ID: 7272
УЗКОКОЛЕЙНЫЕ ЖЕЛЕЗНЫЕ ДОРОГИ ПРИМОРСКОГО КРАЯ
1177
Приморский край — субъект Российской Федерации. Центр — г. Владивосток. Площадь — 165 900 км², численность населения 2 035 тыс. чел. (2005).
По состоянию на 2008 год, в Приморском крае находились две действующие узкоколейные железные дороги, не относящиеся к категории шахтных — в Дальнегорске и в Рудной Пристани. Обе дороги представляли собой короткие уцелевшие фрагменты единой Тетюхинской узкоколейной железной дороги, существовавшей до весны 2006 года.
В регионе имелись также действующие шахтные узкоколейные железные дороги. Число действующих шахтных узкоколейных железных дорог не установлено.
ГОРОД АРТЁМ
Узкоколейная железная дорога на шахте «Дальневосточная». Местонахождение — шахта «Дальневосточная», расположенная в черте города Артёма.
Шахта «Дальневосточная» находилась в черте города Артёма. Шахта была построена в 1920-е годы.
Цитата из материала «История города» (http://personal.primorye.ru/dvc/gorod_hist.htm):
Население рудника заметно растёт. В 1922 году было 3 тысячи человек, в 1926 более 4-х тысяч, в 1928 — 6 тысяч. В бараках, на улицах, стройках, в шахтовых бытовых помещениях слышался разноязычный говор. Руки, привыкшие к земле, всё твёрже держали обушок. Крестьяне становились горняками. Да ещё какими!
Одной из самых крупнейших строек на руднике была шахта З-ц («Дальневосточная»). На её строительстве было занято более двух тысяч рабочих. Рядом трудились русские, татары, чуваши, белорусы, украинцы, грузины, узбеки — рабочие 10 национальностей, это был поистине дружный и сплочённый коллектив.
На шахте «Дальневосточная» действовала узкоколейная железная дорога, имевшая наземный участок большой (по меркам шахтных узкоколейных железных дорог) протяжённости. По информации от «А.П.», в 1996 году узкоколейная железная дорога ещё действовала. Электрифицированная однопутная линия пересекала улицу Интернациональную города Артёма. Шахта находилась на нечётной стороне улицы, террикон (отвал пустой породы) — на чётной стороне. От шахтного ствола до террикона порода доставлялась по узкоколейной железной дороге. Использовались шахтные электровозы и вагонетки.
25 сентября 1997 года шахта «Дальневосточная» была официально закрыта. Вскоре она была затоплена. Наземное оборудование, включая узкоколейную железную дорогу, было разграблено. Под землёй осталось более 5 километров путей и различное оборудование, которое уже не удастся поднять на поверхность.
1 апреля 2000 года была закрыта последняя угольная шахта в районе города Артёма — «Амурская».
ГОРОД ВЛАДИВОСТОК
Городская узкоколейная железная дорога (трамвай). Местонахождение — город Владивосток.
Узкоколейная железная дорога полностью разобрана. Дата ликвидации — 1934 год.
__________________________________________________________________________________________________
«Прогулочная» узкоколейная железная дорога во Владивостоке. Местонахождение — город Владивосток, парк в районе Минный Городок.

Район местонахождения узкоколейной железной дороги на спутниковом снимке
(источник — «Google Maps», ориентировочная дата съёмки — 2007 год). Узкоколейная железная дорога находилась в Парке культуры и отдыха, расположенном в районе Минный Городок. Парк был открыт к 125-летию Владивостока — в 1985 году. В числе аттракционов парка была кольцевая узкоколейная железная дорога с «самодельным» подвижным составом. Имелся как минимум один стрелочный перевод и короткий тупиковый путь, предназначенный для отстоя подвижного состава.
Узкоколейная железная дорога была разобрана в 1990-х годах.
__________________________________________________________________________________________________
Узкоколейная железная дорога вблизи станции Вторая Речка. Начальный пункт — станция Вторая Речка, расположенная на железнодорожной линии Угольная — Владивосток.

Район местонахождения узкоколейной железной дороги на топографической карте масштаба 1:100 000
(узкоколейная железная дорога не обозначена, однако обозначен подъездной путь широкой колеи,
пролегающий по направлению узкоколейной железной дороги). Узкоколейная железная дорога в окрестностях станции Вторая Речка была построена в 1906 (?) году. Основным назначением узкоколейной железной дороги являлся подвоз строительных материалов к строящимся фортам Владивостокской крепости. Тяговый подвижной состав был представлен паровозами.
Цитата из материала «Как строилась владивостокская крепость», автор — И. Егорчев (http://www.konkurent.ru/print.php?id=2325):
Скальный грунт, крутые склоны сопок, где велось строительство, и отсутствие хороших дорог для подвоза материалов сильно затрудняли работы; огромные объёмы укладываемого бетона не позволяли применять для приготовления раствора бетономешалки от ручного привода. В конце концов были закуплены различные машины и механизмы.
От станции Вторая Речка была проложена специальная узкоколейная железная дорога на паровой тяге по долине Второй Речки. От её станций Средняя и Снеговая провели сеть канатных подвесных дорог на каждый форт Северного отдела. Своими силами был построен теплоход, приобретены плавсредства — баржи, шаланды, буксиры.
По одним данным, узкоколейная железная дорога была разобрана сразу же после завершения строительства фортов, по другим данным — продолжала работать, выполняя какие-либо иные перевозки. Позднее по направлению узкоколейной железной дороги был построен подъездной путь широкой колеи.
__________________________________________________________________________________________________
Узкоколейная железная дорога (?) на Ворошиловской артиллерийской батарее. Возможный начальный пункт — Ворошиловская артиллерийская батарея, расположенная на острове Русский, вблизи берега бухты Новик.
Ворошиловская артиллерийская батарея (названа в честь народного комиссара обороны СССР К. В. Ворошилова) была построена в 1932-34 годах. При строительстве использовалась узкоколейная железная дорога (по другим данным — изолированная железнодорожная линия широкой колеи).
Цитата из материала «Ворошиловская батарея» (http://www.x-team.ru/places/6384.html):
Батарея располагается в южной части острова Русский, в 400 метрах от юго-западного берега кутовой части бухты Новик. Батарея состоит из двух башен с тремя орудиями каждая.
При строительстве батареи и для подвоза снарядов использовали узкоколейную железную дорогу, построенную вдоль берега бухты Новик от построенного специально для этой цели причала к началу подъёма к батарее. К настоящему времени от причала и железной дороги мало, что сохранилось, за исключением большого полуразрушенного здания депо и остатков насыпи.
Цитата из материала «Первый мост на остров Русский», опубликованного 9 февраля 2007 года в газете «Владивосток», авторы — Н. Мизь, О. Стратиевский (http://vladnews.ru/2094/Megapolis/Pervyj_most_na_ostrov_Russkij):
Полноценная железная дорога с широкой колеёй появилась на острове в 1932 году, когда сооружалась Ворошиловская батарея. У мыса Полонского соорудили станцию, депо, а вдоль юго-восточного берега бухты Новик отсыпали насыпь, уложили шпалы с рельсами вплоть до подножия сопки высотой 116,7.
Серийный паровоз, снятый с Забайкальской железной дороги, доставлял сюда металлоконструкции, машины и механизмы, стволы и броню башен.
Достоверность информации о том, что железная дорога на острове Русский имела широкую колею представляется спорной.
Узкоколейная железная дорога (?) полностью разобрана.
__________________________________________________________________________________________________
«Дековильные» узкоколейные железные дороги (рельсовые пути узкой колеи) на острове Русский. Начальные пункты неизвестны.

Район местонахождения узкоколейных железных дорог на топографической карте
масштаба 1:200 000 (узкоколейные железные дороги не обозначена). Остров Русский расположен вблизи города Владивостока, имеет важное значение для защиты города от нападения со стороны моря. С конца XIX века остров стал местом дислокации воинских частей, здесь строились различные фортификационные сооружения. При строительстве использовались лёгкие рельсовые пути узкой колеи («дековильки»).
Цитата из материала «Первый мост на остров Русский», опубликованного 9 февраля 2007 года в газете «Владивосток», авторы — Н. Мизь, О. Стратиевский (http://vladnews.ru/2094/Megapolis/Pervyj_most_na_ostrov_Russkij):
С момента присоединения Уссурийского края к России остров Русский — неотъемлемая часть Владивостока. При этом долгое время остров напоминал ценность, приобретенную впрок. Планомерное его освоение до 90-х гг. ХIХ века, равно как и активная застройка, были невозможны из-за банального недостатка сил и средств.
...
Это может показаться странным, но небольшой остров, не связанный непосредственно с материком, имел железную дорогу. Первый её участок появился здесь на рубеже ХIХ-ХХ веков. Его прокладка связана со строительством, а затем — и эксплуатацией артиллерийских батарей на Ларионовском полуострове. Для этих целей служили сборно-разборные, лёгкие в монтаже «декавильки» — узкоколейные железные дороги для лёгких платформ. На них в качестве тяговой с одинаковым успехом использовалась как конная, так и людская сила — доставлялись снаряды к орудиям батареи.
Позже появились участки узкоколеек в районе бухт Рында и Мелководная. А в советское время проложили участки узкоколейки, чтобы подвозить уголь на электростанцию близ мыса Проходного, а также песок на Ворошиловскую батарею.
http://i.vladnews.ru/f/400.af845dee804a6bb37c89b702849ced91.jpg — «Остров Русский, 1901 год». Фото из личного архива Олега Стратиевского.
Сведениями о количестве и протяжённости рельсовых путей автор не располагает. Возможно, в 1920-30-х годах некоторые рельсовые пути узкой колеи были переведены на паровую тягу и стали полноценными узкоколейными железными дорогами.
Скорее всего, все рельсовые пути узкой колеи (узкоколейные железные дороги) полностью разобраны.
__________________________________________________________________________________________________
Рельсовый путь узкой колеи на острове Елены. Начальный пункт — бывшая Ларионовская артиллерийская батарея, расположенная на острове Елены.

Район местонахождения рельсового пути узкой колеи на топографической
карте масштаба 1:100 000 (рельсовый путь узкой колеи не обозначен). Остров Елены расположен вблизи острова Русский. В конце XIX — начале XX века на острове были построены оборонительные сооружения. Их частью являлся рельсовый путь узкой колеи (узкоколейная железная дорога, предназначенная для перемещения вагонеток конной либо ручной тягой).
Цитата из материала «Остров Елены» (http://www.vtc.ru/~vladdig/elena.htm):
На острове Елены располагаются подземные сооружения времён царской России. Это коммуникации батареи «Ларионовская на пике», два полукапонира для выкатной артиллерии, расположенные в прибрежных скалах, пороховые погреба и подземный резервуар для воды в лесной зоне острова. Между ними когда-то была проложена узкоколейная железная дорога.
Шефство над расположенными на острове историческими сооружениями Владивостокской крепости взяли организаторы общественного экологического поста на острове Елены — Лаборатория экологического образования «Зелёного креста» (г. Владивосток).
Рельсовый путь узкой колеи полностью разобран.
__________________________________________________________________________________________________
Узкоколейная железная дорога на стройплощадке водоводного тоннеля №3 Владивостокской ТЭЦ-2. Местонахождение — город Владивосток.
По информации от «А. П.», существовала шахтная узкоколейная железная дорога в строящемся водоводном тоннеле Владивостокской ТЭЦ-2.
Особенностью охлаждения энергоагрегатов ВТЭЦ-2 является использование морской воды Уссурийского залива, забор воды осуществляется насосной станцией на побережье бухты Тихой (Соболь). Далее вода подаётся по водоводу, проложенному по тоннелю под микрорайоном бухты Тихой непосредственно на ТЭЦ, которая находится в долине реки Объяснения. Из энергоагрегатов ТЭЦ-2 нагретая вода сбрасывается в реку Объяснения, впадающую в бухту Золотой Рог.
Возможно, узкоколейная железная дорога существовала при строительстве первых двух тоннелей в конце 1960-х годов, строившихся в комплексе с остальными сооружениями ВТЭЦ-2. 22 апреля 1970 года Владивостокская ТЭЦ-2 была пущена в эксплуатацию.
В 1980-х годах производилось расширение мощностей ВТЭЦ-2, в 1989 году была построена третья труба, практически одновременно с этим начал строиться тоннель для подачи воды к новым энергоагрегатам. Энергокризис 1990-х годов в Приморье затормозил ввод в эксплуатацию новой очереди ВТЭЦ-2 до начала 2000-х годов.
Цитата из материала «Инвестиционные проекты Примгенерации», опубликованного на официальном сайте ОАО «Дальневосточная генерирующая компания» 13 апреля 2007 года, автор — Пресс-служба филиала ОАО «ДГК» Приморская генерация (http://www.dvgk.ru/show.cgi?/dzo/PrimGen/arxiv2007/2007_04_13_1.html):
Также на Владивостокской ТЭЦ-2 будет реализован проект «Циркводоводы тоннеля №3 техводоснабжения Владивостокской ТЭЦ-2», что позволит ввести в эксплуатацию тоннель №3 ВТЭЦ-2.
Для завершения в 2008 году строительства напорного железобетонного тоннеля № 3 диаметром 2000 мм, протяженностью 852 п.м. бухта Тихая — ВТЭЦ-2 для подачи морской воды на ВТЭЦ-2 и пуска тоннеля в эксплуатацию необходимо выполнить проектно-изыскательские и строительно-монтажные работы по прокладке трубопроводов — циркводоводов: «Раскладка циркводоводов ВТЭЦ-2: тоннель № 3 — Главный корпус, тоннель № 3 — Береговая насосная станция».
Входной портал тоннеля №3 соединят циркводоводами протяженностью 360 п.м. с береговой насосной станцией №1, а выходной портал тоннеля №3 должен соединиться с главным корпусом — трубопроводами протяженностью 40 п.м. с устройством камеры переключения для установки запорной арматуры. Как следствие, будет повышена надёжность работы системы технического водоснабжения Владивостокской ТЭЦ-2.
Состояние узкоколейной железной дороги на 2009 год не выяснено. В любом случае, узкоколейная железная дорога будет разобрана после завершения строительства тоннеля.
__________________________________________________________________________________________________
Узкоколейная железная дорога в тоннеле имени Сталина. Местонахождение — тоннель имени Сталина, расположенный на железнодорожной линии Морской Городок — Мыс Чуркин.
Тоннель имени Сталина имеет протяжённость 1382 метра. Строительство тоннеля велось в 1914-1916 годах, возобновилось в 1933 году. В 1935 году тоннель был сдан в эксплуатацию.
http://www.oldvladivostok.ru/articles/?a=205&s=123&p=1 — материал, посвящённый истории тоннеля
При строительстве тоннеля использовалась временная узкоколейная железная дорога. По информации от «А. П.», узкоколейная железная дорога имеется также в техническом тоннеле, пролегающем параллельно основному тоннелю. Технический тоннель предназначен для выполнения работ по обслуживанию основного тоннеля и (по неподтверждённым данным) для отвода воды.
Цитата из материала от «А. П.»:
Узкоколейная железная дорога существовала параллельно тоннелю им. Сталина (Луговскому) Дальневосточной железной дороги. Проходила в техническом тоннеле, берущем начало со стороны ст. Луговая параллельно основному (со стороны Луговой — справа).
Вход в тоннель закрывался железными воротами. Узкоколейная железная дорога выходила наружу на 100-150 метров. Выхода тоннеля со стороны о.п. 3-я Рабочая не было. В 1996-98 годах подвижной состав ещё был виден из окон проходящих электропоездов. На 2009 год — состояние неизвестно.
ДАЛЬНЕГОРСКИЙ ГОРОДСКОЙ ОКРУГ (бывший Дальнегорский район)
Тетюхинская узкоколейная железная дорога. Начальный пункт — город Дальнегорск.
По состоянию на 2008 год, узкоколейная железная дорога действует. Сохранился лишь небольшой участок, пролегающий в черте города Дальнегорска: от штольни имени Артёма рудника Верхний через станцию Рудник и центральную обогатительную фабрику до штольни Бункерная рудника 2-й Советский. Протяжённость, без учёта подземных участков — менее 5 километров.
__________________________________________________________________________________________________
Узкоколейная железная дорога на территории порта в посёлке Рудная Пристань. Местонахождение — посёлок Рудная Пристань.
По состоянию на 2008 год, узкоколейная железная дорога действует. Сохранился лишь небольшой участок, пролегающий на территории порта. Он предназначен для перевозки рудного концентрата, доставленного автомобилями из Дальнегорска, непосредственно к месту погрузки на суда. Протяжённость — менее 1 километра.
До весны 2006 года данный участок являлся частью единой Тетюхинской узкоколейной железной дороги.
КАВАЛЕРОВСКИЙ РАЙОН
Детская железная дорога в посёлке Кавалерово. Начальный пункт — посёлок Кавалерово.

Район местонахождения узкоколейной железной дороги на топографической карте
масштаба 1:100 000 (узкоколейная железная дорога не обозначена). По информации от И. Ровковского, в начале 1960-х годов в посёлке Кавалерово была построена детская железная дорога. Строительстве велось по инициативе Хрустальненского горно-обогатительного комбината (главного предприятия Кавалеровского района), при этом были использованы материалы верхнего строения пути и подвижной состав одной из шахтных узкоколейных железных дорог, находившихся в ведении Хрустальненского ГОКа.
Местом размещения детской железной дороги был выбран парк в посёлке Кавалерово (в 1950-е годы и ранее на его месте находилась исправительно-трудовая колония). Узкоколейная железная дорога была кольцевой, протяжённостью около 1 километра. Ширина колеи не установлена. Тяговый подвижной состав, скорее всего, был представлен аккумуляторным электровозом.
Предпринимались попытки использовать узкоколейную железную дорогу для обучения школьников железнодорожным профессиям, однако, по всей вероятности, они не имели успеха. Дорога проработала лишь несколько лет. В 1968 году она была разобрана.
__________________________________________________________________________________________________
Узкоколейные железные дороги на шахтах Хрустальненского горно-обогатительного комбината. Начальные пункты — шахты, расположенные в разных частях Кавалеровского района.
Хрустальненский горно-обогатительный комбинат производил добычу и обогащение руд цветных металлов. В ведении предприятия находилось значительное число шахт (подземных рудников), расположенных в посёлках Хрустальный, Высокогорск и других. На большинстве шахт действовали узкоколейные железные дороги, имевшие наземные участки незначительной протяжённости.
Цитата из материала «Кавалеровская аномалия», опубликованного в газете «Ежедневные новости. Владивосток», автор — М. Костевич (http://novostivl.ru/old.php?sstring=&year=&f=ec&t=060411ec01):
Открытие приморского олова связывается с выявлением в 1939 году богатых россыпных ореолов касситерита (оловянного камня) в центральной части Кавалеровского района — в верховьях рек Зеркальная и Павловка. В 1940 году было открыто первое месторождение — «Дубровское», в 1941-м — «Хрустальное». Затем открытия следовали одно за другим: 1945-й — «Высокогорское»; 1946-й — «Левицкое», «Перевальное», «Рубежное»; 1947-й — «Кимовское»; 1949-й — «Темногорское»; 1952-й — «Кедровое»; 1956-й — «Силинское», «Верхнее»; 1958-й — «Арсеньевское»; 1960-й — «Новогорское»; 1961-й — «Ивановское»; 1989-й — «Искра».
На этой базе работал крупнейший в то время в стране Хрустальненский горно-обогатительный комбинат. Кавалеровский горный комплекс включал пять действующих рудников, отрабатывавших семь месторождений, две обогатительные фабрики, геологоразведочную экспедицию, три старательские артели. Комбинат производил около 40% олова России, давая работу более чем 10 тысячам человек.
...
Сейчас ситуация коренным образом изменилась. Сегодня производство остановлено. Последний рудник на месторождении оловосодержащих руд «Искра» прекратил свое существование в 2001 году.
По состоянию на 2006 год, действующих рудников в Кавалеровском районе не было. Скорее всего, все узкоколейные железные дороги находятся в нерабочем состоянии либо разобраны.
КРАСНОАРМЕЙСКИЙ РАЙОН (центр района — село Новопокровка)
Лесовозная узкоколейная железная дорога в населённом пункте Рощино. Начальный пункт — населённый пункт Рощино, расположенный на левом берегу реки Большая Уссурка.

Узкоколейная железная дорога на топографической карте масштаба 1:500 000, изданной в 1988 году
(основная часть), 1985 году (восточная часть). Узкоколейная железная дорога нанесена условно,
на основе материалов карты масштаба 1:200 000. Узкоколейная железная дорога на топографической карте масштаба 1:200 000, изданной в 1985 году (обозначена разобранной, обозначена не полностью)
Эта узкоколейная железная дорога являлась лесовозной, скорее всего, являлась «сплавной». Начальный пункт узкоколейной железной дороги находился вблизи населённого пункта Рощино. Имелись лесные посёлки (Герасимов Ключ, Наумов Ключ и другие). Протяжённость линий узкоколейной железной дороги составляла не менее 40 километров.
Информацией, касающейся истории узкоколейной железной дороги, автор не располагает.
Узкоколейная железная дорога полностью разобрана. Ориентировочный период ликвидации — 1970-е годы.
ЛЕСОЗАВОДСКИЙ ГОРОДСКОЙ ОКРУГ (бывший Лесозаводский район)
Детская железная дорога в городе Лесозаводске. Возможный начальный пункт — город Лесозаводск, расположенный вблизи станции Ружино на железнодорожной линии Волочаевка — Уссурийск.

Район возможного местонахождения узкоколейной железной дороги
на топографической карте масштаба 1:100 000. В 2003-2004 годах в средствах массовой информации активно обсуждались планы строительства детской железной дороги вблизи города Лесозаводска. В городе находится станция Ружино — одна из крупнейших в регионе, действуют предприятия железнодорожного транспорта.
Автором идеи создания детской железной дороги был начальник Ружинской дистанции гражданских сооружений Дальневосточной железной дороги, заслуженный строитель России С. Трегуб. Согласно его замыслу, для строительства детской железной дороги следовало бы использовать детали верхнего строения пути и подвижной состав Сахалинской узкоколейной железной дороги, которую в 2003 году было решено заменить железной дорогой широкой колеи. В случае реализации этого замысла детская железная дорога в Ружино имела бы ширину колеи 1067 мм.
Цитата из материала информационного агентства «Дейта.RU», опубликованного 29 августа 2003 года (http://deita.ru/?news_print,9100):
В крае может появиться детская железная дорога
Еще одна, 22-я по счёту, детская железнодорожная магистраль может появиться в составе Российских железных дорог. Как сообщили агентству «Дейта.RU» в пресс-службе Дальневосточной железной дороги, проект её строительства разработан на станции Ружино Владивостокского отделения ДВЖД на севере Приморского края.
По мнению начальника Ружинской дистанции гражданских сооружений ДВЖД Сергея Трегуба, детская колея может быть создана из старых рельс, которые останутся после реконструкции железной дороги на Сахалине. Напомним, что сахалинская магистраль переводится с узкой, японской постройки, колеи на широкую — российскую. По проекту строительства детской дороги в Приморье, для её создания будет использован так же и подвижной состав СахЖД.
Если проект будет претворён в жизнь, это будет вторая на Дальнем Востоке малая дорога. Первая, отметившая в этом году 45-летний юбилей, работает в Хабаровске.
Цитата из сообщения пресс-центра Дальневосточной железной дороги, опубликованного 12 ноября 2003 года (http://www.ccr.ru/print.php?id=2878):
Разработан проект строительства детской железной дороги на станции Ружино Владивостокского отделения Дальневосточной железной дороги (Приморский край).
Начальник Ружинской дистанции гражданских сооружений ДВЖД, заслуженный строитель России Сергей Трегуб предложил построить детскую магистраль, используя конструкции пути и подвижной состав Сахалинской железной дороги, на которой будет вестись реконструкция с перешивкой узкой колеи на широкую. По его мнению, отправлять рельсы и технику в металлолом нецелесообразно.
Уже разработан проект детской железной дороги. Узкую стальную колею длиной 8,5 километра решено проложить от станции Ружино до детского спортивно-оздоровительного лагеря. Это будет уже вторая на востоке (22-я в стране) малая дорога. Первая, отметившая в этом году 45-летний юбилей, работает в Хабаровске, сообщил пресс-центр ДВЖД.
В июле 2004 года газета «Ежедневные новости. Владивосток» сообщила о том, что детская железная дорога вблизи Лесозаводска активно строится, и будет открыта уже через два месяца — в сентябре.
Цитата из материала «Железная дорога — только для детей!», опубликованного «Ежедневные новости. Владивосток» 8 июля 2004 года, автор — С. Малахова (http://novostivl.ru/old.php?sstring=&year=&f=lf&t=040709c11):
Детская железная дорога строится на станции Ружино в Приморье. Пять настоящих вагонов по настоящим рельсам прокатят ребятню в сентябре. А пока строительство в самом разгаре.
Планируется, что протяжённость детской железной дороги составит 2,5 километра. Правда, пока неизвестно, по какому маршруту будут курсировать весёлые детские вагончики. Зато уже строятся искусственные сооружения — тоннель, мосты, галерея. А первыми пассажирами станут мальчишки и девчонки из соседних деревень.
Как сообщили «Н» в пресс-службе ДВЖД, дорога пролегла рядом с пионерскими лагерями, правда, готовность её совпадёт с началом учебного года. Но лето — самый благоприятный сезон для строительства. Дел ещё хватает: надо оборудовать депо для вагонов и обучить машинистов. Поэтому детская железная дорога начнет работать по полной схеме только с приходом весенних каникул.
Цитата из материала информационного агентства «Восток Медиа», опубликованного 8 июля 2004 года (http://www.ptr-vlad.ru/ru/news/20040708/society/article7128/):
В Приморье строится детская железная дорога
Детская железная дорога строится в Приморском крае, на станции Ружино. Планируется, что уже в сентябре она будет введена в строй. Как сообщил пресс-секретарь Владивостокского отделения ДВЖД Александр Артамонов, протяжённость детской железной дороги составит 2,5 км. Сейчас строятся искусственные сооружения — тоннель, мосты, галерея. Обслуживать детскую железную дорогу будет поезд, состоящий из 5 вагонов и тепловоза.
Детская железная дорога на станции Ружино станет второй в ДВЖД. Первая детская железная дорога в дальневосточном регионе была открыта в Хабаровске. Все должности на этой дороге — от машиниста до диспетчера — занимают школьники; весь год они занимаются в секциях детской дороги, сдают экзамены, и, получив допуск к самостоятельной работе, летом перевозят пассажиров. За более, чем 40 лет работы через малую магистраль прошло более 35 тысяч учеников. Многие из них стали машинистами, диспетчерами, командирами производства на ДВЖД.
Возможно, проект детской железной дороги действительно был создан. По другим данным, планы строительства детской железной дороги находились на уровне ничем не подкреплённых намерений. Фактическое строительство, скорее всего, не начиналось.
После 2004 года тема создания детской железной детской железной дороги в Лесозаводске исчезла из материалов средств массовой информации.
Будет ли детская железная дорога когда-либо построена — неизвестно.
ОКТЯБРЬСКИЙ РАЙОН (центр района — село Покровка)
Узкоколейная железная дорога Голенки — Чернятино. Начальный пункт — станция Голенки, расположенная на железнодорожной линии Уссурийск — Пограничная (Суйфыньхэ).

Узкоколейная железная дорога (?) в атласе «Схемы железных дорог
и водных путей сообщения СССР», изданном в 1943 году.

Узкоколейная железная дорога на карте масштаба 1:250 000, изданной в США в 1950-х годах.

Узкоколейная железная дорога на топографической карте масштаба 1:500 000 (нанесена условно).

Узкоколейная железная дорога на топографической карте масштаба 1:100 000 (обозначена
разобранной, обозначен только небольшой участок вблизи станции Голенки). По состоянию на 2008 год, эта узкоколейная железная дорога относилась к числу «загадочных». Её история практически не изучена.
Ориентировочная дата строительства узкоколейной железной дороги — 1913-14 годы. Предполагалось, что узкоколейная железная дорога будет использоваться для вывоза угля, добывавшегося на шахте в населённом пункте Константиновский (Константиновка). Населённый пункт Константиновка расположен на правом берегу реки Суйфунь (позднее переименованной в Раздольную), недалеко от российско-китайской границы.
Начальным пунктом узкоколейной железной дороги была станция Голенки (Голёнки?) на железнодорожной линии Никольск (Уссурийск) — Харбин (Китайско-Восточной железной дороге), которая в то время была единственной железной дорогой, связывавшей Приморскую область с остальной частью России.
К началу Первой мировой войны был построен участок Голенки — Чернятино. Вскоре после вступления России в войну строительство прекратилось.
Цитата из материала «Взаимоотношения уссурийских казаков с приграничным населением сопредельных территорий», авторы — В.Д. Иванов и О.И. Сергеев (http://www.fegi.ru/primorye/kazaki/kazak9.htm):
Ещё одна форма сотрудничества, частично уже освещённая, имела место в казачьих хозяйствах. Это наём китайских и корейских сельскохозяйственных работников, который практиковался и на казачьих предприятиях.
В частности, на Константиновской угольной шахте (между станицей Полтавской и посёлком Константиновским), расположенной на территории войсковых земель, работали китайцы. Перед Первой мировой войной начали прокладывать узкоколейку к шахте от железнодорожной станции Галенки, но успели довести до села Чернятино, с началом войны работы были прекращены и планом войскового правления по разработке угольных залежей не суждено было сбыться.
Дальнейшая судьба узкоколейной железной дороги неизвестна. Не исключено, что через некоторое время она была заменена железнодорожной линией широкой колеи. В «Атласе схем железных дорог и водных путей сообщения СССР», изданном в 1943 году Центральным управлением военных сообщений РККА, обозначена железнодорожная линия широкой колеи Голенки — Синиловка (промежуточные раздельные пункты: Крестьянка, Струговка, Покровский).
На основании «Атласа схем железных дорог и водных путей сообщения СССР» нельзя утверждать, что железная дорога от станции Голенки до станции Синиловка в 1943 году была ширококолейной: данный атлас изобилует ошибками, узкоколейные железные дороги очень часто обозначались в нём как железнодорожные линии широкой колеи.
В 1950-х годах в США была издана «военная» карта масштаба 1:250 000, на которой обозначена узкоколейная железная дорога Голенки — Чернятино с тремя ответвлениями. Хорошо известно, что «американским» картам из данной серии доверять не следует — они изобилуют грубейшими ошибками. Но нельзя исключать и того, что узкоколейная железная дорога Голенки — Чернятино была обозначена правильно.
Не позднее 1980-х годов узкоколейная железная дорога (либо железнодорожная линия широкой колеи) была полностью разобрана.
ПАРТИЗАНСКИЙ РАЙОН
Сучанская (?) узкоколейная железная дорога. Начальный пункт — город Партизанск (до 1972 года Сучан).
Район местонахождения узкоколейной железной дороги на топографической карте масштаба 1:500 000 (узкоколейная железная дорога не обозначена)
Железнодорожная линия широкой колеи Угольная — Кангауз — Сучан, построенная по направлению узкоколейной железной дороги, в «Атласе схем железных дорог и водных путей сообщения СССР», изданном в 1943 году
Расписание движения поездов на ширококолейном участке Угольная — Кангауз с мая 1917 года (из «Официального указателя железнодорожных и других пассажирских сообщений»)
Эта узкоколейная железная дорога предназначалась главным образом для вывоза угля, добытого на шахтах вблизи города Сучана (в 1934-37 годах назывался Гамарник, с 1972 года — Партизанск).
По утверждению исследователя железных дорог из Финляндии Юкки Нурминена (Jukka Nurminen), узкоколейная железная дорога была построена в 1900-х годах, пролегала по направлению станция Угольная (вблизи города Владивостока, на магистральной железнодорожной линии Владивосток — Никольск (Уссурийск)) — станция Кангауз (ныне Анисимовка) — Сучан. Ширина колеи первоначально составляла 600 мм. Работали импортные паровозы производства компаний «Краус-Маффей» («Krauss-Maffei») и «Оренштейн и Коппель» («Orenstein&Koppel»), отечественные паровозы производства Коломенского завода.
Участок Угольная — Кангауз был узкоколейным недолго. В 1911 году по этому направлению была открыта железнодорожная линия широкой колеи. Участок Кангауз — Сучан, по неподтверждённым данным, приблизительно тогда же был реконструирован на колею 750 мм.
По другой версии, участок Угольная — Кангауз всегда был ширококолейным. Этого мнения придерживается исследователь истории узкоколейной железной дороги из г. Партизанска Андрей Антонов.
Цитата из материала «Лопочет речушка Кангауз... На днях селу Анисимовка исполнилось 100 лет», опубликованного в газете «Владивосток», автор — Е. Бодосова, использованы материалы А. Антонова (http://old.vladnews.ru/magazin.php?id=13&idnews=7295¤t_magazin=1092):
Кангауз — звучно называлось раньше это место, что в переводе с китайского означает «Тёплая долина». Переселенцы, обосновавшиеся здесь в начале прошлого века, как говорится, с головой дружили, выбрав для житья это место: плодородные земли, щедрые леса, мягкий континентальный климат. Их стараниями деревня быстро разрослась, объединив в себя три основные ветки — Широкую падь, Лукьяновку и Сихандон. Историю ей судьба уготовила непростую, что было связано со строительством железной дороги.
Собственно говоря, их было две. Одноколейку построили еще в 1903-1907 гг. с выходом на село Новонежино и далее — до Угольной. По ней доставлялся уголь через перевал с Сучанских копей. Тянулась она до вершины крутизны, с другой стороны навстречу ей шла «угольная» узкоколейка. Мощности паровозиков, которых тогда в шутку называли «овечками», не хватало, чтобы забраться по почти отвесному откосу. Они останавливались у подножия горы. Дальше вагоны тянул канатный подъёмник с лебёдкой, работавший на пару.
На вершине перевала уголь пересыпался из вагонеток в широкие приёмники и спускался вниз. То были годы экономического пика большого кангаузского узла. Только на самой перевалочной базе работало более 500 человек. А кроме нее были паровозное депо, станция. В селе две школы с мастерскими — столярной и слесарной, купеческие и китайские лавки, больница, аптека, клуб. Население делилось на оседлых и пришлых и составляло не одну тысячу человек.
Фрагменты некогда большой перевалочной базы, станции и депо сохранились по сей день.
...
В начале 1930-х годов кангаузский канатный подъёмник стал сдерживать нараставший сучанский углеток. Сталинское правительство установило срок — три года — на строительство новой железнодорожной магистрали сквозь Сихотэ-Алинский хребет — решение, погубившее не одну сотню человеческих жизней. Контроль за строительством осуществляла специально созданная комиссия, у подножия перевала расположился штаб штурма. Он начался 15 июня 1933 года.
Целый эшелон взрывчатки уложили в специальные колодцы и камеры, выдолбленные в граните. Взрыв был настолько силён, что в Японии его зафиксировали как землетрясение силой 7 баллов. Подгоняемые сроками, строители прошли тогда за месяц более 400 метров скального грунта и уложили большой участок дороги. А были эти рабочие подневольные: политзаключённые, раскулаченные с семьями, репрессированные национальности.
По словам нашего гида Сергея Илларионовича, который тогда был вездесущим пацаном и многое видел своими глазами, жили они зимой в траншеях, болели и умирали. «Под ключ» «железку» сдавали уже другие — солдаты строительных полков. Но и на их долю выпало немало: дневная норма составляла три куба гравия на человека. Страх, ставший в те годы главным двигателем прогресса, и здесь сделал свое дело: уже в ноябре 1933-го по туннелю пробежал первый пробный поезд от станции Кангауз, а вся дорога от Находки через угольный Сучан была введена в 1934 году.
Главной особенностью этой узкоколейной железной дороги было наличие на ней перевальных участков, непригодных для движения паровозов из-за крутизны уклонов. Рельсовый путь от станции Кангауз до станции Сучан был непрерывным, однако на перевалах для перемещения вагонов использовались паровые подъёмники и бремсберги.
Материал А. А. Антонова (описание истории узкоколейной железной дороги).
Материал получен в 2007 году, источник — частная переписка с автором.
______________________________________________________ С 1902 года началось строительство шахт на Сучанском угольном месторождении. Одновременно стоял вопрос транспортировки угля в город Владивосток, для обеспечения им Тихоокеанской эскадры. Было решено строить железную дорогу узкой колеи с устройством паровых подъёмников и бремсбергов через три горных перевала. Конечной точкой являлась станция Кангауз, где уголь перегружался в вагоны широкой колеи. Далее по ширококолейной железной дороге уголь транспортировался потребителям. Автором проекта был инженер Пушечников.
Сучанская узкоколейная железная дорога просуществовала до 1934 года. В 1934 году было открыто движение по дороге широкой колеи от станции Кангауз до г. Находка через г. Сучан (он же Партизанск). Именно с этого времени Сучанская узкоколейка прекратила своё существование.
В течение нескольких лет я периодически прохожу по отдельным сохранившимся участкам Сучанской узкоколейки. В некоторых местах по бывшей её трассе проложили широкую колею. Кое-где узкоколейка превратилась в обыкновенную грунтовую лесную автодорогу. На перевалах ещё можно увидеть остатки бутобетонных фундаментов, на которых стояли паровые подъёмники.
Удалось найти несколько рельсов. На каждом из них сохранился свой текст:
1. А.О.Б.З. 1878 г СТАЛЬ ЛР
2. А.Ю.Р.З.Б.О. 92 г XII КЖД
3. НОВ РОС ОБЩ СТАЛЬ I.94 КЖД
4. З. КН. БЪЛОСЕЛЬСКАГО VI М-ЦА 1894 ГОД
С последним текстом удалось разобраться — нашёл некоторую информацию о князе Белосельском и его заводах. Первые три не расшифрованы.
Сучанская узкоколейка имела несколько станций, разъездов и подъёмников: Кангауз, Сихотэ-Алинь, Держаново, Тигровая, Тахэ, Тасино, Кишмиш, Моленная, Бархатная, Фанза, Сица, Сучан 2, Сучан 1 (рядом с шахтой № 2). Между станциями Сучан 1 и Фанза было два разъезда — Ирбо и Ходя, а также станция Сица.
Железнодорожное полотно было непрерывным от начала (станция Сучан I) и до конца (станция Кангауз), но паровозы ходили только на двух участках — от ст. Сучан I до ст. Фанза и от ст. Тахэ до ст. Держаново. На ст. Фанза вагоны отцеплялись от паровоза и прицеплялись к канатам. Вагоны с помощью парового подъёмника поднимали на перевал Бархатный и спускали с этого перевала на станцию Моленную. Там вагоны ещё раз перецепляли к канатам подъёмника, расположенного на ст. Кишмиш (промежуточный подъёмник, установленный примерно на половине склона второго перевала).
На станции Кишмиш вагоны ещё раз перецепляли и тянули на перевал Тасино, где стоял очередной подъёмник. С перевала Тасино вагоны опускали на станцию Тахэ. Там их прицепляли к паровозу и локомотив (по ровной местности) вёз их мимо ст. Тигровой до ст. Держаново. Там вагоны отцепляли от паровоза и подъёмником затаскивали на перевал Сихотэ-Алинь, а с перевала спускали на ст. Кангауз, где уголь из узкоколейных вагонов через бункера ссыпали в вагоны широкой колеи. Одновременно с подъёмником работал бремсберг, только в обратную сторону. В то время когда полные вагоны поднимали на перевал с одной стороны, на этот же перевал одновременно, с другой стороны поднимали порожние вагоны. Так же происходил и спуск.
Далее цитата из пояснительной записки начальника участка инженера Эмера: «Расстояние от Сучанского рудника до ст. Кангауз 36 вёрст, из них 7 вёрст двойного пути по подъёмникам и бремсбергам. Линия делится на следующие участки:
1). От ст. Сучан 1 до ст. Сучан 2 подъёмник длиною 1 версту.
2). От ст. Сучан 2 до ст. Фанза узкоколейная дорога длиною 17, 5 вёрст, разделённая разъездами на 4 перегона.
3). От ст. Фанза до ст. Тахэ — 3 подъёмника и 2 бремсберга общей длиной 4 версты.
4). От ст. Тахэ до ст. Держаново узкоколейная дорога — 11, 5 вёрст
5). От ст. Держаново до Кангауза 1 подъёмник и 1 бремсберг общей длиной 2 версты.
Угольные вагоны вместимостью 250 пудов. Состав поезда для имеющихся паровозов 12 груженых вагонов в летнее время и 10 вагонов в зимнее время. Подъёмники передают в час 4 поезда по 4 вагона каждый, при 10-часовой работе 160 вагонов или 40000 пудов в день. Подъёмники устроены только в сторону перевозки угля от Сучана до Кангауза. Для обратной подачи вагонов от Кангауза к Сучану устроены бремсберги, которые были рассчитаны на передачу только порожних поездов из 4 вагонов. Принимая показанные, что по бремсбергам можно свободно поднимать 3 порожних вагона и 1 груженый, то есть при 10-часовой работе 40 груженых вагонов.
Имеется подвижного состава: паровозов — 12 шт., вагонов — 150 шт. Паровозы распределены следующим образом: между ст. Сучан и ст. Фанза — 6 шт., между ст. Тахэ и ст. Держаново — 4 шт. Для манёвров на ст. Сучан 1 предположено оставить 1. То же на ст. Кангауз — 1. Итого 12 шт. Для паровозов имеется паровозных зданий на ст. Фанза на 4 стойла, Сучан 2 — 1, Держаново — 2».
Остаётся добавить, что подъёмник на ст. Сучан 2 существовал только на первом этапе эксплуатации ж.д. В скором времени этот участок обошли ж.д. веткой и подъёмник демонтировали.
В 1925 г. была построена обводная линия, которая позволила упразднить подъемник на перевале Бархатном. Линия прошла от ст. Фанза справа от перевала до станции Моленной.
В 1934 году была открыта железнодорожная линия широкой колеи, пролегающая по направлению Кангауз — Сучан — Находка. Новая магистраль частично была проложена в стороне от старой узкоколейной железной дороги. На ней были построены тоннели и другие искусственные сооружения, благодаря чему «запредельных» уклонов на железной дороге широкой колеи не оказалось. С 1934 года стало возможным сквозное движение поездов на паровой тяге от Кангауза до Сучана.
Узкоколейная железная дорога вскоре после открытия железнодорожной линии широкой колеи была разобрана. Некоторые её участки были превращены в грунтовые дороги.
http://ru.kore-saram.ru/Articles/ArticleInfo.aspx?Id=780f441d-5c82-4726-aab5-1c354d7ad475 — старые фотографии узкоколейной железной дороги
__________________________________________________________________________________________________
Узкоколейные железные дороги на шахтах в городе Партизанске и его окрестностях. Начальные пункты — шахты, расположенные вблизи города Партизанска.
Город Партизанск (Сучан) на протяжении XX века являлся центром угольной промышленности. В городе и его окрестностях действовали угольные шахты. На большинстве шахт (либо на всех шахтах) имелись узкоколейные железные дороги, включавшие наземные участки небольшой протяжённости.
По информации от А. Антонова, последняя в городе Партизанске шахта «Центральная» (ранее — № 10) была закрыта в 2005 году. Все шахтные узкоколейные железные дороги разобраны. Практически все подъездные пути широкой колеи, подводившие к шахтам, после закрытия шахт также были разобраны.
Не исключено наличие сохранившейся шахты в посёлке Авангард, однако вероятность этого представляется низкой.
__________________________________________________________________________________________________
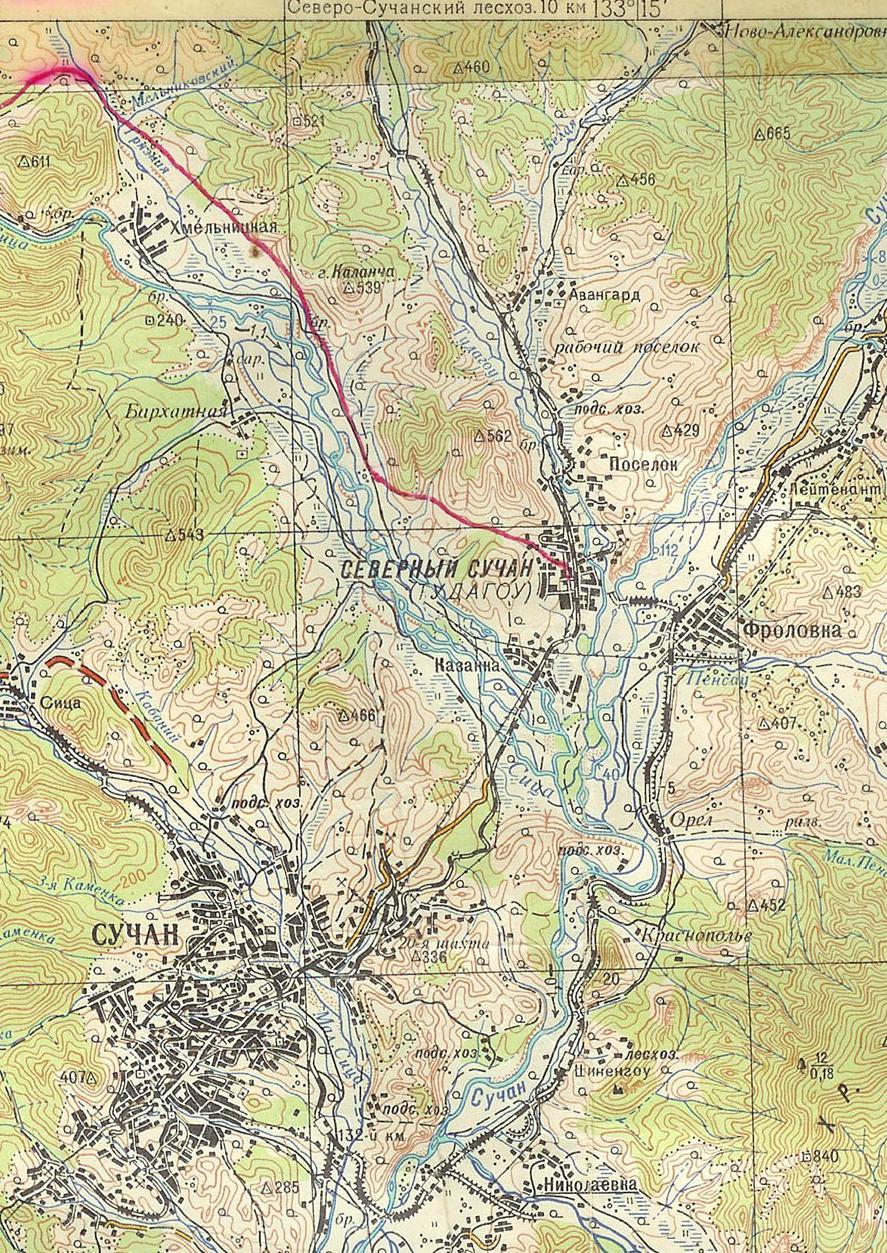
Северо-Сучанская узкоколейная железная дорога. Начальный пункт — посёлок Углекаменск (прежние названия — Тудагоу, Северный Сучан).

Узкоколейная железная дорога на топографической карте масштаба 1:100 000, изданной в 1957 году.
Карта предоставлена Н.В. Бабенковым.

Узкоколейная железная дорога на топографической карте масштаба 1:200 000, изданной в 1983 году.
Нанесена по данным карты 1957 года издания и по материалам Н.В. Бабенкова. Северо-Сучанская узкоколейная железная дорога обслуживала угольные шахты, одновременно была лесовозной. По информации от Н.В. Бабенкова, узкоколейная железная дорога была построена в 1941 году на участке город Сучан (с 1972 года — Партизанск) — шахта №25 в посёлке Тудагоу (с 1947 года Северный Сучан, с 1972 года — Углекаменск).
В 1945-1946 годах была построена линия узкоколейной железной дороги от Северного Сучана в район нынешнего посёлка Залесье, предназначенная для вывоза леса.
В 1941 году (согласно данным справочника «Железнодорожные станции СССР», изданного в 1981 году) недалеко от Тудагоу, в селе Фроловка, была введена в эксплуатацию станция Лейтенант Гордеев на ширококолейной линии Сучан — Сергеевка. Однако линия широкой колеи от станции Лейтенант Гордеев до Углекаменска была открыта намного позднее, в 1957 году. Вскоре она была продлена до посёлка Авангард.
В 1960-х годах вывоз леса по узкоколейной железной дороге был прекращён. Лесовозная линия узкоколейной железной дороги, от Углекаменска до Залесья и далее, была разобрана в 1966 году.
В 1968 году была закрыта шахта №33, находившаяся на южной окраине Северного Сучана (Углекаменска). После этого был разобран последний участок узкоколейной железной дороги, от Северного Сучана (Углекаменска) до Сучана (Партизанска).
Цитата из материала «Углекаменску — 65 лет» (http://www.partizansk.eu/forum/index.php?showtopic=1732&st=0&p=35154):
В 1939 г. в районе р. Тудагоу был обнаружен уголь. Вскоре сюда прибыла первая группа горняков-переселенцев. Так 65 лет назад появился населённый пункт, который был назван Тудагоу — по названию реки, где были установлены первые палатки. Они стояли ровно в ряд, образовав первую улицу, названную переселенцами Трудовой. Это название сохранилось до сих пор.
На месте нынешнего посёлка была непроходимая заболоченная тайга. Первыми добровольцами-переселенцами были семьи Телегиных, Дмитриченко, Анастасьевых, Горшковых, Кузнецовых, Долгих, Колесниковых, Виговских, Новиковых, Панариных, Вислогузовых, Андреевых. Они приехали из центральных районов России, с Украины и Белоруссии на далёкую Приморскую землю добывать уголь. Но, осваивая этот далёкий необжитый клочок земли с живописной природой, столкнулись со многими трудностями.
Семьи первопоселенцев Телегиных, Дмитриченко, Анастасьевых, Луцик стали создателями первых шахтёрских династий. В короткие сроки было построено 3 многоквартирных дома, столовая, началось строительство больницы, клуба и одновременно с этим — строительство узкоколейной дороги и шахты №25. Вскоре бригадой Я. Телегина было построено ещё 8 домов ул. Трудовой — первой улицы будущего посёлка. Потом были построены участковая больница и пекарня.
Накануне Великой Отечественной войны открылась шахта №25, пошёл на-гора первый уголь. Добыча и подъём угля производились вручную. Первым начальником шахты стал Н.И. Лахмистров. В первый военный год были построены центральные электромеханические мастерские, и тогда же началось строительство шахты №26. Для перевозки угля была пущена в строй узкоколейка, которая была построена в рекордно короткие сроки — всего год понадобилось, чтобы проложить рельсы от посёлка до г. Сучан, нынешнего Партизанска.
В 1972 г. Указом Президиума Верховного Совета РСФСР рабочий посёлок Северный Сучан был переименован в посёлок Углекаменск.
Материал Н. В. Бабенкова (описание истории узкоколейной железной дороги).
Материал получен в 2011 году, источник — частная переписка с автором.
______________________________________________________ История Северо-Сучанской узкоколейной железной дороги
В августе 1939 г. на юге Приморского края был основан п. Тудагоу для добычи каменного угля.
В 1941 г. силами заключённых была построена узкоколейная железная дорога п. Тудагоу — г. Сучан (с 1972 г. — Партизанск) для вывоза угля, добываемого на шахте №25. Протяженность её составила около 11 км. Уголь доставлялся в г. Сучан в район шахты №20, где перегружался в ширококолейные вагоны.
На участке с. Казанка — г. Сучан через протоки р. Сицы (с 1972 г. — Тигровая) было 3 деревянных железнодорожных моста. Периодически во время сильных наводнений эти мосты смывало и железнодорожное сообщение с г. Сучан прерывалось.
В 1945-1946 г. силами японских военнопленных была построена узкоколейка п. Тудагоу — Северо-Сучанский леспромхоз протяжённостью около 27 км. (Северо-Сучанский леспромхоз в 1964 г. получил статус села и переименован в Залесье). По этой узкоколейке из леспромхоза доставляли лес в п. Тудагоу, п. Авангард и г. Сучан для строительства и для шахт.
В 1947 г. п. Тудагоу получил статус рабочего посёлка и переименован в Северный Сучан.
В 1957 г. проложена ширококолейная железная дорога с. Фроловка — п. Северный Сучан: первый паровоз проехал по мосту через р. Сучан (с 1972 г. — Партизанская) к шахте №25. Позже ширококолейка была проведена до п. Авангард, расположенного севернее Северного Сучана. По этой дороге уголь с шахт п. Северный Сучан и п. Авангард вывозился в морской порт г. Находка.
В 1966 году был демонтирован участок узкоколейки с. Залесье — с. Мельники — п. Авангард — п. Северный Сучан.
В 1968 году после закрытия шахты №33 на южной окраине п. Северный Сучан была демонтирована узкоколейка п. Северный Сучан — г. Сучан. На этом история Северо-Сучанской узкоколейной дороги завершилась.
Примечания:
В 1972 г. п. Северный Сучан переименован в Углекаменск.
С 2005 г. п. Углекаменск стал селом.
Бабенков Николай Викторович, с. Углекаменск Приморского края
На шахтах в Углекаменске железные дороги узкой колеи действовали до момента закрытия шахт (как минимум до 1997 года). Но они не рассматриваются как часть Северо-Сучанской узкоколейной железной дороги. Скорее всего, шахтные узкоколейные железные дороги имели другую ширину колеи.
http://dkphoto.livejournal.com/136424.html — фотографии Углекаменска и закрытых шахт, 2009 год
http://www.uglekamensk.info — сайт посёлка Углекаменск
УССУРИЙСКИЙ ГОРОДСКОЙ ОКРУГ (бывший Уссурийский район)
Узкоколейная железная дорога (?) Воздвиженский — Новоникольск. Возможный начальный пункт — станция Воздвиженский, расположенная на железнодорожной линии Уссурийск — Пограничная (Суйфыньхэ).

Узкоколейная железная дорога (?) на карте масштаба 1:250 000,
изданной в США в 1950-х годах. Узкоколейная железная дорога Воздвиженский — Новоникольск была обозначена в «военной» карте масштаба 1:250 000, изданной в США в 1950-х годах. Карты данной серии, покрывающие территорию СССР, имеют репутацию «сборника фантазий» — обозначенное на них далеко не всегда соответствовало действительности.
Скорее всего, узкоколейная железная дорога обозначена ошибочно, по данному направлению всегда пролегал подъездной путь широкой колеи. Во всех русскоязычных топографических картах, известных автору, здесь обозначен подъездной путь широкой колеи.
Нельзя исключать и того, что узкоколейная железная дорога Воздвиженский — Новоникольск когда-то действительно существовала.
ЧУГУЕВСКИЙ РАЙОН
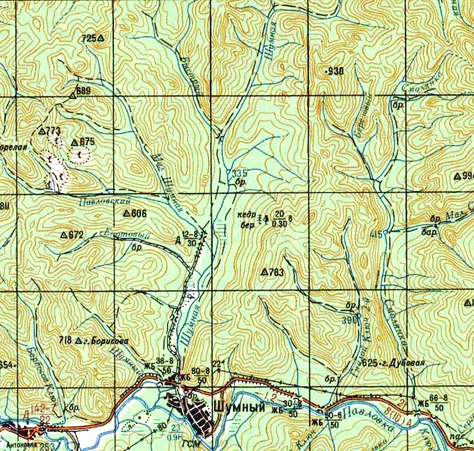
Лесовозная узкоколейная железная дорога в населённом пункте Шумный. Начальный пункт — населённый пункт Шумный (Шумное), расположенный на правом берегу реки Павловка.

Узкоколейная железная дорога на топографической карте масштаба 1:200 000, изданной
в 1985 году (обозначена разобранной, обозначена не полностью) Эта узкоколейная железная дорога являлась лесовозной, скорее всего, являлась «сплавной». Начальный пункт узкоколейной железной дороги находился вблизи населённого пункта Шумный (Шумное). Протяжённость линий узкоколейной железной дороги составляла не менее 20 километров.
Информацией, касающейся истории узкоколейной железной дороги, автор не располагает.
Узкоколейная железная дорога полностью разобрана. Ориентировочный период ликвидации — 1970-е годы.
30.01.2008 © [ДАННЫЕ УДАЛЕНЫ]
назад
на главную страницу