ID: 7308
УЗКОКОЛЕЙНЫЕ ЖЕЛЕЗНЫЕ ДОРОГИ РОСТОВСКОЙ ОБЛАСТИ
410
Ростовская область — субъект Российской Федерации. Центр — г. Ростов-на-Дону. Площадь — 100 800 км², численность населения 4 334 тыс. чел. (2005).
По состоянию на 2010 год, было известно о наличии в Ростовской области одной действующей узкоколейной железной дороги, не относящейся к категории шахтных — Малой Северо-Кавказской (Ростовской) детской железной дороги. Вероятность наличия в регионе других сохранившихся узкоколейных железных дорог, не относящихся к категории шахтных, представляется близкой к нулю.
Число действующих шахтных узкоколейных дорог не установлено.
БЕЛОКАЛИТВИНСКИЙ РАЙОН
Узкоколейная железная дорога в окрестностях населённого пункта Большая Лучка. Начальный пункт — населённый пункт Большая Лучка.

Район местонахождения узкоколейной железной дороги на топографической карте
масштаба 1:100 000, изданной в 1982 году. Узкоколейная железная дорога, пролегающая по направлению населённый пункт Большая Лучка — шахта №7, показана в некоторых топографических картах, изданных в 1930-е годы. Скорее всего, узкоколейная железная дорога связывала шахту №7 со пристанью на реке Северский Донец.
Узкоколейная железная дорога была полностью разобрана не позднее 1970-х годов.
ГУКОВСКИЙ ГОРОДСКОЙ ОКРУГ
Шахтная узкоколейная железная дорога в Гукове. Местонахождение — город Гуково.

Узкоколейная железная дорога на топографической карте
масштаба 1:100 000, изданной в 1941 году.

Район местонахождения узкоколейной железной дороги на топографической карте масштаба 1:100 000,
изданной в 1993 году (основная часть), 1982 году (восточная часть). В городе Гуково и его окрестностях действовали узкоколейные железные дороги, соединявшие станцию на железной дороге широкой колеи с угольными шахтами. На топографической карте масштаба 1:100 000, изданной в 1941 году, показана узкоколейная железная дорога длиной около 3 километров, пролегающая по направлению станция Гуково — шахта №20.
Практически все протяжённые наземные участки шахтных узкоколейных железных дорог были заменены линиями широкой колеи.
По неподтверждённым данным, вплоть до 1990-х годов длинные наземные выходы шахтных узкоколейных железных дорог связывали шахты с Гуковской ЦОФ (Центральной обогатительной фабрикой).
По состоянию на 2010 год, в городе Гуково сохраняются действующие шахты. Скорее всего, есть короткие наземные участки шахтных узкоколейных железных дорог.
КАМЕНСКИЙ РАЙОН
Узкоколейная железная дорога Лихая — Чичерино. Начальный пункт — посёлок Лиховской (Лихая).

Район местонахождения узкоколейной железной дороги на топографической карте
масштаба 1:100 000 (узкоколейная железная дорога не обозначена).

Район местонахождения узкоколейной железной дороги на топографической карте
масштаба 1:100 000 (узкоколейная железная дорога не обозначена). На топографической карте масштаба 1:100 000, изданной в 1941 году, показана узкоколейная железная дорога длиной около 2 километров, пролегающая по направлению станция Лихая — рудник (шахта) имени Чичерина.
Не исключено, что в действительности подъездной путь от станции Лихая до шахты имени Чичерина всегда был ширококолейным. На карте он мог быть ошибочно показан как узкоколейная железная дорога.
В любом случае, как минимум с 1970-х годов по направлению Лихая — Чичерино (шахта имени Чичерина) пролегал только подъездной путь широкой колеи.
__________________________________________________________________________________________________
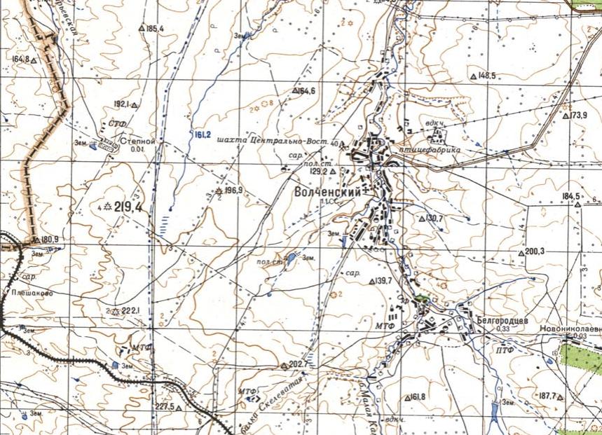
Узкоколейная железная Плешаково — Волченский. Начальный пункт — станция Плешаково, расположенная на железнодорожной линии Лихая — Изварино (по состоянию на 2010 год, железнодорожная линия Лихая — Изварино полностью разобрана).

Район местонахождения узкоколейной железной дороги на топографической карте
масштаба 1:100 000, изданной в 1941 году.

Район местонахождения узкоколейной железной дороги на топографической карте
масштаба 1:100 000, изданной в 1982 году. По неподтверждённым данным, узкоколейная железная дорога соединяла станцию Плешаково с угольной шахтой «Центрально-Восточная», находившейся на окраине хутора Волченский. Возможный период работы узкоколейной железной дороги — 1950-е годы.
Ни на одной из известных автору топографических карт узкоколейная железная дорога не обозначена.
Узкоколейная железная дорога полностью разобрана.
__________________________________________________________________________________________________
Узкоколейная железная дорога шахты в окрестностях посёлка Углерод. Начальный пункт — посёлок Углерод, расположенный в окрестностях станции Замчалово на железнодорожной линии Лихая — Горная.

Район местонахождения узкоколейной железной дороги на топографической карте
масштаба 1:100 000, изданной в 1941 году.

Узкоколейная железная дорога на топографической карте
масштаба 1:100 000, изданной в 1982 году. В окрестностях посёлка Углерод действовала узкоколейная железная дорога, обслуживавшая угольную шахту, но имевшая необычно большую для шахтных узкоколейных железных дорог протяжённость наземного участка — почти 2 километра.
По информации от С. Костыгова, в 1973 году Камбарским машиностроительным заводом был построен тепловоз ТУ7, получателем которого значилось Лиховское шахтоуправление, доставка осуществлялась до станции Лихая. Не исключено, что этот тепловоз поступил именно в Углерод.
Узкоколейная железная дорога была полностью разобрана не позднее 1990-х годов.
МАТВЕЕВО-КУРГАНСКИЙ РАЙОН
Узкоколейная железная дорога бумажной фабрики «Красный Бумажник». Начальный пункт — бумажная фабрика «Красный Бумажник», расположенная вблизи населённых пунктов Красный Бумажник и Шапошниково.

Район местонахождения узкоколейной железной дороги на топографической карте
масштаба 1:100 000, изданной в 1941 году.

Узкоколейная железная дорога на топографической карте масштаба 1:100 000, изданной в 1999 году. Узкоколейная железная дорога на бумажной фабрике «Красный Бумажник», по неподтверждённым данным, была построена во второй половине 1940-х годов, в ходе реконструкции фабрики после разрушений, полученных в период Великой Отечественной войны.
Узкоколейная железная дорога соединяла бумажную фабрику со станцией Матвеев Курган на железной дороге широкой колеи. Протяжённость линии узкоколейной железной дороги составляла около 4 километров. Перевозилось сырьё (макулатура), готовая продукция и другие грузы.
Среди имевшегося подвижного состава — различные мотовозы (в том числе переоборудованный мотовоз МД54-4 постройки Истьинского машиностроительного завода), по неподтверждённым данным — тепловоз ТУ7.

Переоборудованный мотовоз МД54-4 постройки Истьинского машиностроительного завода на узкоколейной
железной дороге бумажной фабрики «Красный Бумажник». 1989 год. Автор фотографии — С. Волков.
Фотография размещена в книге «Наши узкоколейные тепловозы и электровозы» (М., 2003). В первой половине 1990-х годов бумажная фабрика «Красный Бумажник» была закрыта. Узкоколейная железная дорога была полностью разобрана.
http://old.wikimapia.org/#lat=47.5787115&lon=38.8086301&z=18&l=1&m=s&v=9 — территория бывшей бумажной фабрики «Красный Бумажник» на спутниковых снимках
http://www.taganrog.su/phpBB2/viewtopic.php?p=190717 — фотографии бывшей бумажной фабрики «Красный Бумажник», 2010 год
ГОРОД НОВОШАХТИНСК
Узкоколейная железная дорога в Новошахтинске. Местонахождение — город Новошахтинск.

Узкоколейная железная дорога на топографической карте
масштаба 1:100 000, изданной в 1983 году. В восточной части города Новошахтинска (район шахты имени Кирова) действовала узкоколейная железная дорога протяжённостью около 4 километров. С почти полной уверенностью можно утверждать, что она представляла собой нетипично длинный «наземный выход» шахтной узкоколейной железной дороги.
Узкоколейная железная дорога полностью разобрана не позднее 1990-х годов.
ОБЛИВСКИЙ РАЙОН
Узкоколейная железная дорога Обливская — Серафимович (Усть-Медведицкая). Начальный пункт — станция Обливская, расположенная на железнодорожной линии Морозовская — Максима Горького.

Узкоколейная железная дорога на топографической карте масштаба 1:1 000 000, изданной в 1991 году (нанесена условно). Узкоколейная железная дорога являлась военно-полевой. Узкоколейная железная дорога была построена в августе 1942 года для нужд германской армии в ходе наступления на Сталинград.
Наиболее вероятная ширина колеи — 600 мм (как и у большинства германских военно-полевых узкоколейных железных дорог). Помимо основной линии Обливская — Серафимович (Усть-Медведицкая), существовали другие линии.
Скорее всего, узкоколейная железная дорога действовала непродолжительное время.
ГОРОД РОСТОВ-НА-ДОНУ
Малая Северо-Кавказская (Ростовская) детская железная дорога. Начальный пункт — станция Солнечная, расположенная в городе Ростове-на-Дону.
По состоянию на 2010 год, узкоколейная железная дорога действует.
ГОРОД ШАХТЫ
Узкоколейная железная дорога в городе Шахты. Местонахождение — город Шахты.

Узкоколейная железная дорога на топографической карте
масштаба 1:100 000, изданной в 1983 году. На западной окраине города Шахты действовала наземная узкоколейная железная дорога протяжённостью около 1,5 километров. С почти полной уверенностью можно утверждать, что она представляла собой нетипично длинный «наземный выход» шахтной узкоколейной железной дороги.
Узкоколейная железная дорога полностью разобрана не позднее 1990-х годов.
12.06.2011 © [ДАННЫЕ УДАЛЕНЫ]
назад
на главную страницу