ID: 7304
УЗКОКОЛЕЙНЫЕ ЖЕЛЕЗНЫЕ ДОРОГИ ОРЛОВСКОЙ ОБЛАСТИ
900
Орловская область — субъект Российской Федерации. Центр — г. Орёл. Площадь — 24 700 км², численность населения 833 тыс. чел. (2006).
По состоянию на 2010 год, я не располагаю сведениями о наличии на территории Орловской области действующих полноценных узкоколейных железных дорог. Скорее всего, действующих полноценных узкоколейных железных дорог в регионе нет.
Имеется объект, который в средствах массовой информации иногда назывался узкоколейной железной дорогой. А именно: короткий рельсовый путь узкой колеи, построенный жителем города Орла Станиславом Филиным. На самом деле это не узкоколейная железная дорога и даже не объект рельсового транспорта. Это насмешка над железной дорогой.
БОЛХОВСКИЙ РАЙОН
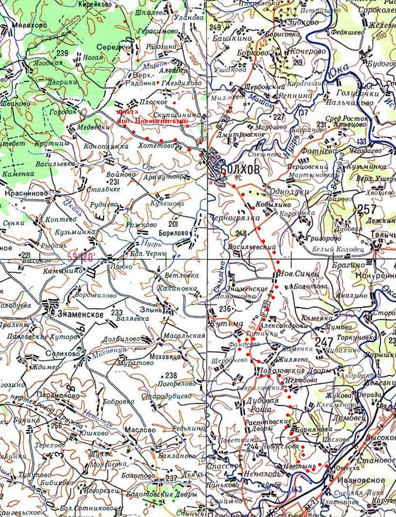
Болховская (?) узкоколейная железная дорога. Начальный пункт — город Болхов.

Узкоколейная железная дорога на оперативной карте
германской армии, составленной 12.11.1943.

Узкоколейная железная дорога на карте масштаба 1:250 000, изданной в США в 1953 году.

Узкоколейная железная дорога на топографической карте масштаба 1:500 000, изданной в 1986 году, западная часть,
1988 году, восточная часть (нанесена условно, на основе данных других карт). В материале, посвящённом истории Болховской узкоколейной железной дороги, использована в основном информация из статьи М. Шаненкова «Забытый болховский проект», опубликованной в газете «Орловская правда», номер от 6.10.2004.
Проекты узкоколейной железной дороги, связывающей город Болхов с сетью магистральных железных дорог, были разработаны до революции 1917 года. Однако в то время реализовать их не удалось.

Проектируемая железная дорога Орёл — Болхов на карте, изданной
ориентировочно в 1910-х годах. Проект не был реализован. В 1942 году, когда территория нынешней Орловской области была оккупирована нацистской Германией, началось строительство узкоколейной железной дороги Оптуха — Болхов — шахта вблизи населённого пункта Новоигинский. На строительстве использовался труд советских военнопленных. Ширина колеи составляла 600 мм.
В конце 1942 года было открыто движение от станции Оптуха до Болхова. Весной 1943 года началось строительство участка узкоколейной железной дороги от Болхова до окрестностей населённого пункта Кирейково. Оно не было завершено.
Цитата из материала «ЖИВАЯ СВЯЗЬ ВРЕМЁН», автор — Л. И. Каралюнец (http://www.sbs-orel.ru/gazeta/g2004-04.html):
В трёх километрах от Казанского храма, у железнодорожной станции Оптуха, в 1942–43 годах фашисты сосредоточили на складах большие запасы военного снаряжения, которым снабжали свои части, находящиеся под Мценском и Болховом. До сих пор сохранились остатки фашистской узкоколейной железной дороги, по которой в Болхов доставлялись боеприпасы, а в Германию вывозился чернозём.
Летом 1943 года Орловская область была освобождена Красной Армией. 16 июня 1944 Совет народных комиссаров РСФСР издал распоряжение № 1355-р: «Обязать Орловский облисполком передать трофейную узкоколейную ветку Оптуха — Болхов Орловской области протяжением 60 км (находящуюся в разрушенном и безнадзорном состоянии) в ведение Наркомместтоппрома РСФСР». 20 июня 1944 года вышло «Постановление исполкома Орловского облсовета депутатов трудящихся и бюро обкома ВКП(б) о восстановлении узкоколейной железной дороги Оптуха — Болхов».
Согласно составленному отчёту о состоянии узкоколейной железной дороги, на ней имелось 48 водоотводящих труб, пять виадуков общим протяжением 60 метров, шесть станций, линия связи общим протяжением 72 километра, паровозное депо, экипировочные пункты в населённых пунктах Хрыки и Липовка. Сохранившийся подвижной состав — три паровоза, два мотовоза и 80 вагонов.
Узкоколейная железная дорога была восстановлена в кратчайший срок, в восстановительных работах участвовали жители близлежащих населённых пунктов и города Орла. Было образовано хозрасчётное управление узкоколейной железной дороги при областном исполнительном комитете. Управление узкоколейной железной дороги первоначально находилось по адресу: г. Орёл, ул. Сакко и Ванцетти (ныне — Карачевская), д. 93. В 1949 году управление узкоколейной железной дороги было переведено в Болхов.
В 1950-х годах узкоколейная железная дорога была основным средством сообщения Болховского района с железнодорожной магистралью широкой колеи. По узкоколейной железной дороге перевозился лес, уголь, добывавшийся на шахте «Ленинская» в населённом пункте Новоигинский, и другие грузы.
Цитата из материала «Пути-дороги Орловщины», автор — А. Кондратенко (http://www.myorel.ru/orel/?article=274):
Неподалёку от Брянска была проложена линия Жуковка — лесные дачи протяженностью 85 вёрст, обеспечивавшая лесом промышленность. Аналогичная короткая ветка Оптуха — Болхов была построена во время немецкой оккупации в годы второй мировой войны силами местных жителей. По этой дороге фашисты переправляли материалы для строительства оборонительных сооружений, а после войны она служила Орлу для подвоза леса и дров.
В начале 1960-х годов в Болховском районе появились автодороги с твёрдым покрытием, возрос автопарк. В 1961 (?) году, после газификации района, была закрыта шахта «Ленинская» в посёлке Новоигинский.
16 октября 1963 года исполком Орловского областного Совета депутатов трудящихся принял решение о ликвидации узкоколейной железной дороги. Материалы верхнего строения пути и подвижной состав подлежали реализации по остаточной стоимости. Сроком окончания демонтажа пути было назначено 1 июля 1964 года.
По состоянию на 2004 год, на трассе разобранной узкоколейной железной дороги местами сохранялась насыпь, остатки мостов и других сооружений. Вблизи бывшего моста через реку Ока у станции Оптуха сохранялось несколько метров пути.
http://bolhovujd.narod.ru/index.html — «Забытый болховский проект» (материал, опубликованный в газете «Орловская правда», номер от 6.10.2004, автор — М. Шаненков)
ВЕРХОВСКИЙ РАЙОН
Ливенская узкоколейная железная дорога. Начальный пункт — станция Верховье.

Узкоколейная железная дорога на карте Орловской губернии, по состоянию на
1890-е годы (источник — «Энциклопедический словарь Брокгауза и Ефрона»).

Зимнее расписание движения поездов 1879 года (из «Путеводителя по Российским
железным дорогам и пароходным сообщениям», изданного в 1882 году).

Расписание движения поездов на лето 1897 года (из «Официального указателя
железнодорожных, пароходных и других пассажирских сообщений»). Ливенская узкоколейная железная дорога пролегала по направлению станция Верховье (на Орловско-Грязской железной дороге) — станция Ливны, расположенная в одноимённом городе, центре Ливенского уезда.
Ливенская узкоколейная железная дорога считается первой в России узкоколейной железной дорогой. Её строительство началось в 1870 году, открытие состоялось 15 апреля 1871 года. Ширина колеи — 1067 мм, протяжённость — 62 километра.
Узкоколейная железная дорога первоначально являлась казённой (государственной), однако высказывается версия, что строительство в значительной части финансировалось предпринимателями Ливенского уезда.
Цитата из материала «Железнодорожная старина», автор — А. Кондратенко (http://www.adm.orel.ru/kultur/?page=4):
В Ливнах ещё много лет назад говорили о том, что строительство [Ливенской узкоколейной железной] дороги обошлось ливенскому купечеству в полтора миллиона рублей. Впрочем, «Орловский адрес-календарь на 1893-1894 академический год» однозначно указывает на то, что линия была сооружена на казённый счет.
Цитата из материала «Пути-дороги Орловщины», автор — А. Кондратенко (http://www.myorel.ru/orel/?article=274):
Помимо «стандартных» дорог, оказавших столь существенное влияние на общество, в регионе строились малые, например, Ливенская узкоколейная железная дорога (ширина колеи 3 футов 6 дюймов в отличие от стандартной в 5 футов), соединившая в 1871 году богатые хлебом Ливны с только что начавшей действовать станцией Верховье Орловско-Грязской линии. Это была первая узкоколейная дорога в России, она была построена как опытная, в отличие от Новгородской и Вологодской, где узкая колея была выбрана в целях удешевления строительства.
На Ливенской линии, на всех её пяти станциях, работал специальный подвижной состав: два пассажирских паровоза и четыре грузовых. В 1896 году все 57 вёрст дороги были перешиты на стандартный размер.
Дорога строилась как экспериментальная. До начала строительства делегация российских инженеров посетила узкоколейную железную дорогу Фестиньог (Ffestiniog) в Великобритании, с целью ознакомления с опытом её работы.
При создании подвижного состава для Ливенской узкоколейной железной дороги были внедрены некоторые технические новшества.
Цитата из материала «Шуберский Карл Эрнестович» ( http://www.biografija.ru/show_bio.aspx?id=131432):
Назначенный в 1870 году членом Управления по постройке этой дороги, строившейся под руководством графа А. П. Бобринского, впоследствии министра путей сообщения, Шуберский на Ливенской дороге применил целый ряд своих изобретений, как-то: особую безопасную систему сцепления вагонов, новый тип товарного вагона в 1650 килограмм веса, поднимающего 5000 килограмм груза, особые смазочные коробки, буфера особой системы, особые спальные вагоны и прочее.
Итоги работы первой в России узкоколейной железной дороги были признаны успешными. Вскоре началось массовое строительство узкоколейных железных дорог в разных регионах страны.
Узкоколейная железная дорога выполняла грузовые и пассажирские перевозки. Основным грузом являлось зерно и другая сельскохозяйственная продукция.
Первоначально Ливенская узкоколейная железная дорога была самостоятельной административной единицей. В 1893 году казённые Ливенская и Орловско-Грязская железные дороги были переданы в аренду частным Юго-Восточным железным дорогам.
Цитата из «Энциклопедического словаря Брокгауза и Ефрона» (http://www.brocgaus.ru/text/117/305.htm):
Юго-Восточные железные дороги общим протяжением 3244 версты — состоят во владении акционерного общества и составились путём слияния (в 1893 году) частных железных дорог Грязе-Царицынской и Козлово-Воронежско-Ростовской и казённых Орловско-Грязской и Ливенской; последние переданы обществу Юго-восточных железных дорог в аренду на срок по соглашению министров путей сообщения и финансов и государственного контролёра, но правительство имеет право изъять их из арендного владения не иначе как при одновременном выкупе прочих дорог общества.
1 января 1897 года Ливенская узкоколейная железная дорога была передана частной Московско-Киево-Воронежской железной дороге. Вскоре общество Московско-Киево-Воронежской железной дороги приняло решение о реконструкции дороги на широкую колею и о строительстве нового участка Ливны — Мармыжи.
Цитата из «Энциклопедического словаря Брокгауза и Ефрона» (http://www.brocgaus.ru/text/067/794.htm):
7 июня 1895 года Высочайше утверждено 3-е дополнение к уставу общества Киево-Воронежской железной дороги, согласно которому обществу присваивается наименование общества Московско-Киево-Воронежской ж. д., отдаётся (с 1 января 1897 г.) в арендное содержание казённая Ливенская ж. д., находящаяся ныне в арендном пользования общества Юго-восточных жел. дор., и предоставляется сооружение и эксплуатация рельсовых путей: 1) ширококолейных — а) от ст. Брянск, Льгово-Брянской линии, на Сухиничи, Калугу и Малоярославец до Москвы, с соединительными путями, и б) от ст. Мармыжи, Киево-Воронежского участка, до ст. Ливны, Ливенской ж. д., с перестройкой последней в ширококолейную, и 2) узкоколейной ветви от ст. Пирятин до пристани Красное, на левом берегу Днепра.
В 1898 году Ливенская узкоколейная железная дорога была заменена железнодорожной линией широкой колеи, пролегавшей по тому же направлению (на большинстве участков — по той же насыпи). Подвижной состав частично был передан на узкоколейную железную дорогу Охочевка — Колпны (построена Обществом Московско-Киево-Воронежской железной дороги, открыта 13 сентября 1899 года).
По состоянию на 2004 год, в посёлке Верховье сохраняется здание бывшего депо Ливенской узкоколейной железной дороги.
ГЛАЗУНОВСКИЙ РАЙОН
Зиновьевская узкоколейная (?) железная дорога. Начальный пункт — станция Глазуновка, расположенная на железнодорожной линии Орёл — Курск.

Зиновьевская узкоколейная (?) железная дорога на карте, изданной ориентировочно в 1910-х годах.
Вблизи конечного пункта показан чугуноплавильный завод.

Зиновьевская узкоколейная (?) железная дорога на топографической карте масштаба 1:500 000, изданной в 1986 году,
западная часть, 1988 году, восточная часть (нанесена условно, на основе данных других карт). Зиновьевская узкоколейная (?) железная дорога на топографической карте масштаба 1:100 000, изданной в 1941 году (обозначена разобранной, обозначена не полностью)

Расписание движения поездов с 15 октября 1911 года (из «Официального указателя
железнодорожных, пароходных и других пассажирских сообщений»).

Расписание движения поездов с мая 1917 года (из «Официального указателя
железнодорожных и других пассажирских сообщений»). «Зиновьевская ветвь» Московско-Курской железной дороги была построена в 1890-х либо в 1900-х годах. Ширина колеи не установлена (скорее всего, не 750 мм). С наибольшей вероятностью, данная железная дорога никогда не была узкоколейной, она всегда имела стандартную колею — 1524 мм.
Узкоколейная железная дорога выполняла в основном перевозку зерна, по неподтверждённым данным — также железной руды и (или) продукции чугуноплавильного завода, находившегося вблизи конечной станции Дьячье. Протяжённость главной линии Глазуновка — Дьячье составляла 35 вёрст (37 километров). Существовали и другие линии. Суммарная протяжённость не установлена.
http://glasunovka.ru/zinovevskaya-zh-d-pgo-1902/ — Зиновьевская железная дорога в издании «Полное географическое описание нашего отечества. 1902 год»
В период Гражданской войны (в 1919 году?) железная дорога была разрушена, после войны не восстанавливалась. Насыпь узкоколейной (?) железной дороги была частично использована для устройства грунтовой дороги по направлению Глазуновка — населённый пункт Макеево.
Цитата из материала «Пути-дороги Орловщины», автор — А. Кондратенко (http://www.myorel.ru/orel/?article=274):
Существовала также 38-вёрстная линия Дьячье — Глазуновка. Во время Гражданской войны здесь даже курсировал бронепоезд, ветка серьёзно пострадала в результате боёв.
В последующие годы губернская власть вела длительную переписку с Москвой по поводу средств на восстановление колеи. Требовалось 30 миллионов рублей, однако в Орле нашли только три миллиона. В итоге сельская «чугунка» исчезла, хотя до революции по ней вывозилось более полумиллиона пудов хлеба в год.
Цитата из материала «Где вы, добрые люди исчезнувших деревень?», автор — С. Патиоха
(http://ru.wikisource.org/wiki/Где_вы,_добрые_люди_исчезнувших_деревень_(Патиоха)):
Через северную часть имения проходила Зиновьевская железная дорога Глазуновка – Дьячье (Михайловский р-н Курской обл.). Из Дьячьего вывозили железную руду на Глазуновку, и далее отправлялась она в Тулу. В Глазуновке было два вокзала: Московской дороги и Зиновьевской.
В Глазуновке же был поворотный круг для разворота паровозов и водонапорная башня для их заправки. Утром и вечером из Глазуновки и Дьячьего отправлялись пассажирские поезда. От центра имения до одной железнодорожной станции было 4 км, а до другой – 6,5 км.
КОЛПНЯНСКИЙ РАЙОН
Узкоколейная железная дорога Колпнянского сахарного завода (?). Возможный начальный пункт — Колпнянский сахарный завод, расположенный вблизи станции Колпны (конечного пункта железнодорожной линии Охочевка — Колпны).

Узкоколейная железная дорога на топографической карте масштаба 1:500 000 (нанесена условно). Узкоколейная железная дорога на топографической карте масштаба 1:100 000 (обозначена разобранной, обозначена не полностью)
Колпнянский сахарный завод является главным предприятием посёлка Колпны и Колпнянского района. По неподтверждённым данным, в его ведении находилась узкоколейная железная дорога. Согласно топографическим картам, она пролегала по направлению Колпны — окрестности населённого пункта Ахтырка.
До 1958 года посёлок Колпны являлся конечным пунктом узкоколейной железной дороги Охочевка — Колпны, составлявшей часть сети железных дорог общего пользования МПС СССР. Не исключено, что узкоколейная железная дорога Колпнянского сахарного завода имела ширину колеи 1000 мм и составляла с этой узкоколейной железной дорогой единую сеть.
Информацией о дате открытия узкоколейной железной дороги автор не располагает. Известно о том, что в 1943 году, в период временной оккупации территории Орловской области немецко-фашистскими войскам, в Колпны были завезены материалы верхнего строения пути для строительства железнодорожной линии Колпны — Малоархангельск. Построить эту железнодорожную линию не удалось в связи с наступлением советских войск.
Цитата из материала «Железнодорожники Южного направления при подготовке и в ходе проведения битвы на Курской дуге», автор — А.Н. Манжосов ( http://www.onb.kursk.ru/2005/ZhELEZNODOROZhNIKI-YuZhNOGO-NAPRAVLENIYa.htm):
Приведём отрывки из отчёта о технической разведке участка Мармыжи — Курск, проведённой специалистами ВЭО-14. «На станции Мармыжи осталось 5 взорванных и 2 повреждённых паровоза (серий Щ и О), которые возможно восстановить деповским ремонтом. Имеется один взорванный бронепоезд, 7 исправных вагонов узкой и 8 вагонов широкой колеи. Водокачки, водозаёмные здания, гидроколонки, 2 вновь построенных деревянных депо уничтожены. Станционные здания, жилые дома полностью взорваны».
На участке Охочевка — Колпны, согласно тому же отчёту, осталось 4 паровоза и 49 вагонов, скопилось большое количество рельсов, шпал, скреплений, подготовленных для продления железнодорожного пути до Малоархангельска.
Возможно, построенная в период оккупации насыпь была использована для прокладки узкоколейной железной дороги сахарного завода.
Узкоколейная железная дорога полностью разобрана.
МЦЕНСКИЙ РАЙОН
Узкоколейная железная дорога Мценского кирпичного завода. Начальный пункт — Мценский кирпичный завод, расположенный в городе Мценске, вблизи станции Мценск на железнодорожной линии Орёл — Горбачёво.
Узкоколейная железная дорога полностью разобрана. Ориентировочное время ликвидации — 1991 год.
ГОРОД ОРЁЛ
Узкоколейная железная дорога Орловского сталепрокатного завода (?). Возможный начальный пункт — Орловский сталепрокатный завод (ОСПАЗ), расположенный в городе Орле, вблизи станции Стальной Конь на железнодорожной линии Орёл — Горбачёво.

Район возможного местонахождения узкоколейной железной дороги на
топографической карте масштаба 1:100 000, изданной в 1986 году. Орловский сталепрокатный завод (ОСПАЗ) находится на северо-восточной окраине города Орла. Завод связан подъездным путём широкой колеи со станцией Стальной Конь на железнодорожной линии Орёл — Горбачёво.
Согласно информации, предоставленной С. Костыговым, в 1980-х годах в адрес Орловского сталепрокатного завода был направлен тепловоз-дрезина ТУ6Д, произведённый Камбарским машиностроительным заводом.
Скорее всего, узкоколейной железной дороги на Орловском сталепрокатном заводе никогда не было — в документах Камбарского машиностроительного завода была допущена ошибка. Другая версия — тепловоз-дрезина ТУ6Д был перестроен для работы на подъездных путях широкой колеи.
По состоянию на 18 ноября 2005 года (поездка автора в город Орёл), узкоколейной железной дороги на заводе не было. Попасть внутрь охраняемой территории не удалось, однако она была обойдена по периметру. Со слов работников завода, на предприятии в течение всей его истории действовали только пути широкой колеи.
Почти вся заводская территория просматривается из-за ограды. Никаких признаков наличия узкоколейной железной дороги выявить не удалось.
Теоретически, нельзя исключать, что на заводе имеется «непросматриваемая» узкоколейная железная дорога внутри здания какого-либо цеха. Однако на такой дороге едва ли мог бы работать тепловоз-дрезина ТУ6Д, предназначенный для эксплуатации на открытом воздухе.
Согласно спутниковым снимкам территории Орловского сталепрокатного завода, признаков наличия узкоколейной железной дороги нет.
__________________________________________________________________________________________________
Городская узкоколейная железная дорога (трамвай). Начальный пункт — город Орёл.
Трамвайное движение в городе Орле было открыто 3 (15) ноября 1898 года. Трамвайная линия была построена бельгийским акционерным обществом «Compagnie mutuelle de tramways». Ширина колеи составляла 1000 мм. Первый маршрут протяжённостью 5,5 км пролегал по направлению железнодорожный вокзал — центр города — губернская больница.
В период Гражданской войны и разрухи (с 1919 года по май 1922 года) трамвайное движение не осуществлялось.
В 1938 году началась реконструкция трамвайной сети на широкую колею (1524 мм). В 1939 году она была завершена.
По данным на 2007 год, Орёл является одним из немногих городов России, где ширококолейная трамвайная сеть содержится в хорошем состоянии. Трамвайное хозяйство Орла — одно из лучших в стране.
http://oryol.narod.ru/tramvai.html — «Орловскому трамваю 100 лет»
__________________________________________________________________________________________________
Рельсовый путь узкой колеи С. Филина. Местонахождение — город Орёл.
Рельсовый путь узкой колеи был построен приблизительно в 2005-2008 годах жителем г. Орла Станиславом Филиным на собственном приусадебном земельном участке. Используется самодельный электровоз.
Рельсовый путь узкой колеи имеет незначительную протяжённость (несколько десятков метров). Он не является узкоколейной железной дорогой.
http://metroblog.ru/post/1873/ — материал, посвящённый данному объекту, 2009 год
УРИЦКИЙ РАЙОН (центр района — посёлок Нарышкино)
Узкоколейная железная дорога исправительной колонии ЯИ-22/5. Местонахождение — посёлок Нарышкино, расположенный у станции Нарышкино на железнодорожной линии Орёл — Брянск.
Узкоколейная железная дорога не действует ориентировочно с 2009 года. По состоянию на 2011 год, узкоколейная железная дорога почти полностью разобрана.
29.11.2007 © [ДАННЫЕ УДАЛЕНЫ]
назад
на главную страницу