ID: 7318
УЗКОКОЛЕЙНЫЕ ЖЕЛЕЗНЫЕ ДОРОГИ ТУЛЬСКОЙ ОБЛАСТИ
801
Тульская область — субъект Российской Федерации. Центр — г. Тула. Площадь — 25 700 км², численность населения 1 621 тыс. чел. (2005).
Особенностью Тульской области являлось наличие многочисленных шахтных узкоколейных железных дорог. Тульская область была «шахтёрским краем», по численности угольных шахт она находилась на втором месте в РСФСР после Кемеровской области. По состоянию на 1958 год, в Тульской области было 119 угольных шахт.
По состоянию на 2011 год, в Тульской области находится 1 действующая узкоколейная железная дорога, не относящаяся к категории шахтных — Новомосковская детская железная дорога, и 1 действующая шахтная узкоколейная железная дорога — на гипсовой шахте в Новомосковске. Эта узкоколейная железная дорога — короткая и может быть полностью ликвидирована.
Последняя во всём Центральном регионе России угольная шахта «Подмосковная», расположенная в Венёвском районе Тульской области, была уничтожена в 2010 году. При этом была уничтожена и узкоколейная железная дорога. Вероятность восстановления — нулевая.
Возможно, не полностью разобраны узкоколейные железные дороги на недействующих шахтах «Бельковская», «Бельцевская» и «Никулинская». Шахты «Бельцевская» и «Никулинская», по состоянию на 2009 год, затоплены, однако в будущем не исключается их восстановление.
На данной странице отмечена лишь небольшая часть шахтных узкоколейных железных дорог, существовавших в регионе.
БОГОРОДИЦКИЙ РАЙОН
Узкоколейная железная дорога Товарково — Малевка. Начальный пункт — станция Товарково, расположенная на железнодорожной линии Узловая — Волово.

Узкоколейная железная дорога на топографической карте масштаба 1:100 000, изданной в 1941 году.

Узкоколейная железная дорога на оперативной карте
германской армии, составленной в 1941 году.

Узкоколейная железная дорога на карте масштаба 1:250 000,
изданной в США в 1953 году.

Район местонахождения узкоколейной железной дороги на топографической карте
масштаба 1:200 000, изданной в 1984 году. Единственным источником информации об этой узкоколейной железной дороге являются карты 1940-х годов издания. Скорее всего, узкоколейная железная дорога соединяла многочисленные угольные шахты со станцией Товарково.
Не позднее 1970-х годов узкоколейная железная дорога была разобрана (отдельные участки были заменены подъездными путями широкой колеи).
ВЕНЁВСКИЙ РАЙОН
Узкоколейная железная дорога в Гурьевском карьере. Начальный пункт — Гурьевский карьер (карьер Метростроя), связанный подъездным путём широкой колеи со станцией Венёв, расположенной на железнодорожной линии Ожерелье — Маклец.

Узкоколейная железная дорога (?) на топографической карте
масштаба 1:100 000, изданной в 1941 году.

Район местонахождения узкоколейной железной дороги на топографической карте
масштаба 1:50 000, изданной в 1983 году. Гурьевский карьер (карьер Метростроя) находится вблизи посёлка Метростроевский Венёвского района Тульской области. По состоянию на 2004 год, карьер входит в ГУП «Венёвское карьероуправление». В карьере производится добыча известняка.
Карьер разрабатывается с 1929 года. Он создавался для обеспечения потребностей в строительном материале Московского метростроя, и находился в подчинении Метростроя до 1952 года. Посёлок, в котором проживают работники карьера, получил необычное для этой местности название — Метростроевский.
Для связи карьера со станцией Венёв была построена железнодорожная линия протяжённостью 8 километров (из них 6 километров — параллельно действующей магистральной линии Ожерелье — Маклец). Железнодорожная линия была построена прибывшими из Москвы комсомольцами в рекордно короткий срок.
Линия Венёв — Гурьевский карьер никогда не была узкоколейной (вопреки утверждению на сайте http://narrow.parovoz.com, известном наличием огромного объёма ложных сведений). Факт наличия узкоколейной железной дороги непосредственно на территории карьера сомнению не подвергается. Среди имевшихся на узкоколейной железной дороге локомотивов — мотовозы МУЗ.
Цитата из произведения «Москва на стройке. Дороги под землёй» (издательство «Молодая гвардия», М., 1955 г., авторы — А. Логинов, П. Лопатин):
Строителям памятна борьба с «прорывом» из-за щебня. Метрострой использовал всё, что находилось поблизости. В толще бетонных покрытий Арбатского радиуса погребена большая часть снесённой Китай-городской стены, разбитой в щебень, но и её хватило ненадолго: суточная «порция» строительства — сто вагонов щебня.
На берегу реки Сухой Осётр лежали неисчерпаемые запасы крепкого белого камня. Это известный Гурьевский карьер. От карьера до ближайшей железнодорожной станции Венёв восемь километров. Нерадивые люди, которым поручили подвести к карьеру железнодорожную ветку, за два года уложили два километра. Пятьсот комсомольцев заявили, что поедут туда и построят ветку за месяц. Работали без выходных, и днём и ночью, при свете самодельных факелов и сдали путь железнодорожникам через двадцать три дня. «Щебёночный прорыв» был ликвидирован.
Цитата из материала «Воспоминания строителя метро В. А. Реброва», опубликованного на сайте «Московское метро», (http://metro.ru/library/rasskazy_stroitelei_metro/78.html):
На метро в эту пору не хватало щебёнки. Комитет комсомола постановил мобилизовать на прокладку ветки у Венёвского карьера пятьсот комсомольцев. С нашей шахты было послано двадцать два человека, и я над ними бригадиром.
Поехали мы в Венёв с песнями. Вылезаем из вагонов, а люди над нами в смех:
— Вот наехали. Настроят такие!
Но мы недолго обижались и сразу пошли на работу. Сначала мы делали насыпь. Дали нам план работы. Прикинули мы и решили выполнить его в месяц. Времени мы не считали, а дадут тебе 50 кубических метров насыпи на день — и делай. Первые дни выполняли план на 100%, а как приучились — стали выгонять за восемь часов 130-140%.
...
К октябрьской годовщине мы работу закончили и вернулись на шахту. Меня сразу поставили бригадиром комсомольской бригады. Работал я проходчиком, бетонщиком, вообще делал всё, что было нужно.
Цитата из материала «посёлок Метростроевский» (http://www.venev.ru/publikacii/nashi-sovremenniki/print:page,1,114-metrostroevskijj.html):
На сегодняшний день посёлок Метростроевский является самым большим населённым пунктом на территории Метростроевской сельской администрации. В нём проживает 1260 человек. К сожалению, точной даты основания посёлка не знает никто. Но старожилы утверждают, что это 30-ые годы XX века. Жизненной артерией посёлка является ГУП «Венёвское карьероуправление», которое осенью 2004 года отмечает 75-летие. Карьер и посёлок неразрывны, они одно целое. Образовался карьер, образовался и посёлок.
...
За 75 лет своего развития Венёвское карьероуправление превратилось из карьера по добыче бутового камня, где преобладал исключительно тяжёлый ручной труд бутолома и отходчицы, с кувалдой, киркой и лопатой в руках, где применялась в основном ручная и конная откатка при помощи тачки и вагонетки «Коппеля», в крупное, высокомеханизированное предприятие промышленности строительных материалов.
В давние времена, вплоть до образования карьера, производилась подземная добыча Венёвских известняков, которые использовались в качестве облицовочного материала, ступеней, подоконников. Гурьевское месторождение известняков, базовое месторождение Венёвского карьероуправления, впервые было разведано в 1931 году Мособлнерудом, по материалам разведки были утверждены запасы известняков в 15,0 млн. м3. До этого карьер разрабатывался вручную, буровзрывные работы начали вести с 1930 года.
Первый экскаватор применён на вскрышных работах в 1934 году («Ковровец» на железнодорожном ходу), он служил карьероуправлению на протяжении половины времени его существования. С 1932 года карьер был передан в подчинение Метростроя. В это время берёт начало строительство метрополитена столицы и для этого требовался высококачественный щебень. В период с 1933 по 1938 годы было осуществлено строительство Гурьевской дробильно-сортировочной фабрики. Она была оборудована тремя дробилками. Максимальная мощность этой фабрики была достигнута в 1968 году — 140,0 тыс. м3 щебня.
Гурьевский карьер прослужил Метрострою до 1952 года. Лишь с 1938 года по 1939 год он находился в ведении Министерства чёрной металлургии. В период подчинения Метрострою техническое оснащение карьера, по меркам того времени, являлось довольно высоким: была паровая электростанция, обеспечивающая предприятие электроэнергией, предприятие было оснащено мотовозами МУЗ — 4 на откатке забоев, т. е. была заменена ручная и конная откатка, построены погрузочные бункера, которые облегчили труд на погрузке продукции в железнодорожные вагоны. Были механизированы вскрытные работы. В те годы на карьере работало свыше 200 человек — бутоломов, до 80 человек — женщин–отходчиц и до 150 человек — грузчиков.
В 1952 году Гурьевский карьер был передан в МПСМ РСФСР и был объединён с Бяковским карьером (начальник Бяковского карьера — Нечипоренко С. С.), который был в этом же подчинении. В этом же году была сделана разведка месторождения, в результате которой были утверждены запасы в 32 млн. м3. В 1956 году объединённое карьероуправление имело производительность 270,0 тыс. м3 камня в год.
Не позднее 1970-х годов узкоколейная железная дорога на Гурьевском карьере была разобрана. Вместо узкоколейной железной дороги стал использоваться автомобильный транспорт.
По информации от А. Лунина, Гурьевский карьер не используется с 2007 года. По состоянию на 2010 год, подъездной путь широкой колеи Венёв — Гурьевский карьер частично разобран.
__________________________________________________________________________________________________
Узкоколейная железная дорога в Озеренском карьере. Начальный пункт — Озеренский карьер.

Узкоколейная железная дорога (?) на топографической карте
масштаба 1:100 000, изданной в 1941 году.

Район местонахождения узкоколейной железной дороги на топографической
карте масштаба 1:100 000, изданной в 1983 году. Озеренский карьер находится вблизи правого берега реки Венёвки, между населёнными пунктами Свиридово и Озеренская Слобода. В карьере ведётся добыча известняка.
По неподтверждённым данным, в 1930-е годы была построена узкоколейная железная дорога, пролегавшая по направлению станция Венёв — Озеренский карьер, не позднее 1970-х годов она была заменена подъездным путём широкой колеи. Согласно другой версии, по данному направлению всегда пролегал подъездной путь широкой колеи.
Практически не подвергается сомнению факт наличия узкоколейной железной дороги непосредственно на территории Озеренского карьера. Узкоколейная железная дорога в карьере была разобрана не позднее 1970-х годов.
По информации от А. Лунина, железная дорога широкой колеи Венёв — Озеренский карьер была разобрана в 2004 году. Карьер, по состоянию на 2009 год, остаётся действующим, добытый в нём известняк перевозится автомобильным транспортом.
__________________________________________________________________________________________________
Узкоколейная железная дорога на шахте «Бельцевская». Местонахождение — шахта «Бельцевская».

Железнодорожная линия широкой колеи Венёв — шахта Бельцевская (по состоянию на 2009 год, линия разобрана)
на топографической карте масштаба 1:100 000, изданной в 2000 году.

Район местонахождения шахты «Бельцевская» на топографической карте
масштаба 1:50 000, изданной в 1983 году (узкоколейная
железная дорога не обозначена). Шахта «Бельцевская» находится в окрестностях населённого пункта Грибовка Венёвского района Тульской области. Шахта связана со станцией Венёв железнодорожной линией широкой колеи, протяжённость которой составляет 22 километра (по состоянию на 2009 год, эта железнодорожная линия разобрана).
Шахта «Бельцевская» строилась с 1975 года, была принята в эксплуатацию государственной комиссией 21 декабря 1999 года, и была аварийно затоплена 28 января 2000 года (источник информации: http://www.ach.gov.ru/userfiles/bulletins/14-buleten_doc_files-fl-679.pdf). Помимо собственно шахты, на строительство которой было затрачено 359,7 млн. рублей, была построена обогатительная фабрика, на что было потрачено 260 млн. рублей. Итогом 24 лет строительства стали 37 дней работы шахты.
На шахте находится недействующая шахтная узкоколейная железная дорога, имеющая наземные участки небольшой протяжённости. Предполагаемая ширина колеи — 900 мм. По состоянию на 2006 год, на территории шахты находились ржавые пути, были разбросаны вагонетки. Троллей (контактный провод) отсутствовал — скорее всего, он был вывезен расхитителями металлолома. Сведений о тяговом подвижном составе нет.
По состоянию на 2009 год, шахта «Бельцевская» полностью затоплена. Огромный по своим масштабам наземный производственный комплекс шахты постепенно разрушается и разграбляется (несмотря на то, что на территории шахты есть охрана). Формально шахта считается законсервированной, в будущем она может быть осушена и восстановлена, однако вероятность этого представляется небольшой.
__________________________________________________________________________________________________
Узкоколейная железная дорога на шахте «Подмосковная». Местонахождение — шахта «Подмосковная».
По состоянию на 2009 год, шахта «Подмосковная» являлась единственной «условно действующей» угольной шахтой Подмосковного угольного бассейна. Шахта и узкоколейная железная дорога находились под угрозой ликвидации. Тогда их удалось зафотодокументировать в действующем состоянии.
В феврале 2010 года шахта была затоплена. Наземные конструкции и наземные участки узкоколейной железной дороги после этого были разграблены и разобраны.
__________________________________________________________________________________________________
Узкоколейная железная дорога на шахте «Бельковская». Местонахождение — шахта «Бельковская», расположенная в окрестностях населённого пункта Бельково.
По состоянию на 2008 год, шахта затоплена, узкоколейная железная дорога не действует. Скорее всего, в близком будущем наземные участки узкоколейной железной дороги будут разобраны.
КИРЕЕВСКИЙ РАЙОН
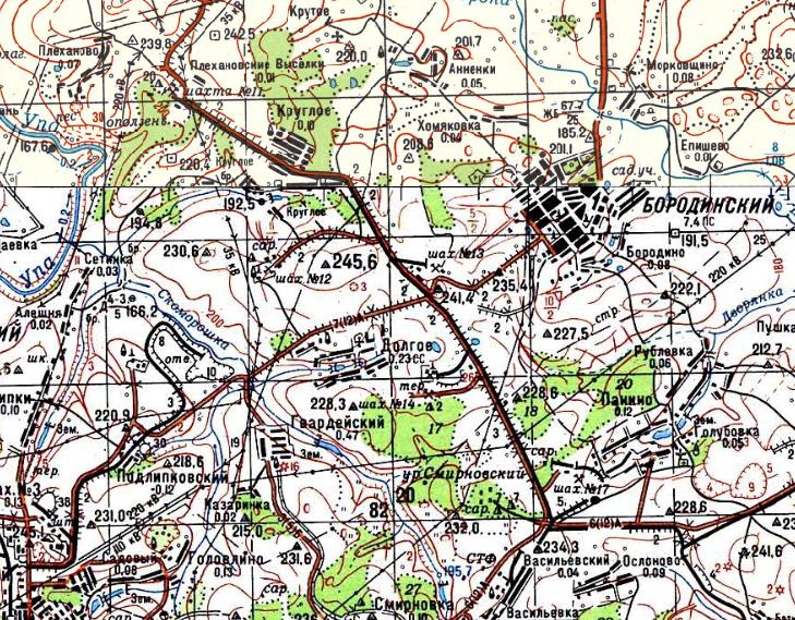
Узкоколейная железная дорога на шахте №12. Начальный пункт — шахта №12, расположенная в окрестностях посёлка Бородинский.

Узкоколейная железная дорога на топографической карте
масштаба 1:50 000, изданной в 1991 году.

Район местонахождения узкоколейной железной дороги на топографической карте
масштаба 1:100 000, изданной в 1994 году. Согласно топографической карте масштаба 1:50 000, изданной в 1991 году, существовала узкоколейная железная дорога от шахты №12 (окрестности посёлка Бородинский) до железнодорожной линии широкой колеи Васильевка — шахта №11.
Протяжённость узкоколейной железной дороги, по данным топографической карты, составляла около 2 километров. Нельзя исключать того, что обозначение на карте является ошибкой, в действительности по этому направлению пролегал подъездной путь широкой колеи. Однако узкоколейная железная дорога в любом случае была на территории шахты.
Шахта №12 была закрыта в 1980-х годах. Не позднее этого времени узкоколейная железная дорога была разобрана. В более поздний период (не позднее 2006 года) была разобрана железнодорожная линия широкой колеи Васильевка — шахта №11.
ЛЕНИНСКИЙ РАЙОН
Узкоколейная железная дорога Барсуковского рудоуправления. Начальный пункт — посёлок Барсуки, расположенный вблизи станции Некрасово на железнодорожной линии Тула — Тихонова Пустынь.

Узкоколейная железная дорога на топографической карте масштаба 1:100 000,
изданной в 1993 году (западная часть), 1995 году (восточная часть). Узкоколейная железная дорога на топографической карте масштаба 1:50 000, изданной в 199? году
Барсуковское рудоуправление основано в 1931 году. Рудоуправление производит добычу бутового камня и известняка открытым способом — в карьерах, расположенных севернее и восточнее посёлка Барсуки.
Цитата из материала, размещённого на официальном сайте Барсуковского рудоуправления (http://www.bry.ru):
Барсуковское рудоуправление организовано в сентябре 1931 года и являлось цехом №14 Новотульского металлургического завода (АК Тулачермет). На карьере добывали бутовый камень для фундаментов первой домны, ТЭЦ и корпусов завода.
После окончания строительства завода Барсуковский карьер приступил к добыче флюсового известняка для выплавки чугуна на Новотульском и Косогорском заводах. В настоящее время производится разработка четвертого карьера, с запасами по сырью 28 млн. тонн.
Мы производим щебень, флюсы, минеральный порошок, известняковую муку.
В ведении Барсуковского рудоуправления находилась узкоколейная железная дорога. Скорее всего, она действовала с момента начала работы рудоуправления. По информации от Э. Грачёва, не позднее 1960-х годов узкоколейная железная дорога была заменена железнодорожной линией широкой колеи.
Узкоколейная железная дорога обозначается на многих топографических картах, изданных в 1980-е и 1990-е годы, это объясняется ошибкой картографов. По данному направлению за десятилетия до выпуска карт была построена линия широкой колеи.
ГОРОД ТУЛА
Тула-Лихвинская узкоколейная железная дорога. Начальный пункт — станция Тула-Лихвинская, расположенная в черте города Тулы.
Узкоколейная железная дорога полностью разобрана. Ориентировочная дата ликвидации — 2000 год.
__________________________________________________________________________________________________
Городская конно-рельсовая дорога («конка») в Туле. Местонахождение — город Тула.
В 1888 году в Туле была открыта линия городской конно-рельсовой дороги («конки»). Линия была построена и эксплуатировалась «Компанией городских и пригородных конных железных дорог России». Ширина колеи составляла 1000 мм.
В 1909 году конно-рельсовая дорога перешла в собственность бельгийской компании «Société des tramways urbains et suburbains de Russie». Конно-рельсовая дорога действовала вплоть до 1919 года, электрифицирована не была. Работа конно-рельсовой дороги прекратилась в связи с гражданской войной.
В 1927 году в Туле было открыто движение электрического трамвая широкой колеи (1524 мм).
__________________________________________________________________________________________________
Узкоколейная железная дорога кирпичного завода имени 12-летия Октября. Местонахождение — город Тула.

Узкоколейная железная дорога на топографической карте масштаба 1:100 000,
изданной в 1995 году (нанесена условно).

Узкоколейная железная дорога на топографической карте масштаба 1:50 000,
изданной в 198? году (нанесена условно). Кирпичный завод имени 12-летия Октября находился в южной части города Тулы. На заводе действовала узкоколейная железная дорога, предназначенная для доставки глины из карьера.
Вся информация, касающаяся кирпичного завода и узкоколейной железной дороги, получена от В. Глазкова. Завод существовал с 1929 года по 1968 год. До Великой Отечественной войны глина доставлялась на завод гужевой тягой, в послевоенные годы была построена узкоколейная железная дорога протяжённостью немногим менее 1 километра.
Среди имевшегося на узкоколейной железной дороге подвижного состава — опрокидные вагонетки коечного типа (с треугольными кузовами), мотовозы неустановленной модели. Рельсы использовались лёгкие (ориентировочно Р-18).
Завод был закрыт в связи с истощением запасов глины, и был практически практически сразу же снесён. Одновременно была разобрана узкоколейная железная дорога.
ГОРОДСКОЙ ОКРУГ НОВОМОСКОВСК
Новомосковская детская железная дорога. Начальный пункт — станция Берёзки, расположенная в городе Новомосковске.
По состоянию на 2009 год, узкоколейная железная дорога действует.
__________________________________________________________________________________________________
Узкоколейная железная дорога на гипсовой шахте Новомосковского гипсового комбината. Местонахождение — Новомосковский гипсовый комбинат, расположенный в черте города Новомосковска, вблизи станции Гипсовая.

Район местонахождения узкоколейной железной дороги на топографической
карте масштаба 1:50 000, изданной в 1993 году. Гипсовая шахта Новомосковского гипсового комбината находится в черте города Новомосковска, вблизи станции Гипсовая, расположенной на тупиковой железнодорожной линии Урванка — Анилиновая. Ближайшая станция с пассажирским сообщением — Ключёвка.
Новомосковская шахта (подземный рудник) работает с 1949 года. На руднике производится добыча гипсового камня. Работы ведутся на горизонте глубиной 130 метров. Протяжённость подземных выработок превышает протяжённость Московского метрополитена.
С момента основания шахты и до 2005 (?) года на ней действовала полноценная шахтная узкоколейная железная дорога. Ширина колеи составляла 900 мм. Среди подвижного состава — электровозы 14КР.
После 1995 года собственник рудника, компания «Кнауф», провела реконструкцию шахты, в ходе которой узкоколейная железная дорога почти повсеместно была заменена безрельсовыми видами внутришахтного транспорта. Отказ от узкоколейной железной дороги осуществлялся поэтапно.
Цитата из материала, размещённого на официальном сайте ОАО «КНАУФ Гипс Новомосковск» (http://www.knauf.ru/main/static.asp?id=87):
Фирма КНАУФ, выигравшая в 1995 году инвестиционный конкурс на Новомосковском гипсовом комбинате, решила не ограничивать сферу деятельности предприятия добычей сырья, но создать условия для его более глубокой переработки. В рамках первой инвестиционной программы средства КНАУФ были вложены в совершенствование добычи гипсового камня и модернизацию шахтного оборудования, повышение безопасности работы в шахте.
Была закончена проходка нового (третьего) ствола шахты диаметром 8 метров, что обеспечило возможность спуска в шахту крупногабаритного оборудования. Это позволило отказаться от рельсовой отгрузки породы и вагонеток, и теперь здесь трудятся современные погрузочные машины, МоАЗы, грузоподъемностью до 22 тонн.
Факт ликвидации узкоколейной железной дороги (по крайней мере, её основной части) на шахте Новомосковского гипсового комбината в 2009 году был потверждён Б. И. Мигуновым — заместителем директора шахты «Подмосковная».
По состоянию на 2011 год, небольшой участок рельсовых путей на шахте Новомосковского гипсового комбината остаётся действующим. Его протяжённость — в десятки раз меньше, чем в 1990-е годы. Узкая колея используется только для транспортировки взрывчатых материалов на подземный склад.
http://chistoprudov.livejournal.com/78852.html — фотографии из шахты, 2011 год, автор — Д. Чистопрудов
http://zyalt.livejournal.com/428805.html — фотографии из шахты, 2011 год, автор — И. Варламов
УЗЛОВСКИЙ РАЙОН
Узкоколейная железная дорога на шахте в посёлке Дубовка. Местонахождение — посёлок Дубовка.

Узкоколейная железная дорога на топографической карте масштаба 1:50 000,
изданной в 1991 году (обозначена разобранной). Данная узкоколейная железная дорога находилась на восточной окраине посёлка Дубовка, вблизи деревни Сычёвка. Предположительно, она соединяла шахту с ближайшей железнодорожной линией широкой колеи.
Узкоколейная железная дорога была разобрана не позднее 1980-х годов.
ЩЁКИНСКИЙ РАЙОН
Узкоколейная железная дорога на шахте в городе Щёкино. Местонахождение — город Щёкино.

Разобранная узкоколейная железная дорога (?) на топографической карте масштаба 1:50 000, изданной в 1996 году. По неподтверждённым данным, на восточной окраине города Щёкино действовала шахтная узкоколейная железная дорога, имевшая наземный участок значительной протяжённости. Предположительно, она соединяла шахту с ближайшей железнодорожной линией широкой колеи.
Узкоколейная железная дорога была разобрана не позднее 1980-х годов.
__________________________________________________________________________________________________
Узкоколейная железная дорога вблизи посёлка Огарёвка. Предполагаемый начальный пункт — посёлок Огарёвка.

Узкоколейная железная дорога (?) на топографической карте
масштаба 1:100 000, изданной в 1941 году.

Район возможного местонахождения узкоколейной железной дороги на топографической карте
масштаба 1:100 000, изданной в 1995 году. По неподтверждённым данным, в районе посёлка Огарёвка действовала узкоколейная железная дорога, соединявшая посёлок с несколькими угольными шахтами.
На топографической карте масштаба 1:100 000, изданной в 1941 году, вблизи посёлка Огарёвка обозначены железнодорожные линии неустановленной колеи (данная карта не разделяет ширококолейные и узкоколейные железные дороги). Показана также разобранная железнодорожная линия Огарёвка — Житово.
Наземная узкоколейная железная дорога значительной протяжённости (в случае, если она когда-либо существовала) была разобрана не позднее 1960-х годов. Шахтные узкоколейные железные дороги, имевшие наземные участки минимальной протяжённости, были разобраны по мере закрытия шахт.
31.12.2009 © [ДАННЫЕ УДАЛЕНЫ]
назад
на главную страницу