15 КАТАЛОГ – Страница 21

Шестаковская узкоколейная железная дорога — схемы и топографические карты
ID: 3688
116
Узкоколейная железная дорога на топографической карте масштаба 1:1 000 000, изданной в 1988 году. Узкоколейная железная дорога на топографической карте масштаба 1:500 000, изданной в 1984 году. Узкоколейная железная дорога на топографической карт...
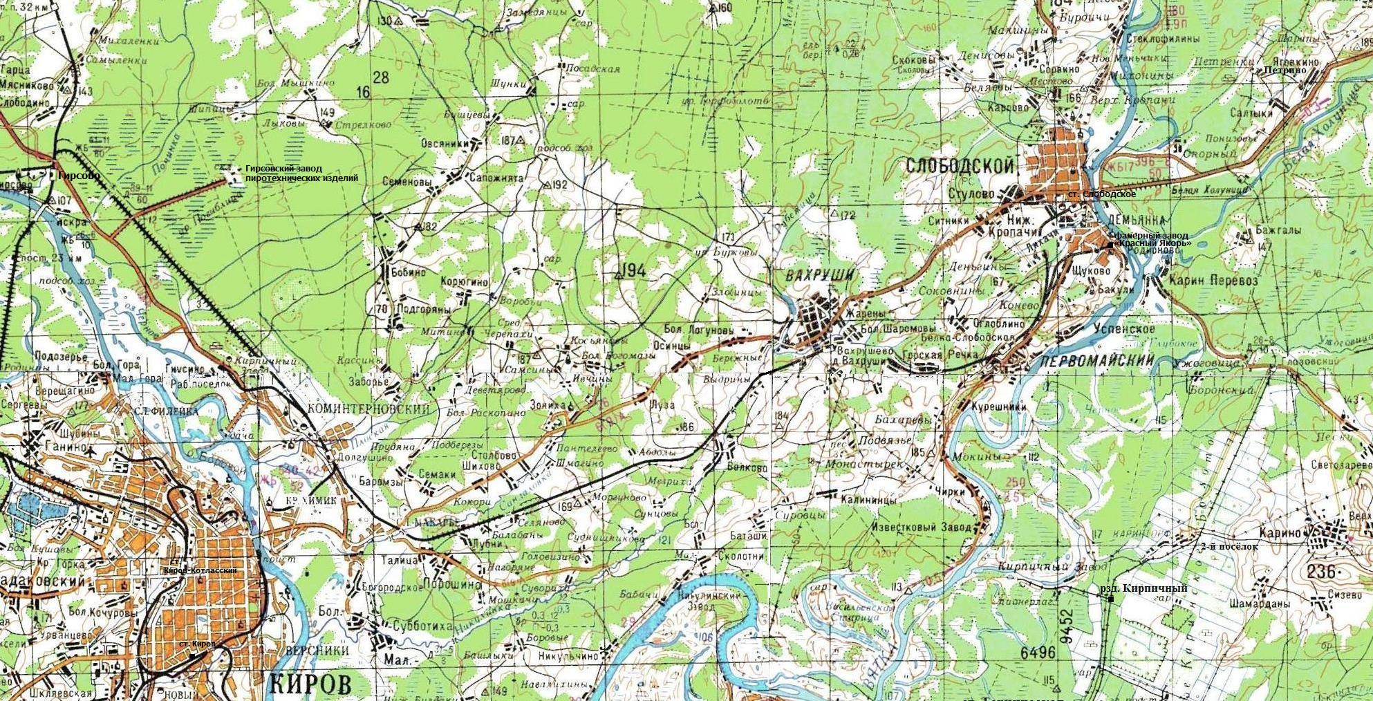
Железнодорожная линия Гирсово  —  Слободское
ID: 3689
1009
Протяжённость железнодорожной линии Гирсово — Слободское (город Слободской) составляет 49 километров. Железнодорожная линия пролегает по территории Кировской области. Начальным пунктом является станция Гирсово на железнодорожной линии Киров — Котлас (Вят...
Железнодорожная линия Гирсово — Слободское —  схемы и топографические карты
ID: 3690
211
Железнодорожная линия на топографической карте масштаба 1:200 000, изданной в 1980 году. 05.01.2013 © [ДАННЫЕ УДАЛЕНЫ] «Железнодорожная линия Гирсово — Слободское»...
Шорыгинская узкоколейная железная дорога
ID: 3691
334
Начальным пунктом Шорыгинской узкоколейной железной дороги являлся посёлок Смычка, расположенный вблизи железнодорожной линии Егоршино — Устье Аха (историческая Северо-Восточная Уральская железная дорога). Главная станция находилась в посёлке Фабричное. На...
Шорыгинская узкоколейная железная дорога   — схемы и топографические карты
ID: 3692
128
Узкоколейная железная дорога на карте масштаба 1:1 000 000 (в 1 сантиметре - 10 километров). Узкоколейная железная дорога на топографической карте масштаба 1:500 000. 16.01.2008 © [ДАННЫЕ УДАЛЕНЫ] «Шорыгинская узкоколейная железная дорога»...
Соловьёвская узкоколейная железная дорога
ID: 3693
604
Начальным пунктом Соловьёвской узкоколейной железной дороги до 1999 года являлся посёлок Сосьва. После уничтожения моста через реку Сосьва начальным пунктом узкоколейной железной дороги являлась станция, расположенная на правом берегу реки Сосьвы, напротив...
Соловьёвская узкоколейная железная дорога  —  фотографии, сделанные в 2006 году (часть 1)
ID: 3694
112
Страница является незавершённой. Размер каждого изображения — около 500 КБ. 04.10.2006 04.10.2006 04.10.2006 04.10.2006 04.10.2006 04.10.2006 04.10.2006 04.10.2006 04.10.2006 04.10.2006 04.10.2006 04.10.2006 04.10....
20 вложений
Соловьёвская узкоколейная железная дорога  —  фотографии, сделанные в 2006 году (часть 2)
ID: 3695
114
Страница является незавершённой. Размер каждого изображения — около 500 КБ. 04.10.2006 04.10.2006 04.10.2006 04.10.2006 04.10.2006 04.10.2006 04.10.2006 04.10.2006 04.10.2006 04.10.2006 04.10.2006 04.10.2006 04.10....
20 вложений
Соловьёвская узкоколейная железная дорога  —  фотографии, сделанные в 2006 году (часть 3)
ID: 3696
97
Страница является незавершённой. Размер каждого изображения — около 500 КБ. 04.10.2006 04.10.2006 04.10.2006 04.10.2006 04.10.2006 04.10.2006 04.10.2006 04.10.2006 04.10.2006 04.10.2006 04.10.2006 04.10.2006 04.10....
20 вложений
Соловьёвская узкоколейная железная дорога  —  фотографии, сделанные в 2006 году (часть 4)
ID: 3697
115
Страница является незавершённой. Размер каждого изображения — около 500 КБ. 04.10.2006 04.10.2006 04.10.2006 04.10.2006 04.10.2006 04.10.2006 04.10.2006 04.10.2006 04.10.2006 04.10.2006 04.10.2006 04.10.2006 04.10....
20 вложений
Соловьёвская узкоколейная железная дорога  —  фотографии, сделанные в 2006 году (часть 5)
ID: 3698
91
Страница является незавершённой. Размер каждого изображения — около 500 КБ. 04.10.2006 04.10.2006 04.10.2006 04.10.2006 04.10.2006 04.10.2006 04.10.2006 04.10.2006 05.10.2006 05.10.2006 05.10.2006 05.10.2006 05.10....
20 вложений
Соловьёвская узкоколейная железная дорога  —  фотографии, сделанные в 2006 году (часть 6)
ID: 3699
93
Страница является незавершённой. Размер каждого изображения — около 500 КБ. 05.10.2006 05.10.2006 05.10.2006 05.10.2006 05.10.2006 05.10.2006 05.10.2006 05.10.2006 05.10.2006 05.10.2006 05.10.2006 05.10.2006 05.10....
20 вложений
Соловьёвская узкоколейная железная дорога  —  фотографии, сделанные в 2006 году (часть 7)
ID: 3700
125
Страница является незавершённой. Размер каждого изображения — около 500 КБ. 05.10.2006 05.10.2006 05.10.2006 05.10.2006 05.10.2006 05.10.2006 05.10.2006 05.10.2006 Заброшенное здание ДС на станции Татька. 05.10.2006 05.10...
20 вложений
Соловьёвская узкоколейная железная дорога  —  фотографии, сделанные в 2006 году (часть 8)
ID: 3701
74
Страница является незавершённой. Размер каждого изображения — около 500 КБ. 05.10.2006 05.10.2006 05.10.2006 05.10.2006 05.10.2006 05.10.2006 05.10.2006 05.10.2006 05.10.2006 05.10.2006 05.10.2006 05.10.2006 05.10....
20 вложений
Соловьёвская узкоколейная железная дорога  —  фотографии, сделанные в 2006 году (часть 9)
ID: 3702
106
Страница является незавершённой. Размер каждого изображения — около 500 КБ. 05.10.2006 Разрушенный мост через реку Турья (81 километр узкоколейной железной дороги). 05.10.2006 05.10.2006 05.10.2006 05.10.2006 05.10.2006 05.10.2006...
20 вложений
Соловьёвская узкоколейная железная дорога  —  фотографии, сделанные в 2006 году (часть 10)
ID: 3703
123
Страница является незавершённой. Размер каждого изображения — около 500 КБ. 05.10.2006 05.10.2006 05.10.2006 05.10.2006 05.10.2006 05.10.2006 05.10.2006 05.10.2006 05.10.2006 05.10.2006 05.10.2006 05.10.2006 05.10....
17 вложений
Соловьёвская узкоколейная железная дорога  —  фотографии, сделанные в 2006 году (часть 11)
ID: 3704
108
Страница является незавершённой. Размер каждого изображения — около 500 КБ. 05.10.2006 05.10.2006 05.10.2006 06.10.2006 06.10.2006 06.10.2006 06.10.2006 06.10.2006 06.10.2006 06.10.2006 06.10.2006 06.10.2006 06.10....
16 вложений
Соловьёвская узкоколейная железная дорога - история (материал Б.К. Нечаева)
ID: 3705
60
Страница 1. Страница 2. Страница 3. Страница 4. Страница 5. Страница 6. 02.11.2006 © [ДАННЫЕ УДАЛЕНЫ] «Соловьёвская узкоколейная железная дорога»...
Соловьёвская узкоколейная железная дорога   — схемы и топографические карты
ID: 3706
100
Узкоколейная железная дорога на карте масштаба 1:1 000 000 (в 1 сантиметре — 10 километров), изданной в 1988 году. Узкоколейная железная дорога на топографической карте масштаба 1:500 000 (в 1 сантиметре — 5 километров), изданной в 1994 году. ...
Железнодорожная линия Новая Заря — Сосьва
ID: 3707
181
Протяжённость железнодорожной линии Новая Заря — Сосьва составляет 16 километров. Железнодорожная линия находится в Сосьвинском городском округе (районе) Свердловской области. По состоянию на 2010 год, на ней есть пассажирское и грузовое движение. Пас...