рыбинский Клин).
По неподтверждённым данным, пересечение с ширококолейной железнодорожной линией было одноуровневым. Если это так — оно не могло существовать долго (ширококолейная линия магистральная, двухпутная).
Узкоколейная железная дорога была разобрана не позднее 1930-х годов.
__________________________________________________________________________________________________
Мшинская узкоколейная железная дорога. Начальный пункт — посёлок Мшинская, расположенный у станции Мшинская на железнодорожной линии Гатчина — Луга.
Узкоколейная железная дорога полностью разобрана. Дата ликвидации: 1999 год.
__________________________________________________________________________________________________
Узкоколейная железная дорога на лесоучастке Липово. Начальный пункт — посёлок Липово, находившийся у станции Липово (Липовец) на железнодорожной линии Мшинская — Волосово (железнодорожная линия разобрана в 1943 году).

Узкоколейная железная дорога на топографической карте масштаба 1:100 000,
изданной в 1941 году (обозначена разобранной).

Узкоколейная железная дорога на топографической карте масштаба 1:50 000,
изданной ориентировочно в 1970 году (нанесена условно). Узкоколейная железная дорога была лесовозной. Она строилась и разбиралась дважды. Первая узкоколейная железная дорога, пролегавшая от станции Липово в северном направлении, действовала ориентировочно в 1920-е годы, была разобрана в 1930-х годах.
В период Великой Отечественной войны посёлок Липово (начальный пункт узкоколейной железной дороги) был разрушен, не восстанавливался. Железная дорога широкой колеи Мшинская — Липово — Волосово была разобрана, не восстанавливалась.
По информации от А. Корсакова, в начале 1980-х годов руководством Волосовского леспромхоза было принято решение о возрождении лесоучастка Липово. К бывшему посёлку по насыпи разобранной железной дороги Мшинская — Волосово была проложена грунтовая дорога. На месте бывшего посёлка был построен нижний склад, началось строительство узкоколейной железной дороги с частичным использованием старой трассы.
На узкоколейную железную дорогу поступили 3 тепловоза ТУ6А, 1 тепловоз-дрезина ТУ6Д. Все они до начала 1980-х годов работали в Мшинской.
Ориентировочная протяжённость узкоколейной железной дороги составляла 10 километров. Вывезенный по узкоколейной железной дороге лес перегружался на автомобили.
По информации от А. Корсакова, узкоколейная железная дорога была полностью разобрана в 1992-1994 годах. По состоянию на 2000 год, на месте бывшего лесоучастка Липово сохранялась как минимум одна тепловозная кабина.
http://uzd.spb.ru/len02.htm — описание узкоколейной железной дороги (в числе других узкоколейных железных дорог Волосовского леспромхоза) на сайте А. Корсакова
__________________________________________________________________________________________________
Узкоколейная железная дорога в Серебрянке. Начальный пункт — посёлок Серебрянский, расположенный у станции Серебрянка на железнодорожной линии Луга — Псков.

Узкоколейная железная дорога на топографической карте масштаба 1:100 000,
изданной в 1989 году (нанесена условно). Узкоколейная железная дорога была лесовозной. По информации от С. Соколова, узкоколейная железная дорога была построена не позднее 1920-х годов, разобрана в 1930-е годы. По неподтверждённым данным, на протяжении некоторого времени она составляла единую сеть с Лужской узкоколейной железной дорогой, соединение было в районе станции Папоротская.
По информации от С. Соколова, в конце 1941 года, в период временной оккупации Лужского района нацистской Германией, вблизи Серебрянки силами советских военнопленных началось строительство лесовозной узоколейной железной дороги, пролегавшей по приблизительному направлению Серебрянка — Лямцево (параллельно железной дороге широкой колеи). Лес использовался для нужд Германии. Предполагаемая ширина колеи — 600 мм.
Узкоколейная железная дорога была разрушена в 1944 году, перед отступлением германской армии.
__________________________________________________________________________________________________
Узкоколейная железная дорога Торковичского стекольного завода. Начальный пункт — посёлок Торковичи, расположенный вблизи станции Торковичи на железнодорожной линии Павловск — Батецкая.

Узкоколейная железная дорога на топографической карте масштаба 1:100 000,
изданной в 1989 году (нанесена условно). Узкоколейная железная дорога предназначалась для доставки на Торковичский стекольный завод топливного торфа. Ориентировочный период постройки — вторая половина 1940-х годов либо 1950-е годы (на топографических картах, изданных в конце 1930-х годов и в начале 1940-х годов, узкоколейная железная дорога отсутствует).
Протяжённость линии узкоколейной железной дороги от стекольного завода до торфомассива составляла около 10 километров. У торфомассива был построен посёлок торфяников Песочный Мох. По информации от М. Семёнова, на узкоколейной железной дороге имелось пассажирское движение по маршруту Торковичи — Песочный Мох.
По неподтверждённым данным, по узкоколейной железной дороге на стекольный завод доставлялся не только торф, но и песок, добывавшийся вблизи посёлка Песочный Мох.
По информации от А. Корсакова, в последние годы работы на узкоколейной железной дороге использовались мотовозы. Узкоколейная железная дорога перестала использоваться и была разобрана ориентировочно в 1970 году.
Торковичский стекольный завод перестал работать в конце 1990-х годов. По состоянию на 2004 год, недействующий завод разрушался и разграблялся.
__________________________________________________________________________________________________
Узкоколейная железная дорога Плоское — болото Камаево. Начальный пункт — посёлок Плоское, расположенный вблизи правого берега реки Луги.

Район местонахождения узкоколейной железной дороги на топографической карте масштаба 1:200 000,
изданной в 1973 году (западная часть), 1989 году (восточная часть). По информации от М. Семёнова, узкоколейная железная дорога предназначалась для вывоза торфа из болота Камаево в район посёлка Плоское, действовала ориентировочно в 1940-х — 1950-х годах. Торф использовался как топливо на малых электростанциях и котельных Лужского района.
Не выяснено, являлась ли узкоколейная железная дорога полноценной (существовала ли на ней локомотивная тяга). По неподтверждённым данным, для перемещения вагонеток с торфом использовалась конная и ручная тяга.
Узкоколейная железная дорога была полностью разобрана не позднее 1960-х годов.
__________________________________________________________________________________________________
Узкоколейная железная дорога Толмачёвского кирпичного завода. Начальный пункт — посёлок Толмачёво, расположенный вблизи станции Толмачёво на железнодорожной линии Гатчина — Луга.

Узкоколейная железная дорога на топографической карте масштаба 1:25 000,
изданной в 1942 году (показана только в пределах посёлка).

Узкоколейная железная дорога на топографической карте масштаба 1:100 000,
изданной в 1980 году (обозначена разобранной).

Узкоколейная железная дорога на топографической карте масштаба 1:50 000,
изданной в 198? году (обозначена разобранной). Узкоколейная железная дорога предназначалась для доставки глины из карьера на Толмачёвский кирпичный завод. По информации от М. Семёнова, Толмачёвский кирпичный завод основан в 1900 году. Скорее всего, первые рельсовые пути узкой колеи появились на нём в близкий период времени. До 1940-х годов они были короткими (не более 1 километра).
«Большая» узкоколейная железная дорога к глиняному карьеру у деревни Болото, скорее всего, была построена во второй половине 1940-х годов (на картах, изданных в начале 1940-х годов, она отсутствует). Протяжённость линии от завода до карьера у деревни Болото составила около 3 километров.
По информации от М. Семёнова, в 1950-е годы на узкоколейной железной дороге работали паровозы. Узкоколейная железная дорога была разобрана ориентировочно в 1960 году. Для доставки глины стал использоваться автомобильный транспорт.
ПОДПОРОЖСКИЙ РАЙОН
Узкоколейная железная дорога в окрестностях посёлка Токари. Начальный пункт — нижний склад, расположенный в окрестностях посёлка Токари и станции Токари на железнодорожной линии Лодейное Поле — Петрозаводск.
Узкоколейная железная дорога полностью разобрана. Ориентировочная дата ликвидации — 2004 год.
__________________________________________________________________________________________________
Важинская узкоколейная железная дорога. Начальный пункт — посёлок Важины, расположенный в окрестностях станции Свирь на железнодорожной линии Лодейное Поле — Петрозаводск.

Узкоколейная железная дорога на топографической карте масштаба 1:500 000, изданной в 1988 году. Узкоколейная железная дорога на топографической карте масштаба 1:200 000, изданной в 1988 году (основная часть), 1986 году (крайняя восточная часть)
Узкоколейная железная дорога была лесовозной, относилась к Важинскому лесопункту Подпорожского леспромхоза. По информации от А. Корсакова, первый участок узкоколейной железной дороги был открыт ориентировочно в 1946 году. Основное назначение узкоколейной железной дороги в то время — доставка строевого леса («корабельной сосны») на судостроительную верфь в посёлке Никольский, расположенном южнее Важин. Узкоколейная железная дорога принадлежала судоверфи.
В районе произрастания «корабельной сосны» был построен лесной посёлок Рижное. Расстояние от Никольского до Рижного составило свыше 45 километров. Локомотивное депо находилось на территории судоверфи в Никольском. Тяговый подвижной состав был представлен паровозами.
В 1957 году судоверфь в Никольском прекратила строительство деревянных барж. Необходимость доставки строевого леса исчезла. В 1960 году узкоколейная железная дорога была передана Подпорожскому леспромхозу. На тот момент её протяжённость составляла 67 километров, в том числе 46 километров — магистральные пути.
После передачи узкоколейной железной дороги Подборожскому леспромхозу локомотивное депо было перенесено в Важины, там же был построен нижний склад, связанный подъездным путём широкой колеи со станцией Свирь. Участок Важины — Никольский был частично разобран.
В 1960-х и 1970-х годах на узкоколейную железную дорогу поступали мотовозы МД54-4, тепловозы ТУ2М, ТУ4, ТУ6А, ТУ6А, ТУ6Д, в 1980-е годы — ТУ8.
В 1974 году был выселен лесной посёлок Рижное.
К концу 1980-х годов пришёл в аварийное состояние мост через реку Важинку на окраине посёлка Важины. Его решили не реконструировать, а прекратить вывозку леса на нижний склад в Важинах. Часть подвижного состава была оставлена к северу от моста. На правом берегу Важинки (напротив посёлка Важины) был устроен небольшой нижний склад, куда в минимальном объёме вывозился лес.
Приблизительно в 1997 году вывоз леса по узкоколейной железной дороге был окончательно прекращён. В 1998 году небольшая часть подвижного состава была перевезена из Важин на новую узкоколейную железную дорогу, построенную вблизи посёлка Токари. В том же году был окончательно снесён аварийный мост через Важинку и началась разборка узкоколейной железной дороги.
По информации от А. Корсакова, последний участок узкоколейной железной дороги был разобран в 2002 году.
http://uzd.spb.ru/len21.htm — описание узкоколейной железной дороги на сайте А. Корсакова
__________________________________________________________________________________________________
Вознесенская узкоколейная железная дорога. Начальный пункт — станция Красный Бор, расположенная в посёлке Красный Бор (формально — часть посёлка Вознесенье), находящемся на правом берегу реки Свирь.

Узкоколейная железная дорога на топографической карте масштаба 1:500 000, изданной в 1988 году.

Узкоколейная железная дорога на топографической карте масштаба 1:200 000, изданной в 1986 году. Узкоколейная железная дорога на топографической карте масштаба 1:100 000, изданной в 1982 году
Вознесенская узкоколейная железная дорога была лесовозной, «сплавной», принадлежала Вознесенскому леспромхозу. По информации от А. Корсакова, строительство узкоколейной железной дороги началось в 1947 году.
По состоянию на 1954 год (информация от А. Корсакова, основанная на архивных документах) протяжённость узкоколейной железной дороги составляла 38 километров, тяговый подвижной состав — один паровоз ОП2, два мотовоза МУЗ4. В 1970 году протяжённость узкоколейной железной дороги составляла 54 километра, в том числе 31 километр — магистральные пути.
На узкоколейной железной дороге в течение некоторого времени существовал лесной посёлок Нила (около 15 километров от Красного Бора). Он был выселен в 1970-х годах.
В 1970-х годах на узкоколейной железной дороге имелись мотовозы МД54-4, тепловозы ТУ6А и ТУ7, автомотрисы ПД1 и АМ1. Вывезенный по узкоколейной железной дороге лес поступал на плотбище, расположенное на берегу реки Свири. Сформированные плоты направлялись вниз по реке.
Вывозка леса по узкоколейной железной дороге прекратилась в середине 1990-х годов. По состоянию на август 1998 года, когда узкоколейная железная дорога была посещена группой любителей железных дорог из Москвы, она находилась в состоянии окончательного демонтажа. Разборка пути велась с использованием тепловоза ТУ6А — он регулярно доставлял снятые рельсы из леса в Красный Бор.
По информации от А. Корсакова, разборка узкоколейной железной дороги была завершена в конце 2000 года. По состоянию на октябрь 2000 года, у бывшей станции в посёлке Красный Бор лежали на боку два разграбленных тепловоза ТУ6А и и автомотриса АМ1-090. Позднее весь этот подвижной состав был порезан.
http://uzd.spb.ru/len01.htm — описание узкоколейной железной дороги на сайте А. Корсакова
http://narrow.parovoz.com/emb/index.php?ID=1017 — описание узкоколейной железной дороги на сайте Д. Зиновьева
__________________________________________________________________________________________________
Юксовская узкоколейная железная дорога. Начальный пункт — посёлок Вязостров, расположенный на левом берегу реки Свирь.

Узкоколейная железная дорога на топографической карте масштаба 1:200 000, изданной в 1942 году.

Узкоколейная железная дорога на топографической карте масштаба 1:500 000, изданной в 1988 году.

Узкоколейная железная дорога на топографической карте масштаба 1:200 000, изданной в 1986 году.

Узкоколейная железная дорога на топографической карте масштаба 1:100 000, изданной в 1982 году. Юксовская узкоколейная железная дорога была лесовозной, «сплавной», принадлежала Подпорожскому леспромхозу. По информации от А. Корсакова, первый участок узкоколейной железной дороги был открыт в 1930-е годы. По неподтверждённым данным, в то время на лесозаготовках работали заключённые.
В 1941-1944 годах территория, на которой находится узкоколейная железная дорога, была оккупирована Финляндией. В результате войны узкоколейная железная дорога была разрушена (возможно, подвижной состав был вывезен финнами). В 1949 году узкоколейная железная дорога была снова открыта, в 1954 году была передана Подпорожскому комплексному леспромхозу.
По состоянию на 197? год, протяжённость узкоколейной железной дороги составляла 52 километра, в том числе 37 километров магистральных путей. Главная станция узкоколейной железной дороги находилась в Вязострове. На 15-м километре от Вязострова (именно так!) находился лесной посёлок 23-й километр. Возможно, на картах он подписан неправильно: в действительности — 23-й квартал, а не 23-й километр.
Существовало регулярное пассажирское движение по маршруту Вязостров — 23-й километр. Ключевым пунктом на этом маршруте являлась станция Перекрёсток, расположенная на 11-м километре. Там пассажиры поездов пересаживались на автомобили. На Перекрёстке имелась посадочная платформа, кабель-кран, использовавшийся для перегрузки леса на автомобили.
Первоначально на узкоколейной железной дороге работали паровозы. Позднее поступали тепловозы ТУ2М (ТУ2МК), мотовозы МУЗ4, МД54-4, ЭСУ1, дрезина ПД1.
Посёлок 23-й километр был выселен в 1970-х годах. По информации от А. Корсакова, в 1983 году вывозка леса по узкоколейной железной дороге была прекращена, лесопункт Вязостров был закрыт. Посёлок Вязостров после этого должен был быть выселен, и на картах, изданных после 1983 года, его подписывали как нежилой. Большинство жителей Вязострова действительно переселили в Подпорожье, однако полностью нежилым посёлок не стал.
Приблизительно до 1986 года узкоколейная железная дорога действовала на участке Вязостров — Перекрёсток. Она использовалась для пассажирского движения — мотовоз МД54-4 иногда перевозил пассажиров в Вязостров. В конце 1980-х годов узкоколейная железная дорога была окончательно разобрана.
В октябре 2000 года разобранная узкоколейная железная дорога была обследована исследователями железных дорог из Санкт-Петербурга А. Корсаковым, А. Шишиным и А. Максимовым. На тот момент в посёлке Вязостров имелось несколько постоянно обитаемых домов. У бывшей станции в Вязострове сохранялись кабины ЭСУ1 и МД54-4, кузов вагона ПВ40. В качестве лодочного гаража на реке Свирь использовался пассажирский вагон производства Камбарского машиностроительного завода.
На месте бывшего посёлка 23-й километр имелся один охотничий домик, в котором периодически останавливались приезжие охотники и сборщики ягод, около десяти полуразрушенных «щитовых» домов, фрагмент тепловоза ТУ2М (ТУ2МК), бак тендера паровоза Кп4.
http://uzd.spb.ru/len21.htm — описание узкоколейной железной дороги на сайте А. Корсакова (находится в нижней части страницы)
__________________________________________________________________________________________________
Узкоколейная железная дорога (?) в районе посёлка Иваньково. Начальный пункт — нижний склад, находившийся на правом берегу реки Свирь, напротив посёлка Иваньково.

Узкоколейная железная дорога на топографической карте масштаба 1:200 000,
изданной в 1942 году (обозначена разобранной). Скорее всего, узкоколейная железная дорога (либо рельсовый путь узкой колеи, на котором применялась конная тяга) использовалась непродоложительное время в 1920-х либо 1930-х годах. Основное назначение — вывоз леса.
На топографической карте масштаба 1:200 000, изданной в 1942 году, узкоколейная железная дорога показана разобранной.
__________________________________________________________________________________________________
Подпорожская (?) узкоколейная железная дорога. Начальный пункт — город Подпорожье, расположенный в окрестностях станции Подпорожье на железнодорожной линии Лодейное Поле — Петрозаводск.

Узкоколейная железная дорога на топографической карте масштаба 1:200 000, изданной в 1942 году. Узкоколейная железная дорога на топографической карте масштаба 1:100 000, изданной в 198? году (нанесена условно, на основе данных предыдущей карты, показана не полностью)

«Вывозка леса по узкоколейной железной дороге. Подпорожский леспромхоз, 1957 год». Фотография из книги
«Ленлес: годы становления и развития». Книга была издана в 1992 году. Нет уверенности,
что фотография сделана именно на этой узкоколейной железной дороге. Узкоколейная железная дорога была лесовозной. Первый участок узкоколейной железной дороги был открыт ориентировочно в середине 1930-х годов. По информации от А. Корсакова, в то время узкоколейная железная дорога принадлежала Свирскому энерголескомбинату. На узкоколейной железной дороге работали паровозы, преимущественно серии 159.
Строительство лесовозной узкоколейной железной дороги было связано со строительство в Подпорожье плотины Верхнесвирской ГЭС. Скорее всего, в период её строительства лесовозная узкоколейная железная дорога составляла единую сеть с временной узкоколейной железной дорогой на стройплощадке ГЭС.
К началу 1940-х годов протяжённость магистрали узкоколейной железной дороги составляла около 15 километров. Имелись лесные посёлки.
В конце 1941 года район местонахождения узкоколейной железной дороги был оккупирован войсками Финляндии и находился в составе Финляндии до 1944 года. По информации от А. Корсакова, узкоколейная железная дорога в период оккупации использовалась Финляндией как военно-полевая — для перевозки грузов и личного состава к линии фронта. Узкоколейная железная дорога была значительно продлена — вместо довоенных 15 километров магистраль протянулась как минимум на 50 километров, до окрестностей села Гоморовичи. Скорее всего, имелась также ветвь на Шеменичи.
В документах финских военных властей узкоколейная железная дорога была отмечена как Нижне-Свирская (в переводе), пролегавшая по направлению Kosoenala — Simanitsi (Шеменичи). На узкоколейную железную дорогу финнами были перевезены паровозы других узкоколейных железных дорог, находившихся на оккупированной территории, но не использовавшихся.
После освобождения района в 1944 году узкоколейная железная дорога снова стала лесовозной, принадлежала Свирскому лесокомбинату (ЛСК). На ней продолжали использоваться паровозы, завезённые финнами, использовались новые линии, построенные во время оккупации.
Узкоколейная железная дорога была полностью разобрана в начале 1960-х годов. Для вывоза леса в этом районе стал использоваться автомобильный транспорт.
http://uzd.spb.ru/len25.htm — описание узкоколейной железной дороги на сайте А. Корсакова (вместе с описанием узкоколейной железной дороги на стройплощадке Верхнесвирской ГЭС)
__________________________________________________________________________________________________
Узкоколейная железная дорога на стройплощадке Верхнесвирской ГЭС. Местонахождение — город Подпорожье, расположенный в окрестностях станции Подпорожье на железнодорожной линии Лодейное Поле — Петрозаводск.

Район местонахождения узкоколейной железной дороги на топографической карте
масштаба 1:50 000, изданной в 198? году. Строительство Верхнесвирской ГЭС началось в 1936 году, в 1941 году было прервано из-за войны, после войны возобновилось. В 1952 году Верхнесвирская ГЭС была введена в эксплуатацию.
На стройплощадке Верхнесвирской ГЭС использовалась узкоколейная железная дорога. По информации от А. Корсакова, в довоенное время на ней работали паровозы серии 159, в послевоенное время — также трофейные паровозы. В 1949 году были завезены 6 новых паровозов ВП2 и 6 новых паровозов ПТ4.
Скорее всего, на протяжении всего времени своей работы узкоколейная железная дорога на стройплощадке Верхнесвирской ГЭС составляла единую сеть с лесовозной узкоколейной железной дорогой, пролегавшей из Подпорожья на юго-восток.
Узкоколейная железная дорога была полностью разобрана после завершения строительства ГЭС.
http://uzd.spb.ru/len25.htm — описание узкоколейной железной дороги на сайте А. Корсакова (вместе с описанием лесовозной узкоколейной железной дороги в Подпорожье)
__________________________________________________________________________________________________
Карьерная узкоколейная железная дорога в Щелейках. Местонахождение — окрестности села Щелейки, расположенного на берегу Онежского озера.

Узкоколейная железная дорога на топографической карте
масштаба 1:200 000, изданной в 1942 году.

Узкоколейная железная дорога на топографической карте масштаба 1:50 000, изданной
в 1981 году (нанесена условно, на основе данных предыдущей карты). Узкоколейная железная дорога была построена в 1930-х годах (на топографической карте масштаба 1:200 000, изданной в 1932 году, она отсутствует, на топографической карте масштаба 1:200 000, изданной в 1942 году — показана). По информации от Н. Воробьёва, узкоколейная железная дорога предназначалась для перевозки габбро-диабаза от карьера до пристани на Онежском озере.
Протяжённость узкоколейной железной дороги составляла менее 2 километров. На узкоколейной железной дороге работали мотовозы и паровозы.
По утверждению Н. Воробьёва, в 1939 году добыча габбро-диабаза в Щелейках была прекращена, оборудование было перевезено на карьер у села Рыбрека (на территории Прионежского района республики Карелия). Эта информация вызывает сомнения.
По информации от исследователя железных дорог из Финляндии Юкки Нурминена (Jukka Nurminen), в 1941 году, когда село Щелейки оказалось на территории, занятой финскими войсками, здесь находились два паровоза. Двухосный танк-паровоз Orenstein&Koppel был вывезен для использования на военно-полевой узкоколейной железной дороге Yla-Syvarin.
В любом случае, узкоколейная железная дорога была разобрана не позднее 1960-х годов.
http://narrow.parovoz.com/emb/index.php?ID=1117 — описание узкоколейной железной дороги на сайте Д. Зиновьева
ПРИОЗЕРСКИЙ РАЙОН
Узкоколейная железная дорога Приозерского целлюлозно-бумажного комбината. Местонахождение — город Приозерск, расположенный у станции Приозерск на железнодорожной линии Пискарёвка — Хиитола.

Узкоколейная железная дорога и подъездные пути широкой колеи на топографической
карте масштаба 1:20 000, изданной в Финляндии в 1939 году.

Район местонахождения узкоколейной железной дороги на топографической
карте масштаба 1:50 000, изданной в 1980 году. В городе Приозерске (исторические названия — Корела, Кексгольм, в 1918-1940 годах Кякисалми) действовала узкоколейная железная дорога, предназначенная для межцеховых грузовых перевозок в пределах территории целлюлозно-бумажного комбината.
По информации от А. Корсакова, узкоколейная железная дорога была построена в 1920-е годы вместе с целлюлозным заводом Вальдгофа (позднее ставшим Приозерским целлюлозно-бумажным комбинатом). В то время город Кексгольм находился на территории независимой Финляндии и был переименован финнами в Кякисалми.
Ширина колеи узкоколейной железной дороги составляла 600 мм. Тяговый подвижной состав узкоколейной железной дороги — паровозы и бензиновые мотовозы. Пути узкоколейной железной дороги были сосредоточены на небольшой территории, но их протяжённость была значительной — до 5 километров. Основное назначение узкоколейной железной дороги — доставка леса от причалов на берегу реки Вуоксы к заводским цехам.
Город Кексгольм (Кякисалми) дважды занимался советскими войсками: в 1940 году и в сентябре 1944 года. В результате боевых действий город и целлюлозный завод были полуразрушены. В 1947 году завод был восстановлен, снова стала работать узкоколейная железная дорога. Вплоть до 1980-х годов на ней продолжали использоваться финские мотовозы, которые через какое-то время были модернизированы: бензиновые двигатели внутреннего сгорания были заменены дизелями. Сведений о поступлении другого подвижного состава нет.
В начале 1980-х годов узкоколейная железная дорога перестала использоваться и была разобрана. Для технологических перевозок на территории комбината стал использоваться исключительно автотранспорт и железная дорога широкой колеи.
http://uzd.spb.ru/len26.htm — описание узкоколейной железной дороги на сайте А. Корсакова
СЛАНЦЕВСКИЙ РАЙОН
Узкоколейная железная дорога шахты «Ленинградская». Местонахождение — город Сланцы.
По состоянию на апрель 2011 года, узкоколейная железная дорога временно не действует.
__________________________________________________________________________________________________
Путь узкой колеи в Сланцах. Местонахождение — город Сланцы.
По неподтверждённым слухам, в городе Сланцы могла находиться электрифицированная узкоколейная железная дорога небольшой протяжённости, расположенная на территории бывшего кирпичного завода. В действительности, скорее всего, полноценной узкоколейной железной дороги здесь никогда не было.
Цитата из материала, опубликованного на официальном сайте Сланцевского городского суда, 2010 год (http://slancevsky.lo.sudrf.ru/modules.php?name=docum_sud&id=402):
В судебном заседании подсудимый К., признавая свою вину частично, показал, что 03 октября 2009 года в 08 часов он заступил на суточное дежурство в качестве сторожа по охране промышленной территории ООО ПКФ «Дизайн», которая расположена на территории бывшего кирпичного завода г. Сланцы.
...
Около 19 часов он в очередной раз обходил территорию предприятия. Его собака побежала в сторону бетонного цеха и стала лаять. Он обошел бетонные кольца, которые складированы на территории, подошел к узкоколейным железнодорожным путям и к трамвайчику, который перевозит жидкий бетон к формам. Он обратил внимание, что сломана дверь трамвайчика.
...
Р. стал вырываться, и когда они «возились», то он — К., увидел еще нескольких человек, которые стояли на узкоколейной железнодорожной линии между зданием бывшего кирпичного завода и бетонного цеха.
...
Свидетель С. показал суду, что 03 октября 2009 года днем он вместе со своими друзьями Р., И., А. приехали на автомашине Р. в г. Сланцы Ленинградской области, чтобы посмотреть город. В г. Сланцы у него ни родственников, ни знакомых нет, ранее в г. Сланцы он никогда не был. Они решили с друзьями посмотреть терриконики у шахты им Кирова.
Машину они оставили недалеко от шахты, на парковке, после чего пошли вдоль забора, и там где ограждение заканчивалось, зашли на территорию, то есть доступ был свободный. По времени это было около 18 часов. Они залезли на терриконик, потом спустились и дошли до узкоколейной железной дороги. Они пошли по железнодорожным путям до конца узкоколейки.
Можно с уверенностью сказать, что на бывшем кирпичном заводе находится не полноценная узкоколейная железная дорога, а небольшой путь узкой колеи (условный аналог — путь узкой колеи на Клинском заводе «Клинстройдеталь», не являющийся полноценной узкоколейной железной дорогой). Впрочем, здесь пути узкой колеи скорее всего ещё короче.

Бывший кирпичный завод, ныне — ООО ПКФ «Дизайн».
04.2011 http://old.wikimapia.org/#lat=59.1139043&lon=28.0729008&z=17&l=1&m=s&v=9 — район местонахождения путей узкой колеи на спутниковых снимках
ТИХВИНСКИЙ РАЙОН
Узкоколейная железная дорога торфопредприятия «Ларьян». Начальный пункт — посёлок Красава.
По состоянию на 2008 год, узкоколейная железная дорога действует.
__________________________________________________________________________________________________
Клинецкая (?) узкоколейная железная дорога. Начальный пункт — посёлок Тупик, расположенный в окрестностях станции Разъезд №4 железнодорожной линии Тихвин — Будогощь.

Узкоколейная железная дорога на топографической карте масштаба 1:200 000,
изданной в 1986 году.

Узкоколейная железная дорога на топографической карте масштаба 1:200 000,
изданной в 1986 году. Узкоколейная железная дорога на топографической карте масштаба 1:50 000, изданной в 198? году
Узкоколейная железная дорога являлась лесовозной, относилась к Клинецкому лесопункту Тихвинского леспромхоза. Ориентировочный период открытия первого участка узкоколейной железной дороги — 1950-е годы.
По информации от А. Корсакова, на узкоколейной железной дороге в 1970-х годах работали три мотовоза МД54-4, а также, по неподтверждённым данным, самоходный подъёмный кран Valmet. Предположительно, локомотивное депо (или его подобие) находилось в посёлке Медведок. Нижний склад находился в посёлке Тупик.
Узкоколейная железная дорога была разобрана приблизительно в 1985 году. Посёлки Тупик и Медведок были выселены раньше — в 1970-е годы.
По информации от А. Корсакова, в 2000 году в районе бывшего посёлка Тупик сохранялись кабины мотовозов МД54-4.
__________________________________________________________________________________________________
Подъездной путь широкой колеи Тихвин — завод «Трансмаш». Начальный пункт — станция Тихвин.

«Узкоколейная железная дорога» (в действительности — подъездной путь широкой колеи)
на топографической карте масштаба 1:50 000, изданной в 198? году. На некоторых топографических картах показана «узкоколейная железная дорога», ведущая от станции Тихвин в южном направлении, протяжённостью около 4 километров.
В действительности по данному направлению пролегает подъездной путь широкой колеи, связывающий станцию Тихвин с заводом «Трансмаш». Узкоколейной железной дороги, скорее всего, здесь никогда не было. Подъездной путь всегда был ширококолейным.
http://old.wikimapia.org/#lat=59.6157722&lon=33.4801483&z=14&l=1&m=s&v=9 — подъездной путь широкой колеи Тихвин — завод «Трансмаш» на спутниковых снимках
ТОСНЕНСКИЙ РАЙОН
Узкоколейная железная дорога Пельгорского торфопредприятия. Начальный пункт — посёлок Пельгорское, расположенный в окрестностях станции Рябово на железнодорожной линии Тосно — Чудово.
По состоянию на 2010 год, узкоколейная железная дорога действует.
__________________________________________________________________________________________________
Узкоколейная железная дорога торфопредприятия «Гладкое». Начальный пункт — посёлок Гладкое.
По состоянию на 2010 год, узкоколейная железная дорога действует.
__________________________________________________________________________________________________
Дубовицкая узкоколейная железная дорога. Начальный пункт — посёлок Радофинниково, расположенный у станции Радофинниково на железнодорожной линии Новолисино — Новгород.
Узкоколейная железная дорога полностью разобрана. Дата ликвидации — 1999 год.
__________________________________________________________________________________________________
Узкоколейная железная дорога Форносовского торфопредприятия. Начальный пункт — посёлок Форносово, расположенный вблизи узловой станции Новолисино.
Узкоколейная железная дорога полностью разобрана. Ориентировочная дата ликвидации — 1995 год.
__________________________________________________________________________________________________
Узкоколейная железная дорога Рябовского кирпичного завода. Местонахождение — посёлок Рябово, расположенный у станции на Рябово железнодорожной линии Тосно — Чудово.

Узкоколейная железная дорога на топографической карте
масштаба 1:200 000, изданной в 1942 году.

Узкоколейная железная дорога на топографической карте
масштаба 1:100 000, изданной в 1941 году.

Узкоколейная железная дорога на топографической карте
масштаба 1:25 000, изданной в 1942 году.

Район местонахождения узкоколейной железной дороги на топографической карте масштаба 1:50 000,
изданной в 198? году (узкоколейная железная дорога не обозначена). Рябовский кирпичный завод находился в посёлке Рябово. По неподтверждённым данным, история завода ведётся с 1840-х годов, когда началось строительство Петербурго-Московской железной дороги. Первоначально в карьерах добывалась глина для отсыпки насыпи Петербурго-Московской железной дороги, после её завершения она стала использоваться для производства кирпича.
Завод был связан подъездным путём широкой колеи со станцией Рябово (по неподтверждённым данным, первоначально был узкоколейным). Между заводскими цехами и глиняными карьерами действовала узкоколейная железная дорога, предназначенная для вывоза глины.
Скорее всего, на всех топографических картах, изданных в 1940-е годы, в виде узкоколейной железной дороги показан подъездной путь широкой колеи от станции Рябово до завода. Реальная трасса узкоколейной железной дороги (от завода до карьеров) не показана.
По информации от А. Корсакова, узкоколейная железная дорога была разобрана не позднее 1960-х годов, для вывоза глины стал использоваться автомобильный транспорт. Кирпичный завод был закрыт в 1980-х годах.
http://uzd.spb.ru/len30.htm — описание узкоколейной железной дороги на сайте А. Корсакова
__________________________________________________________________________________________________
Узкоколейная железная дорога Пендиковского торфопредприятия. Начальный пункт — посёлок Нурма, расположенный у станции Нурма на железнодорожной линии Тосно — Шапки.

Узкоколейная железная дорога на топографической карте масштаба 1:100 000,
изданной в 1984 году (нанесена условно). Узкоколейная железная дорога являлась торфовозной, принадлежала Пендиковскому торфопредприятию, находившемуся в посёлке Нурма. По информации от А. Корсакова, узкоколейная железная дорога была построена в конце 1940-х либо начале 1950-х годов. Локомотивное депо находилось в Нурме, место перегруза торфа на широкую колею — в 1 километре восточнее, на станции Торфяная (станция с таким же названием тогда была и на широкой колее).
Максимальная удалённость от Нурмы составляла 4 километра. Развёрнутая протяжённость узкоколейной железной дороги составляла около 7 километров. Тяговый подвижной состав, по информации от А. Корсакова, был представлен двумя паровозами.
По информации от А. Корсакова, узкоколейная железная дорога была ликвидирована вместе с торфопредприятием в конце 1960-х годов. На месте локомотивного депо в Нурме были построены построены пятиэтажные дома. По насыпи начального участка узкоколейной железной дороги частично был проложен подъездной путь широкой колеи к построенному после закрытия торфопредприятия Тосненскому комбикормовому заводу.
http://uzd.spb.ru/len22.htm — описание узкоколейной железной дороги на сайте А. Корсакова
__________________________________________________________________________________________________
Узкоколейная железная дорога в окрестностях станции Померанье. Начальный пункт — посёлок Померанье, расположенный на железнодорожной линии Тосно — Чудово.

Узкоколейная железная дорога на топографической карте масштаба 1:200 000, изданной в 1942 году
(обозначена на участке Померанье — Коколаврик, обозначена разобранной).

Узкоколейная железная дорога на топографической карте масштаба 1:25 000, изданной в 1942 году
для нужд германской армии (показана вблизи Черемной Горы и Коколаврика).

Узкоколейная железная дорога на топографической карте масштаба 1:25 000, изданной в 1942 году
для нужд германской армии (показана на восточном участке, вблизи Кусино).

Узкоколейная железная дорога на топографической карте масштаба 1:200 000, изданной в 1986 году
(в оригинале карты показана как действующая в районе Черемной Горы). Узкоколейная железная дорога на топографической карте масштаба 1:100 000, изданной в 1984 году
Узкоколейная железная дорога на топографической карте масштаба 1:50 000, изданной в 198? году (показан только участок к востоку от Черемной Горы, действовавший в послевоенное время)
История этой узкоолейной железной дороги началась не позднее 1920-х годов, когда был построен участок Померанье — Коколаврик. Его назначение не установлено (возможная версия — вывоз торфа, рядом с деревней Коколаврик велись торфоразработки). На топографических картах, изданных в начале 1940-х годов, участок Померанье — Коколаврик показан как разобранный.
По информации от А. Корсакова, весной 1942 года, когда данная территория была оккупирована нацистской Германией, для нужд германской армии была построена военно-полевая узкоколейная железная дорога Померанье — Коколаврик — Черемная Гора — Кусино — железная дорога Чудово — Волховстрой (окрестности станции Тигода). Железная дорога пролегала недалеко от линии фронта, использовалась для переброски военных грузов.
Ширина колеи узкоколейной железной дороги составляла 600 мм. На узкоколейной железной дороге работали мотовозы «Gmeinder» и «Deutz».
После освобождения территории в 1944 году узкоколейная железная дорога была частично восстановлена и стала использоваться для вывоза леса. Восстанавливался участок к востоку от деревни Черемная Гора, выхода на широкую колею он не имел. Лес вывозился к берегу реки Тигода в Черемной Горе и сплавлялся по реке в период весеннего паводка.
По информации от А. Корсакова, ширина колеи узкоколейной железной дороги до последних дней её работы оставалась прежней, «немецкой» — 600 мм. Продолжало использоваться немецкое верхнее строение пути — рельсы на металлических шпалах, что упрощало укладку лесных «усов».
Предположительно, мотовозы были вывезены немцами при отступлении, поэтому в первые годы после войны на узкоколейной железной дороге применялась конная тяга. Позднее на неё поступали советские локомотивы. По информации от А. Корсакова, были мотовозы МУ34 (не менее 5 единиц).
По сведениям А. Корсакова, узкоколейная железная дорога работала до начала 1990-х годов. В 1990-е годы она сохранялась, но не использовалась. В 1999 году узкоколейная железная дорога была разобрана.
__________________________________________________________________________________________________
Транспортный объект в окрестностях населённого пункта Васькины Нивы. Местонахождение — лесной массив, расположенный в окрестностях населённого пункта Васькины Нивы.

Транспортный объект на топографической карте масштаба 1:25 000,
изданной в 1942 году для нужд германской армии.

Транспортный объект на топографической карте масштаба 1:100 000, изданной в 1984 году
(нанесён условно, на основе данных карты масштаба 1:25 000). Транспортный объект, подписанный как «Holtzbahn», обозначен на топографической карте масштаба 1:25 000, изданной в 1942 году для нужд германской армии.
«Holtzbahn» означает «деревянная железная дорога», то есть рельсовый путь из деревянных направляющих. Такой объект не является железной дорогой.
Транспортный объект полностью разобран.
__________________________________________________________________________________________________
Транспортный объект в окрестностях посёлка Ульяновка. Местонахождение — лесной массив, расположенный в окрестностях посёлка Ульяновка (Саблино), расположенного у станции Саблино.

Транспортный объект на топографической карте масштаба 1:25 000,
изданной в 1942 году для нужд германской армии.

Транспортный объект на топографической карте масштаба 1:50 000, изданной в 197? году
(нанесён условно, на основе данных предыдущей карты). Транспортный объект, подписанный как «Holtzbahn», обозначен на топографической карте масштаба 1:25 000, изданной в 1942 году для нужд германской армии.
«Holtzbahn» означает «деревянная железная дорога», то есть рельсовый путь из деревянных направляющих. Такой объект не является железной дорогой.
Транспортный объект полностью разобран.
__________________________________________________________________________________________________
Узкоколейная железная дорога в Саблинских пещерах. Местонахождение — окрестности посёлка Ульяновка (Саблино), расположенного у станции Саблино.
В Саблинских пещерах велась добыча песка. Для вывоза песка была построена узкоколейная железная дорога (скорее всего, в действительности — рельсовый путь узкой колеи, на котором применялась ручная и (или) конная тяга). Ориентировочный период работы рельсового пути узкой колеи — 1910-1930-е годы.
Цитата из материала «ТАЙНЫ САБЛИНСКИХ ПЕЩЕР», автор — М. Быков (http://city.gatchina.ru/art/bykov/texts/publ/tainy_sablinskih_pecher.htm):
Пещеры — это исторический памятник природы, а потому там категорически запрещено курить и сорить, но зато можно полной грудью вдыхать их целебный воздух насыщенный радоном. Такой воздух способен излечить многие лёгочные заболевания. Общая протяжённость пещер составляет около 27 километров. Добываемый в них песок сначала вывозили на тележках, затем построили узкоколейку. В 30-е годы прошлого века работы по добыче песка были остановлены по причине неэффективности, а пещеры закрыты.
С 1920 года на территории этого памятника природы находится учебная база СПбГУ, где проходят летнюю практику будущие геологи, географы и биологи. А с 1976 года постановлением правительства Ленинградской области Саблинский природный комплекс определён в статусе заповедника.
Узкоколейная железная дорога (рельсовый путь узкой колеи) полностью разобрана. Ориентировочный период ликвидации — 1930-е годы.
__________________________________________________________________________________________________
Узкоколейные железные дороги в Никольском. Начальный пункт — город Никольское, связанный железнодорожной линией широкой колеи со станцией Пустынька на железнодорожной линии Мга — Стекольный — Новолисино — Гатчина.

Узкоколейная железная дорога на топографической карте масштаба 1:200 000, изданной в 1942 году. Узкоколейная железная дорога на топографической карте масштаба 1:100 000, изданной в 1941 году

Узкоколейная железная дорога на топографической карте масштаба 1:100 000, изданной
ориентировочно в 1970 году (основная часть), 1984 году (крайняя южная часть).
Нанесена условно, на основе данных других карт. Нынешний город Никольское (статус города с 1990 г.) с XIX века является центром кирпичного производства. Для вывоза глины и песка здесь были построены узкоколейные железные дороги.
В 1910-х годах была построена железнодорожная линия широкой колеи Поповка — посёлок Бадаев (район нынешнего города Никольское). По неподтверждённым данным, первоначально она была конно-рельсовой («конка»). Несколько ранее была построена линия «конки» Саблино — район устья реки Тосна.
Линия «конки» Саблино — район устья Тосны была разрушена в период революции 1917 года и Гражданской войны, не восстанавливалась. Линия Поповка — Бадаев (Никольское) действовала до Великой Отечественной войны (как минимум с 1920-х годов она была полноценной железной дорогой). После Великой Отечественной войны её было решено не восстанавливать, вместо этого была построена железная дорога широкой колеи Пустынька — Никольское.
От нынешнего города Никольское в нескольких направлениях (на северо-запад, на северо-восток, на восток) пролегали узкоколейные железные дороги, предназначенные для доставки топливного торфа на заводы, для вывоза песка из карьеров. Не выяснено, составляли ли они единую сеть.
По информации от А. Корсакова, узкоколейная железная дорога, пролегавшая на северо-запад от Никольского (торфоразработки к северу от бывшего посёлка Песчанка) предназначалась для доставки топливного торфа на стекольный завод. Узкоколейная железная дорога, пролегавшая на северо-восток от Никольского (к деревне Захожье) предназначалась для вывоза кварцевого песка из карьера, который находился у деревни Захожье.
Узкоколейная железная дорога, пролегавшая на восток от Никольского, предназначалась для вывоза торфа из Ульяновского торфомассива. На ней были «номерные» посёлки торфодобытчиков: Ульяновский-1 и Ульяновский-2. Помимо того, узкоколейная железная дорога использовалась для вывоза бутового камня из каменоломен.
Отдельные участки узкоколейных железных дорог использовались для вывоза глины из карьеров.
По информации от А. Корсакова, последний участок узкоколейной железной дороги вблизи Никольского был разобран в 1960-х годах. Добыча торфа на обоих торфомассивах была прекращена. Торфяная техника частично была передана на новое торфопредприятие «Гладкое».
10.03.2011 © [ДАННЫЕ УДАЛЕНЫ]
назад
на главную страницу