ID: 7314
УЗКОКОЛЕЙНЫЕ ЖЕЛЕЗНЫЕ ДОРОГИ СМОЛЕНСКОЙ ОБЛАСТИ
1941
Смоленская область — субъект Российской Федерации. Центр — г. Смоленск. Площадь — 49 800 км², численность населения 1 005 тыс. чел. (2006).
По состоянию на 2007 год, в Смоленской области находились следующие действующие узкоколейные железные дороги: Смородинская узкоколейная железная дорога (посёлок Никитинка), узкоколейная железная дорога Редчинского торфопредприятия, узкоколейная железная дорога Рославльского торфопредприятия. Имелся небольшой сохранившийся участок и на Тупиковской узкоколейной железной дороге (посёлок Владимирский Тупик), однако вероятность его долговременного сохранения представлялась минимальной.
До 1990-х годов находящиеся на территории Смоленской области торфопредприятия относились к Смоленскому торфотресту. В Смоленский торфотрест входило также Красногорское торфобрикетное предприятие, находившееся в Брянской области.
Материал из журнала «Торфяная промышленность» (№8, 1974 год), автор — В. Г. Чугунов, начальник траспортного отдела Смоленского торфотреста — часть 1.
Материал из журнала «Торфяная промышленность» (№8, 1974 год), автор — В. Г. Чугунов, начальник траспортного отдела Смоленского торфотреста — часть 2.
По состоянию на 2014 год, в Смоленской области, скорее всего, нет действующих узкоколейных железных дорог. Под вопросом — уцелевший участок длиной около 300 метров в Велиже. Узкоколейная железная дорога Редчинского торфопредприятия и узкоколейная железная дорога Рославльского торфопредприятия: не действуют, но, возможно, не полностью разобраны. Все остальные узкоколейные железные дороги полностью разобраны.
ВЕЛИЖСКИЙ РАЙОН
Барановская узкоколейная железная дорога. Начальный пункт — город Велиж.
Узкоколейная железная дорога была почти полностью разобрана в 2003-2005 годах. Остался небольшой участок в черте города Велижа, длиной около 300 метров. Состояние этого участка на 2014 год не установлено.
ВЯЗЕМСКИЙ РАЙОН
Узкоколейная железная дорога Вяземского щебёночного завода. Местонахождение — город Вязьма.

Узкоколейная железная дорога на топографической карте масштаба 1:100 000,
изданной в 1991 году (ошибочно обозначена как изолированная
железнодорожная линия широкой колеи).

Увеличенный фрагмент той же самой карты. По информации от С. Костыгова, узкоколейная железная дорога на Вяземском щебёночном заводе связывала территорию завода с гравийными карьерами. В начале 1980-х годов было принято решение о переходе на автомобильную доставку гравия, узкоколейная железная дорога была полностью разобрана.
В 1990-х годах С. Костыговым было зафиксировано наличие кабины тепловоза ТУ7, использовавшейся в качестве помещения дежурного на КПП при въезде на территорию Вяземского щебёночного завода.
__________________________________________________________________________________________________
Узкоколейная железная дорога промышленного предприятия в городе Вязьма. Местонахождение — северная окраина города Вязьмы, станция Вязьма-Новоторжская на железнодорожной линии Вязьма — Ржев.

Район местонахождения узкоколейной железной дороги на топографической карте
масштаба 1:100 000, изданной в 1991 году (узкоколейная
железная дорога не обозначена). На северной окраине города Вязьмы находится промышленное предприятие, в прошлом являвшееся «закрытым» и подчинявшееся Министерству Обороны. На данном предприятии имелась узкоколейная железная дорога, предназначенная для перевозки древесины от места разгрузки вблизи станции Вязьма-Новоторжская до места обработки.
По информации от С. Костыгова, в 1986 году Камбарский машиностроительный завод поставил для данного предприятия тепловоз-дрезину ТУ6Д, адрес получателя был указан как «ст. Вязьма-Новоторжская, Стройдвор №4 в/ч 12662».
В августе 2006 года в Вязьме побывал исследователь истории железных дорог П. В. Кашин. Им были получены некоторые сведения, касающиеся истории данной узкоколейной железной дороги. Как выяснилось, узкоколейная железная дорога была построена в 1947 году и перестала работать не позднее 1996 года. Позднее она была полностью разобрана. Из подвижного состава на тот момент оставалась лишь кабина мотовоза МД54-4 с неустановленным номером.
Цитата из материала «ВЯЗЬМА», автор — П. В. Кашин (http://www.pereyezd.ru/print.php?type=A&item_id=36):
Вопреки пессимистичному настрою, «почтовый ящик» оказался на месте, правда, с тех пор уже несколько раз поменял название. Со слов заместителя директора предприятия Ю.В. Козырева, ныне полностью ликвидированная УЖД всегда выполняла внутрипроизводственную технологическую функцию подвоза пиломатериалов от места разгрузки из вагонов широкой колеи, выставляемых со ст. Вязьма-Новоторжская, до места их обработки, сушки и т. д.
Узкоколейная железная дорога была построена в 1947 г. вместе с самим предприятием. В те годы его территория с наибольшей длиной 900 м не была почти на 100% заасфальтирована, как ныне, и перевозки удобнее было осуществлять по надёжному рельсовому пути, а не на подводах по раскисшей почве.
По словам Ю.В. Козырева, за всё время на территории «ящика» использовалось 3 локомотива. Первоначально это был некий мотовоз с двигателем андижанского завода. Затем появился мотовоз типа МД54-4. Последним был получен тот самый тепловоз-дрезина ТУ6Д-318. Крановое оборудование с него было сразу же демонтировано за ненадобностью. Он просуществовал до ликвидации путей узкой колеи. Для перевозки пиломатериалов использовались четырёхосные (?) вагонетки.
К 1996 г. движение было остановлено, но пути лежали ещё лет пять. Остатки УЖД были окончательно сданы в металлолом только к 2003 году. О некогда существовавших здесь путях колеи 750 мм ныне напоминает только брошенная на задворках кабина от МД54-4 без заводской таблички, но с читаемым под слоем краски инв. № 160.
__________________________________________________________________________________________________
Узкоколейная железная дорога на территории фронтового госпиталя №290 вблизи станции Пыжовка. Начальный пункт — станция Пыжовка (в настоящее время остановочный пункт), расположенная на железнодорожной линии Вязьма — Тихонова Пустынь.

Район местонахождения узкоколейной железной дороги на топографической карте
масштаба 1:100 000, изданной в 1991 году (узкоколейная
железная дорога не обозначена). Вблизи станции Пыжовка и одноимённого села весной 1943 года началось строительство фронтового госпиталя №290, предназначенного для лечения раненых, поступавших с линии фронта. От станции Пыжовка до территории госпиталя была проложена узкоколейная железная дорога. Применявшийся на ней подвижной состав был представлен вагонетками и аккумуляторным электровозом.
Цитата из материала «Воспоминания военного хирурга», автор — В. В. Зиновьева (Терёшкина), участник строительства и врач госпиталя в Пыжовке (http://zinovieva41-45.narod.ru/story.html):
В феврале [1943 года] группа из 30 работников СЭГа выехала для уточнения будущего расположения госпиталя. Но эта задача оказалась ещё трудней, чем в июле 1941 года. С трудом можно было поверить в масштаб разрушений: Вязьма была практически уничтожена, от Вязьмы-Новоторжской также остались только руины. После долгих поисков выбор остановили на станции Пыжовка, расположенной в 12 километрах от Вязьмы. Там ещё сохранились разбитые железнодорожные пути, их можно было восстановить, чтобы обеспечить эвакуацию раненых в тыловые госпиталя.
Госпиталь решили развернуть в пыжовском лесу, в трёх километрах от станции. В нём сохранились не обстроенные котлованы и площадки для аэродрома лёгкой авиации.
...
Через всю территорию протянулась узкоколейка, и по ней побежал электровоз с вагонетками для перевозки раненых из отделений в эвакоприёмник на станции Пыжовка.

Фотография электровоза с вагонетками (Источник: http://zinovieva41-45.narod.ru/31.jpg)
...
23 июня 1944 года мы, свободные от работы в отделении, решили устроить себе прогулку. Слово-то какое, мы давно его исключили из нашего лексикона! Пошли посмотреть окрестности нашего городка, ведь вокруг были такие красивые места. Не успели мы расположиться на берегу протекавшей здесь реки, как посланный за нами связной сказал, что мы должны срочно возвратиться в отделение. Оказалось, что был получен приказ санитарного управления фронта о передислокации госпиталя в полном составе с имуществом на новое место. К вечеру того же дня (23 июня 1944 года) госпиталь на автомашинах двинулся в путь.
Мы простились с нашим подземным госпиталем в Пыжовском лесу, унося в своих сердцах незабываемые тёплые чувства к тому, что было создано нашими руками.
Вывезли всё, что можно было с собой забрать и что опять могло пригодиться нам на новом месте.
Вывезли даже узкоколейку вместе с электровозом, вагончиками и путями! Она потом очень пригодилась в Вильнюсе.
В июне 1944 года фронтовой госпиталь был переведён на новое место дислокации. Узкоколейная железная дорога была полностью разобрана.
__________________________________________________________________________________________________
Узкоколейная железная дорога Вяземского завода графитовых изделий (?). Возможное местонахождение — город Вязьма.

Район возможного местонахождения узкоколейной железной дороги на топографической карте
масштаба 1:100 000 (узкоколейная железная дорога не обозначена). Вяземский завод графитовых изделий находится на восточной окраине города Вязьмы, связан подъездным путём широкой колеи со станцией Вязьма-Брянская. Строительство завода было завершено в 1984 году.
http://vyazmatown.narod.ru/webs/texnar/texnarukar.html — информация о Вяземском заводе графитовых изделий
По информации от С. Костыгова, приблизительно в 1985 году Камбарским машиностроительном заводом в адрес Вяземского завода графитовых изделий был отправлен снегоочиститель ТУ7Р.
27 декабря 2005 года автором была произведена поездка в Вязьму. Территория Вяземского завода графитовых изделий была обойдена по периметру, получить разрешение войти внутрь не удалось. На территории завода просматривались исключительно пути широкой колеи. Со слов работников завода, на нём никогда не было узкоколейной железной дороги.
ТУ7Р — несамоходный снегоочиститель на базе тепловоза ТУ7. В случае наличия узкоколейной железной дороги, помимо снегоочистителя ТУ7Р, на ней обязательно должны были бы находиться локомотивы. Однако об отправках на Вяземский завод графитовых изделий тепловозов узкой колеи ничего не известно.
Представляется вероятным, что в документах Камбарского машиностроительного завода касательно отправки снегоочистителя ТУ7Р в Вязьму была допущена ошибка, либо данный снегоочиститель был перестроен для работы на путях широкой колеи.
ГАГАРИНСКИЙ РАЙОН
Военно-полевая узкоколейная железная дорога в Гжатске и окрестностях. Начальный пункт — город Гжатск (с 1968 года Гагарин), расположенный вблизи станции Гжатск (Гагарин) на железнодорожной линии Кубинка — Вязьма.

Узкоколейная железная дорога на карте масштаба 1:250 000,
изданной в США в 1953 году.

Узкоколейная железная дорога на топографической карте масштаба 1:100 000,
изданной в 1951 году (обозначена разобранной).

Узкоколейная железная дорога на топографической карте
масштаба 1:500 000, изданной в 1988 году (нанесена
условно, на основе данных предыдущих карт). Узкоколейная железная дорога была построена в период временной оккупации территории Смоленской области для нужд германской армии. Ориентировочный период начала строительства — июль 1942 года. Узкоколейная железная дорога пролегала вдоль линии фронта. Главная линия узкоколейной железной дороги пролегала по направлению Гжатск — Никольское — река Воря. По неподтверждённым данным, на южном участке она не была достроена.
Предполагаемая ширина колеи данной узкоколейной железной дороги (как и большинства военно-полевых узкоколейных железных дорог, построенных для нужд германской армии) — 600 мм.
Скорее всего, узкоколейная железная дорога просуществовала до весны 1943 года.
__________________________________________________________________________________________________
Узкоколейная железная дорога Серго-Ивановского кирпичного завода. Местонахождение — село Серго-Ивановское, расположенное вблизи станции Серго-Ивановская на железнодорожной линии Кубинка — Вязьма.

Район местонахождения узкоколейной железной дороги на топографической карте масштаба 1:100 000,
изданной в 1991 году (узкоколейная железная дорога не обозначена).

Район местонахождения узкоколейной железной дороги на топографической карте масштаба 1:50 000,
изданной в 198? году (узкоколейная железная дорога не обозначена). Серго-Ивановский кирпичный завод находился в селе Серго-Ивановское. На заводе действовала узкоколейная железная дорога, предназначенная для доставки глины от карьера до заводских цехов. Протяжённость узкоколейной железной дороги, по неподтверждённым данным, составляла около 1 километра.
По информации от В. Боченкова, в 1953 году в адрес Серго-Ивановского кирпичного завода были направлены 2 мотовоза МД54-2, построенных Истьинским машиностроительным заводом (Рязанская область).
Движение по узкоколейной железной дороге было прекращено не позднее 1995 года, затем она была полностью разобрана. По состоянию на 2003 год, кирпичный завод был разрушен.
ДУХОВЩИНСКИЙ РАЙОН
Узкоколейная железная дорога Свитского торфопредприятия. Начальный пункт — посёлок Озёрный, расположенный вблизи станции Сошно на железнодорожной линии Земцы — Смоленск.
Узкоколейная железная дорога полностью разобрана. Период ликвидации — 1990-е годы.
ЕЛЬНИНСКИЙ РАЙОН
Военно-полевая узкоколейная железная дорога Ельня — Ушаково — Дорогобуж. Начальный пункт — город Ельня, расположенный вблизи станции Ельня на железнодорожной линии Духовская — Занозная.

Узкоколейная железная дорога на оперативной карте
германской армии, составленной 09.07.1944
(обозначена не полностью).

Узкоколейная железная дорога на топографической карте масштаба 1:500 000 (нанесена условно). Узкоколейная железная дорога была построена в период временной оккупации территории Смоленской области для нужд германской армии. Ориентировочный период начала строительства — март 1943 года. Узкоколейная железная дорога имела собственное название — «Julia». Главная линия узкоколейной железной дороги пролегала по направлению Ельня — Ушаково. Позднее она была продлена до города Дорогобуж.
Скорее всего, узкоколейная железная дорога просуществовала менее года.
__________________________________________________________________________________________________
Узкоколейная железная дорога Ельнинского кирпичного завода. Местонахождение — город Ельня, расположенный вблизи станции Ельня на железнодорожной линии Духовская — Занозная.

Узкоколейная железная дорога на топографической карте
масштаба 1:100 000, изданной в 1979 году.

Увеличенный фрагмент той же самой карты.

Узкоколейная железная дорога на топографической карте
масштаба 1:50 000, изданной в 198? году. Ельнинский кирпичный завод находится на северной окраине города Ельня — центра Ельнинского района Смоленской области. В ведении завода находилась узкоколейная железная дорога, предназначенная для доставки глины от карьера до заводского цеха.
По информации от С. Костыгова, Ельнинский кирпичный завод был основан незадолго до Великой Отечественой войны, после войны был восстановлен. Первоначально доставка глины осуществлялась гужевым транспортом. В 1953 году была построена узкоколейная железная дорога. По информации от В. Боченкова, в том же году на Ельнинский кирпичный завод поступили два мотовоза МД54-2, построенных Истьинским машиностроительным заводом (Истье, Рязанская область).
В 1960-х годах (информация от С. Костыгова) на узкоколейную железную дорогу поступили два мотовоза МД54-4, в 1980 году — два тепловоза ТУ6А.
В 1985 году завод был переведён на новую схему работы, согласно которой, глина доставлялась автомобилями из карьера, расположенного на значительном удалении от завода. Вскоре узкоколейная железная дорога была полностью разобрана.
__________________________________________________________________________________________________
Ельнинская узкоколейная железная дорога. Начальный пункт — город Ельня, расположенный вблизи станции Ельня на железнодорожной линии Духовская — Занозная.

Узкоколейная железная дорога на топографической карте
масштаба 1:500 000, изданной в 1988 году. Узкоколейная железная дорога на топографической карте масштаба 1:200 000, изданной в 1985 году
Узкоколейная железная дорога на топографической карте масштаба 1:100 000, изданной в 1979 году
Ельнинская узкоколейная железная дорога на протяжении большей части своей истории принадлежала Ельнинскому леспромхозу. Основным назначением узкоколейной железной дороги был вывоз леса.
Информация, касающаяся истории узкоколейной железной дороги, получена в основном от исследователя железных дорог С. Костыгова, произведшего поездку в район местонахождения узкоколейной железной дороги в мае 2006 года.
По неподтверждённым данным, история узкоколейной железной дороги началась в период временной оккупации территории Смоленской области нацистской Германией (приблизительно в 1943 году). Помимо хорошо известной военно-полевой узкоколейной железной дороги к северу от Ельни, военно-полевая узкоколейная железная дорога была построена и южнее города. После освобождения Ельнинского района она стала использоваться как лесовозная узкоколейная железная дорога.
Заметка из газеты «Правда», номер за 13 февраля 1944 года, размещённая на сайте «Старые газеты»
(http://www.oldgazette.ru/pravda/13021944/text3.html):
Народная стройка
СМОЛЕНСК, 12 февраля. (ТАСС).
В городе Ельня и окрестных селениях, разрушенных гитлеровскими оккупантами, развёртываются крупные восстановительные работы. Трудящиеся района в общественном порядке начали строительство узкоколейной железнодорожной ветки протяжением 20 километров для вывозки древесины. Уже проложено 12 километров пути. Идёт строительство мостов.
В «наследство» от германской военно-полевой узкоколейной железной дороги, в первые годы Ельнинская узкоколейная железная дорога имела нестандартную для СССР ширину колеи — 600 мм. Такая ширина колеи сохранялась до 1958 года. На узкоколейной железной дороге работали мотовозы (предположительно трофейные), паровозов не было. На 20-м километре от Ельни возник лесной посёлок Луки.
После реконструкции на стандартную узкую колею 750 мм на узкоколейную железную дорогу поступали различные мотовозы, с 1980 года — тепловозы ТУ6А. К концу 1980-х годов состояние пути на магистрали почти всюду было аварийным, скорость движения не превышала 5-7 км/час. Приблизительно в 1990 году узкоколейная железная дорога была разобрана.
По состоянию на май 2006 года, в Ельне сохранялся частично разрезанный тепловоз ТУ6А, несколько платформ (без колёсных пар) и крытый грузовой вагон производства Алтайского завода, превращённый в хозяйственное помещение.
__________________________________________________________________________________________________
Узкоколейная железная дорога торфопредприятия «Голубев Мох». Начальный пункт — посёлок Голубев Мох.

Узкоколейная железная дорога на топографической карте масштаба 1:100 000,
изданной в 1979 году (обозначена разобранной). Торфопредприятие «Голубев Мох» находилось в посёлке Голубев Мох Ельнинского района. В ведении торфопредприятия находилась узкоколейная железная дорога торфовозного назначения. Главная станция узкоколейной дороги была расположена в посёлке Голубев Мох. Линии узкоколейной железной дороги связывали посёлок с торфомассивом и со станцией Калошино на железнодорожной линии Духовская — Занозная.
По информации от С. Костыгова, узкоколейная железная дорога была построена в конце 1940-х годов. Наибольшего развития она достигла в начале 1970-х годов. В то время на узкоколейной железной дороге работали мотовозы МД54-4, грузовая автодрезина ГМД, самоходная электростанция (мотовоз) ЭСУ1.
В 1980 году, по утверждению С. Костыгова, торфопредприятие «Голубев Мох» было закрыто, узкоколейная железная дорога была полностью разобрана. Мотовоз ЭСУ1 был передан на Рославльское торфопредприятие (посёлок Остёр), остальной подвижной состав был порезан.
Скорее всего, в действительности ликвидация узкоколейной железной дороги произошла не в 1980 году, а приблизительно в 1975 году — на топографической карте масштаба 1:100 000, изданной в 1979 году, узкоколейная железная дорога на всём протяжении обозначена как разобранная.
КАРДЫМОВСКИЙ РАЙОН
Узкоколейная железная дорога Любковского торфопредприятия. Начальный пункт — посёлок Кардымово, расположенный вблизи станции Кардымово на железнодорожной линии Вязьма — Духовская.
Узкоколейная железная дорога полностью разобрана. Период ликвидации — 1980-е годы.
КРАСНИНСКИЙ РАЙОН
Узкоколейная железная дорога вблизи станции Красное. Начальный пункт — станция Красное, расположенная на железнодорожной линии Смоленск — Орша.

Узкоколейная железная дорога на топографической карте
масштаба 1:100 000, изданной в 1941 году. Единственный источник информации о данной узкоколейной железной дороге — топографическая карта масштаба 1:100 000, изданная в 1941 году. Назначение узкоколейной железной дороги не установлено.
Узкоколейная железная дорога полностью разобрана.
МОНАСТЫРЩИНСКИЙ РАЙОН
Узкоколейная железная дорога Турковского торфопредприятия. Начальный пункт — посёлок Турковское торфопредприятие.

Узкоколейная железная дорога на топографической карте масштаба 1:100 000, изданной в 1983 году.

Увеличенный фрагмент той же самой карты. Узкоколейная железная дорога на топографической карте масштаба 1:50 000, изданной в 198? году
Турковское торфопредприятие находилось в одноимённом посёлке, расположенном в Монастырщинском районе Смоленской области, на удалении от железных дорог широкой колеи и судоходных водных путей. В ведении торфопредприятия находилась узкоколейная железная дорога торфовозного назначения.
Узкоколейная железная дорога была построена ориентировочно в 1960-х годах. Вывезенный по узкоколейной железной дороге торф поступал в основном на торфобрикетный завод.
Вывозка торфа по узкоколейной железной дороге была прекращена в 1998 году. После этого подвижной состав частично был передан на Рославльское торфопредприятие (посёлок Остёр) и на неустановленную узкоколейную железную дорогу в Республике Беларусь. В 2002 (?) году узкоколейная железная дорога была полностью разобрана.
По информации от исследователя железных дорог С. Костыгова, побывавшего на бывшем Турковском торфопредприятии в октябре 2003 года, на тот момент сохранялись развалины торфобрикетного завода, разграбленный тепловоз ТУ6А и разграбленный мотовоз (самоходная электростанция) ЭСУ2А.
ПОЧИНКОВСКИЙ РАЙОН
Узкоколейная железная дорога Редчинского торфопредприятия. Начальный пункт — посёлок Денисово, расположенный вблизи станции Пересна на железнодорожной линии Смоленск — Рославль.
По состоянию на 2004 год, узкоколейная железная дорога действует.
__________________________________________________________________________________________________
Узкоколейная железная дорога Мурыгинского кирпичного завода. Местонахождение — посёлок Кирпичный Завод, расположенный в окрестностях станции Пересна на железнодорожной линии Смоленск — Рославль.

Район местонахождения узкоколейной железной дороги на топографической карте
масштаба 1:100 000, изданной в 1983 году (узкоколейная
железная дорога не обозначена).

Район местонахождения узкоколейной железной дороги на топографической карте
масштаба 1:50 000, изданной в 198? году (узкоколейная
железная дорога не обозначена). Информация, касающаяся данной узкоколейной железной дороги, получена от исследователя железных дорог С. Костыгова, побывавшего на Мурыгинском кирпичном заводе в октябре 2003 года.
Дата открытия узкоколейной железной дороги не установлена. Узкоколейная железная дорога связывала территорию завода с глиняными карьерами, находившимися вблизи завода. На ней работал как минимум один неустановленный мотовоз.
Вблизи завода когда-то велись торфоразработки, завод работал на торфяном топливе. Не исключено, что узкоколейная железная дорога использовалась не только для перевозки глины, но и для перевозки торфа.
Не позднее 1980-х годов Мурыгинский кирпичный завод был переведён на новую схему работы, согласно которой, глина доставлялась автомобилями из карьера, расположенного на значительном удалении от завода. Вскоре узкоколейная железная дорога была полностью разобрана.
По состоянию на октябрь 2003 года, на Мурыгинском кирпичном заводе сохранялся рельсовый путь узкой колеи протяжённостью несколько десятков метров, предназначенный для доставки кирпича от обжиговых печей до склада. Имелось несколько вагонеток, которые перемещали ручной тягой.
__________________________________________________________________________________________________
Узкоколейная железная дорога (?) в посёлке Рябцево. Возможное местонахождение — посёлок Рябцево, расположенный у станции Рябцево на железнодорожной линии Смоленск — Рославль.

Узкоколейная железная дорога (?) на топографической карте
масштаба 1:100 000, изданной в 1983 году.

Увеличенный фрагмент той же самой карты.

Узкоколейная железная дорога (?) на топографической карте
масштаба 1:50 000, изданной в 198? году. Достоверной информацией, касающейся узкоколейной железной дороги вблизи станции Рябцево, автор не располагает. Возможно, по данному направлению всегда пролегал подъездной путь широкой колеи, узкоколейной железной дороги никогда не было (обозначение на картах — ошибка, допущенная картографами).
Узкоколейная железная дорога (в случае, если она когда-либо существовала) полностью разобрана.
ПРЖЕВАЛЬСКИЙ РАЙОН
Слободская узкоколейная железная дорога. Начальный пункт — посёлок Подосинки, расположенный на левом берегу реки Ельша.

Узкоколейная железная дорога на топографической карте
масштаба 1:500 000, изданной в 196? году.

Узкоколейная железная дорога на топографической карте масштаба 1:100 000,
изданной в 1986 году (нанесена условно). Слободская узкоколейная железная дорога была лесовозной, принадлежала Слободскому леспромхозу.
Ориентировочный период открытия узкоколейной железной дороги — 1950-е годы.
Не позднее конца 1970-х годов узкоколейная железная дорога была полностью разобрана. По её трассе частично была проложена грунтовая автодорога.
РОСЛАВЛЬСКИЙ РАЙОН
Узкоколейная железная дорога Рославльского торфопредприятия. Начальный пункт — посёлок Остёр, расположенный вблизи станции Остёр на железнодорожной линии Смоленск — Рославль.
По состоянию на 2007 год, узкоколейная железная дорога действует.
РУДНЯНСКИЙ РАЙОН
Узкоколейная железная дорога торфопредприятия «Голынки». Начальный пункт — посёлок Голынки, расположенный вблизи станции Голынки на железнодорожной линии Смоленск — Витебск.

Узкоколейные железные дороги торфопредприятий «Голынки» и «Гранки»
на карте масштаба 1:250 000, изданной в США в 1953 году.

Узкоколейная железная дорога на карте масштаба 1:300 000
(из «Карманного атласа Смоленска и окрестностей»,
изданного в 2001 году издательством «РУЗ Ко»).

Узкоколейная железная дорога на карте масштаба 1:200 000,
изданной в 1986 году. Узкоколейная железная дорога на топографической карте масштаба 1:100 000, изданной в 1981 году
Узкоколейная железная дорога на топографической карте масштаба 1:50 000, изданной в 198? году
Вблизи посёлка Голынки находилась узкоколейная железная дорога торфовозного назначения. По информации от С. Костыгова, узкоколейная железная дорога была построена в 1930-х годах. Первоначально на узкоколейной железной дороге работали паровозы, позднее — мотовозы МД54-4, самоходные электростанции (мотовозы) ЭСУ1А и ЭСУ2А.
Находящееся в посёлке Голынки торфопредприятие первоначально называлось «Голынки», с конца 1950-х годов — «Гранки-Голынки». В его ведении находились две невзаимосвязанные узкоколейные железные дороги — в Голынках и в соседнем посёлке Гранки.
Узкоколейная железная дорога была полностью разобрана приблизительно в 1995 году.
__________________________________________________________________________________________________
Узкоколейная железная дорога торфопредприятия «Гранки». Начальный пункт — посёлок Гранки, расположенный вблизи остановочного пункта Поселковая на железнодорожной линии Смоленск — Витебск.

Узкоколейная железная дорога на топографической карте масштаба 1:100 000, изданной в 1981 году.

Узкоколейная железная дорога на карте масштаба 1:300 000
(из «Карманного атласа Смоленска и окрестностей»,
изданного в 2001 году издательством «РУЗ Ко»). Узкоколейная железная дорога на топографической карте масштаба 1:50 000, изданной в 198? году
Посёлок Гранки находится в нескольких километрах к востоку от посёлка Голынки. В большинстве топографических карт название посёлка отсутствует (он показан как часть посёлка Голынки).
По информации от С. Костыгова, торфопредприятие «Гранки» было образовано в 1939 году. В конце 1950-х годов оно было объединено с соседним торфопредприятием «Голынки» и получило название «Гранки-Голынки».
Узкоколейная железная дорога на торфопредприятии «Гранки» действовала с 1930-х годов. Протяжённость узкоколейной железной дороги всегда была небольшой (менее 8 километров). Первоначально на узкоколейной железной дороге работали паровозы, позднее — мотовозы МД54-4, самоходные электростанции (мотовозы) ЭСУ2А, тепловозы ТУ6А.
Узкоколейная железная дорога была полностью разобрана не позднее 1995 года.
__________________________________________________________________________________________________
Узкоколейная железная дорога Руднянского торфопредприятия. Начальный пункт — посёлок Сташки, расположенный в окрестностях станции Плоская на железнодорожной линии Смоленск — Витебск.
Узкоколейная железная дорога полностью разобрана. Период ликвидации — 1990-е годы.
__________________________________________________________________________________________________
Узкоколейная железная дорога торфопредприятия «Чистик». Начальный пункт — посёлок Чистик.
Работа узкоколейной железной дороги прекратилась в конце 2004 года. По состоянию на 2007 год, узкоколейная железная дорога была почти полностью разобрана. Небольшой сохранившийся участок был непригоден для движения.
В последующие годы этот участок был полностью разобран.
САФОНОВСКИЙ РАЙОН
Военно-полевая узкоколейная железная дорога в Издешкове и окрестностях. Начальный пункт — посёлок Издешково, расположенный вблизи станции Издешково на железнодорожной линии Вязьма — Духовская.

Узкоколейная железная дорога на оперативной карте
германской армии, составленной 09.07.1944 По неподтверждённым данным, узкоколейная железная дорога была построена в период временной оккупации территории Смоленской области для нужд германской армии. Главная линия пролегала по направлению Издешково — Вадино, пересекала в одном уровне железнодорожную линию широкой колеи Дурово — Владимирский Тупик. Скорее всего, на начальном участке была использована трасса узкоколейной железной дороги Издешковского известкового завода.
Скорее всего, узкоколейная железная дорога просуществовала менее двух лет.
__________________________________________________________________________________________________
Узкоколейная железная дорога Издешковского известкового завода. Начальный пункт — посёлок Издешково, расположенный вблизи станции Издешково на железнодорожной линии Вязьма — Духовская.

Узкоколейная железная дорога на топографической карте
масштаба 1:200 000, изданной в 1941 году.

Узкоколейная железная дорога на топографической карте масштаба 1:100 000, изданной в 1991 году. Узкоколейная железная дорога на топографической карте масштаба 1:50 000, изданной в 198? году
В посёлке Издешково находится известковый завод. В ведении данного предприятия находилась узкоколейная железная дорога, основным назначением которой являлась доставка известняка от карьера до заводских цехов.
По неподтверждённым данным, в 1920-х годах по узкоколейной железной дороге перевозился торф, использовавшийся в качестве топлива на Издешковском известковом заводе и Издешковском льнозаводе.
Цитата из материала «Развитие Сафоновского края в 1920-1930-х гг» (http://www.safonovoweb.ru/history/saf.html):
Местная промышленность получила развитие и в Издешковском районе. Крупным предприятием края являлась Издешковская торфоразработка «Запторфа», на которой был занят 261 рабочий. В сезон 1929/30 г. она произвела 17,2 тыс. тонн торфа. На станции Издешково работал льнозавод. Издешковский известковый завод производил в год 12 682 тонн извести. На нём было занято 43 постоянных рабочих.
По информации от В. Боченкова, в 1957 году в адрес Издешковского известкового завода Истьинским машиностроительным заводом (Истье, Рязанская область) был отправлен мотовоз МД54-2.
Согласно топографической карте, изданной в 1991 году, протяжённость линии узкоколейной железной дороги от завода до карьера составляла 7 километров.
Узкоколейная железная дорога была разобрана не позднее 1990 года. Возможно, главной причиной этого была необходимость ликвидации переезда на магистральной автодороге Москва — Брест. После отказа от использования узкоколейной железной дороги сырьё стало доставляться на известковый завод автомобилями.
__________________________________________________________________________________________________
Узкоколейные железные дороги на угольных шахтах вблизи города Сафоново. Местонахождение — северная окраина города Сафоново.

Район местонахождения узкоколейных железных дорог на топографической карте
масштаба 1:100 000, изданной в 1991 году. Первые угольные шахты вблизи нынешнего города Сафоново были открыты в конце 1940-х годов. В 1949 году был образован трест «Дорогобужуголь».
По неподтверждённым данным, на всех шахтах действовали узкоколейные железные дороги, имевшие наземные участки незначительной протяжённости.
На шахтах добывался бурый уголь невысокого качества. В 1990-х годах его добыча стала нерентабельной. В 1997 году последняя угольная шахта в городе Сафоново была закрыта.
http://unwd.narod.ru/smo/safonovo/safonovo.html — фотографии, сделанные на одной из бывших шахт летом 2007 года
СМОЛЕНСКИЙ РАЙОН И ГОРОД СМОЛЕНСК
Узкоколейная железная дорога торфопредприятия «Красный Бор». Начальный пункт — посёлок Красный Бор, расположенный вблизи станции Красный Бор на железнодорожной линии Смоленск — Орша.

Узкоколейная железная дорога на топографической карте
масштаба 1:100 000, изданной в 1941 году.

Узкоколейная железная дорога на топографической карте масштаба 1:100 000,
изданной в 1981 году (обозначена разобранной).

Увеличенный фрагмент той же самой карты. В посёлке Красный Бор, входящем в черту города Смоленска, находилось торфопредприятие «Красный Бор». Торфопредприятию принадлежала узкоколейная железная дорога торфовозного назначения.
По информации от С. Костыгова, добыча торфа на торфомассиве вблизи посёлка Красный Бор велась с 1917 года. Узкоколейная железная дорога была построена значительно позднее — в 1943 году, почти сразу же после освобождения Смоленска от немецко-фашистских войск. При строительстве использовался труд военнопленных.
Узкоколейная железная дорога была разобрана в 1960-х годах. Торфопредприятие «Красный Бор» прекратило своё существование позднее — в начале 1990-х годов.
__________________________________________________________________________________________________
Узкоколейная железная дорога в окрестностях станции Тычинино. Начальный пункт — станция Тычинино на железнодорожной линии Смоленск — Рославль.

Район местонахождения узкоколейной железной дороги на топографической карте
масштаба 1:100 000, изданной в 1986 году. По информации от О. Захаренкова, вблизи станции Тычинино когда-то имелась узкоколейная железная дорога. Скорее всего, она связывала станцию Тычинино с Лосьминским комбинатом нерудных материалов.
Не позднее 1980-х годов узкоколейная железная дорога была заменена железнодорожной линией широкой колеи.
__________________________________________________________________________________________________
Узкоколейная железная дорога кирпичного завода (?) в Смоленске. Местонахождение — северная окраина города Смоленска.

Узкоколейная железная дорога на топографической карте
масштаба 1:50 000, изданной в 1926 году.

Узкоколейная железная дорога на топографической карте
масштаба 1:200 000, изданной в 1941 году. На северной окраине города Смоленска, вблизи населённого пункта Щёткино, действовала узкоколейная железная дорога. По неподтверждённым данным, она принадлежала кирпичному заводу, предназначалась для доставки глины от карьеров до завода.
Узкоколейная железная дорога была полностью разобрана не позднее 1980-х годов.
__________________________________________________________________________________________________
Военно-полевая узкоколейная железная дорога Смоленск — Рибшево. Начальный пункт — город Смоленск.

Военно-полевые узкоколейные железные дороги в районе Смоленска на
оперативной карте германской армии, составленной 19.08.1944.

Увеличенный фрагмент той же самой карты.

Узкоколейная железная дорога на карте масштаба 1:1 000 000,
изданной в 1988 году (нанесена условно). Сеть военно-полевых узкоколейных железных дорог севернее и северо-западнее города Смоленска была создана в период временной оккупации территории Смоленской области для нужд германской армии. По неподтверждённым данным, все линии были построены в 1943 году, использовался в основном труд советских военнопленных.
Узкоколейная железная дорога соединяла железнодорожные линии широкой колеи с северными районами нынешней Смоленской области, где в 1943 году пролегала линия фронта. Известно о наличии участков Смоленск — Паньково (?) — Рибшево, Паньково — Демидов, Демидов — Рудня. По неподтверждённым данным, на участке Рудня — Демидов использовалась колея 750 мм, на остальных участках — 600 мм (наиболее распространённая ширина колеи «германских» военно-полевых узкоколейных железных дорог).
Скорее всего, сеть узкоколейных железных дорог просуществовала не более года. После освобождения территории Смоленской области она не восстанавливалась.
__________________________________________________________________________________________________
Городская узкоколейная железная дорога (трамвай) в Смоленске. Местонахождение — город Смоленск.
Ширина колеи, принятая на трамвайной сети в Смоленске, первоначально составляла 1000 мм. С 1941 года трамвайного движения в городе не было, в ходе боевых действий трамвайное хозяйство было почти полностью уничтожено. В 1947 году был открыт трамвай колеи 1524 мм.
СЫЧЁВСКИЙ РАЙОН
Военно-полевая узкоколейная железная дорога в окрестностях Сычёвки. Начальный пункт — город Сычёвка, расположенный вблизи станции Сычёвка на железнодорожной линии Вязьма — Ржев.

Строящаяся железнодорожная линия Волоколамск — Сычёвка на оперативной
карте германской армии, составленной 12.11.1943. Узкоколейная железная дорога была построена в период временной оккупации территории Смоленской области для нужд германской армии. Ориентировочный период начала строительства — весна-лето 1942 года. К востоку от города Сычёвка в то время находилась линия фронта.
При строительстве узкоколейной железной дороги была использована трасса недостроенной железнодорожной линии широкой колеи Волоколамск — Сычёвка — Ломоносово — Велиж — Витебск. Строительство этой железнодорожной магистрали началось незадолго до войны, на отдельных участках была отсыпана насыпь.
Предполагаемая ширина колеи данной узкоколейной железной дороги (как и большинства военно-полевых узкоколейных железных дорог, построенных для нужд германской армии) — 600 мм. Протяжённость — около 20 километров (от города Сычёвка в восточном направлении).
Узкоколейная железная дорога просуществовала до весны 1943 года, когда Сычёвский район был освобождён Красной Армией.
УГРАНСКИЙ РАЙОН
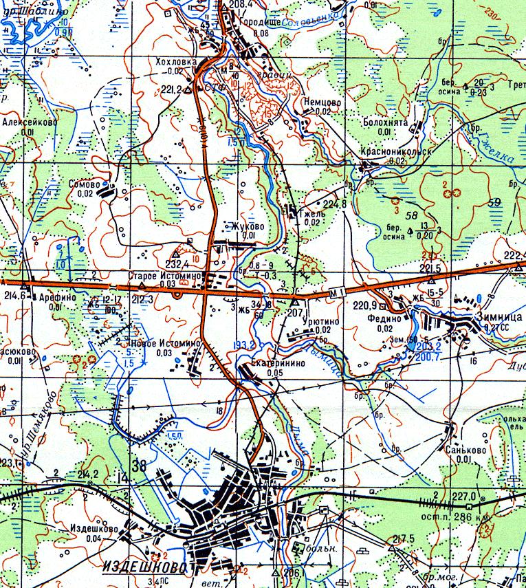
Узкоколейная железная дорога Баскаковка — Новомилятино — Милятино — Чипляево. Начальный пункт — посёлок Баскаковка, расположенный вблизи станции Баскаковка на железнодорожной линии Вязьма — Занозная.

Узкоколейная железная дорога на топографической карте масштаба 1:200 000, изданной в 1986 году. Узкоколейная железная дорога на топографической карте масштаба 1:100 000, изданной в 1941 году
Узкоколейная железная дорога на топографической карте масштаба 1:100 000, изданной в 1986 году (разобранные участки обозначены прерывистыми красными линиями)
История развития узкоколейных железных дорог в нынешнем Угранском районе Смоленской области началась со строительства узкоколейной железной дороги Чипляево — Милятино (ныне — территория Спас-Деменского района Калужской области). Она связала станцию Чипляево на Смоленско-Данковской железнодорожной линии с Милятинской фабрикой обёрточной бумаги (позднее — бумажным заводом). Линия Чипляево — Милятино была открыта не позднее 1910 года.
Цитата из материала «Чипляево (описание станций РУЖД и их окрестностей)» (http://ruzgd.ru/chiplyaevo.shtml):
Чипляево расположено на 143 версте от Смоленска, в Мосальском уезде.
...
В районе станции находится имение княгини 3.Н. Юсуповой, графини Сумароковой-Эльстон, занимающее 19000 десятин. В имении при селе Милятино, в 16 верстах от станции, — лесопильный завод и фабрика оберточной бумаги; перерабатывается на бумагу еловый лист, в количестве до 1000 кубических саженей в год. Фабрика эта соединена со станцией Чипляево узкоколейным рельсовым путем.
...
В 1911 году со станции Чипляево отправлено 9600 пассажиров и 485 тысяч пудов грузов; прибыло грузов 203 тысячи пудов. Преобладали в отправлении лесные материалы, оберточная бумага, картон и щепной товар, а в прибытии — хлебные грузы.

«Путь на бумажную фабрику княгини Юсуповой, графини Сумароковой-Эльстон от станции Чипляево» (Источник: http://ruzgd.ru/il/i_221_s.jpg)
По информации от И. Некрасова, позднее (ориентировочно в 1920-х годах) линия узкоколейной железной дороги была продлена от Милятинской фабрики до посёлка Новомилятино (первоначальное название Файерн), где был построен фанерный завод.
В 1933 году была введена в эксплуатацию магистральная железнодорожная линия широкой колеи Вязьма — Занозная — Фаянсовая. Новая железная дорога в двух местах пересекла трассу узкоколейной железной дороги Чипляево — Милятино — Новомилятино: первое пересечение находилось вблизи населённого пункта Куземки, второе — вблизи Новомилятино.
Наличие одноуровневых пересечений узкоколейной железной дороги с магистральной железнодорожной линией сочли неприемлемым. Поэтому вскоре участок Чипляево — Милятино был разобран, взамен была построена короткая ветвь до новой станции Милятинский Завод, где появился перегрузочный пункт. Участок узкоколейной железной дороги вблизи Новомилятино также был разобран, взамент была построена линия протяжённостью 4 километра, пролегающая параллельно широкой колее до станции Баскаковка, и линия Баскаковка — Новомилятино. В Баскаковке появилось разноуровневое пересечение путей широкой и узкой колеи. Были построены лесовозные линии, ведущие от посёлка Баскаковка в восточном и северо-восточном направлениях.
В районе села Калугово и озера Бездон в 1930-х годах началась массовая разработка торфа. Посёлок, в котором проживали торфозаготовители, находился на берегу озера Бездон. К торфоразработкам была подведена линия узкоколейной железной дороги. Торф использовался на Милятинском бумажном заводе и Новомилятинском фанерном заводе, перегружался в вагоны широкой колеи на станции Милятинский Завод.
В период Великой Отечественной войны узкоколейная железная дорога подверглась разрушению, после войны многие участки не восстанавливались. По неподтверждённым данным, был восстановлен только участок Баскаковка — Новомилятино и лесовозные линии к востоку от Баскаковки.
Участки, расположенные к востоку от Баскаковки, относились к Баскаковскому лесопункту Угранского леспромхоза и носили официальное название «Баскаковская узкоколейная железная дорога». Достоверными сведениями о принадлежности участка Баскаковка — Новомилятино автор не располагает (возможно, он принадлежал фанерному заводу).
Калуговское торфопредприятие в послевоенное время создавалось заново. Посёлок торфопредприятия был построен на новом месте, новые линии торфовозной узкоколейной железной дороги были проложены в стороне от старых.
В 1970-х годах последние линии узкоколейной железной дороги, находившиеся вблизи Баскаковки, были окончательно разобраны. Участок Баскаковка — Новомилятино был заменён подъездным путём широкой колеи, обслуживавшим фанерный завод. В 1990-х годах, после остановки завода, подъездной путь был разобран.
__________________________________________________________________________________________________
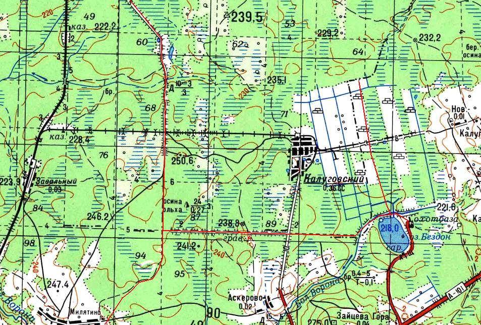
Узкоколейная железная дорога Калуговского торфопредприятия. Начальный пункт — посёлок Калуговский.

Узкоколейная железная дорога на топографической карте масштаба 1:100 000, изданной в 1986 году.
«Довоенные» линии узкоколейных железных дорог обозначены красным цветом. Калуговское торфопредприятие находится в посёлке Калуговский. Посёлок Калуговский является частью Мосальского района Калужской области, однако на всех известных топографических картах обозначен как находящийся в Угранском районе Смоленской области. Поэтому автор вынужден отнести данную узкоколейную железную дорогу к числу узкоколейных железных дорог Смоленской области.
Информация, касающаяся истории данной узкоколейной железной дороги, получена в основном от исследователя железных дорог С. Костыгова. Материал С. Костыгова, посвящённый истории узкоколейной железной дороги: http://www.pereyezd.ru/print.php?type=A&item_id=27
Добыча торфа на торфомассиве вблизи Села Калугово была начата в 1930-е годы, тогда же были построены линии узкоколейной железной дороги, составлявшие часть сети узкоколейных железных дорог Баскаковка — Новомилятино — Милятино — Чипляево, и посёлок на берегу озера Бездон (на карте, изданной в 1941 году, подписан как «Торфоразработки»).
После Великой Отечественной войны торфопредприятие и узкоколейную железную дорогу пришлось создавать заново. Центральный посёлок торфопредприятия, существующий в настоящее время под названием Калуговский, был построен в 3 километров к северо-западу от старого посёлка.
В 1950 году Калуговское торфопредприятие начало добычу торфа. Вскоре была открыта новая узкоколейная железная дорога, соединившая посёлок Калуговский с торфомассивом и со станцией (бывшим разъездом) Завальный на железнодорожной линии Вязьма — Занозная.
Первоначально на узкоколейной железной дороге работали мотовозы МУЗ4, СЭП, затем — мотовозы МД54-4, позднее — ЭСУ1А и ЭСУ2А. Механизированного торфоперегруза в Завальном не было, торф загружался в вагоны широкой колеи из штабеля с помощью крана.
Осенью 1993 года в Завальный прибыл последний состав с торфом. С этого времени движения по узкоколейной железной дороге не было. В течение нескольких последующих лет она была полностью разобрана.
По состоянию на 2000 год, в посёлке Калуговский оставались разграбленные самоходные электростанции (мотовозы) ЭСУ1А и ЭСУ2А. На месте «довоенного» посёлка, находившегося на берегу озера Бездон, располагалась охотничья база «Зайцева Гора».
__________________________________________________________________________________________________
Вертеховская узкоколейная железная дорога. Начальный пункт — посёлок Вертехово, расположенный вблизи остановочного пункта (бывшей станции) Вертехово на железнодорожной линии Вязьма — Занозная.

Узкоколейная железная дорога на топографической карте масштаба 1:100 000, изданной в 1986 году (наненесена условно). По информации от Р. Молочникова, Вертеховская узкоколейная железная дорога была лесовозной, относилась к Вертеховскому лесопункту Угранского леспромхоза. По неподтверждённым данным, узкоколейная железная дорога была построена в период временной оккупации этой территории (ориентировочно в 1942 году) для нужд германской армии, на строительстве использовался труд военнопленных.
После войны узкоколейная железная дорога была восстановлена и использовалась для вывоза леса. Узкоколейная железная дорога была разобрана в 1951 году.
В 2003 (?) году Р. Молочниковым был совершён поход по линии разобранной узкоколейной железной дороги. Как выяснилось, магистраль была идеально прямой, вела от Вертехово строго в восточном направлении. В 13 километрах от Вертехово сохранялись остатки лагпункта, где когда-то содержались заключённые-лесозаготовители. Трасса узкоколейной железной была сильно заросшей и проходилась с большим трудом.
__________________________________________________________________________________________________
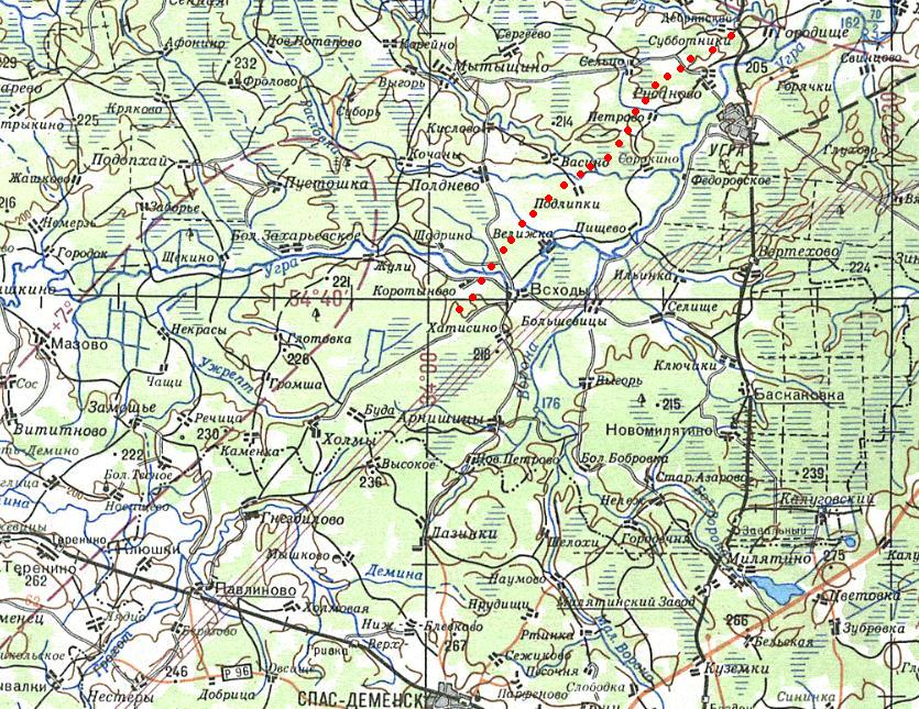
Военно-полевая узкоколейная железная дорога Дебрянский — окрестности села Всходы. Начальный пункт — разъезд Дебрянский, расположенный на железнодорожной линии Вязьма — Занозная.

Узкоколейная железная дорога на оперативной карте
германской армии, составленной 19.08.1944.

Узкоколейная железная дорога на топографической карте масштаба 1:500 000,
изданной в 1985 году (нанесена условно). Эта узкоколейная железная дорога была построена весной 1943 года силами советских войск с целью доставки оружия и боеприпасов к линии фронта. Использовались материалы верхнего строения пути, взятые на неустановленной лесовозной узкоколейной железной дороге.
Цитата из произведения «Товарищи в борьбе», автор — С. Г. Поплавский (http://victory.mil.ru/lib/books/memo/poplavsky_sg/04.html):
12 марта 1943 года была освобождена Вязьма.
...
Гитлеровское командование, создавая оборонительный рубеж, не без основания опасалось прорыва наших войск к Смоленску. И это опасение в конечном счете оправдалось. Но весной 1943 года у нас не хватало для прорыва ни сил, ни средств. Следовало прежде всего подтянуть тылы. Дело в том, что в результате дружного таяния снегов торфяная почва превратилась в зыбь, через которую не могли пройти ни повозки, ни машины, ни даже танки.
...
И все же как-то надо было выходить из положения. Я собрал начальников служб дивизии и командиров частей. Было решено проложить своими силами железнодорожную узкоколейку и обеспечить по ней подвоз боеприпасов, оружия и продовольствия. Для строительства путей использовались рельсы и шпалы, штабеля которых сохранились и были обнаружены в лесах: когда-то тут велись лесоразработки, действовала узкоколейная дорога.
По информации от Р. Молочникова, на узкоколейной железной дороге работали паровозы. Конечный пункт узкоколейной железной дороги неизвестен (возможно, она вела в направлении станции Павлиново на железнодорожной линии Духовская — Занозная).
Узкоколейная железная дорога проработала несколько месяцев и была разобрана после того, как в районе её местонахождения закончились боевые действия.
__________________________________________________________________________________________________
Военно-полевая узкоколейная железная дорога Волоста-Пятница — Знаменка — Юхнов. Начальный пункт — станция Волоста-Пятница, расположенная на железнодорожной линии Вязьма — Занозная.

Узкоколейная железная дорога на оперативной карте
германской армии, составленной 12.11.1943. Узкоколейная железная дорога была построена в период временной оккупации территории Смоленской области для нужд германской армии. Ориентировочный период начала строительства — лето 1942 года. Ширина колеи данной узкоколейной железной дороги (как и большинства военно-полевых узкоколейных железных дорог, построенных для нужд германской армии) — 600 мм.
Цитата из произведения «Я — истребитель», автор — Г. Н. Захаров (http://victory.mil.ru/lib/books/memo/zaharov/05.html):
Ануфриев долго летал над районами, примыкающими к Юхнову, но ничего подозрительного не видел. Разведчик был терпелив и вот заметил легкий дымок. Сам по себе этот дымок еще не говорил ни о чём существенном. Это мог быть какой-нибудь костёр, могла дымить крестьянская печь, но Ануфриеву показалось, что местоположение дымка меняется. Не быстро, но меняется. Это было странным. Так мог дымить паровоз, но в районе, над которым кружил разведчик, не было железных дорог. Ануфриев находился на большой высоте и, обманув воздушные патрули противника, нырнул в облака, снизился и прошёл над лесом. Теперь лётчик ясно увидел паровоз, который неторопливо тащил за собой вагонетки.
Так была обнаружена построенная немцами узкоколейка Вязьма — Знаменка — Юхнов. По ней противник скрытно перебрасывал к фронту свои войска. После разведки Ануфриева узкоколейка неоднократно подвергалась бомбардировочным ударам нашей авиации.
Узкоколейная железная дорога была разрушена в ходе освободительных боёв весной 1943 года. Скорее всего, после войны узкоколейная железная дорога не восстанавливалась.
ХОЛМ-ЖИРКОВСКИЙ РАЙОН
Тупиковская узкоколейная железная дорога. Начальный пункт — посёлок Владимирский Тупик, расположенный вблизи станции Владимирский Тупик (конечного пункта железнодорожной линии Дурово — Владимирский Тупик).
Узкоколейная железная дорога полностью разобрана. Ориентировочная дата ликвидации — 2008 год.
__________________________________________________________________________________________________
Смородинская узкоколейная железная дорога. Начальный пункт — посёлок Никитинка, расположенный вблизи станции Никитинка на железнодорожной линии Дурово — Владимирский Тупик.
По состоянию на 2007 год, узкоколейная железная дорога действует.
ЯРЦЕВСКИЙ РАЙОН
Узкоколейная железная дорога Ярцевского (?) торфопредприятия. Начальный пункт — город Ярцево, расположенный вблизи станции Ярцево на железнодорожной линии Вязьма — Духовская.

Узкоколейная железная дорога на топографической карте масштаба 1:100 000, изданной в 1941 году.

Узкоколейная железная дорога на топографической карте масштаба 1:200 000, изданной в 1941 году.

Узкоколейная железная дорога на топографической карте
масштаба 1:500 000, изданной в 1980 году.

Узкоколейная железная дорога на топографической карте масштаба 1:200 000, изданной в 1980-х годах.

Узкоколейная железная дорога на карте масштаба 1:300 000 (из «Карманного атласа
Смоленска и окрестностей», изданного в 2001 году издательством «РУЗ Ко»). В 1873 году вблизи станции Ярцево на Александровской (Московско-Брестской) железной дороге началось строительство бумагопрядильной фабрики — «Хлудовской мануфактуры». Через некоторое время на торфомассиве к юго-востоку от посёлка Ярцево была начата добыча топливного торфа, основным потребителем которого являлась «Хлудовская мануфактура». Вблизи торфомассива возник посёлок торфозаготовителей Пронькино.
В 1900-х (?) годах была построена торфовозная узкоколейная железная дорога от «Хлудовской мануфактуры» до торфомассива. На узкоколейной железной дороге работали паровозы.
http://www.yartsevo.ru/cultura_poezia2.htm — упоминание «торфа из Пронькино» в стихотворном произведении
В 1960-х годах Ярцевский текстильный комбинат (бывшая Хлудовская мануфактура) перестал использовать торфяное топливо.
В 1970-х (?) годах узкоколейная железная дорога была полностью разобрана.
22.11.2008 © [ДАННЫЕ УДАЛЕНЫ]
назад
на главную страницу