ID: 7279
УЗКОКОЛЕЙНЫЕ ЖЕЛЕЗНЫЕ ДОРОГИ БРЯНСКОЙ ОБЛАСТИ
1511
Брянская область — субъект Российской Федерации. Центр — г. Брянск. Площадь — 34 900 км², численность населения 1 346 тыс. чел. (2005).
По состоянию на 2007 год, в Брянской области имелась одна действующая узкоколейная железная дорога — узкоколейная железная дорога Навлинского шпалопропиточного завода.
БРАСОВСКИЙ РАЙОН (центр района — посёлок Локоть)
Узкоколейная железная дорога Локоть — Брасовский торфомассив. Начальный пункт — посёлок Локоть, расположенный вблизи станции Брасово на железнодорожной линии Навля — Арбузово.

Узкоколейная железная дорога на топографической карте масштаба 1:100 000, изданной в 1941 году.

Узкоколейная железная дорога на топографической карте масштаба 1:200 000, изданной в 1985 году
(нанесена условно, на основе данных карты, изданной в 1941 году). Узкоколейная железная дорога предназначалась для доставки торфа от Брасовского торфомассива до посёлка Локоть. Потребителями топливного торфа являлись промышленные предприятия посёлка Локоть.
Узкоколейная железная дорога была полностью разобрана не позднее 1970-х годов.
БРЯНСКИЙ РАЙОН И ГОРОД БРЯНСК
«Учебная» узкоколейная железная дорога на территории Брянского государственного технического университета. Начальный пункт — город Брянск.
Брянский государственный технический университет (БГТУ) находится по адресу: город Брянск, Бежицкий район, бульвар 50-летия Октября, дом 7. Официальный веб-сайт университета: http://www.tu-bryansk.ru.
По информации от О. Измерова, на территории Брянского государственного технического университета имелась узкоколейная железная дорога. Узкоколейная железная дорога была построена в 1950-х годах либо ранее. Дорога имела конфигурацию кольца протяжённостью не более 1 километра, предназначалась для обучения студентов. Имелся как минимум один стрелочный перевод (от кольца отходила ветвь к депо).
Тяговый подвижной состав первоначально состоял из неустановленного паровоза с колёсной формулой 0-2-0, прицепной подвижной состав состоял из двух вагонов (крытого грузового и изотермического). В 1960-х годах паровоз был заменён тепловозом ТУ4-1969.
В 1970-х годах при строительстве нового корпуса университета рельсовый путь был частично разобран. Первоначально это считалось временной мерой, однако дорога так и не была восстановлена.
В конце 1970-х годов оба вагона были вывезены. Тепловоз по-прежнему находился вблизи корпуса, в котором размещалась кафедра «Локомотивостроение», и использовался в качестве стационарного учебного пособия.
По данным на 2008 год (информация от Я. Чибрякова), тепловоз ТУ4-1969 по-прежнему стоит на территории Брянского государственного технического университета. Его состояние далеко от идеального. Возможность движения исключена.
http://old.wikimapia.org/151807/ — территория Брянского государственного технического университета на спутниковом снимке
__________________________________________________________________________________________________
Узкоколейная железная дорога в Бежице. Предполагаемый начальный пункт — станция Бежица (ныне Орджоникидзеград) на железнодорожной линии Брянск — Рославль.
По информации от О. Измерова, в 1900-х годах в посёлке Бежица (ныне Бежицкий район города Брянска) была построена временная узкоколейная железная дорога от станции Бежица до Брянского рельсопрокатного, железоделательного и механического завода (в настоящее время — Брянский машиностроительный завод). Строительство было приурочено к визиту в Бежицу императора Николая II.
По одним данным, узкоколейная железная дорога была разобрана после торжественной встречи императора, по другим данным — продолжала работать.
__________________________________________________________________________________________________
Узкоколейная железная дорога Брянского машиностроительного завода. Начальный пункт — Брянский машиностроительный завод, расположенный в Бежицком районе города Брянска.
Брянский машиностроительный завод (первоначальное название Брянский рельсопрокатный, железоделательный и механический завод, позднее — Брянский паровозостроительный завод) основан в 1873 году. В 1890 году на заводе началось производство паровозов широкой колеи. С 1945 года сравнительно небольшими сериями выпускались узкоколейные мотовозы.
По информации от О. Измерова, на заводе действовала узкоколейная железная дорога, выполнявшая технологические грузовые перевозки. Дата открытия узкоколейной железной дороги не установлена. До середины 1950-х годов одна из линий узкоколейной железной дороги связывала территорию Брянского машиностроительного завода с хладокомбинатом, по ней на территорию завода завозились пищевые продукты, поступавшие в заводские столовые.
По узкой колее транспортировались построенные заводом узкоколейные мотовозы (от сборочного цеха до места погрузки на платформы широкой колеи).
Узкоколейная железная дорога полностью разобрана. Дата ликвидации не установлена.
http://izmerov.narod.ru/bmz/ — «Музей БМЗ» (материал на сайте О. Измерова)

Узкоколейный мотовоз М1-1 на территории Брянского паровозостроительного завода, предположительно 1945 год (Источник)
__________________________________________________________________________________________________
Мальцовская (Мальцевская) узкоколейная железная дорога. Начальный пункт — станция Радица (ныне — остановочный пункт Мальцевская), расположенная в черте города Брянска. Ширина колеи составляла 914 мм.
Узкоколейная железная дорога полностью разобрана. Ориентировочный период ликвидации последнего участка — 1960-е годы.
__________________________________________________________________________________________________
Узкоколейная железная дорога Брянского фосфоритного завода. Начальный пункт — Брянский фосфоритный завод, расположенный в городе Брянске. Ширина колеи составляла 1000 мм.
Узкоколейная железная дорога полностью разобрана. Ориентировочный период ликвидации — 1980-е годы.
__________________________________________________________________________________________________
Узкоколейная железная дорога Брянского силикатного завода. Местонахождение — город Брянск, Бежицкий район.

Район местонахождения узкоколейной железной дороги
на топографической карте масштаба 1 : 100 000
(узкоколейная железная дорога не обозначена). Брянский силикатный завод (по состоянию на 2007 год, официальное название — ЗАО «Брянский завод силикатного кирпича») находится по адресу: г. Брянск, Бежицкий район, улица Сталелитейная, д. 5. Недалеко от завода находятся остановочные пункты пригородных поездов Фасонолитейная и Отрадное.
Датой основания завода считается 26 сентября 1931 года. В годы Великой Отечественной войны завод был разрушен. Работы по восстановлению начались в 1946 году, в 1947 году производство силикатного кирпича возобновилось.
По информации от О. Измерова, на заводе действовала узкоколейная железная дорога. По состоянию на 1977 год, узкоколейная железная дорога соединяла завод с песчаным карьером (либо пескозапасником), находившимся в пойме реки Десны. Узкоколейная железная дорога была полностью электрифицирована. Ширина колеи была нестандартной (по утверждению О. Измерова — 550 мм).
Узкоколейная железная дорога полностью разобрана. Ориентировочный период ликвидации — 1980-е годы.
http://www.bryanskobl.ru/news/2007/06/25/5921/ — материал, посвящённый истории Брянского силикатного завода
__________________________________________________________________________________________________
Узкоколейная железная дорога Брянского торфопредприятия. Начальный пункт — посёлок Свень.
Узкоколейная железная дорога полностью разобрана. Ориентировочный период ликвидации: между 1995 и 2000 годами.
__________________________________________________________________________________________________
Узкоколейная железная дорога торфопредприятия «Пальцо». Начальный пункт — посёлок Пальцо, расположенный вблизи станции на железнодорожной линии широкой колеи.
Узкоколейная железная дорога полностью разобрана. Ориентировочная дата ликвидации — 1999 год.
ГОРДЕЕВСКИЙ РАЙОН
Узкоколейная железная дорога Кожановского торфопредприятия. Начальный пункт — посёлок Мирный.
Узкоколейная железная дорога полностью разобрана. Ориентировочная дата ликвидации — 2001 год.
ДУБРОВСКИЙ РАЙОН
Узкоколейная железная дорога на территории воинской части в посёлке Сеща. Начальный пункт — посёлок Сеща, расположенный вблизи станции Сещинская на железнодорожной линии Брянск — Рославль.

Район местонахождения узкоколейной железной дороги на топографической карте
масштаба 1:100 000 (узкоколейная железная дороге не обозначена). Вблизи станции Сещинская на железнодорожной линии Брянск — Жуковка (исторической Риго-Орловской железной дороге) в 1942 году, в период временной оккупации территории современной Брянской области, был построен аэродром, использовавшийся германской армией для совершения авианалётов на Москву. Аэродром имел самое современное для того времени техническое оснащение. В числе прочих объектов, была построена подземная узкоколейная железная дорога, связывавшая лётное поле с железнодорожной линией широкой колеи.
После освобождения Брянской области аэродром был восстановлен и стал использоваться Советской Армией. Здесь был построен военный городок, однако почти все «немецкие» подземные объекты были заброшены.
Подземная узкоколейная железная дорога после ухода немцев не использовалась. К военному городку была проложена железнодорожная ветвь широкой колеи от станции Сещинская.
Цитата из материала «Подземные сооружения в гарнизоне Сеща Брянской области» (http://analyser.narod.ru/sescha/sescha.htm):
Поскольку человек, видимо, увлекался своей работой, то он и в отпуск привёз с собой какой-то сканер, который, насколько я понимаю, был штатным инструментом, выданным по месту работы. Кроме того, не исключено, что этот человек не был обыкновенным, поскольку известно, что государственные изыскательные учреждения несмотря на свою официозность всё же приглашают на работу экстрасенсов, поскольку заинтересованы в результате изысканий.
...
И вот, погуляв в свободное время по военному городку и его окрестностям, этот товарищ вернулся вечером домой с набросками, где зарисовал обнаруженные им подземные объекты. Ими оказались никому не известные: склад артвооружения, расположенный под углом учебного корпуса, где ежедневно проходят занятия лётного состава; законсервированная немецкая электростанция под одним из дворов жилого городка рядом с медико-санитарной частью; залегающая на переменной глубине от 3-х до 6-ти метров подземная узкоколейная железная дорога, ведущая из городка к расположенной примерно в километре магистрали современной железной дороги, и заканчивающаяся возле неё в районе пересечения с железной дорогой автодороги, ведущей к населённому пункту Радичи.
Скорее всего, в настоящее время от узкоколейной железной дороги остались лишь незначительные следы.
ЖУКОВСКИЙ РАЙОН
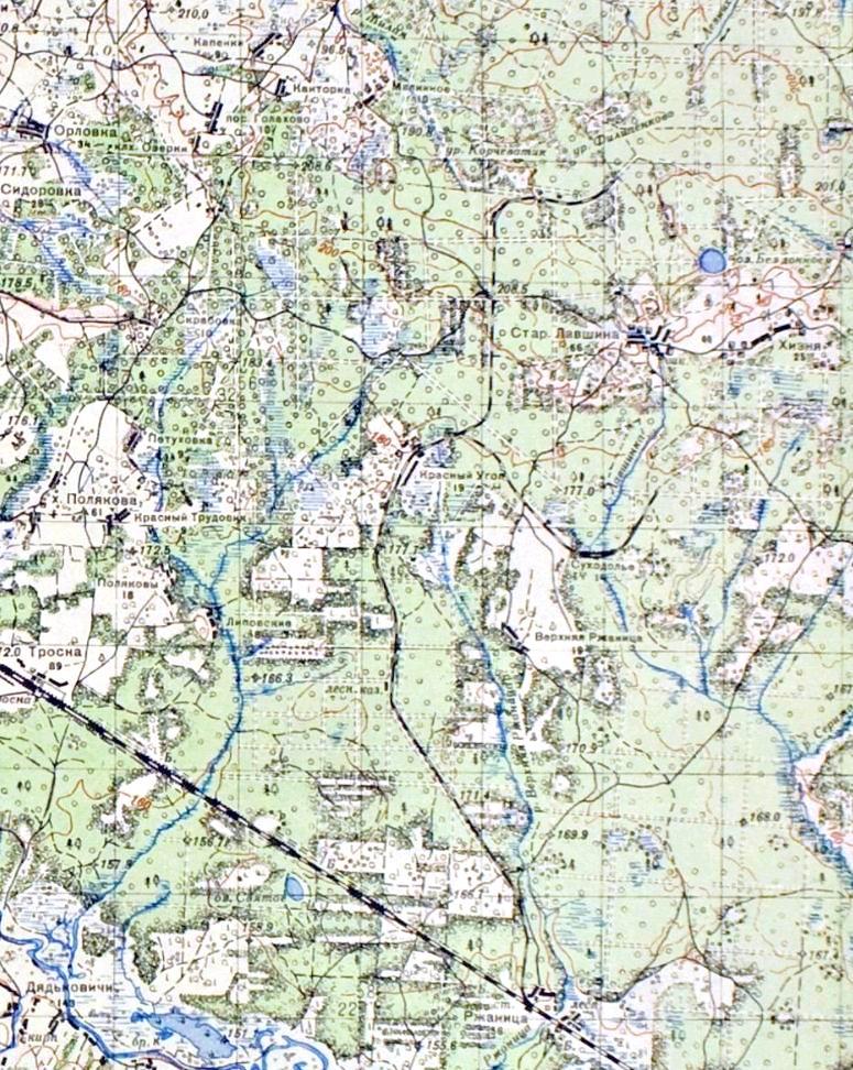
Узкоколейная железная дорога в посёлке Ржаница и его окрестностях. Начальный пункт — посёлок Ржаница, расположенный вблизи станции Ржаница на железнодорожной линии Брянск — Рославль.

Узкоколейная железная дорога на топографической карте масштаба 1:100 000, изданной в 1941 году. Узкоколейная железная дорога на топографической карте масштаба 1:100 000, изданной в 198? году (обозначена разобранной, обозначена не полностью)
В окрестностях посёлка Ржаница Жуковского района Брянской области производилась вывозка леса по узкой колее. Согласно наиболее распространённой версии, здесь имелась ветвь Мальцовской (Мальцевской) узкоколейной железной дороги.
По другой версии, в посёлке Ржаница на протяжении некоторого времени действовала «самостоятельная» лесовозная узкоколейная железная дорога, не составлявшая единой сети с Мальцовской узкоколейной железной дорогой. Возможно, узкоколейная железная дорога имела ширину колеи 750 мм (тогда как ширина колеи Мальцовской узкоколейной железной дороги составляла 914 мм). Главная линия узкоколейной железной дороги пролегала по направлению Ржаница — населённый пункт Красный Угол.
Скорее всего, узкоколейная железная дорога была полностью разобрана до Великой Отечественной войны либо в годы Великой Отечественной войны.
ЗЛЫНКОВСКИЙ РАЙОН
Узкоколейная железная дорога Злынковского шпалопропиточного завода. Начальный пункт — Злынковский шпалопропиточный завод, расположенный вблизи станции Злынка на железнодорожной линии Новозыбков — Гомель.
Злынковский шпалопропиточный завод был построен в конце XIX века, либо в 1900-х годах. Завод относился к казённым (государственным) Полесским железным дорогам.
Первоначально на шпалопропиточном заводе действовали рельсовые пути узкой колеи, предназначенные для перемещения вагонеток ручной либо конной тягой. По неподтверждённым данным, в 1930-х годах на завод поступил локомотив (локомотивы), рельсовый путь узкой колеи стал полноценной узкоколейной железной дорогой.
По информации от С. Костыгова, в 1941 году оборудование шпалопропиточного завода было эвакуировано в город Томск. На его базе был создан Томский шпалопропиточный завод. С первого дня работы нового шпалопропиточного завода в Томске на нём использовался узкоколейный паровоз (скорее всего, поступивший из Злынки).
По неподтверждённым данным, после освобождения Брянской области шпалопропиточный завод не восстанавливался.
КЛЕТНЯНСКИЙ РАЙОН
Лесовозная узкоколейная железная дорога в посёлке Клетня и его окрестностях. Начальный пункт — посёлок Клетня, расположенный вблизи станции Клетня (железнодорожная линия Жуковка — Клетня).

Узкоколейная железная дорога (?) на карте масштаба 1:250 000, изданной в США в 1953 году. Согласно некоторым топографическим картам, в окрестностях посёлка Клетня по меньшей мере в 1940-х годах действовала лесовозная узкоколейная железная дорога, пролегавшая от посёлка в северном направлении.
Скорее всего, узкоколейная железная дорога, если она существовала, была заменена лесовозной железнодорожной линией широкой колеи — на карте, изданной в 1970-е годы, по направлению узкоколейной железной дороги показана ширококолейная линия.
Представляется вероятным, что обозначение на картах является ошибкой, в действительности по данному направлению всегда пролегала железнодорожная линия широкой колеи.
Лесовозная железнодорожная линия широкой колеи, которая вела от посёлка Клетня в северном направлении, была разобрана в 1980-х годах. Лесовозная железнодорожная линия широкой колеи, которая вела от посёлка Клетня на юго-запад, частично сохранялась до 2000-х годов.
КЛИНЦОВСКИЙ РАЙОН
Узкоколейная железная дорога Клинцы — Оболёшевский торфомассив. Начальный пункт — город Клинцы, расположенный у станции Клинцы на железнодорожной линии Унеча — Новозыбков.

Узкоколейная железная дорога на карте масштаба 1:250 000, изданной в США в 1953 году
(ошибочно обозначена как железная дорога широкой колеи).

Узкоколейная железная дорога на топографической карте масштаба 1:200 000, изданной в 1989 году
(нанесена условно, на основе данных карты, изданной в 1941 году). Узкоколейная железная дорога на топографической карте масштаба 1:100 000, изданной в 1941 году
Узкоколейная железная дорога на топографической карте масштаба 1:100 000, изданной в 198? году (в оригинале карты была обозначена разобранной, обозначена не полностью)
Узкоколейная железная дорога соединяла город Клинцы с Оболёшевским торфомассивом. Ориентировочная дата открытия узкоколейной железной дороги — 1936 год. Основным потребителем торфа являлась Клинцовская ТЭЦ.
Цитата из произведения «Поэт пушкинской поры», автор — Б. М. Петров (http://www.klintsy.ru/history/index.php?page=19):
Невероятно, но факт: карта сохранила нам имя «царского адмирала» Абалёшева. В XIX веке в Стародубье хватало леса не только для отопления домов, но и для энергетических топок клинцовских фабрик. Промышленное использование торфа началось лишь на рубеже ХХ в. Прилегающее к Туросне огромное торфоболото, издавна принадлежавшее Борозднам, по имени новых его владельцев называли «Абалёшевское». Находилось оно тогда в Новозыбковском уезде. При советском размежевании уездов Туросна с торфоболотом в 1923 году была передана в состав Клинцовского уезда. В это время прежних владельцев здесь уже не было, имения их разграблены и не представляли интереса для новых властей, которые не знали истории топонимов соседнего уезда. Торфоболото было передано тресту «Клинцысукно», где топонимикой интересовались ещё менее.
В 1936 году для перевода фабрик с парового привода на электрический в бывшем Стодольском имении Бороздён построили ТЭЦ, рассчитанную на сжигание торфа с торфоболота, за которым закрепилось искажённое название «Оболёшево». Энергетики явно не догадывались, что за этим напоминающим об ольховых зарослях названием стоит фамилия «белого адмирала», «контрреволюционные» сыновья которого расстреляны бдительной ЧК. Сейчас торфоболото уже выработано, а имя зятя Бороздён живёт.
В августе 1941 года Клинцовский район был оккупирован немецко-фашистскими войсками. Значительных боёв за него не велось, поэтому узкоколейная железная дорога практически не пострадала.
В период временной оккупации территории Клинцовского района нацистской Германией узкоколейная железная дорога продолжала активно работать — производилась вывозка торфа, поддерживалось пассажирское сообщение.
Цитата из произведения «На той давнишней войне», автор — А. Казаков (http://militera.lib.ru/memo/russian/kazakov_a/02.html):
— Я только сегодня утром приехал из Оболешева... Прихватила малярия, надо к врачу... Там требуются рабочие на торфоразработки.... Идите туда... Работает узкоколейка... Пройдите через Клинцы. Недалеко от вокзала остановка паровика... Спросите там... Вечером вторым рейсом он пойдет в Оболешево... Потянет порожняк.
Получив такие точные данные от дяди Саши, мы, отказавшись от чая и поблагодарив его, спорым шагом проскочили по главной улице Клинцов, нашли эту остановку с паровичком, который уже маневрировал с составом. Далее все проходило в стремительном темпе. Сели в «классный» вагон, поехали в Оболешево. Нас там проводили в контору, записали по нашим справкам в какую-то книгу, показали общежитие и сказали: «До завтра».
...
Тихий, мирный, красивый городок Клинцы, райцентр Орловской области, был оставлен Красной Армией в августе 1941 года настолько стремительно, что ничего, вопреки приказу Сталина, не было разрушено и вывезено. Все жители, кроме убежавших партийных руководителей, остались. Села и городки вокруг также не были разрушены или сожжены, так что Клинцы с окрестностями представляли собой подобие райского уголка.
К началу ноября 1941 года наладилась мирная жизнь в условиях оккупации. Работали поликлиника, больница, электричество, водопровод, мясокомбинат, рынок, даже театр эстрады. Начала выходить местная газета, конечно, под надзором немецкой комендатуры. Работала начальная школа (официальная немецкая пропаганда утверждала, что русским среднее образование не нужно: в будущем Рейхе им уготована роль «sklaven»). Всех евреев обязали зарегистрироваться в немецкой комендатуре.
В Клинцах стоял немецкий гарнизон. База отдыха в одном из лучших домов Клинцов обслуживала легко раненных, прибывающих с фронта, и отпускников, едущих в Германию.
Главным производством, как и в советское время, были суконные фабрики, которые работали на торфе, привозимом с торфяного болота у Оболешево.
Поселок Оболешево располагался недалеко от большого села Киваи на невысоком широком пригорке, спускающемся к торфяным разработкам, где рядами протягивались кучи фрезерного и резного торфа. К торфяному болоту была подведена узкоколейная дорога, кончавшаяся у небольшой вокзальной станции одним главным и тремя объездными путями для маневрирования. Все как на настоящей железной дороге, но в уменьшенном виде.
В поселке сохранились все службы и строения: контора, общежитие, столовая, мастерские, котельные, жилые дома, клуб, даже домик лаборатории для анализа торфа на влажность, зольность и другие показатели, оборудованный соответствующей аппаратурой.
Немцы были заинтересованы в работе торфопредприятия и поэтому относились равнодушно к скопившимся здесь, бежавшим из плена окруженцам и гражданским беженцам. Были здесь даже урки, освобожденные из тюрем немцами и шатавшиеся по оккупированной территории. Местная пожарная команда была преобразована в полицию, вооружена винтовками и карабинами, но выполняла свою роль равнодушно и неохотно. В обязанность ей вменялись охрана поселка и наведение порядка. Немцев в поселке не было. За зиму 1941–1942 годов они приезжали в поселок только один раз.
...
Высокая квалификация здесь ничего не давала: машинист Илья Соловьев, водивший некогда тяжелые составы, работал на примитивном паровозике, дипломированный инженер-теплотехник, окончивший Баумановское училище, пребывал в роли слесаря в депо и в котельной, Миша Алексеев, выпусник Лесного института, владевший в совершенстве английским, переписывал наряды в конторке на вокзальной станции.
Меня определили рабочим пути в бригаду инженера-путейца москвича Константинова. Мы клали временные рельсы к указанным местным техником кучам торфа. Рельсы, скрепленные шпалами, качались, как в море на волнах. Тем не менее, подходил паровозик, подавал полузакрытые платформы, которые загружала бригада грузчиков. После выработки торфяной кучи рельсы снимали и устанавливали в другом месте.
Узкоколейная железная дорога была полностью разобрана не позднее 1960-х годов.
НАВЛИНСКИЙ РАЙОН
Узкоколейная железная дорога Навлинского шпалопропиточного завода. Начальный пункт — посёлок Навля, расположенный вблизи узловой станции Навля.
По состоянию на 2007 год, узкоколейная железная дорога действует.
__________________________________________________________________________________________________
Лесовозная узкоколейная железная дорога в окрестностях станции Навля (?). Возможный начальный пункт — посёлок Навля, расположенный вблизи узловой станции Навля.

Узкоколейная железная дорога (?) на карте масштаба 1:250 000, изданной
в США в 1953 году (обозначена как строящаяся). Единственный источник информации об этой узкоколейной железной дороге — карта масштаба 1:250 000, изданная в США в 1953 году. На ней узкоколейная железная дорога показана как строящаяся.
Узкоколейная железная дорога (в случае, если она когда-либо существовала) полностью разобрана не позднее 1970-х годов.
ПОГАРСКИЙ РАЙОН
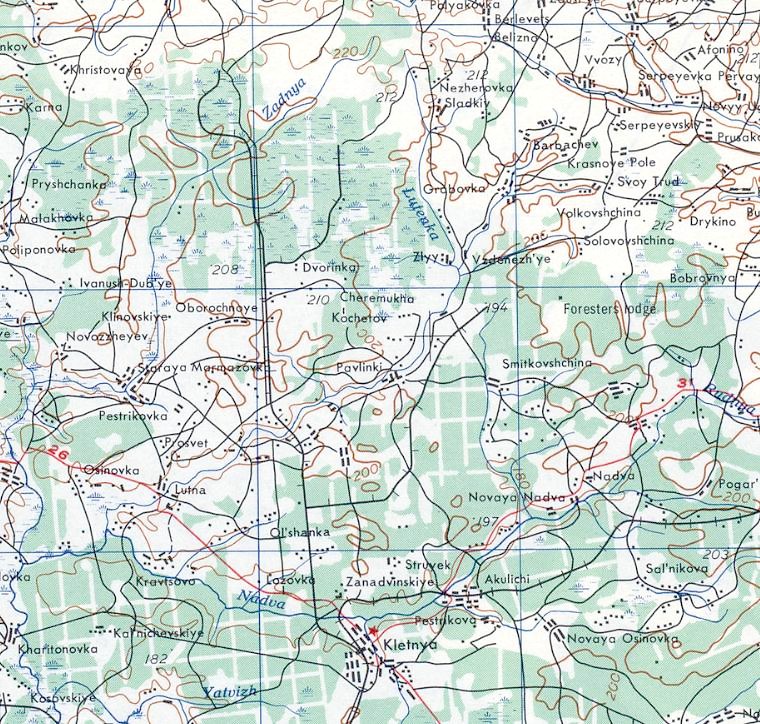
Узкоколейная железная дорога Погарского (?) торфопредприятия. Предполагаемый начальный пункт — станция Ватьковка, расположенная в населённом пункте Вадьковка.

Узкоколейная железная дорога на топографической карте
масштаба 1:500 000, изданной в 197? году.

Узкоколейная железная дорога на топографической карте масштаба 1:200 000,
изданной в 1985 году (обозначена разобранной). Узкоколейная железная дорога на топографической карте масштаба 1:100 000, изданной в 1941 году
Узкоколейная железная дорога на топографической карте масштаба 1:100 000, изданной в 1990 году (обозначена разобранной, обозначена не полностью)
Главная линия узкоколейной железной дороги пролегала по направлениям: станция Ватьковка — торфомассив, расположенный к северу от станции, и станция Ватьковка — станция Перегрузочная (?), расположенная вблизи станции Судость на железнодорожной линии широкой колеи Унеча — Хутор-Михайловский.
Информацией, касающейся истории этой узкоколейной железной дороги, автор в настоящее время почти не располагает. Узкоколейная железная дорога была построена не позднее 1930-х годов. Вывезенный по узкоколейной железной дороге торф в основном перегружался в вагоны широкой колеи.
Узкоколейная железная дорога полностью разобрана. Ориентировочный период ликвидации — конец 1970-х годов.
По состоянию на 2007 год, Погарское торфопредприятие в минимальном объёме производит добычу сельскохозяйственного торфа (вывозка торфа — автомобильная). Почтовый адрес торфопредприятия: 243 550, Брянская область, пос. Погар, улица Веркеевка, д. 1.
СУЗЕМСКИЙ РАЙОН
Узкоколейная железная дорога (?) в окрестностях посёлка Белая Берёзка. Возможный начальный пункт — посёлок Белая Берёзка, расположенный вблизи станции Белая Берёзка.

Район возможного местонахождения узкоколейной железной дороги на топографической
карте масштаба 1:100 000 (узкоколейная железная дороге не обозначена). Населённый пункт Белая Берёзка, расположенный вблизи левого берега реки Десны, в 1913 году был выбран местом строительства лесопильного завода (в настоящее время — Селецкий ДОК). Вскоре был построен рельсовый путь «аршинной колеи» (1 аршин = 71,12 см). Предположительно, он соединял стройплощадку завода с пристанью на реке Десне.
Цитата из материала «Основание посёлка Белая Берёзка» (http://www.bryansk.fio.ru/club_fio/bryansk_60/berezka/OSHOBAHIE.htm):
В один из погожих майских дней 1913 года по большой разлившейся реке Десне на небольшой пристани Белая Берёзка остановились баржи, на которых находились люди. Это были специалисты лесного хозяйства и лесопромышленники, направленные распоряжением Председателя Киевского Военно-промышленного комитета господином М.И. Терещенко с задачей подобрать местность и произвести подготовительные работы по расчистке площадки для постройки будущего лесопильного завода.
Кроме того, будет строиться дом на самом красивом месте. Продовольствие и инструменты выгрузили на берегу в том месте, где будет построена пристань. Очень просим ускорить доставку всех необходимых материалов, в том числе скатов узкоколейных, вагонеток для аршинной колеи. Верховых лошадей с сёдлами 5 штук, здесь пока можно проехать только верхом на лошадях, а также другие материалы, необходимые для первоначального строительства.
Выбору местности для постройки лесопильного завода на участке Белая Берёзка послужило использование русла реки Десны как транспортного средства доставки оборудования, материалов и другого имущества для нужд будущего производства, а также отправки пиломатериалов на предприятия военной промышленности царской империи.
По неподтверждённым данным, позднее вблизи посёлка Белая Берёзка действовала лесовозная узкоколейная железная дорога, на которой применялась локомотивная тяга.
Узкоколейная железная дорога (?) полностью разобрана.
__________________________________________________________________________________________________
Узкоколейная железная дорога Суземка — Белая Берёзка, Трубчевск (?). Возможный начальный пункт — станция Суземка, расположенная на железнодорожной линии Навля — Хутор-Михайловский.

Узкоколейная железная дорога (?) на оперативной карте
германской армии, составленной 12.11.1943. По неподтверждённым данным, узкоколейная железная дорога Суземка — Белая Берёзка с ветвью Новенькое — Трубчевск была построена в 1928 году, позднее была заменена железнодорожной линией широкой колеи.
Согласно другой версии, по данным направлениям всегда пролегала ширококолейная железнодорожная линия. В некоторых картах она могла быть ошибочно обозначена узкоколейной.
Узкоколейная железная дорога (в случае, если она когда-либо существовала) была заменена железнодорожной линией широкой колеи не позднее 1960-х годов.
УНЕЧСКИЙ РАЙОН
Узкоколейная железная дорога Унеча — Стародуб. Начальный пункт — станция Унеча.

Узкоколейная железная дорога на карте (фрагмент карты Черниговской губернии
из «Энциклопедического словаря Брокгауза и Ефрона»).

Расписание движения поездов с 15 октября 1911 года
(из «Официального указателя железнодорожных,
пароходных и других пассажирских сообщений»).

Расписание движения поездов (из «Официального указателя железнодорожных и других
пассажирских сообщений», действующего с 15 мая 1917 года). Узкоколейная железная дорога Унеча — Стародуб (официальное название «Стародубский подъездной путь») была построена в 1899 году. Ширина колеи составляла 914 мм (3 фута), протяжённость — 32 версты (35 километров).

«Открытие узкоколейной железной дороги до Стародуба. 1899 год» (фотография, размещённая на сайте города Унеча) (Источник)
Инициатором строительства был предприниматель из города Стародуба Водинский. Узкоколейная железная дорога входила в состав казённых (государственных) Полесских железных дорог.
По состоянию на 1911 год, имелись следующие раздельные и остановочные пункты: станция Унеча, остановочный пункт Милушинский, станция Водинсково, остановочный пункт Еленинская (предположительно, был расположен вблизи нынешней станции Жеча), станция Осколково, остановочный пункт Плотновка, остановочный пункт Пантусовский, станция Стародуб.
В 1927 году узкоколейная железная дорога была заменена железнодорожной линией широкой колеи.
Цитата из материала «И ожили глухие доселе места» (http://www.unecha.net/index.php?htm=htm/history/history07.htm), авторы — С. Кнороз, П. Плышевский, В. Шауро:
В 1900 году предприниматель Водинский построил узкоколейную железную дорогу от станции Унеча до Стародуба. При помощи стародубских купцов и помещиков он сумел добиться разрешения (через черниговского губернатора) на проведение дороги по казённым землям. Но возле села Рюхово дорога проходила по землям рюховских крестьян, за что Водинский должен был платить. Несколько раз судились с Водинским рюховские крестьяне, но так и не добились от него уплаты.
Сам Водинский проживал в своем доме в Стародубе, там же находились его четыре паровоза-«кукушки», несколько пассажирских вагонов, платформ, крытых товарных вагонов. Там же производился мелкий текущий ремонт паровозов и подвижного состава. Составы поездов были небольшие, от трёх до семи вагонов. Скорость поездов была очень малой, порой на лошадях опережали составы. С проведением железной дороги Водинского старинный тракт от Унечи до Стародуба был ликвидирован.
Несмотря на примитивность узкоколейной дороги, она сыграла большую роль в экономическом развитии Стародубщины. Дорога действовала 27 лет, в 1927 году она была ликвидирована в связи с проведением новой, ныне действующей ширококолейной дороги.
23.01.2008 © [ДАННЫЕ УДАЛЕНЫ]
назад
на главную страницу