ID: 7299
УЗКОКОЛЕЙНЫЕ ЖЕЛЕЗНЫЕ ДОРОГИ НИЖЕГОРОДСКОЙ ОБЛАСТИ
3784
Нижегородская область — субъект Российской Федерации. Центр — г. Нижний Новгород. Площадь — 76 900 км², численность населения 3 445 тыс. чел. (2005).
По состоянию на 2007 год, в Нижегородской области находилось 10 действующих узкоколейных железных дорог: узкоколейная железная дорога Кулебакского металлургического завода (колея 1067 мм), узкоколейная железная дорога Каликинского шпалопропиточного завода, узкоколейная железная дорога Пешеланского гипсового завода, узкоколейная железная дорога завода «Капролактам» («промышленные»), узкоколейная железная дорога Керженецкого торфопредприятия, ранее составлявшая часть сети узкоколейных железных дорог Горьковского предприятия промышленного железнодорожного транспорта, узкоколейная железная дорога Большеорловского торфопредприятия, ранее составлявшая часть сети узкоколейных железных дорог Горьковского предприятия промышленного железнодорожного транспорта, узкоколейная железная дорога Альцевского торфопредприятия (торфовозные), Пижемская узкоколейная железная дорога (лесовозная), Буреполомская узкоколейная железная дорога (лесовозная, находящаяся в ведении исправительно-трудового учреждения), Малая Горьковская (Нижегородская) детская железная дорога.
Представлялась наиболее вероятной ликвидация в близком будущем Пижемской узкоколейной железной дороги и узкоколейной железной дороги Большеорловского торфопредприятия.
АРДАТОВСКИЙ РАЙОН
Венецкая (?) узкоколейная железная дорога. Начальный пункт — посёлок Венец, расположенный у станции Венец на железнодорожной линии Муром — Арзамас.

Район местонахождения узкоколейной железной дороги на топографической карте масштаба 1:200 000,
изданной в 1986 году (узкоколейная железная дорога не обозначена). Узкоколейная железная дорога относилась к категории лесовозных. Предполагаемая трасса магистрали: станция Венец — лесной массив в районе села Венец.
Узкоколейная железная дорога полностью разобрана. Ориентировочный период ликвидации — 1960-е годы.
__________________________________________________________________________________________________
Саконская (?) узкоколейная железная дорога. Начальный пункт — посёлок Саконы, расположенный у станции Саконы (ныне — остановочный пункт) на железнодорожной линии Муром — Арзамас.

Район местонахождения узкоколейной железной дороги на топографической карте
масштаба 1:200 000, изданной в 1987 году (узкоколейная
железная дорога не обозначена). Узкоколейная железная дорога относилась к категории лесовозных. Предполагаемая трасса магистрали: станция Саконы — лесной массив, расположенный севернее станции.
Узкоколейная железная дорога полностью разобрана. Ориентировочный период ликвидации — 1960-е годы.
АРЗАМАССКИЙ РАЙОН
Узкоколейная железная дорога Пешеланского гипсового завода. Начальный пункт — посёлок Пешелань, расположенный у станции Пешелань на железнодорожной линии Арзамас — Красный Узел.
По состоянию на 2008 год, узкоколейная железная дорога действует.
__________________________________________________________________________________________________
Балахонихинская (?) узкоколейная железная дорога. Начальный пункт — посёлок Балахониха, расположенный у станции Балахониха на железнодорожной линии Муром — Арзамас.

Район местонахождения узкоколейной железной дороги на топографической карте масштаба 1:200 000,
изданной в 1987 году (узкоколейная железная дорога не обозначена). Узкоколейная железная дорога относилась к категории лесовозных. Магистральные линии узкоколейной железной дороги, по неподтверждённым данным, пролегали от посёлка Балахониха в северном и северо-восточном направлениях.
Узкоколейная железная дорога полностью разобрана. Ориентировочный период ликвидации — 1960-е годы.
__________________________________________________________________________________________________
Узкоколейная железная дорога (?) окрестностях разъезда Маяк. Начальный пункт — разъезд (ныне остановочный пункт) Маяк на железнодорожной линии Муром — Арзамас.

Разобранная узкоколейная железная дорога (?) на топографической карте
масштаба 1:200 000, изданной в 1987 году. Узкоколейная железная дорога (либо железнодорожная линия широкой колеи) пролегала по направлению разъезд Маяк — населённый пункт Чапары — лесной массив. По одной из версий, узкоколейная железная дорога была лесовозной, составляла единую сеть с узкоколейной железной дорогой, начальным пунктом которой являлся соседний посёлок Балахониха.
Узкоколейная железная дорога (в случае, если она когда-либо существовала) полностью разобрана.
БАЛАХНИНСКИЙ РАЙОН
Узкоколейная железная дорога Чернораменского транспортного управления («Балахнинско-Шуйская сеть узкоколейных железных дорог»). Начальный пункт — станция Балахна-Сортировочная, расположенная в городе Балахна, вблизи станции Балахна на железнодорожной линии Нижний Новгород — Заволжье.
«Балахнинско-Шуйская сеть узкоколейных железных дорог» была одной из крупнейших сетей узкоколейных железных дорог СССР. Помимо Чернораменского транспортного управления (ЧТУ), владельцами разных участков единой сети в разное время были Ламненско-Куракинское торфопредприятие (второе место после ЧТУ по протяжённости линий — участки, расположенные западнее станции Талицы), Балахнинский целлюлозно-картонный комбинат (сравнительно небольшой участок пути в черте города Балахны), Мостовский леспромхоз, и некоторые другие предприятия.
Узкоколейная железная дорога полностью разобрана. Ориентировочная дата ликвидации последнего участка на территории Нижегородской области — 2000 год. Ориентировочная дата ликвидации последнего участка на территории Ивановской области (вблизи Мугреевского торфопредприятия) — 2004 год.
__________________________________________________________________________________________________
Узкоколейная железная дорога Балахнинского целлюлозно-бумажного комбината. Местонахождение — Балахнинский целлюлозно-бумажный комбинат, расположенный в городе Балахна, вблизи станции Правдинск на железнодорожной линии Нижний Новгород — Заволжье.

Район местонахождения узкоколейной железной дороги на топографической
карте масштаба 1:100 000, изданной в 1970-х годах. Балахнинский целлюлозно-бумажный комбинат находится в северной части города Балахны (бывший посёлок Правдинск). Комбинат вступил в строй в 1928 году. Комбинат является одним из крупнейших предприятий целлюлозно-бумажной промышленности.
По информации от С. Костыгова, на территории Балахнинского целлюлозно-бумажного комбината действовала узкоколейная железная дорога. Предположительно, она соединяла лесобиржу на берегу Волги с заводскими цехами.
Узкоколейная железная дорога полностью разобрана. Ориентировочный период ликвидации — 1960-е годы.
БОГОРОДСКИЙ РАЙОН
Узкоколейная железная дорога Богородского торфопредприятия (?). Возможный начальный пункт — посёлок Зелёный Дол.

Район возможного местонахождения узкоколейной железной дороги на
топографической карте масштаба 1:100 000, изданной в 1980 году.

Район возможного местонахождения узкоколейной железной дороги на топографической карте
масштаба 1:100 000 из «Атласа «Нижегородская область». Богородское (первоначально Большое Крашевское) торфопредприятие находится в посёлке Зелёный Дол (прежние названия — Торфоразработки и Крашевское) Богородского района Нижегородской области. Торфопредприятие основано в 1932 году.
Цитата из книги «Геологические экскурсии по Горьковской области», изданной в 1954 году, автор — Н.М. Шомысов (http://digger.h1.ru/lib.php?book=geo54&ch=11):
Торфяное месторождение Большое Крашевское находится около села Крашево Богородского района и является самым крупным торфяником в этом районе. Залежь торфа расположена в долине реки Кудьмы (правый приток р. Волги), а отчасти и на её заливной террасе (пойме).
...
Это торфяное месторождение разрабатывается с 1932 года. Торф употребляется в качестве топлива.
Торфопредприятие упоминается в архивных записях от 1944 года.
В 1970-х годах (?) на Богородском торфопредприятии был построен торфобрикетный завод. Посёлок торфопредприятия получил название Зелёный Дол.
По состоянию на 2008 год, Богородское торфопредприятие является одним из четырёх действующих торфопредприятий Нижегородской области (другие — Керженецкое, Большеорловское, Альцевское).
Достоверными сведениями о наличии на Богородском торфопредприятии узкоколейной железной дороги автор не располагает. По неподтверждённым данным, узкоколейной железной дороги на торфопредприятии нет, вывозка торфа осуществляется колёсно-гусеничной техникой.
БОРСКИЙ РАЙОН
Узкоколейная железная дорога Каликинского шпалопропиточного завода. Местонахождение — Каликинский шпалопропиточный завод, расположенный в посёлке Шпалозавод, вблизи остановочного пункта Шпалозавод и станции Каликино на железнодорожной линии Нижний Новгород — Котельнич.
По состоянию на 2008 год, узкоколейная железная дорога действует.
__________________________________________________________________________________________________
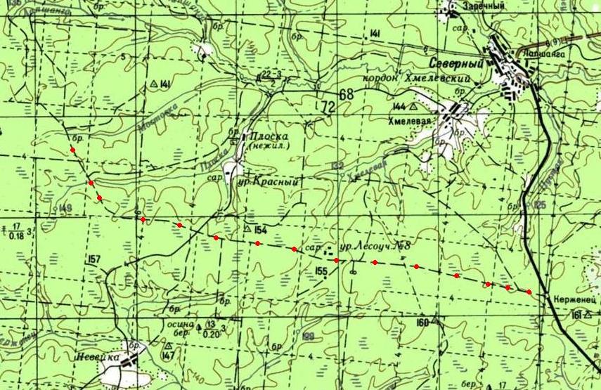
Узкоколейная железная дорога Керженецкого торфопредприятия. Начальный пункт — станция Керженец, расположенная в посёлке Керженец.
Узкоколейная железная дорога Керженецкого торфопредприятия ранее составляла часть сети узкоколейных железных дорог Горьковского предприятия промышленного железнодорожного транспорта.
По состоянию на 2008 год, узкоколейная железная дорога действует.
__________________________________________________________________________________________________
Узкоколейная железная дорога Большеорловского торфопредприятия. Начальный пункт — станция Орловская, расположенная в посёлке Большие Орлы (официальное название — Большеорловский).
Узкоколейная железная дорога Большеорловского торфопредприятия ранее составляла часть сети узкоколейных железных дорог Горьковского предприятия промышленного железнодорожного транспорта.
По состоянию на 2008 год, узкоколейная железная дорога действует. Не исключено уничтожение узкоколейной железной дороги в близком будущем.
__________________________________________________________________________________________________
Борская узкоколейная железная дорога. Начальный пункт — станция Тесовая, расположенная в черте города Бора, вблизи станции Моховые Горы (конечный пункт железнодорожной линии Толоконцево — Моховые Горы).
Борская узкоколейная железная дорога относилась к категории лесовозных. Узкоколейная железная дорога начала строиться в 1943 году. На протяжении большей части своей истории она составляла единую сеть с узкоколейной железной дорогой Горьковского предприятия промышленного железнодорожного транспорта.
По информации от Е. Медоварова, основанной на номерах газеты «За благоустройство города» (приложение к газете «Горьковская коммуна»), строительство УКЖД Бор-Керженец начато 15.08.1943. По состоянию на 16.08.44 земляное полотно готово полностью, рельсы уложены на 24 км. Общая длина 52 км + 3 км ветка к Пикинскому торфопредприятию. Строительство имеет 1 паровоз и 5 платформ. 1 паровоз предоставен Ситниковским торфопредприятием. Начальник строительства — Н. Пухов.
Определение «узкоколейная железная дорога Бор — Керженец» предполагало, что главная линия должна быть проложена от Бора до реки Керженец, а не до посёлка Керженец.
В 1944 (?) году узкоколейная железная дорога вступила в строй. Главная линия пролегала по направлению: станция Волга (пристань) — станция Тесовая (главная станция в черте города Бора) — пересечение с торфовозной узкоколейной железной дорогой — Ватома — Берёзовка — Рустай — Черноречье — лесные массивы. Позднее на пересечении с торфовозной линией Ситники — Чистое был построен уникальный для узкоколейных железных дорог объект — двухуровневая развязка.
Лесозаготовки на Волжско-Ветлужской низине в 1950-е годы имели огромный размах. Появилось много лесных посёлков, протяжённость лесовозных ветвей узкоколейной железной дороги составляла свыше двухсот километров.
Помимо узкоколейной железной дороги, в течение некоторого времени в окрестностях города Бора действовала лесовозная монорельсовая дорога.
Вывоз леса по узкоколейной железной дороге был прекращён в 1970-х годах. Магистраль Борской узкоколейной железной дороги на участке от двухуровневого пересечения до станции Большие Орлы была разобрана. Участок от бывшего двухуровневого пересечения до города Бора действовал вплоть до лета 2002 года, использовался в основном Борским силикатным заводом.
__________________________________________________________________________________________________
Узкоколейная железная дорога Борского силикатного завода. Начальный пункт — Борский силикатный завод, расположенный в городе Бор.
До 1993 года (ориентировочно) узкоколейная железная дорога Борского силикатного завода составляла часть сети узкоколейных железных дорог Горьковского предприятия промышленного железнодорожного транспорта. Позднее она работала в виде изолированной узкоколейной железной дороги, протяжённость которой составляла 12 километров (в том числе первые 6 километров, от города Бора до бывшего двухуровневого пересечения — начальный участок бывшей Борской лесовозной узкоколейной железной дороги).
Узкоколейная железная дорога была полностью разобрана в течение летних месяцев 2002 года.
__________________________________________________________________________________________________
Конно-рельсовая дорога («конка», «гужевой трамвай») в Боровской слободе. Местонахождение — Боровская слобода (ныне — город Бор).
Конно-рельсовая дорога использовалась для пассажирских перевозок в Боровской слободе. Ширина колеи не установлена (скорее всего, использовалась узкая колея — 1000 мм, либо широкая колея — 1524 мм).
Конно-рельсовая дорога была открыта в 1905 году. Линия конно-рельсовой дороги имела протяжённость свыше двух километров.
Цитата из материала «Каталось село на конке...», опубликованного в общероссийской газете «Гудок», номер от 2 октября 2004 года, автор — Николай Морохин (http://ciriuc.ru/index.php/print/234):
Село Бор, стоящее на берегу Волги, было небедным. К началу ХХ века числилось в нем 136 лавок, 17 трактиров. Борчан кормил перевоз. По пути из Нижнего Новгорода на север губернии, в вятские и костромские земли надо было вначале переправиться через Волгу. А перед дальней дорогой через таежные леса как следует подкрепиться, купить все необходимое, проверить, в исправности ли транспорт.
В конце XIX века в селе появились судоремонтные мастерские и хлебные склады нижегородского купца Николая Башкирова. Он и проложил пути к ним от пристани, от затопляемого весной волжского берега вдоль озера под названием Бездонное, заключив об этом договор аренды земли с сельским обществом в 1891 году. Зерно вывозилось к пристани в небольших вагонах, в которые были впряжены лошади.
Срок арендуемого землеотвода истекал в 1904 году. И купец решил его не продлевать. Тем временем в селе, оказывается, уже мечтали о том, как можно будет использовать готовый рельсовый путь. Его перекупает Михаил Дутов, о котором известно, что он незадолго до этого переехал в село из приволжского городка Макарьева. Бор, по его замыслу, должен был получить транспорт не хуже петербургского или московского – именно там приезжие крестьяне могли видеть конку, в Нижнем Новгороде её в ту пору еще не было. И вскоре представители борского сельского общества – крестьяне Ковылкин, Московцев и Лепин – подписывают с Дутовым новый договор аренды, предусматривающий открытие пассажирской конной железной дороги.
Компаньоном Дутова стал, как он значится в архивных документах, «инженер путей сообщения Клементий Иванович Карась, проживающий на Нижегородском железнодорожном вокзале». Управляющим дорогой назначают Станислава Нарушиса. И начинается разработка, говоря современным языком, целого пакета документов. Разумеется, путь от склада до причала был малоудобен для жителей села. Линию «подправили», и она должна была в итоге соединить часть Бора, именуемую Перевоз, с базаром. На ней предполагалось устроить несколько разъездов, ведь при общей длине две версты 139 саженей на маршруте предстояло пустить четыре вагона. Отдельная документация посвящена этим вагонам.
Сообщается, что они должны быть «стандартными», на 32 места, развивать скорость до десяти верст в час. Вагоны сопровождают в пути кучер и кондуктор, причем это должны быть во всех отношениях благонадежные люди не младше 21 года. Оговаривается, что вагоны должны оборудоваться тормозами и эти тормоза необходимо регулярно проверять, что на свободном доступе там должна находиться жалобная книга. И вот «Обязательное постановление о содержании Борской конной железной дороги» утверждает Министерство внутренних дел: это был первый случай в России, когда пассажирский транспорт пускали в селе, и губернское земское собрание.
Утром 19 августа 1905 года конка впервые огласила село Бор своим звонком.
Популярность её была очень велика. В зависимости от того, сидел пассажир или стоял, он покупал билеты за пять или за три копейки. Но при таких ценах доход от конки составлял в день не меньше 25 рублей. В дни работы Нижегородской ярмарки, когда и в селе Бор появлялось много приезжих, он мог превысить и сотню рублей. Впрочем, организатор конки Михаил Дутов, как потом стало ясно из архивных документов, никакого навара от своего предприятия не видел. Совладелец Карась вместе с управляющим успешно обманывали Дутова, объясняя, что от этой затеи одни убытки, и вынуждали расплачиваться и за аренду, и за издержки.
В конце концов инициатор пуска конки, видя, что от нее одно только разорение, в 1914 году продает сельскую конную железную дорогу.
Покупатель находится тут же. Им оказывается... управляющий Нарушис, который годами жаловался на полное отсутствие прибыли.
Однако владеть ему конкой долго не пришлось. В 1918 году ее национализировали. И вскоре разобрали. Причиной, вероятно, стал износ путей, которые толком не ремонтировались четверть века. Так село Бор лишилось одной из своих достопримечательностей – первой на территории России работавшей в сельской местности конной пассажирской железной дороги.
В 1918 году конно-рельсовая дорога была национализирована. Добиться возобновления её работы не удалось, конно-рельсовая дорога была разобрана.
__________________________________________________________________________________________________
Узкоколейная железная дорога завода «Нижегородский Теплоход». Местонахождение — завод «Нижегородский Теплоход», расположенный в черте города Бора, вблизи станции Моховые Горы (конечный пункт железнодорожной линии Толоконцево — Моховые Горы).
Завод «Нижегородский Теплоход» начал строиться в 1911 году, выпустил первую продукцию в 1914 году. Современное название завод имел с первого дня своего существования (несмотря на то, что в то время преобладающим типом речных судов были пароходы).
http://zavodteplohod.ru/about/?d=1511 — «Завод «Нижегородский Теплоход»: историческая справка»
По информации от И. Копайсова, в первые годы работы завода на его территории находилась внутризаводская узкоколейная железная дорога.
Узкоколейная железная дорога полностью разобрана. Дата ликвидации не установлена.
ВАДСКИЙ РАЙОН
Узкоколейная железная дорога в Анненковском карьере. Местонахождение — Анненковский карьер, связанный железнодорожной линией широкой колеи со станцией Вадок на магистральной железнодорожной линии Арзамас — Канаш.

Район местонахождения узкоколейной железной дороги на топографической карте масштаба 1:100 000,
изданной в 1990 году (узкоколейная железная дорога не обозначена).

Район местонахождения узкоколейной железной дороги на топографической
карте масштаба 1:100 000 из «Атласа «Нижегородская область»
(узкоколейная железная дорога не обозначена). В Анненковском карьере производится добыча доломита. Для транспортировки доломита от забоев до дробилки использовалась узкоколейная железная дорога.
Цитата из книги «Геологические экскурсии по Горьковской области», изданной в 1954 году, автор — Н.М. Шомысов (http://digger.h1.ru/lib.php?book=geo54&ch=3):
После окончания взрывных работ небольшие куски доломита нагружают в железные вагонетки и по узкоколейным путям увозят на дробилку или транспортировка их производится автосамосвалом, а крупные глыбы доломитового камня большими кувалдами (молотами) и стальными клиньями разбивают на более мелкие куски, прямо в карьере. В особых больших щековых дробилках доломит измельчается на мелкие куски, размером 3-5 см, называемые щебнем. Такой измельченный камень и употребляется в основном Горьковским областным дорожным отделом для устройства шоссейных и грунтовых дорог и Казанской железной дорогой для устройства насыпей железнодорожных путей.
В 1960-х годах (ориентировочно) узкоколейная железная дорога была разобрана. С этого времени транспортировка доломита в Анненковском карьере производится автомобильным транспортом.
По состоянию на 2010 год, железнодорожная линия широкой колеи Вадок — Вадокский карьер полностью разобрана. Вероятно, карьер не действует.
ВАРНАВИНСКИЙ РАЙОН
Узкоколейная железная дорога Ляпуновского кирпичного завода. Начальный пункт — посёлок Ляпуново.

Район местонахождения узкоколейной железной дороги на топографической карте масштаба 1:100 000,
изданной в 1985 году (узкоколейная железная дорога не обозначена). Ляпуновский кирпичный завод находился вблизи населённого пункта Ляпуново (окрестности посёлка Варнавино). По информации от В. Миронова, в ведении завода находилась узкоколейная железная дорога, предназначенная для доставки глины от карьера до заводского цеха. Протяжённость узкоколейной железной дороги составляла менее 1 километра.
В последние годы работы узкоколейной железной дороги на ней имелся один мотовоз МД54-4. В начале 1990-х годов кирпичный завод был остановлен, узкоколейная железная дорога была разобрана.
__________________________________________________________________________________________________
Узкоколейные железные дороги вблизи станций Унженской железной дороги. Начальные пункты не установлены.

Предполагаемая трасса одной из узкоколейных железных дорог на топографической карте
масштаба 1:200 000, изданной в 1994 году. Вблизи Унженской железной дороги широкой колеи (по состоянию на 2008 год, «остатком» Унженской железной дороги является железнодорожная линия Сухобезводное — Лапшанга) действовало несколько лесовозных узкоколейных железных дорог, примыкавших к Унженской железной дороге в различных точках. Достоверной информацией о количестве и расположении узкоколейных железных дорог автор не располагает.
Узкоколейные железные дороги были разобраны в 1960-х годах, после вывода Унженской железной дороги из подчинения МВД и ликвидации большинства исправительно-трудовых учреждений «Унжлага».
ВАЧСКИЙ РАЙОН
Торфовозная узкоколейная железная дорога в районе посёлка Вача (?). Возможные начальные пункты — посёлок Вача либо торфомассив, расположенный к югу от посёлка.

Район возможного местонахождения узкоколейной железной дороги на топографической
карте масштаба 1:200 000, изданной в 1986 году. Главным предприятием посёлка Вача является металлообрабатывающий завод, известный с 18 века. С начала 20 века до 1960-х годов (?) завод использовал торфяное топливо. Торфоразработки находились в 13-15 километрах южнее посёлка Вача.
По неподтверждённым данным, для вывоза торфа использовалась узкоколейная железная дорога (по одной версии — соединявшая завод с торфоразработками, по другой — использовавшаяся внутри торфомассива).
ВЕТЛУЖСКИЙ РАЙОН
Калининская узкоколейная железная дорога. Начальный пункт — посёлок Калинино (официальное название — посёлок имени М. И. Калинина), расположенный на берегу реки Вол.

Узкоколейная железная дорога на топографической карте
масштаба 1:500 000, изданной в 1989 году. Узкоколейная железная дорога на топографической карте масштаба 1:200 000, изданной в 1987 году («восточный» фрагмент), 1994 году («западный» фрагмент)
Узкоколейная железная дорога на топографической карте масштаба 1:100 000 из «Атласа «Нижегородская область» (обозначен только участок Калинино — Красные Пруды)
Главным предприятием посёлка Калинино является картонная фабрика. По информации от автора неофициального сайта посёлка Калинино (http://zemljak1.narod.ru), фабрика была построена в 1899 году предпринимателем И.И. Бердниковым. Строительные материалы и оборудование доставлялись гужевым транспортом от станции Шарья Вологодско-Вятской железной дороги, через село Рождественское.
С первых лет работы фабрики на ней существовала узкоколейная железная дорога (либо рельсовый путь узкой колеи, на котором применялась конная тяга). Известно о том, что узкоколейная железная дорога (рельсовый путь узкой колеи) соединяла (соединял) территорию фабрики со складом дров.
http://zemljak1.narod.ru/Berdnikov.html

«Склад дров» (фотография, сделанная до 1917 года)
В 1920 году картонная фабрика перешла в ведение Вятского бумажного треста, в 1921 году была передана Нижегородскому Губсовнаркому. В 1922 году была открыта грунтовая дорога, соединившая фабрику со станцией Шекшема на железнодорожной магистрали Буй — Вятка.
Возникший при фабрике посёлок официально назывался Берёзовая Заводь, неофициально — Фабрика Бердникова. В 1920-х годах фабрике было присвоено имя советского государственного деятеля М. И. Калинина. Позднее в честь М. И. Калинина был переименован и посёлок.
В 1935 году для обеспечения фабрики древесиной был создан «лесной отдел». По неподтверждённым данным, в близкий период времени появилась узкоколейная железная дорога, предназначенная для доставки древесины в Калинино из ближайших лесных массивов. В 1947 году на базе лесного отдела картонной фабрики был создан Калининский леспромхоз.
В нескольких десятках километрах южнее Калинино, в посёлке Борок, расположенном на берегу реки Ветлуги, не позднее 1950-х годах началось строительство Ветлужской узкоколейной железной дороги. Первоначально узкоколейная железная дорога принадлежала Ветлужскому леспромхозу, являлась «сплавной» (лес сплавлялся по реке Ветлуге). Позднее она была объединена с Калининской узкоколейной железной дорогой. Протяжённость магистрали Калинино — Борок составила 49 километров.
В 1980-х годах значительная часть узкоколейной железной дороги была разобрана. Был оставлен только участок от Калинино до деревни Красные Пруды, длиной около 8 километров (предположительно, для сообщения с деревней, которая не имела автомобильной дороги) и участки внутри территории картонной фабрики. На них осуществлялись межцеховые перевозки.
В 2002 году в Калинино побывал исследователь железных дорог С. Костыгов. По информации от него, в то время узкоколейная железная дорога работала. Имелось как минимум два тепловоза ТУ6А (один из них находился на территории картонной фабрики, другой — на территории леспромхоза). Главный путь, протяжённостью почти 2 километра, соединял территорию фабрики с нижним складом, на нём существовало регулярное грузовое движение (доставка древесины от нижнего склада до фабрики). Линия на Красные Пруды была разобрана.
В 2005 году в Калинино побывал любитель железных дорог Д. Фокин. По его утверждению, узкоколейная железная дорога на тот момент была разобрана. Информации о дате и причинах ликвидации, количеству оставшихся на территории фабрики тепловозов и их номерах Д. Фокин не собрал.
По состоянию на 2008 год, картонной фабрикой предлагались к продаже узкоколейные тепловозы (по неподтверждённым данным, один исправный тепловоз ТУ4, неисправные тепловозы ТУ6А).
ВОСКРЕСЕНСКИЙ РАЙОН
Воскресенская узкоколейная железная дорога. Начальный пункт — посёлок Калиниха, расположенный на правом берегу реки Ветлуга.

Узкоколейная железная дорога на топографической карте масштаба 1:200 000,
изданной в 1986 году (обозначена разобранной, обозначена не полностью). Воскресенская узкоколейная железная дорога являлась лесовозной, «сплавной». Узкоколейная железная дорога принадлежала Воскресенскому леспромхозу. Начальным пунктом узкоколейной железной дороги являлся посёлок Калиниха, вплотную прилегающий к селу Воскресенское — центру Воскресенского района.
На протяжении некоторого времени Воскресенская узкоколейная железная дорога составляла единую сеть с Борской лесовозной узкоколейной железной дорогой (соответственно, её можно рассматривать как часть сети узкоколейных железных дорог Горьковского предприятия промышленного железнодорожного транспорта).
В 1950-х годах существовал маршрут пассажирского поезда Тесовая (г. Бор) — Калиниха (источник данной информации — материал «Живи, узкоколейка!», опубликованный в 1988 году в газете «Ленинская Смена»).
Узкоколейная железная дорога полностью разобрана. Ориентировочный период ликвидации — 1960-е годы.
ВЫКСУНСКИЙ РАЙОН
Лесовозная узкоколейная железная дорога Выксунского леспромхоза. Начальный пункт — станция №1, расположенная в черте города Выкса.
Узкоколейная железная дорога полностью разобрана. Дата ликвидации — 2004 год.
__________________________________________________________________________________________________
Узкоколейная железная дорога Выксунского металлургического завода. Местонахождение — город Выкса, расположенный вблизи станции Выкса-Промышленная на железнодорожной линии Мордовщик — Выкса.
На протяжении почти всей своей истории (приблизительно с 1894 года до 1998 года) эта узкоколейная железная дорога составляла единую сеть с Лесовозной узкоколейной железной дорогой.
Узкоколейная железная дорога полностью разобрана. Дата ликвидации — 2003 год.
ГОРОДЕЦКИЙ РАЙОН
Ковровская узкоколейная железная дорога. Начальный пункт — посёлок Аксентис.

Узкоколейная железная дорога на топографической карте масштаба 1:500 000,
изданной в 1989 году (нанесена условно). Узкоколейная железная дорога на топографической карте масштаба 1:200 000, изданной в 1980-х годах (обозначена разобранной, обозначена не полностью)
Ковровская узкоколейная железная дорога являлась лесовозной, «сплавной». Первый участок узкоколейной железной дороги был открыт ориентировочно в начале 1930-х годов. Главная линия узкоколейной железной дороги пролегала по направлению: Волжский нижний склад (левый берег реки Волги) — Узольский нижний склад (берег реки Узолы у населённого пункта Первое Мая) — Аксентис — лесные массивы. По неподтверждённым данным, главная станция находилась в Аксентисе.
Вывезенный по узкоколейной железной дороге лес поступал в основном на Балахнинский целлюлозно-бумажный комбинат, расположенный на правом берегу Волги, напротив Волжского нижнего склада, а также на Балахнинский целлюлозно-картонный комбинат и другие предприятия (в том числе расположенные за пределами Балахны).
По состоянию на 1935 год, протяжённость магистрали узкоколейной железной дороги составляла 37 километров. Имелось четыре паровоза.
Фрагмент материала «Улучшить использование паровозов на Ковровской лесовозной железной дороге», опубликованного в издании «Леса и лесная промышленность Горьковского края» (№10, 1935 год), автор — В.И. Радецкий, оцифрован Е. Медоваровым:
Ковровская узкоколейная лесовозная железная дорога входит в систему треста Горлес. Назначением Ковровской узкоколейной железной дороги является эксплуатация Ковровского лесного массива, площадью 12 тыс. га. Этот лесной массив, расположенный на левой стороне р. Волги, имеет общий запас леса в 2,01 млн. м3.
Ковровская узкоколейная железная дорога достроена в 1933 г. и имеет ныне протяжение магистрального пути 37 км, по которому производится движение лесовозных поездов. Начальный пункт Ковровской ж. д. находится на левом берегу р. Волги против Балахнинского бумажного комбината, образуя здесь конечный разгрузочный Волжский склад. На пятом километре от р. Волги дорога пересекает р. Узолу, впадающую на некотором расстоянии от вышеуказанного склада в р. Волгу. При пересечении железной дорогой р. Узолы образуется второй разгрузочный склад — Узольский.
Лесной массив примыкает к железной дороге, начиная лишь с 20-го километра от р. Волги. В пределах лесного массива вдоль железной дороги на расстоянии 17 км имеется десять погрузочных складов, на которые подвозятся лесоматериалы для перевозки их по железной дороге. Из десяти погрузочных складов лишь пять (2, 3, 5, 7 и 10) имеют объездные пути или тупики для погрузки лесоматериалов на железную дорогу. На остальных же пяти складах погрузка лесоматериалов в железнодорожные вагоны производится на магистральном пути.
Конечные склады Узольский и Волжский функционируют разновременно. На Узольский склад лесоматериалы вывозятся в период времени с октября по июнь ежегодно, где они сплачиваются в кошмы; во время весеннего разлива р. Узолы кошмы буксируются пароходами до рейда на р. Волге, несколько ниже устья р. Узолы, и затем сплавляются по р. Волге потребителям. На Волжский склад вывозка лесоматериалов по железной дороге производится лишь после спада весенних вод, т.е. с июня м-ца (так как этот склад во время весеннего половодья затопляется сверх почвы до 1,5 м), и функционирует до октября, когда опять открывается Узольский разгрузочный склад.
По состоянию на начало 1935 года, тяговый состав Ковровской узкоколейной ж. д. определялся в размере четырёх паровозов, из них два — Варшавского завода (№№ 18 и 19) и два — Подольского завода (№№ 159-7 и 8), выпуска 1933 года. Подвижной же состав состоял из 70 шт. лесовозных вагонов конструкции «Союзстройлесмеханизации» и несколько балластных вагонов местной конструкции.
Позднее протяжённость магистрали узкоколейной железной дороги возросла приблизительно до 70 километров. Крайний северный пункт находился в окрестностях посёлка Ермиловская стройка.
В 1960-х годах был запрещён сплав леса по Волге, мешавший судоходству. Работа узкоколейной железной дороги, предназначенной в первую очередь для вывоза древесины к берегам реки для последующего сплава, практически прекратилась. В течение 1960-х годов узкоколейная железная дорога была разобрана.
http://radilov.ru/content/view/375/33/ — публикация, посвящённая истории узкоколейной железной дороги, исторические фотографии
__________________________________________________________________________________________________
Узкоколейная железная дорога Городецкого торфопредприятия. Начальный пункт — посёлок Зелёный.

Узкоколейная железная дорога на топографической карте масштаба 1:100 000
(состояние местности на 1970-е годы). Городецкое торфопредприятие находилось в посёлке Зелёный. Торфопредприятие основано в 1944 году (источник информации — архивная запись «Об организации торфопредприятия «Городецкое».)
В ведении торфопредприятия находилась узкоколейная железная дорога. Согласно топографической карте масштаба 1:100 000, её протяжённость составляла около 2 километров.
Узкоколейная железная дорога полностью разобрана. Ориентировочный период ликвидации — 1980-е годы.
ГОРОД ДЗЕРЖИНСК
Узкоколейная железная дорога завода «Капролактам». Начальный пункт — завод «Капролактам», расположенный в черте города Дзержинска, вблизи станции Игумново на железнодорожной линии Ковров — Нижний Новгород.
По состоянию на 2012 год, узкоколейная железная дорога действует.
__________________________________________________________________________________________________
Узкоколейная железная дорога завода имени Я. М. Свердлова. Начальный пункт — завод имени Я. М. Свердлова, расположенный в городе Дзержинске.

Узкоколейная железная дорога (участок завод им. Свердлова — Пыра) на топографической карте
масштаба 1:100 000 (состояние местности на 1970-е годы).

Узкоколейная железная дорога (участок завод им. Свердлова — Пыра) на топографической карте
масштаба 1:200 000, изданной в 1987 году.

Предполагаемая трасса узкоколейной железной дороги (участок станция Дзержинск — завод им. Свердлова)
на плане города Дзержинска из «Атласа «Нижегородская область». Завод имени Я.М. Свердлова (официальное название, по состоянию на 2008 год — Федеральное казённое предприятие «Завод имени Я.М. Свердлова») находится в северо-западной части города Дзержинска. Отсчёт истории завода ведётся с 1919 года, первоначальное название — «Нижегородский завод взрывчатых веществ». Основной продукцией завода являются различные виды боеприпасов.
http://www.sverdlova.ru/company.jsp — «ФКП «Завод имени Я.М.Свердлова»: о предприятии»
В ведении завода находилась узкоколейная железная дорога, предназначенная для доставки торфа от торфомассива вблизи посёлка Пыра. По неподтверждённым данным, в течение некоторого времени она являлась частью «Балахнинско-Шуйской сети узкоколейных железных дорог»).
По информации от М. Грибкова, в течение некоторого времени (ориентировочно в 1920-1930-х годах) действовала линия узкоколейной железной дороги, соединявшая завод имени Я.М. Свердлова со станцией Дзержинск на магистральной железнодорожной линии Ковров — Нижний Новгород. Она использовалась в основном для пассажирского движения — по узкоколейной железной дороге ездили работники завода, проживавшие в районе станции Дзержинск (прежнее название Растяпино). Предположительно, этот участок был ликвидирован после строительства трамвайной линии (трамвайное движение в Дзержинске открылось в 1933 году, линия к заводу имени Я.М. Свердлова являлась одной из первых).
К северу от посёлка Пыра находился полигон, предназначенный для испытания продукции завода. По неподтверждённым данным, узкоколейная железная дорога использовалась для доставки боеприпасов от завода до полигона.
Узкоколейная железная дорога от завода имени Я.М. Свердлова до Пыры была разобрана ориентировочно в 1980-х годах.
http://www.uzd.su/750/pyra/ — материал, посвящённый узкоколейной железной дороге завода имени Я.М. Свердлова, на сайте Н. Киселёва
__________________________________________________________________________________________________
Узкоколейная железная дорога (?) в восточной части города Дзержинска. Возможный начальный пункт — завод «Дзержинскхиммаш».

Узкоколейная железная дорога (?) на топографической карте
масштаба 1:200 000, изданной в 1987 году. На топографической карте масштаба 1:200 000, изданной в 1987 году, обозначена узкоколейная железная дорога протяжённостью около 7 километров, пролегающая по направлению завод «Дзержинскхиммаш» (находится вблизи остановочного пункта Ворошиловская) — пристань на реке Оке.
Со слов опрошенных жителей Дзержинска, в том числе работников завода «Дзержинскхиммаш», по данному направлению всегда пролегала железнодорожная линия широкой колеи, узкоколейной железной дороги не было.
Существовала ли узкоколейная железная дорога когда-либо — неизвестно.
ДИВЕЕВСКИЙ РАЙОН
Рельсовый путь узкой колеи вблизи посёлка Коврез. Начальный пункт — посёлок Коврез.

Район местонахождения рельсового пути узкой колеи на топографической карте
масштаба 1:100 000, изданной в 1982 году. Вблизи населённого пункта Коврез (Каврез), на территории современного Дивеевского района Нижегородской области, в 1920-х годах существовал рельсовый путь узкой колеи, предназначенный для вывоза леса конной тягой.
Рельсовый путь узкой колеи полностью разобран.
КУЛЕБАКСКИЙ РАЙОН
Узкоколейная железная дорога Кулебакского металлургического завода. Начальный пункт — город Кулебаки.
До 1970-х годов окрестностях города Кулебаки имелась разветвлённая сеть узкоколейных железных дорог. Известно о следующих линиях: Кулебаки — торфомассив у села Мурзицы (торфовозная), Кулебаки — торфомассив у посёлка Ульищи (торфовозная), Кулебаки — торфомассив вблизи посёлка Мещерское (станция Сонино Люберцы-Арзамасской железной дороги), Кулебаки — Меляево — Гремячево (предназначалась для вывоза доломита и щебня из карьеров в Гремячево), Кулебаки — Серебрянка (лесовозная).
С 1970-х годов действующие участки узкоколейной железной дороги находятся на территории Кулебакского металлургического завода. По сравнению с периодом максимального развития, протяжённость узкоколейной железной дороги сократилась в десятки раз.
По состоянию на 2012 год, узкоколейная железная дорога действует. Ширина колеи — 1067 мм.
ЛУКОЯНОВСКИЙ РАЙОН
Узкоколейная железная дорога Разинского леспромхоза. Начальный пункт — посёлок имени Степана Разина (неофициальное название — Разино), расположенный у станции Разинская — конечного пункта железнодорожной линии Веселей — Разинская.
Узкоколейная железная дорога полностью разобрана. Ориентировочная дата ликвидации — 1996 год.
НАВАШИНСКИЙ РАЙОН
Узкоколейная железная дорога вблизи посёлка Степурино. Начальный пункт — посёлок Степурино, расположенный у станции Степурино на железнодорожной линии Муром — Арзамас.

Район местонахождения узкоколейной железной дороги на топографической карте масштаба 1:200 000,
изданной в 1986 году (узкоколейная железная дорога не обозначена).

Узкоколейная железная дорога на топографической карте
масштаба 1:100 000, изданной в 1986 году (обозначена
разобранной, обозначена не полностью). В окрестностях станции Степурино, на берегу озера Поколево, существовала насосная станция, подававшая воду по магистральному водоводу длиной свыше 2 километров на станцию Степурино. По неподтверждённым данным, насосная станция была соединена со станцией Степурино узкоколейной железной дорогой, использовавшейся в основном для завоза угля, необходимого для обеспечения работы насосов. Возможно, узкоколейная железная дорога использовалась также для вывоза леса.
Узкоколейная железная дорога полностью разобрана. Ориентировочный период ликвидации — 1960-е годы.
__________________________________________________________________________________________________
Тёшинская узкоколейная железная дорога. Начальный пункт — посёлок Тёша, расположенный вблизи станции Тёша на железнодорожной линии Муром — Арзамас.

Район местонахождения узкоколейной железной дороги на топографической карте
масштаба 1:200 000, изданной в 1986 году (узкоколейная железная дорога
обозначена разобранной, обозначена не полностью). По информации от П. Кашина, основанной на отчётах бывшего Министерства лесной промышленности, Тёшинская узкоколейная железная дорога принадлежала Тёшинскому леспромхозу. Начальным пунктом узкоколейной железной дороги являлся посёлок Тёша. Протяжённость магистральной линии составляла около 12 километров, она пролегала от посёлка Тёша в северо-восточном направлении.
Возможно, Тёшинская узкоколейная железная дорога составляла единую сеть с узкоколейной железной дорогой, начальным пунктом которой являлся соседний посёлок Венец.
Узкоколейная железная дорога полностью разобрана не позднее 1970-х годов.
__________________________________________________________________________________________________
Узкоколейная железная дорога Навашинского завода строительных материалов. Начальный пункт — Навашинский завод строительных материалов, расположенный в городе Навашино.

Район местонахождения узкоколейной железной дороги
на топографической карте масштаба 1:200 000,
изданной в 1986 году (узкоколейная
железная дорога не обозначена).

Узкоколейная железная дорога на топографической карте
масштаба 1:100 000, изданной в 1989 году. Навашинский завод строительных материалов (в обиходной речи — «силикатный завод») находится на южной окраине города Навашино. Решение о строительстве завода было принято в 1954 году, строительство началось в конце 1955 года. 3 февраля 1962 года завод выпустил первую продукцию.
С первого дня работы завода на нём действовала узкоколейная железная дорога. Первыми локомотивами были мотовозы производства Калининского завода (предположительно МД54-4). Протяжённость узкоколейной железной дороги составляла около 2 километров.
Цитата из материала «История завода», размещённого на официальном сайте Навашинского завода строительных материалов (http://www.nzsm.ru/History.html):
В начале 1961 года на территории силикатного завода были возведены корпуса кирпичного, ремонтного и парокотельного цехов. Затем начался монтаж производственного оборудования, закончена отладка котлов котельной. Получение тепла ускорило завершение монтажных работ в главном корпусе.
Одновременно на других площадках шли завершающие работы по обеспечению предприятия сырьем. Началась разработка карьера песка: вырублены деревья, проложена узкоколейная железная дорога, по ней на самоопрокидывающихся вагонетках песок доставлялся в приемный пункт, откуда по транспортерам он попадал в главный корпус непосредственно на участок приготовления силикатной массы. Основным поставщиком известкового камня заранее был определен Добрятинский карьер Владимирской области. К концу 1961 года все монтажные работы были завершены, началась наладка и обкатка оборудования.
2 февраля 1962 г. вечером 11 вагонеток с первым сырым кирпичом были отправлены в автоклав. Состоялся импровизированный митинг. Утром 3 февраля первые 6 тысяч штук кирпича отправлены на склад готовой продукции.
По неподтверждённым данным, узкоколейная железная дорога была разобрана в 1990-х годах, для транспортировки песка стал использоваться автомобильный транспорт.
ГОРОД НИЖНИЙ НОВГОРОД
Малая Горьковская (Нижегородская) детская железная дорога. Начальный пункт — станция Родина.
По состоянию на 2008 год, узкоколейная железная дорога действует.
__________________________________________________________________________________________________
Городская узкоколейная железная дорога (трамвай) в Нижнем Новгороде. Местонахождение — город Нижний Новгород.
В 1896 году в Нижнем Новгороде были открыты две сети городской электрической железной дороги (трамвая). Одна из них имела ширину колеи 1524 мм, другая — 1000 мм.
В 1927 году последняя линия колеи 1000 мм была реконструирована на широкую колею (1524 мм).
__________________________________________________________________________________________________
Узкоколейная железная дорога на территории проведения Всероссийской торгово-промышленной и художественной выставки. Местонахождение — город Нижний Новгород.
«Электрическая железная дорога» на территории проведения Всероссийской торгово-промышленной и художественной выставки была построена предпринимателем М.М. Подобедовым. Согласно информации из книги «Ваш друг трамвай: Век нижегородского трамвая» (издана в 1996 году в г. Нижнем Новгороде, автор — Ю.М. Коссой), строительство электрической железной дороги началось в 1895 году, торжественное открытие состоялось 9 июня 1896 года (21 июня по новому стилю).
Линия узкоколейной железной дороги была полностью однопутной, ширина колеи составляла 750 мм. Линия представляла собой замкнутое кольцо протяжённостью 3,5 версты (около 3700 метров), пролегала в районе нынешних Московского вокзала, парка имени 1 мая и стадиона «Локомотив». Использовался нижний токосъём, контактный рельс был проложен между ходовыми рельсами в специальном коробе.

«Кольцевой трамвай на территории Всероссийской торгово-промышленной и художественной выставки летом 1896 года».
Фотография из книги «Ваш друг трамвай: Век нижегородского трамвая».

Вагон (увеличенный фрагмент предыдущего снимка). На узкоколейной железной дороге имелось семь вагонов, изготовленных в Германии по специальному заказу, каждый вагон был рассчитан на двадцать пассажиров. Один из вагонов, предназначенный для поездки российского императора и его свиты, был переоборудован на Сормовском заводе. Вагон был использован по назначению — император Николай II совершил в нём поездку.
На линии насчитывалось десять остановок, расположенных в непосредственной близости от каждого из 172 павильонов выставки. Плата за круговую поездку составляла 5 копеек, в вечерние часы — 10 копеек.
После закрытия Всероссийской торгово-промышленной и художественной выставки в конце 1896 года узкоколейная железная дорога была разобрана.
__________________________________________________________________________________________________
Узкоколейная железная дорога Сормовского судостроительного завода. Местонахождение — Сормовский судостроительный завод (завод «Красное Сормово»), расположенный в черте города Нижнего Новгорода.
Сормовский судостроительный завод (завод «Красное Сормово») находится в северной части Нижнего Новгорода (ранее — село и город Сормово). Завод основан 1849 году. В 1900-1950-х годах Сормовский завод выпускал паровозы колеи 750 мм, а также производил ремонт и модернизацию узкоколейных паровозов. Факт производства узкоколейных локомотивов предполагает наличие узкоколейной железной дороги, предназначенной для вывода локомотивов из сборочного цеха и (возможно) для проведения ходовых испытаний.
По неподтверждённым данным, на территории завода «Красное Сормово» по крайней мере с 1920-х годов узкоколейная железная дорога использовалась для межцеховых перевозок. Возможно, она составляла единую сеть с торфовозной узкоколейной железной дорогой Сормовского торфопредприятия, пролегавшей по направлению Сормово — Центральный — Берёзовая Пойма, и составлявшей часть «Балахнинско-Шуйской сети узкоколейных железных дорог».
Предполагаемая трасса узкоколейной железной дороги Сормово — Центральный — Берёзовая Пойма на топографической карте масштаба 1:100 000, изданной в 197? году
http://old.wikimapia.org/#lat=56.3597112&lon=43.8706827&z=15&l=1&m=a&v=2 — территория Сормовского судостроительного завода на спутниковых снимках
http://www.uzd.su/750/sormovo/ — материал, посвящённый узкоколейной железной дороге завода «Красное Сормово», на сайте Н. Киселёва
Узкоколейная железная дорога полностью разобрана. Ориентировочный период ликвидации — 1960-е годы.
__________________________________________________________________________________________________
Узкоколейная железная дорога завода «Красная Этна». Местонахождение — завод «Красная Этна», расположенный в черте города Нижнего Новгорода.

Район местонахождения узкоколейной железной дороги
на топографической карте масштаба 1:100 000,
изданной в 197? году. Завод металлоизделий «Красная Этна» (первоначально — Нижегородский металлический завод «Новая Этна») был построен в Нижнем Новгороде в 1915 году. Оборудование завода было эвакуировано из Риги.
С момента начала работы завода на нём действовали рельсовые пути узкой колеи (либо полноценная узкоколейная железная дорога). По состоянию на 1921 год, на заводе действовала полноценная узкоколейная железная дорога.
http://www.etna.nnov.ru/images/hist4.jpg — путь узкой колеи в одном из цехов, ориентировочно 1916 год
http://www.memo.ru/HISTORY/nkvd/kto/biogr/gb565.htm — упоминание: «рем. рабочий на узкоколейной ж.д. з-да «Новая Этна», г.Канавино 05.21—09.22»
По информации от авторов книги «Поезд длиною в 60 лет», изданной в 1999 году, посвящённой истории Малой Горьковской детской железной дороги, в период Великой Отечественной войны (ориентировочно в 1942 году) один из находившихся на детской железной дороге паровозов был передан заводу «Красная Этна».
Узкоколейная железная дорога полностью разобрана. Ориентировочный период ликвидации — 1960-е годы.
http://old.wikimapia.org/10761118/ru/ОАО-Завод-Красная-Этна — территория завода металлоизделий «Красная Этна» на спутниковых снимках
http://www.rosmetiz.ru/index.php?section=15&id=215 — история завода «Красная Этна»
http://www.etna.nnov.ru — официальный сайт завода «Красная Этна»
__________________________________________________________________________________________________
Временная узкоколейная железная дорога на территории проведения работ по укреплению косогора реки Оки, перегон Нижний Новгород (Ромодановский вокзал) — Мыза. Местонахождение — город Нижний Новгород.
Узкоколейная железная дорога использовалась в период проведения работ по укреплению косогора (склона) реки Оки, прилегающего к перегону Нижний Новгород — Мыза (тупиковая линия Ромоданово, ныне Красный Узел — Арзамас — Нижний Новгород Московско-Казанской железной дороги).
Тупиковая линия вдоль правого берега реки Оки до Ромодановского (Казанского) вокзала была открыта в 1904 году. Линия пролегала под крутыми прибрежными склонами. Почти сразу возникли проблемы, связанные с неустойчивостью грунтов, частыми оползнями. Были начаты работы по укреплению склонов. В ходе них использовалась временная узкоколейная железная дорога.
По другой версии, работы по укреплению склонов велись одновременно со строительством железной дороги, до её ввода в эксплуатацию.

«Выемка на 280-й версте, пикеты №№51-53, после выборки обвала». Фотография из альбома
«Виды железнодорожных работ по косогору реки Оки у Нижнего Новгорода», 1900-е годы.

«Подпорная стенка на 280-й версте, пикет №47». Хорошо видны вагонетки узкой колеи. Фотография из альбома
«Виды железнодорожных работ по косогору реки Оки у Нижнего Новгорода», 1900-е годы.

«Общий вид работ на обвалах 280-й версты, от пикета №46 до пикета №52». Фотография из альбома
«Виды железнодорожных работ по косогору реки Оки у Нижнего Новгорода», 1900-е годы.

«Общий вид законченных работ на 279-280 вёрстах, пикеты №№47-52, со стороны Арзамаса». Фотография из альбома
«Виды железнодорожных работ по косогору реки Оки у Нижнего Новгорода», 1900-е годы.

«Подпорные стенки в выемке у Пятовскаго завода». Путь узкой колеи. Фотография из альбома
«Виды железнодорожных работ по косогору реки Оки у Нижнего Новгорода», 1900-е годы. Скорее всего, узкоколейная железная дорога была разобрана после завершения работ.
Перегон Мыза — Горький-Казанский, несмотря на проведённые работы по укреплению склонов, позднее снова оказался проблемным для эксплуатации. Поэтому он был разобран в 1970-х годах. От железной дороги осталась только насыпь. Сохранились некоторые подпорные стенки.
__________________________________________________________________________________________________
Узкоколейная железная дорога Нижегородского мукомольного завода (?). Возможное местонахождение — Нижегородский мукомольный завода расположенный в черте города Нижнего Новгорода.
По утверждению С. Старостина, в 2005 году на Нижегородском мукомольном заводе имелась действующая узкоколейная железная дорога. Возможно, эти сведения являются вымыслом. Со слов опрошенных работников завода, на нём действуют только подъездные пути широкой колеи. На спутниковых снимках видны только пути широкой колеи.
http://old.wikimapia.org/#lat=56.3136805&lon=43.9527154&z=17&l=1&m=s&v=2 — территория Нижегородского мукомольного завода на спутниковых снимках
http://mukz.nnov.ru — официальный сайт Нижегородского мукомольного завода
ПАВЛОВСКИЙ РАЙОН
Узкоколейная железная дорога Тумботино — торфомассив. Начальный пункт — посёлок Тумботино, расположенный на левом берегу реки Ока.

Район местонахождения узкоколейной железной дороги на топографической карте
масштаба 1:100 000 (узкоколейная железная дорога не обозначена). Главным предприятием посёлка Тумботино является Медико-инструментальный завод имени М. Горького. Завод основан в 1884 году. Продукция завода — бытовые ножницы, различные медицинские инструменты.
В период Великой Отечественной войны завод выпускал оборонную продукцию. В 1942 году была построена узкоколейная железная дорога, пролегающая по направлению Тумботино — болото Часовенное. Её протяжённость составила около 15 километров. Узкоколейная железная дорога использовалась для доставки на завод топливного торфа.
Цитата из материала «Повестки дня заседаний Облисполкома» (http://www.opentextnn.ru/history/rushist/sovigu/mau/sovet/sovoik1937-1977/agenda/?id=1142):
Протокол N° 26 Заседания Исполнительного Комитета Горьковского Областного Совета Депутатов Трудящихся от 16-го июня 1942 года.
...
28. О строительстве узкоколейной железнодорожной линии Тумботино-торфоболото
Цитата из материала «ЗАТИ в годы войны», авторы — Н. Талагаев, В. Сорокин (http://www.vinforika.ru/war/12_katut/pm/01_zaty.htm):
С самого начала войны завод начал испытывать большие трудности в топливе, особенно в мазуте. Основным видом топлива как технологического, так и бытового, стал торф, который добывался на торфопредприятии, расположенном в 15 километрах от рабочего посёлка Тумботино. От Тумботино до торфоразработок бала проложена узкоколейная железная дорога.
Узкоколейная железная дорога полностью разобрана. Ориентировочный период ликвидации — 1960-е годы.
__________________________________________________________________________________________________
Узкоколейная железная дорога Павлово — Сосновское — Лесуново. Начальный пункт — город Павлово, расположенный у станции Металлист (конечный пункт железнодорожной линии Окская — Металлист).

Узкоколейная железная дорога на топографической карте
масштаба 1:500 000, изданной в 197? году. Карта
предоставлена А. Маляновым. Узкоколейная железная дорога на топографической карте масштаба 1:200 000, изданной в 1987 году (обозначена разобранной)
Узкоколейная железная дорога на топографической карте масштаба 1:100 000, изданной в 1985 году (обозначена разобранной)
По неподтверждённым данным, узкоколейная железная дорога Павлово — Сосновское — Лесуново была построена в годы Великой Отечественной войны. Основным назначением узкоколейной железной дороги являлась доставка топливного торфа на промышленные предприятия в Павлове и Сосновском.
Цитата из материала «Повестки дня заседаний Облисполкома» (http://www.opentextnn.ru/history/rushist/sovigu/mau/sovet/sovoik1937-1977/agenda/?id=1195):
Протокол N° 14 заседания исполнительного комитета Горьковского областного Совета депутатов трудящихся от 26-го апреля 1946 года. ... ПОВЕСТКА ДНЯ:
...
11. О передаче Управления узкоколейной железной дороги Павловского горсовета Павловскому гортопу.
Цитата из материала «Повестки дня заседаний Облисполкома» (http://www.opentextnn.ru/history/rushist/sovigu/mau/sovet/sovoik1937-1977/agenda/?id=1195):
Протокол N° 41 заседания исполнительного комитета Горьковского областного Совета депутатов трудящихся от 12-го ноября 1946 года. ... ПОВЕСТКА ДНЯ:
...
4. Протест прокурора области на решение исполкома Облсовета от 6 сентября 1946 года за № 1029 об эксплоатации узкоколейной дороги «Павлово-торф».
По состоянию на начало 1950-х годов, узкоколейная железная дорога формально считалась недостроенной (не была введена в постоянную эксплуатацию).
Цитата из книги «Наши города», изданной в 1954 году, автор — Л. Л. Трубе (http://www.detskiysad.ru/raznlit/goroda08.html):
В ближайшем окружении Павлова находятся значительные природные ресурсы, имеющие в основном местное значение. Среди них крупные залежи валунов, используемых как булыжный камень для мощения дорог, месторождения гипса (в частности по р. Тарке), гончарных и кирпичных, глин, песка. Важное значение имеют залежи торфа, находящиеся к югу от Павлова.
Роль торфа в топливном балансе города, в окружении которого почти нет лесов, за последние годы сильно возросла и в особенности повысится с окончанием постройки 36-километровой узкоколейной дороги Павлово—Лесуново к крупному торфяному массиву—болоту «Большое».
По неподтверждённым данным, узкоколейная железная дорога использовалась не только для вывоза торфа, но и для перевозки различных грузов между городом Павлово (станция Металлист) и посёлком Сосновское — центром Сосновского района.
Узкоколейная железная дорога полностью разобрана. Ориентировочный период ликвидации — 1970-е годы.
СЕМЁНОВСКИЙ РАЙОН
Лещёвская узкоколейная железная дорога. Начальный пункт — село Лещёво, расположенное на левом берегу реки Керженец.

Узкоколейная железная дорога на топографической карте масштаба 1:100 000,
изданной в 1986 году (нанесена условно). По информации от П. Кашина, основанной на отчётах бывшего Министерства лесной промышленности, Лещёвская узкоколейная железная дорога принадлежала Лещёвскому леспромхозу. Начальным пунктом узкоколейной железной дороги было село Лещёво.
Узкоколейная железная дорога полностью разобрана не позднее 1960-х годов.
__________________________________________________________________________________________________
Лыковская узкоколейная железная дорога. Предполагаемый начальный пункт — село Лыково, расположенное на левом берегу реки Керженец.

Узкоколейная железная дорога на топографической карте масштаба 1:100 000,
изданной в 1986 году (нанесена условно). По информации от П. Кашина, основанной на отчётах бывшего Министерства лесной промышленности, Лыковская узкоколейная железная дорога принадлежала Рустайскому леспромхозу. Предполагаемый начальный пункт — село Лыково либо его окрестности.
Узкоколейная железная дорога полностью разобрана не позднее 1960-х годов.
ТОНШАЕВСКИЙ РАЙОН
Пижемская железная дорога. Начальный пункт — посёлок Пижма, расположенный вблизи станции Пижма на железнодорожной линии Нижний Новгород — Котельнич.
По состоянию на 2007 год, узкоколейная железная дорога действует.
__________________________________________________________________________________________________
Узкоколейная железная дорога Альцевского торфопредприятия. Начальный пункт — посёлок Пижма, расположенный вблизи станции Пижма на железнодорожной линии Нижний Новгород — Котельнич.
По состоянию на 2007 год, узкоколейная железная дорога действует.
__________________________________________________________________________________________________
Буреполомская узкоколейная железная дорога. Начальный пункт — посёлок Буреполом, расположенный вблизи станции Буреполом на железнодорожной линии Нижний Новгород — Котельнич.
По состоянию на 2007 год, узкоколейная железная дорога действует.
УРЕНСКИЙ РАЙОН
Минеевская (?) узкоколейная железная дорога. Начальный пункт — посёлок Минеевка, расположенный вблизи станции Минеевка на железнодорожной линии Нижний Новгород — Котельнич.

Узкоколейная железная дорога топографической карте масштаба 1:200 000, изданной в 1987 году. Эта узкоколейная железная дорога была лесовозной. В 1949 году на станции Минеевка появилось «Минеевское ЛО ХОЗУ МВД СССР». Скорее всего, узкоколейная железная дорога была построена в близкий период времени.
http://www.memo.ru/history/NKVD/GULAG/r3/r3-240.htm — информация о «Минеевском ЛО ХОЗУ МВД СССР»
Позднее «Минеевское ЛО ХОЗУ МВД СССР» было преобразовано в «Минеевский лесокомбинат ХОЗУ МВД СССР». Протяжённость узкоколейной железной дороги на пике её развития составляла свыше 40 километров.
Узкоколейная железная дорога полностью разобрана. Ориентировочный период ликвидации — 1980-е годы.
__________________________________________________________________________________________________
Уренская узкоколейная железная дорога. Начальный пункт — посёлок Арья, расположенный вблизи станции Арья на железнодорожной линии Нижний Новгород — Котельнич.
Узкоколейная железная дорога полностью разобрана. Ориентировочная дата ликвидации — 2000 год.
__________________________________________________________________________________________________
Устанская узкоколейная железная дорога. Начальный пункт — посёлок Уста, расположенный вблизи станции Уста на железнодорожной линии Нижний Новгород — Котельнич.

Узкоколейная железная дорога на топографической
карте масштаба 1:500 000, изданной в 1989 году. Узкоколейная железная дорога на топографической карте масштаба 1:200 000, изданной в 1987 году
Узкоколейная железная дорога на топографической карте масштаба 1:100 000, изданной в 1985 году
Устанская узкоколейная железная дорога принадлежала Устанскому леспромхозу. По информации от В. Миронова, первый участок узкоколейной железной дороги был открыт ориентировочно в 1946 году. Ширина колеи была нестандартной — 600 мм, использовался подвижной состав, взятый с германских военно-полевых узкоколейных железных дорог. В течение 1950-х годов узкоколейная железная дорога была реконструирована на стандартную узкую колею 750 мм.
По утверждению В. Миронова, последний участок узкоколейной железной дороги был разобран в 1976 году.
__________________________________________________________________________________________________
Узкоколейная железная дорога в Урене (?). Возможный начальный пункт — город Урень, расположенный у станции Урень на железнодорожной линии Нижний Новгород — Котельнич.

Узкоколейная железная дорога (?) на топографической
карте масштаба 1:100 000, изданной в 1985 году. На топографической карте масштаба 1:100 000, изданной в 1985 году, в северной части города Уреня обозначена «узкоколейная железная дорога». В действительности, по данному направлению пролегает подъездной путь широкой колеи. Скорее всего, узкоколейной железной дороги здесь никогда не было.
ШАТКОВСКИЙ РАЙОН
Узкоколейная железная дорога Шатки — Берещино — Саров. Начальный пункт — станция Шатки, расположенная на железнодорожной линии Арзамас — Красный Узел.

Узкоколейная железная дорога на оперативной карте
германской армии, составленной 28.06.1942. Узкоколейная железная дорога Шатки — Берещино — Ташино, протяжённостью 54 километра, была построена в 1929-1930 годах. Она связала с магистралью широкой колеи посёлок Ташино (ныне город Первомайск). Посёлок возник в 1853 году в связи со строительством железоделательного завода.
После появления узкоколейной железной дороги Ташинский железоделательный (металлургический) завод был реконструирован и превращён в машиностроительный (основная специализация — производство тормозного оборудования для подвижного состава магистральных железных дорог).
Цитата из книги «Наши города», изданной в 1954 году, автор — Л. Л. Трубе (http://www.detskiysad.ru/raznlit/goroda13.html):
Важное значение для развития Первомайска имело присоединение его к железнодорожной сети страны, которое было осуществлено с прокладкой в 1930 году 54-километровой узкоколейной железнодорожной ветки до станции Шатки (дороги Горький-Харьков). В настоящее время узкоколейное полотно заменяется ширококолейным, что значительно улучшит транспортное положение города.
Почти одновременно с линией Шатки — Берещино — Ташино была построена линия Берещино — Саров. В селе Саров находился известный православный монастырь — Сарова Пустынь. В 1927 году монастырь был силовыми методами ликвидирован. На его территории была создана «детская трудовая коммуна №4». В строительстве участка Берещино — Саров принимали участие воспитанники коммуны.
http://spelesto.nn.ru/lib.php?book=sarov&ch=4 http://spelesto.nn.ru/lib.php?book=sarov&ch=4 — отрывок из книги «Саров: прошлое и настоящее», автор — А.А. Агапов
В ноябре 1931 года «детская трудовая коммуна №4» была закрыта, вместо неё на территории монастыря появилась исправительно-трудовая колония. Заключённые работали в цехе по производству спортинвентаря и на деревообрабатывающем заводе.
В 1938 году исправительная колония была ликвидирована, на базе её промышленных цехов был создан машиностроительный завод. Вскоре завод стал оборонным предприятием, на нём был налажен выпуск осколочно-фугасных снарядов.
В период Великой Отечественной войны Саровский машиностроительный завод выпускал комплектующие к снарядам для реактивных минометов «Катюша» и другую продукцию оборонного назначения. Узкоколейная железная дорога в это время активно работала. Перевозилось сырьё и готовая продукция заводов в Первомайске и Сарове, а также лес, в том числе истопная древесина (дрова). В то время существовали лесовозные ветви.
В 1946 году было принято решение о размещении в Сарове особо важного государственного объекта, которому предстояло сыграть ключевую роль в проекте создания советского ядерного оружия. Село Саров исчезло с общедоступных карт, его покинула большая часть прежнего населения. С момента начала массового строительства грузопоток на узкоколейной железной дороге возрос.
В 1950 году Совет Министров СССР принял решение о строительстве ширококолейной железнодорожной линии до объекта «Центр-300» (бывшее село Саров). Ширококолейная линия Шатки — Берещино — Саров строилась параллельно существующей узкоколейной железной дороге. При этом узкоколейная железная дорога продолжала работать — доставка грузов не могла прекращаться ни на один день.
Летом 1951 года ширококолейная линия вступила во временную эксплуатацию. Приблизительно тогда же появилась железнодорожная линия широкой колеи и на участке Берещино — Первомайск.
Узкоколейная железная дорога прекратила существование вскоре после открытия движения по широкой колее. По неподтверждённым данным, вблизи Первомайска на протяжении некоторого времени действовал небольшой участок узкоколейной железной дороги, предназначавшийся для вывоза леса. Не позднее 1960-х годов последний участок узкоколейной железной дороги был разобран.
ШАХУНСКИЙ РАЙОН
Шахунская узкоколейная железная дорога. Начальный пункт — город Шахунья, расположенный у станции Шахунья на железнодорожной линии Нижний Новгород — Котельнич.

Узкоколейная железная дорога на топографической карте масштаба 1:500 000,
изданной в 1989 году (нанесена условно). Узкоколейная железная дорога на топографической карте масштаба 1:200 000, изданной в 198? году (обозначена разобранной, обозначена не полностью)
Шахунская узкоколейная железная дорога относилась к категории лесовозных. Ориентировочный период открытия первого участка — 1930-е годы.
Цитата из книги «Наши города», изданной в 1954 году, автор — Л. Л. Трубе (http://www.detskiysad.ru/raznlit/goroda16.html):
Главным грузом, который проходит через Шахунью, является лес. Ежедневно отсюда через специальную лесопогрузочную станцию отправляются десятки вагонов древесины, которая подвозится к ней по узкоколейной дороге (а зимой и по тракторно-ледяной). Некоторая часть леса здесь разделывается на недавно построенной лесопилке, но в основном он отправляется в необработанном виде. Погрузка леса все более механизируется,— применяются электролебедки, автокраны.
Протяжённость магистрали узкоколейной железной дороги составляла около 35 километров. На ней имелся по меньшей мере один лесной посёлок.
Узкоколейная железная дорога полностью разобрана. Ориентировочный период ликвидации — 1960-е годы.
__________________________________________________________________________________________________
Сявская узкоколейная железная дорога. Начальный пункт — посёлок Сява, расположенный вблизи станции Сява (конечного пункта железнодорожной линии Тоншаево — Сява).
Узкоколейная железная дорога полностью разобрана. Ориентировочная дата ликвидации — 1990 год.
__________________________________________________________________________________________________
Вахтанская узкоколейная железная дорога. Начальный пункт — посёлок Вахтан, расположенный вблизи станции Вахтан на железнодорожной линии Тоншаево — Сява.

Узкоколейная железная дорога на топографической
карте масштаба 1:500 000, изданной в 1989 году. Узкоколейная железная дорога на топографической карте масштаба 1:200 000, изданной в 1986 году
Узкоколейная железная дорога на топографической карте масштаба 1:100 000, изданной в 1959 году (северная часть), 1990 году (южная часть)
Посёлок Вахтан возник в 1921 году в связи с началом строительства лесохимического завода. Не позднее 1940-х годов вблизи посёлка была построена лесовозная узкоколейная железная дорога. Её владельцем являлся Вахтанский леспромхоз.
По информации от П. Кашина, основанной на отчётах бывшего Министерства лесной промышленности, Вахтанскому леспромхозу принадлежали две узкоколейные железные дороги: Вахтанская и Журавлёвская. Трасса Журавлёвской узкоколейной железной дороги не установлена. Предположительно, Вахтанская и Журавлёвская узкоколейные железные дороги составляли единую сеть.
В 1970-х годах было принято решение о переходе на автомобильный вывоз леса. Узкоколейная железная дорога была полностью разобрана.
Временные узкоколейные железные дороги на трассе строящейся железной дороги Моховые Горы — Котельнич. Начальные пункты неизвестны.
Строительство железной дороги Моховые Горы — Котельнич началось в 1913 году. Начальный пункт линии, станция Моховые Горы, находилась в Боровской слободе (ныне город Бор), напротив Нижнего Новгорода. После открытия железнодорожного моста через Волгу в 1931 году станция Моховые Горы превратилась в конечный пункт тупиковой ветви Толоконцево — Моховые Горы.
В 1914 году, вскоре после начала Первой Мировой войны, строительство железнодорожной магистрали было приостановлено. Оно возобновилось при Советской власти — в 1918 году. Не позднее 1928 года было открыто сквозное движение Моховые Горы — Котельнич.
При строительстве железной дороги Моховые Горы — Котельнич использовались временные узкоколейные железные дороги. На них работали маломощные паровозы. Скорее всего, использовалась также конная тяга. Сведениями о количестве и протяжённости узкоколейных железных дорог автор не располагает.

«Узкоколейный паровоз на строительстве линии Нижний Новгород — Котельнич. 1925 год.»
(источник — книга «Создание Великого сибирского пути»).

«Узкоколейный паровоз и экскаватор на строительстве линии Нижний Новгород — Котельнич. 1925 год.»
(источник — книга «Создание Великого сибирского пути»).

«Узкоколейный паровоз на работах по отсыпке земляного полотна в 1926 году»
(источник — книга «Создание Великого сибирского пути»).
02.01.2009 © [ДАННЫЕ УДАЛЕНЫ]
назад
на главную страницу