ID: 7265
УЗКОКОЛЕЙНЫЕ ЖЕЛЕЗНЫЕ ДОРОГИ УДМУРТСКОЙ РЕСПУБЛИКИ
4383
Удмуртская республика (Удмуртия) — субъект Российской Федерации. Центр — г. Ижевск. Площадь — 42 100 км², численность населения 1552 тыс. чел. (2005).
По состоянию на 2009 год, в регионе находились 3 действующие узкоколейные железные дороги: узкоколейная железная дорога Орловского торфопредприятия, узкоколейная железная дорога стекольного завода «Факел», узкоколейная железная дорога Камбарского машиностроительного завода.
Ожидалось, что узкоколейная железная дорога Орловского торфопредприятия будет разобрана в течение 2010 года.
БАЛЕЗИНСКИЙ РАЙОН
Узкоколейная железная дорога Верхнелюкского лесопункта. Начальный пункт — посёлок Верхнелюкский, расположенный у станции Люк на железнодорожной линии Ижевск — Пибаньшур.

Узкоколейная железная дорога на топографической карте
масштаба 1:500 000, изданной в 1983 году.

Узкоколейная железная дорога на топографической карте масштаба 1:100 000, изданной в 1961 году. Узкоколейная железная дорога была лесовозной. На протяжении некоторого времени она составляла единую сеть с узкоколейной железной дорогой Поломского торфопредприятия.
Узкоколейная железная дорога полностью разобрана. Ориентировочный период ликвидации: начало 1990-х годов.
ВАВОЖСКИЙ РАЙОН
Узкоколейная железная дорога торфопредприятия «Нюрдор-Котья» и Какможская узкоколейная железная дорога. Начальный пункт — станция Пассажирская, расположенная вблизи станции Кокмож на железнодорожной линии Люкшудья — Кильмезь.

Узкоколейная железная дорога на топографической карте масштаба 1:500 000, изданной в 1983 году. Узкоколейная железная дорога на топографической карте масштаба 1:200 000, изданной в 1982 году (северная часть), 1978 году (южная часть)
Эта узкоколейная железная дорога имела редкую особенность: физически единая сеть была одновременно лесовозной и торфовозной узкоколейной железной дорогой. Большая часть сети принадлежала Какможскому леспромхозу, северные участки — торфопредприятию «Нюрдор-Котья». По узкоколейной железной дороге совместно курсировал подвижной состав двух ведомств, перевозился как лес, так и торф.
По информации от П. Кашина, торфопредприятие «Нюрдор-Котья» было основано в 1942 году. Первый участок узкоколейной железной дороги (от торфомассива у посёлка Нюрдор-Котья до места перегруза на широкую колею у станции Какмож) был открыт в 1947 году.
В 1950-х годах был создан Какможский леспромхоз. Линия торфовозной узкоколейной железной дороги от Кокможа до Нюрдор-Котьи стала головным участком лесовозной узкоколейной железной дороги, протянувшейся на десятки километров в юго-западном направлении. На ней был построен центральный лесной посёлок Южно-Какможский (40 километров от Кокможа).
С учётом всех линий, протяжённость узкоколейной железной дороги на пике развития составляла свыше 80 километров. По неподтверждённым данным, на протяжении некоторого времени имелось соединение с Ягульской узкоколейной железной дорогой (начальный пункт — посёлок Ягул Кизнерского района).
От станции Пассажирская до Нюрдор-Котьи и до Южно-Какможского курсировали пассажирские поезда. Депо леспромхоза находились на станции Пассажирская и в посёлке Южно-Какможский. Депо торфопредприятия находилось в Нюрдор-Котье (станция Центральная).
Приблизительно в 1980 году была открыта новая торфовозная линия, соединившая дорогу, принадлежащую торфопредприятию «Нюрдор-Котья», с небольшой изолированной узкоколейной железной дорогой Ингинского торфопредприятия (посёлок Инга). С этого времени добытый в Инге торф стал поступать на перегруз в Кокможе (станция Пассажирская).
В начале 1990-х годов добыча торфа прекратилось из-за невыгодности, а также исчерпания торфяных запасов. По сходным причинам прекратилась работа леспромхоза. Приблизительно в 1993 году узкоколейная железная дорога была разобрана.

Ответ из посёлка Южно-Какможский на письмо-запрос, в котором содержалась просьба
прояснить текущее состояние узкоколейной железной дороги. Январь 1998 года. http://www.pereyezd.ru/readarticle.php?article_id=39 — материал Павла Кашина, посвящённый узкоколейной железной дороге
__________________________________________________________________________________________________
Узкоколейная железная дорога Ингинского торфопредприятия. Начальный пункт — посёлок Инга, расположенный вблизи станции Инга на железнодорожной линии Люкшудья — Кильмезь.

Узкоколейная железная дорога на топографической карте
масштаба 1:200 000, изданной в 1982 году. Торфопредприятие в Инге было создано не позднее 1960-х годов. В ведении торфопредприятия находилась небольшая узкоколейная железная дорога. Согласно топографической карте масштаба 1:200 000, изданной в 1982 году, её протяжённость составляла менее 8 километров.
По информации от П. Кашина, приблизительно с 1980 года, после строительства нового участка, который пересёк железную дорогу широкой колеи, эта узкоколейная железная дорога стала составлять единую сеть с узкоколейной железной дорогой торфопредприятия «Нюрдор-Котья».
Узкоколейная железная дорога была разобрана в начале 1990-х годов.
ВОТКИНСКИЙ РАЙОН
Узкоколейная железная дорога Воткинского машиностроительного завода. Местонахождение — город Воткинск.
Воткинский машиностроительный завод с 1930-х (?) годов до 1960 года производил паровозы узкой колеи. Как минимум в течение этого времени на заводе действовала узкоколейная железная дорога.
__________________________________________________________________________________________________
Узкоколейная железная дорога торфопредприятия «Сива». Начальный пункт — город Воткинск.
Торфопредприятие «Сива» находилось по адресу: г. Воткинск, ул. Торфозаводская, д. 8 (предположительно, на восточной окраине города). По информации от. П. Кашина, торфопредприятие было создано не позднее 1950-х годов, первоначально обслуживало Воткинский машиностроительный завод и принадлежало заводу.
По состоянию на май 2002 года, торфопредприятие было действующим.
В 2006 году было принято решение о ликвидации государственного унитарного предприятия «Торфопредприятие «Сива».
Достоверных данных об узкоколейной железной дороге на торфопредприятии «Сива» получить не удалось. Скорее всего, узкоколейная железная дорога (если она существовала) была разобрана не позднее 1970-х годов, после этого торф вывозился автотранспортом.
ГЛАЗОВСКИЙ РАЙОН
Узкоколейная железная дорога кирпичного завода в Глазове. Начальный пункт — город Глазов, расположенный у станции Глазов на железнодорожной линии Киров — Пибаньшур.

Узкоколейная железная дорога на топографической карте
масштаба 1:100 000, изданной в 1961 году. Узкоколейная железная дорога соединяла кирпичный завод с глиняными карьерами. Протяжённостью узкоколейной железной дороги, согласно топографической карте, составляла около 1 километра.
Узкоколейная железная дорога была полностью разобрана не позднее 1980-х годов. Территория бывшего кирпичного завода стала частью территории Чепецкого механического завода — главного предприятия города Глазова.
http://old.wikimapia.org/#lat=58.1560332&lon=52.6641655&z=14&l=1&m=s&v=9 — район бывшего кирпичного завода на спутниковых снимках
__________________________________________________________________________________________________
Узкоколейная железная дорога торфопредприятия «Дзякино». Начальный пункт — посёлок Дзякино, расположенный вблизи станции Кожиль на железнодорожной линии Киров — Пибаньшур.
Узкоколейная железная дорога полностью разобрана. Ориентировочная дата ликвидации — 2007 год.
ЗАВЬЯЛОВСКИЙ РАЙОН
Узкоколейная железная дорога торфопредприятия «Сокол». Начальный пункт — посёлок Сокол.

Узкоколейная железная дорога на топографической карте
масштаба 1:500 000, изданной в 1983 году.

Узкоколейная железная дорога на топографической карте
масштаба 1:200 000, изданной в 1986 году. Узкоколейная железная дорога на топографической карте масштаба 1:100 000, изданной в 1961 году (северная часть), 1987 году (южная часть)
Торфопредприятие «Сокол» находится в посёлке Сокол Завьяловского района. В ведении торфопредприятия находилась узкоколейная железная дорога. По информации П. Кашина, торфопредприятие открыто в 1956 году. Это не соответствует действительности: узкоколейная железная дорога была открыта не позднее 1946 года.
Первоначально узкоколейная железная дорога соединяла торфомассив у посёлка Сокол с городом Ижевском. Торф поступал на промышленные предприятия Ижевска. Отсчёт расстояния вёлся от Ижевска. «В память» о тех временах до сих пор существует посёлок Разъезд 13 километр, расположенный на линии разобранной узкоколейной железной дороги.
Цитата из материала «Двадцатый век в биографии инженера», автор — А.В. Коробейников (http://idnakar.ru/2010/2010_2/xx-vek-v-biografii-inzhenera.pdf):
После Войны можно было ехать из города и на «кукушке»: поезд узкоколейки выходил из депо, которое было там, где теперь стоят «немецкие дома» на ул .Удмуртской, шёл через Хохряки, но от ближайшей остановки (разъезд 13-й километр) до Марасан надо было идти ещё 2 км лесом. А в город от нас было уехать сложнее: паровозная бригада часто не разрешала сидеть на брёвнах…
...
Посёлок «Разъезд 13-й километр» возник в 1946 г. Тогда в газете «»Удмуртская правда«» я видел заметку о том, что здесь был построен деревянный узкоколейный железнодорожный мост через р. Вожойку. Длина его 30 м. Простоял тот мост (с ремонтами) почти 50 лет. Здесь у моста была паровозная водокачка с большим колесом, которое крутили вручную. Пока в тендер заливали воду, кочегар чистил топку: гора шлака видна до сих пор рядом с оплывшим колодцем водокачки.
Вначале на Разъезде был только небольшой барак, да 3-4 домика путевых рабочих. Электричества не было, грунтовая дорога в город большую часть года непроезжая. Зато была тишина, чистый воздух, а в лесу пели соловьи.
Участок от Ижевска до села Хохряки был разобран ориентировочно в 1970-х годах. Линия на Хохряки была оставлена предположительно для доставки сельскохозяйственного торфа на расположенный здесь Завьяловский тепличный комбинат.
31 августа 1992 года в Хохряках побывал исследователь железных дорог из г. Екатеринбурга Александр Колесов. По информации от него, узкоколейная железная дорога от Хохряков в северном направлении (в противоположную от Ижевска сторону) была разобрана приблизительно в 1985 году. В Хохряках был найден кузов немецкого «репарационного» крытого вагона и кузов вагона ПВ40.
Узкоколейная железная дорога была полностью разобрана в 1990-х годах. Торфопредприятие «Сокол», по состоянию на 2005 год, остаётся действующим. Торф добывается в минимальном объёме, вывозка торфа осуществляется автомобильным транспортом.
__________________________________________________________________________________________________
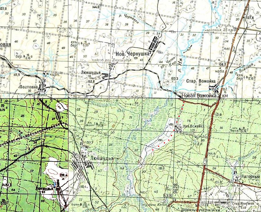
Узкоколейная железная дорога торфопредприятия «Чернушка-Вожойка». Начальный пункт — посёлок Новая Чернушка.

Узкоколейная железная дорога на топографической карте
масштаба 1:500 000, изданной в 1983 году.

Узкоколейная железная дорога на топографической карте масштаба 1:100 000,
изданной в 1961 году (северная часть), 1987 году (южная часть). Торфопредприятие «Чернушка-Вожойка» было образовано в 1942 году на основании постановления Совета Народных комиссаров Удмуртской АССР «Об увеличении добычи торфа на территории УАССР». На торфопредприятии была построена узкоколейная железная дорога, соединившая посёлки Новая Вожойка и Новая Чернушка с торфомассивами и со станцией Пестовка на железной дороге широкой колеи Ижевск — Пибаньшур (открыта в 1943 году). Протяжённость узкоколейной железной дороги составляла около 15 километров.
Узкоколейная железная дорога была разобрана ориентировочно в 1970-х годах в связи с исчерпанием запасов торфа. Торфопредприятие «Чернушка-Вожойка» после этого продолжало существовать, но занималось не добычей торфа, а производством металлических и резино-технических изделий.
__________________________________________________________________________________________________
Узкоколейная железная дорога Майского торфопредприятия. Начальный пункт — посёлок Кияик, расположенный у станции Кияик на железнодорожной линии Люкшудья — Кильмезь.

Узкоколейная железная дорога на топографической карте масштаба 1:100 000, изданной
в 1961 году (cеверная часть), 1966 году (южная часть). В южной части обозначена
как железная дорога широкой колеи, в северной части не обозначена. Майское торфопредприятие было создано в годы Великой Отечественной войны 1941-1945 гг. Добыча торфа велась севернее посёлка Кияик. На торфопредприятии была узкоколейная железная дорога.
Цитата из материала «Две судьбы — два одиночества», опубликованного в газете «Татарский мир», №12, 2009 год (http://www.vatanym.ru/content/images/tm1209.pdf):
Потом Ганеева Газылбанат приехала на Майские торфоразработки, на станции Кияик, что в Удмуртии.
Узкоколейная железная дорога полностью разобрана. Ориентировочный период ликвидации — 1960-е годы.
__________________________________________________________________________________________________
Сентегская (?) узкоколейная железная дорога. Начальный пункт — посёлок Сентег, расположенный у станции Синтек на железнодорожной линии Люкшудья — Кильмезь.

Узкоколейная железная дорога на топографической карте масштаба 1:100 000, изданной
в 1961 году (cеверная часть), 1966 году (южная часть). Обозначена разобранной. Узкоколейная железная дорога пролегала от посёлка Сентег в северном направлении. Скорее всего, узкоколейная железная дорога была построена в период Великой Отечественной войны или в первые послевоенные годы.

Страница из материала «Двадцатый век в биографии инженера», автор — А.В. Коробейников
(http://idnakar.ru/2010/2010_2/xx-vek-v-biografii-inzhenera.pdf). Узкоколейная железная дорога полностью разобрана. Ориентировочный период ликвидации — конец 1950-х годов.
ИГРИНСКИЙ РАЙОН
Лозинская узкоколейная железная дорога. Начальный пункт — посёлок Лоза, расположенный у станции Лоза на железнодорожной линии Ижевск — Пибаньшур.

Узкоколейная железная дорога на топографической карте
масштаба 1:500 000, изданной в 1983 году.

Узкоколейная железная дорога на топографической карте масштаба 1:200 000,
изданной в 1990 году (обозначена разобранной, обозначена не полностью). Узкоколейная железная дорога на топографической карте масштаба 1:100 000, изданной в 1961 году
По информации от И. Индра, основанной на отчётах бывшего Министерства лесной промышленности, первый участок узкоколейной железной дороги был открыт в 1948 году. Узкоколейная железная дорога являлась лесовозной, принадлежала Лозинскому леспромхозу. На узкоколейной железной дороге имелся лесной посёлок Октябрьский.
Узкоколейная железная дорога полностью разобрана. Ориентировочный период ликвидации — 1970-е годы.
__________________________________________________________________________________________________
Игринская узкоколейная железная дорога. Начальный пункт — посёлок Игра, расположенный у станции Игра на железнодорожной линии Ижевск — Пибаньшур.
Игринская узкоколейная железная дорога являлась крупнейшей в регионе.
Узкоколейная железная дорога полностью разобрана. Ориентировочная дата ликвидации — 2000 год.
__________________________________________________________________________________________________
Узкоколейная железная дорога стекольного завода «Факел». Начальный пункт — посёлок Факел.
По состоянию на 2008 год, узкоколейная железная дорога действует.
ГОРОД ИЖЕВСК
Постольская узкоколейная железная дорога. Начальный пункт — город Ижевск.

Узкоколейная железная дорога на топографической карте масштаба 1:500 000, изданной в 1983 году. Узкоколейная железная дорога на топографической карте масштаба 1:200 000, изданной в 1986 году
Эта узкоколейная железная дорога являлась старейшей в регионе. Первый участок был открыт в 1909 году. По неподтверждённым данным, первоначальная ширина колеи — 1000 мм. Узкоколейная железная дорога предназначалась для доставки на Ижевский железоделательный завод леса и древесного угля.
Цитата из материала «Выставка в музее ГЖД», 2005 год (http://www.udm-press.ru/news/news_detail.htm?itemid=88995):
В музее истории Ижевского отделения ГЖД проходит выставка «Ижевску — с любовью!», посвященная 245-летию города Ижевск, отмечаемого в этом году. Почти ежедневно сюда на экскурсию приходят группы детей из средних школ города Ижевска.
История города Ижевск начинается с завода. Ижевский железоделательный (железоковательный) завод основан в 1760 году графом П.И. Шуваловым среди глухих удмуртских лесов для переделки чугуна, привозимого с сплавом по реке Каме с Гороблагодатских заводов, в железо. Поэтому первая экспозиция в музее повествует о появлении Ижевского завода, представлены фотографии и репродукции картин с видами рабочего поселка. Здесь детям экскурсовод предлагает викторину на узнавание местонахождения ахитектурных объектов в современном Ижевске.
На этой же экспозиции мы видим и первую железнодорожную ветку в Удмуртии, построенную для удовлетворения нужд завода в дереве и угле. Она была проложена в 1909 году от завода до Мужвая, ее протяженность составила 18,4 км. В 1914 году Мужвайская железнодорожная ветка была удлинена на 31 км и была переименована в Постольскую железную дорогу.
Эта ветка изжила себя после налаживания регулярного сообщения Ижевска с линией Казань-Екатеринбург, пущенной в эксплуатацию в 1920 году.
Предположительно, узкоколейная железная дорога была перестроена на колею 750 мм в 1930-х годах, однако пути на территории Ижевского металлургического завода по-прежнему имели колею 1000 мм. В годы Великой Отечественной войны, когда местное древесное сырьё снова приобрело важное значение для работы Ижевского завода, было принято решение о реконструкции Постольской узкоколейной железной дороги с колеи 750 мм на колею 1000 мм на участке Ижевск — Мужвай (Можвай). При этом на дороге использовался подвижной состав Увинско-Узгинской узкоколейной железной дороги (Ижевск — Ува), имевшей колею 1000 мм и перестроенной в годы Великой Отечественной войны на широкую колею.
Цитата из материала «Двадцатый век в биографии инженера», автор — А.В. Коробейников (http://idnakar.ru/2010/2010_2/xx-vek-v-biografii-inzhenera.pdf):
На подходах к Увинскому вокзалу — хитросплетение железнодорожных путей, мастерские и вагонные депо для составов трёх «калибров»: 750 мм — это узкоколейная железная дорога (УЖД), по ней из Мужвая доставляли лес, дорога с колеёй 1000 мм. осталась на Заводе с «доисторических» времён для внутризаводских перевозок, и 1520 мм. – нормальная рельсовая колея. И у каждого пути были свои паровозы и вагоны, разъезды, стрелочные переводы и прочее хозяйство.
...
ГОСУДАРСТВЕННЫЙ КОМИТЕТ ОБОРОНЫ Постановление ГОКО № 2795с От 29 января 1943 г. Москва, Кремль. В целях обеспечения дровами заводов № 71,74, 524 и 622 Наркомата вооружения в 1943 году ГОКО постановляет:
произвести перешивку действующей Постольской узкоколейной дороги завода №71 с колеи 750 мм. на колею 1000 мм. На протяжении от ст. Ижевск до ст. Мужвай и удлинить эту дорогу на 5 км. вглубь лесного массива к 15 августа 1943 г.
...
передать тресту «Ижлес» 150 узкоколейных платформ и 6 паровозов с Постольской УЖД, освобождающихся в связи с перешивкой её на метровую колею, с использованием на Постольской ж.д. подвижного состава Узгинской дороги, перешитой на широкую колею.
Не позднее 1960-х годов ширина колеи была ещё раз изменена — с колеи 1000 мм на колею 750 мм. Узкоколейная железная дорога утратила связь с ижевскими заводами, её владельцем стал леспромхоз. Существовало регулярное пассажирское сообщение.
В августе 1992 года на узкоколейной железной дороге побывал исследователь железных дорог из г. Екатеринбурга Александр Колесов. По информации от него, на тот момент узкоколейная железная дорога действовала, принадлежала Совникольскому леспромхозу. Среди локомотивов — тепловозы ТУ4.

Информация об узкоколейной железной дороге от А. Колесова, август 1992 года. Регулярное движение на узкоколейной железной дороге прекратилось ориентировочно в 1997 году. В мае 1998 года автором был осмотрен начальный участок узкоколейной железной дороги, расположенный на окраине Ижевска. На нём ещё лежали ржавые рельсы, признаков движения не было.
Последний участок узкоколейной железной дороги был разобран ориентировочно в 1999 или 2000 году.
__________________________________________________________________________________________________
Увинско-Узгинская узкоколейная железная дорога. Начальный пункт — город Ижевск.
Увинско-Узгинская узкоколейная железная дорога пролегала по направлениям: Ижевск — Люкшудья — Ува, Люкшудья — Узга (ныне Кекоран) — Пастухово — Лумпово. Ширина колеи составляла 1000 мм. Первые участки узкоколейной железной дороги были построены до революции 1917 года.
Цитата из материала «Город Ижевск» (http://udmurt.info/texts/gorod-izhevsk.htm):
До начала XX в. Ижевск оставался в стороне от сети железных дорог. Первая узкоколейная ветка была сдана в эксплуатацию в 1910 г. (Ижевск-Мужвай), однако использовалась она исключительно для подвоза леса на заводские склады. В 1914 г. узкоколейка связала Ижевск и пристань в Гольянах. В 1915 году началось строительство ветки в северном направлении, которая в 1918 г. была доведена до ст. Узгинской (ныне Кекоран). Выхода во «внешний мир» по-прежнему не было. Лишь в 1916 г. от ст. Агрыз до Воткинска через Ижевск была проложена железнодорожная линия («Воткинская линия»), соединившая поселок с Казанью.
Узкоколейная железная дорога составляла единую сеть с Постольской узкоколейной железной дорогой и узкоколейной железной дорогой Ижевск — Гольяны. Некоторое время она называлась Постольско-Увинской, затем Постольская узкоколейная железная дорога была выделена в отдельную единицу.
В 1927 году было открыто движение на линии Люкшудья — Ува.
Цитата из материала «Ува: страницы истории» (http://letopisi.ru/index.php/Ува):
Лесорубы валили лес, разделывали древесину. Бывало на лесосеках одновременно работало до 1300 лошадей. Запасы древесины росли. Для перевозки дров в Ижевск усиленными темпами началось строительство Увино-Узгинской железной дороги, которая была сдана в эксплуатацию в 1927 году. С этого момента, в столицу республики ежедневно стало отправляться по нескольку эшелонов дров и строевой древесины.
Из-за отсутствия пригодных для строительства земель у реки, поселенцы возводили жилые дома вдоль полотна узкоколейки. Так у железной дороги от депо до лесопункта расположились первые улицы — Станционная, Центральная и Лежневая (теперь Пушкина). В 1929 году в бассейне реки геологами был найден большой торфяной массив. Анализ показал — сырье высокого качества, тогда и начались промышленная разработка дешевого топлива. Так создавалась Ува, как поселок лесозаготовителей и торфодобытчиков.
Цитата из материала «Списки жертв» (http://lists.memo.ru/d33/f127.htm):
Тюлькин Ермолай Иванович. Родился в 1888 г., Удмуртия, Старозятцинский р-н, д. М.Ошмесвай; русский; образование начальное; из крестьян. Проживал: на ст. Областная Увино-Узгинской ж. д.. Арестован 12 июля 1938 г. Приговорен: 26 января 1939 г.
Узгинская линия пролегала по направлению Люкшудья — Чур — Узга (ныне Кекоран) — Пастухово — Лумпово — лесные массивы. В Ижевске существовал Увинский вокзал, с которого отправлялись поезда в сторону Увы и Узги. Ныне существующий ижевский вокзал в то время назывался Казанским.
Цитата из материала «Ижевчан провожал… Казанский вокзал», 2008 год, автор — Д. Петров (http://www.izhtime.ru/ok/page220/):
Ещё 56 лет назад в Ижевске главный вокзал назывался Казанским. Почему он так именовался? Вокзал стоял на железнодорожной ветке, ведущей на Агрыз, а потом в Казань. Но сегодняшний ижевский вокзал не имеет какого-то особого названия. Да это и ни к чему. Почему же в то время название имело какой-то смысл? Дело в том, что существовал ещё Увинский вокзал, стоявший на глазовско-балезинской ветке, ведущей из Ижевска на северо-запад.
...
Следует сказать еще и о «младшем брате». Увинский вокзал, в отличие от Казанского, работал вплоть до восьмидесятых годов. Располагался он на Четырнадцатой улице на объездном железнодорожном пути, который ныне выполняет лишь вспомогательные функции. Многие ижевчане, особенно старожилы Ленинского района, помнят небольшое деревянное здание Увинского вокзала, откуда, купив билет до этого поселка или до конечной станции Кильмезь, они ездили к родным. Вскоре пригородный поезд здесь перестал останавливаться, и вокзальчик прекратил выполнять свои прямые функции.
Здание, построенное в первой половине XX века рабочими завода №71 (вся увинская ветка тогда находилась под «опекой» металлургического предприятия «Ижсталь»), превратилось в жилой дом. Здесь обитало несколько семей. Совсем недавно, осенью прошлого года, эта постройка была снесена, а люди переехали в каменные многоквартирные дома, расположенные в разных точках Ижевска. Сейчас можно наблюдать грустную картину: руины здания погребены под полуметровым слоем снега. Так закончилась история двух самых старых ижевских железнодорожных вокзалов.
В период Великой Отечественной войны было принято решение о реконструкции Увинско-Узгинской железной дороги на широкую колею и о строительстве нового участка Ува — Кильмезь, а также о строительстве линии Ижевск — Балезино, которая частично прокладывалась по трассе Узгинской линии.
Цитата из материала «История под грифом «Секретно», опубликованного в газете Горьковской железной дороги «Волжская Магистраль», номер от 18 июля 2008 года, автор — Н. Кожин (http://zdr-gazeta.ru/?newsid=18672):
Великая Отечественная дала новый импульс развитию и железнодорожной ветки, и станции. Сначала, к 40-м годам, укладываются пути широкой колеи, а затем, в 1942 — 1944 годах, ветка продлевается до реки Кильмезь. Этот период самый «закрытый» для историков: строительство велось под эгидой наркомата обороны, которое до сих пор не раскрывает своих архивов, и ведомства всесильного Берии, также скупого на подобного рода документы. Воспоминаний очевидцев осталось очень немного, да и фактография их не всегда согласуется. Возможно, многие оставшиеся для нас «за кулисами» страницы истории будут открыты благодаря той работе, которую намереваются сделать супруги Самойловы.
- Кое-какие материалы есть в Ижевском архиве, — говорит Юрий Евгеньевич, заместитель начальника станции Ува. — Говорят, что можно что-то «раскопать» и в музее Ижевского отделения Горьковской железной дороги.
Подвижной состав Увинско-Узгинской железной дороги был частично передан на Постольскую узкоколейную железную дорогу, которая была реконструирована с колеи 750 мм на колею 1000 мм.
Крайняя северная часть Узгинской линии (Пастухово — Лумпово), предположительно, была реконструирована на колею 750 мм. Пунктом примыкания к широкой колее стала станция Пастухово. Узкоколейная железная дорога в районе посёлка Лумпово работала до 1970-х годов.
__________________________________________________________________________________________________
Узкоколейная железная дорога Ижевск — Гольяны. Начальный пункт — город Ижевск.

Узкоколейная железная дорога на топографической карте масштаба 1:500 000, изданной в 1983 году (нанесена условно). Эта узкоколейная железная дорога предназначалась для сообщения между Ижевским Заводом (ныне город Ижевск) и ближайшей пристанью на реке Каме, расположенной у села Гольяны. Узкоколейная железная дорога была построена в 1915 году силами Отдельной сапёрно-инженерной роты. Ширина колеи составляла 1000 мм.
По информации от Л. Москалёва, автора книги «Наши узкоколейные паровозы», в 1915 году Коломенский завод (город Коломна, ныне Московская область) построил для узкоколейной железной дороги Ижевский завод — Раскольниково (Гольяны) 4 паровоза колеи 1000 мм (заводское обозначение — «тип 72»). Паровозы имели осевую формулу 0-4-0, отапливались нефтью.
Цитата из материала «Улиц наших имена», опубликованного в газете «АВТОвитрина Ижевска», автор — С. Жилин (http://avi.udm.ru/street/1305/):
Давно сгинули на территории Удмуртии железные дороги с узкой колеей и снующие по ним паровозики-«кукушки». Почти не осталось следов от узкоколейки на Узгинку, еще лет пятнадцать назад фотографировал я остатки вздыбленных рельсов и полусгнившие шпалы узкоколейной железной дороги, ведущей на Башмурское месторождение торфа. Вот и на улице Революционной еще в годы моего детства заметны были следы узкоколейки, построенной в германскую войну от Ижевского оружейного завода к Гольянской пристани.
Переоценить значение этой дороги, столь недолго существовавшей, все-таки невозможно. Практически до 1917 года (вот только к революции эту дату не надо приурочивать), пока не была построена железнодорожная ветка от Агрыза до Ижевска, пристань в Гольянах в жизни ижевцев играла важнейшую роль как для отправления и получения грузов, так и для пассажирского сообщения. Совсем неподалеку от нас прошли целых две железных дороги на Урал и Сибирь: северная ветка Транссиба — через Глазов и Балезино, южная – через Агрыз и Сарапул.
Меж тем Ижевск еще не один год оставался в транспортной изоляции, которую в какой-то степени помогла преодолеть Военно-полевая железная дорога. А назвали ее так, потому что строила узкоколейку Отдельная саперно-инженерная рота. Понятие «рота» в данном случае весьма условно, ибо по численности она равнялась «современному стрелковому корпусу – 17,6 тыс. человек. Командиром «роты» был полковник Крыжановский. Вдобавок в середине 1915 года к «роте» был прикомандирован лагерь немецких военнопленных – численностью 34,4 тыс. человек» (цитата из Николая Веприкова).
Уже в августе 1915 года по этой дороге начали перевозить ижевские грузы, в том числе и знаменитые трехлинейки в гольянский арсенал, откуда оружие грузилось на пароходы и поступало в действующую армию. Военно-полевая дорога в самом Ижевске имела несколько веток, к примеру, в заводской арсенал, расположенный тогда на самой окраине, а нынче оказавшийся, по сути, в самом центре. С территории завода узкоколейка проходила по современным «Октябрьскому переулку, переходила на улицу Революционную – Краева и по улице Коммунаров – на Карлудскую площадь» (цитата из Николая Веприкова).
Жить при железной дороге, пусть даже и узкоколейной, довольно сложно. И уже после ввода в строй агрызской железнодорожной ветки жители стали настаивать на демонтаже Военно-полевой дороги на Гольяны, что и было сделано в 1924 году. Но следы узкоколейки, в частности, остатки насыпи, долго еще сохранялись и исчезли лишь спустя десятилетия.
Значение узкоколейной железной дороги резко снизилось после ввода в эксплутацию ширококолейной железнодорожной линии Агрыз — Ижевск в 1916 году. В 1924 году узкоколейная железная дорога Ижевск — Гольяны была разобрана.
КАМБАРСКИЙ РАЙОН
Узкоколейная железная дорога Камбарского машиностроительного завода. Местонахождение — город Камбарка, расположенный у станции Камбарка на железнодорожной линии Агрыз — Дружинино.

Узкоколейная железная дорога на топографической карте
масштаба 1:100 000, изданной в 1983 году. Камбарский машиностроительный завод ведёт отсчёт своей истории с 1767 года, первоначально был железоделательным. С 1919 года — Камбарский экипажный завод, с 1933 года — Литейно-механический завод, с 1944 года — Камбарский машиностроительный завод.
С 1960-х годов завод массово выпускает узкоколейные тепловозы. Здесь были построены все тепловозы ТУ4, ТУ6А, ТУ7, ТУ8, ТУ9, ТУ10. Завод известен каждому, кто знаком с узкоколейными железными дорогами. Подавляющее большинство узкоколейных локомотивов, имеющихся в России и на территории бывшего СССР, сделаны в Камбарке. Также завод выпускает ширококолейные маневровые тепловозы и путевую технику широкой колеи.
В ведении завода находится узкоколейная железная дорога, предназначенная для межцеховых перевозок и для испытаний построенных локомотивов. Согласно топографической карте масштаба 1:100 000, изданной в 1983 году, узкоколейная железная дорога выходила далеко за пределы территории завода, она пересекала магистральную железнодорожную линию Агрыз — Дружинино. Не позднее 1990-х годов участок узкоколейной железной дороги за пределами территории завода был разобран.
С 1990-х годов из-за резко снизившегося спроса завод находится в тяжёлом положении, но продолжает работать. В 2008 году был освоен выпуск новой продукции — пассажирских вагонов узкой колеи (ранее завод специализировался на локомотивах узкой колеи, вагоны узкой колеи выпускал Демиховский машиностроительный завод). В 2010 году был освоен выпуск принципиально нового узкоколейного локомотива — тепловоза ТУ10.
По состоянию на 2010 год, узкоколейная железная дорога на Камбарском машиностроительном заводе остаётся действующей, однако движение минимальное (завод строит несколько узкоколейных тепловозов в год). Это единственная в регионе узкоколейная железная дорога, которая имеет перспективы работы в будущем.
http://www.zavod-kmz.ru/ — официальный сайт Камбарского машиностроительного завода
http://old.wikimapia.org/#lat=56.2662478&lon=54.1870379&z=16&l=1&m=s&v=9 —
территория Камбарского машиностроительного завода на спутниковых снимках
__________________________________________________________________________________________________
Узкоколейная железная дорога Камбарская нефтебаза — пристань на реке Каме. Начальный пункт — Камбарская нефтебаза, расположенная вблизи станции Кама на железнодорожной линии Агрыз — Дружинино.

Узкоколейная железная дорога на топографической карте
масштаба 1:100 000, изданной в 1983 году. Единственный источник информации об этой узкоколейной железной дороге — топографическая карта масштаба 1:100 000, изданная в 1983 году. Скорее всего, узкоколейная железная дорога предназначалась для перевозок между пристанью и нефтебазой. По другой версии, по данному направлению пролегал путь широкой колеи, обозначение на карте — ошибка, допущенная картографами.
Узкоколейная железная дорога (в случае, если она когда-либо существовала) полностью разобрана.
__________________________________________________________________________________________________
Ершовская узкоколейная железная дорога. Предполагаемый начальный пункт — село Ершовка, расположенное на левом берегу реки Камы, напротив города Сарапула.

Район местонахождения узкоколейной железной дороги на топографической карте масштаба 1:200 000,
изданной в 1986 году (западная часть), 1984 году (восточная часть). По информации от И. Индра, основанной на отчётах бывшего Министерства лесной промышленности, первый участок Ершовской узкоколейной железной дороги был открыт в 1949 году. Узкоколейная железная дорога являлась лесовозной, «сплавной», принадлежала Сарапульскому леспромхозу. Протяжённость в 195? году, согласно документам бывшего Министерства лесной промышленности, составляла 43 километра.
Узкоколейная железная дорога полностью разобрана. Ориентировочный период ликвидации — 1960-е годы.
КЕЗСКИЙ РАЙОН
Узкоколейная железная дорога Поломского торфопредприятия. Начальный пункт — посёлок Полом.
Узкоколейная железная дорога полностью разобрана. Дата ликвидации — 2006 год.
КИЗНЕРСКИЙ РАЙОН
Ягульская (?) узкоколейная железная дорога. Начальный пункт — посёлок Ягул, расположенный у станции Ягул на железнодорожной линии Агрыз — Зелёный Дол.

Узкоколейная железная дорога на топографической карте
масштаба 1:500 000, изданной в 1983 году.

Узкоколейная железная дорога на топографической карте масштаба 1:200 000, изданной в 1978 году. Узкоколейная железная дорога была лесовозной. Ориентировочный период открытия первого участка узкоколейной железной дороги — 1950-е годы.
По неподтверждённым данным, на протяжении некоторого времени эта узкоколейная железная дорога составляла единую сеть с Какможской узкоколейной железной дорогой (Кокмож — Южно-Какможский).
Узкоколейная железная дорога полностью разобрана. Ориентировочный период ликвидации — 1980-е годы.
По состоянию на 2008 год, на нижнем складе у станции Ягул оставался как минимум один пассажирский вагон ПВ40.
МОЖГИНСКИЙ РАЙОН
Узкоколейная железная дорога Можгинского торфопредприятия. Начальный пункт — посёлок Пычас, расположенный у станции Пычас на железнодорожной линии Агрыз — Зелёный Дол.
Узкоколейная железная дорога полностью разобрана. Ориентировочная дата ликвидации — 1995 год.
СЕЛТИНСКИЙ РАЙОН
Виняшур-Биинская узкоколейная железная дорога. Начальный пункт — посёлок Виняшур-Бия, расположенный на правом берегу реки Кильмезь.
Узкоколейная железная дорога на топографической карте масштаба 1:100 000, изданной в 1961 году
По информации от И. Индра, основанной на отчётах бывшего Министерства лесной промышленности, первый участок Виняшур-Биинской (другое название — Селтинская) узкоколейной железной дороги был открыт в 1949 году. Узкоколейная железная дорога являлась лесовозной, «сплавной».
C 1970-х годов Виняшур-Биинская узкоколейная железная дорога составляла единую сеть с Кильмезской узкоколейной железной дорогой.
Узкоколейная железная дорога полностью разобрана. Период ликвидации — 1990-е годы.
__________________________________________________________________________________________________
Узкоколейная железная дорога (?) вблизи посёлка Устье Пестеря. Начальный пункт — посёлок Устье Пестеря, расположенный на правом берегу реки Кильмезь.

Узкоколейная железная дорога на топографической карте
масштаба 1:100 000, изданной в 1961 году.

Узкоколейная железная дорога на топографической карте масштаба 1:200 000, изданной
в 1990 году (нанесена условно, на основе данных карты масштаба 1:100 000). На топографической карте масштаба 1:100 000, изданной в 1961 году, вблизи посёлка Устье Пестеря показана узкоколейная железная дорога длиной менее 2 километров. Возможно, это была не узкоколейная железная дорога, а рельсовый путь узкой колеи с конной или ручной тягой.
Узкоколейная железная дорога была разобрана не позднее 1970-х годов. Посёлок Устье Пестеря в 1970-х годах был ликвидирован.
СЮМСИНСКИЙ РАЙОН
Пижильская узкоколейная железная дорога. Начальный пункт — посёлок Пижил, расположенный вблизи станции Пижил на железнодорожной линии Люкшудья — Кильмезь.

Узкоколейная железная дорога на топографической карте масштаба 1:100 000,
изданной в 1982 году (нанесена условно). Узкоколейная железная дорога в Пижиле начала строиться сразу же после появления железной дороги широкой колеи Ува — Кильмезь, в 1943 году.
Цитата из материала «Двадцатый век в биографии инженера», автор — А.В. Коробейников (http://idnakar.ru/2010/2010_2/xx-vek-v-biografii-inzhenera.pdf):
ГОСУДАРСТВЕННЫЙ КОМИТЕТ ОБОРОНЫ Постановление ГОКО № 2795с От 29 января 1943 г. Москва, Кремль. В целях обеспечения дровами заводов № 71,74, 524 и 622 Наркомата вооружения в 1943 году ГОКО постановляет:
...
построить и ввести в действие Пижильскую и Сюрекскую узкоколейные железные дороги протяжением по 5 км. каждая к 1 октября 1943 года...
По информации от И. Индра, основанной на отчётах бывшего Министерства лесной промышленности, официальная дата открытия первого участка узкоколейной железной дороги — 1945 год.
В 1950-х (?) на узкоколейной железной дороге произошло ЧП с трагическими последствиями.
Цитата из материала «Двадцатый век в биографии инженера», автор — А.В. Коробейников (http://idnakar.ru/2010/2010_2/xx-vek-v-biografii-inzhenera.pdf):
С перевозкой рабочих было связано много происшествий: крушения поездов, пожары. Так, в Пижильском леспромхозе в переполненной теплушке кто-то вёз канистру бензина. Как водится — курили. Ну и полыхнуло! А дверь в вагоне сдвижная: попробуй открой её в условиях паники. Сгорело тогда человек 30.
Узкоколейная железная дорога полностью разобрана. Ориентировочный период ликвидации — 1960-е годы.
__________________________________________________________________________________________________
Узкоколейная железная дорога Орловского торфопредприятия и Сюрекская узкоколейная железная дорога. Начальный пункт — посёлок Сюрек, расположенный вблизи станции Сюрек на железнодорожной линии Люкшудья — Кильмезь. Позднее начальным пунктом стал посёлок Орловское.
Узкоколейная железная дорога была открыта в 1940-х годах как лесовозная, в 1950-1960-х годах на начальном участке была одновременно лесовозной и торфовозной. Затем вывозка леса по узкоколейной железной дороге была прекращена, узкоколейная железная дорога стала исключительно торфовозной.
Узкоколейная железная дорога полностью разобрана. Дата ликвидации — 2010 год.
__________________________________________________________________________________________________
Кильмезская узкоколейная железная дорога . Начальный пункт — посёлок Кильмезь, расположенный вблизи станции Кильмезь (конечный пункт железнодорожной линии Люкшудья — Кильмезь).
Узкоколейная железная дорога полностью разобрана. Дата ликвидации — 1998 год.
__________________________________________________________________________________________________
Пумсинская узкоколейная железная дорога. Начальный пункт — посёлок Пумси, расположенный на правом берегу реки Кильмезь.
Узкоколейная железная дорога на топографической карте масштаба 1:100 000, изданной в 1961 году (основная часть), 1992 году (северо-западная часть)
По информации от И. Индра, основанной на отчётах бывшего Министерства лесной промышленности, первый участок Пумсинской узкоколейной железной дороги был открыт в 1947 году. Узкоколейная железная дорога являлась лесовозной, «сплавной». На узкоколейной железной дороге имелся лесной посёлок Ключёвка.
C 1970-х годов Пумсинская узкоколейная железная дорога составляла единую сеть с Кильмезской узкоколейной железной дорогой.
Узкоколейная железная дорога полностью разобрана. Период ликвидации — 1990-е годы.
УВИНСКИЙ РАЙОН
Узкоколейная железная дорога торфопредприятий «Тюлькино-Пушкари» и «Вишур». Начальный пункт — посёлок Областная, расположенный вблизи станции Областная на железнодорожной линии Люкшудья — Кильмезь.

Узкоколейная железная дорога на топографической карте
масштаба 1:500 000, изданной в 1983 году.

Узкоколейная железная дорога на топографической карте
масштаба 1:200 000, изданной в 1986 году. Узкоколейная железная дорога на топографической карте масштаба 1:100 000, изданной в 1961 году (северная часть), 1966 году (южная часть)
Торфопредприятие «Тюлькино-Пушкари» находилось в посёлке Тюлькино-Пушкари, торфопредприятие «Вишур» — в посёлке Вишур. Торфопредприятия были соединены узкоколейной железной дорогой со станцией Областная на железнодорожной линии Люкшудья — Кильмезь. Расстояние по узкоколейной железной дороге от «Тюлькино-Пушкари» до «Вишура» составляло около 40 километров.
Торфопредприятия «Тюлькино-Пушкари» и «Вишур» являлись одними из первых в Удмуртии, они были открыты в 1940-х годах. Узкоколейная железная дорога была построена тогда же.
В северной части (севернее станции Областная) узкоколейная железная дорога была одновременно торфовозной и лесовозной, она использовалась леспромхозом для вывоза леса.
Участок от станции Областная до посёлка Тюлькино-Пушкари был разобран в 1970-х годах. Основная причина — исчерпание запасов торфа. Участок Областная — Вишур сохранялся дольше, был разобран в первой половине 1990-х годов.
__________________________________________________________________________________________________
Узкоколейная железная дорога Увинского торфопредприятия. Начальный пункт — посёлок Рябово, расположенный вблизи станции Торфяница на железнодорожной линии Люкшудья — Кильмезь.

Узкоколейная железная дорога на топографической карте
масштаба 1:500 000, изданной в 1983 году.

Узкоколейная железная дорога на топографической карте
масштаба 1:200 000, изданной в 1986 году. Увинское торфопредприятие было создано в 1940-х годах. В ведении торфопредприятия находилась узкоколейная железная дорога, первоначально связывавшая торфомассив и посёлок Рябово с посёлком Ува — центром Увинского района, позднее действовавшая на участке от посёлка Рябово до торфомассива.
Торфяное топливо когда-то имело важное значение для работы промышленных предприятий Увы, а торфодобыча была одной из важнейших отраслей Увинского района. Примечательно, что на гербе посёлка Ува, утверждённом в 1974 году, изображены вагоны с торфом.
Цитата из материала «Герб Увинского района» (http://www.heraldicum.ru/russia/subjects/towns/uva.htm):
Разделительная линия поля изображена в виде рельсового пути со стоящим на нем тремя полувагонами с грузом (торфом). Вместе с изображением выше срезом дерева, выполнением в виде дисковой пилы, они отражают исторические и экономические факторы, породившие населённый пункт. Это деревообработка, добыча торфа, железнодорожные перевозки.
Узкоколейная железная дорога полностью разобрана. Ориентировочная дата ликвидации — начало 1990-х годов.
__________________________________________________________________________________________________
Ува-Туклинская узкоколейная железная дорога. Начальный пункт — посёлок Ува, расположенный вблизи станции Ува на железнодорожной линии Люкшудья — Кильмезь.
Ува-Туклинская узкоколейная железная дорога упоминается в одном из отчётов бывшего Министерства лесной промышленности как существовшая в 1930-е годы. Возможно, она имела колею 1000 мм, составляла единую сеть с Увинско-Узгинской узкоколейной железной дорогой колеи 1000 мм (Ува — Ижевск), существовавшей до 1940-х годов. Название — от села Ува-Тукля, которое расположено юго-западнее Увы.
Предположительно, узкоколейная железная дорога была разобрана в 1940-х годах. Возможно, по её направлению частично была проложена железнодорожная линия широкой колеи Люкшудья — Ува — Кильмезь.
__________________________________________________________________________________________________
Подмойская узкоколейная железная дорога. Начальный пункт — посёлок Подмой, расположенный у станции Ува II на железнодорожной линии Люкшудья — Кильмезь.

Узкоколейная железная дорога на топографической карте масштаба 1:100 000,
изданной в 1961 году (северная часть), 1977 году (южная часть).
Узкоколейная железная дорога обозначена разобранной. Узкоколейная железная дорога предназначалась для вывоза леса. Узкоколейная железная дорога была построена в период Великой Отечественной войны (1941-1945). По неподтверждённым данным, существовали Северо-Подмойская и Южно-Подмойская узкоколейные железные дороги, расположенные севернее и южнее железной дороги широкой колеи Люкшудья — Кильмезь.
Скорее всего, узкоколейная железная дорога была разобрана в 1950-х годах. На топографической карте масштаба 1:100 000, изданной в 1961 году, узкоколейная железная дорога к северу от Подмоя показана разобранной.
__________________________________________________________________________________________________
Каркалайская узкоколейная железная дорога. Начальный пункт — посёлок Каркалай, расположенный у станции Каркалай на железнодорожной линии Люкшудья — Кильмезь.

Узкоколейная железная дорога на топографической карте масштаба 1:100 000,
изданной в 1961 году (северная часть), 1977 году (южная часть).
Узкоколейная железная дорога обозначена разобранной.

Узкоколейные железные дороги в Каркалае и Подмое на топографической
карте масштаба 1:200 000, изданной в 1986 году. Нанесены условно,
на основе данных карт масштаба 1:100 000. Узкоколейная железная дорога предназначалась для вывоза леса. Узкоколейная железная дорога была построена в период Великой Отечественной войны (1941-1945). По неподтверждённым данным, существовали Северо-Каркалайская и Южно-Каркалайская узкоколейные железные дороги, расположенные севернее и южнее железной дороги широкой колеи Люкшудья — Кильмезь.
Протяжённость узкоколейной железной дороги к северу от Каркалая, согласно топографическим картам, составляла не менее 20 километров.
Скорее всего, узкоколейная железная дорога была разобрана в 1950-х годах. На топографической карте масштаба 1:100 000, изданной в 1961 году, узкоколейная железная дорога к северу от Каркалая показана разобранной.
ЯКШУР-БОДЬИНСКИЙ РАЙОН
Чутырская узкоколейная железная дорога. Начальный пункт — посёлок Лынга, расположенный у станции Лынга на железнодорожной линии Ижевск — Пибаньшур.

Узкоколейная железная дорога на топографической карте масштаба 1:200 000,
изданной в 1986 году (южная часть), 1990 году (северная часть). Нанесена
на основе данных карты масштаба 1:100 000, изданной в 1961 году. Узкоколейная железная дорога на топографической карте масштаба 1:100 000, изданной в 1961 году
По информации от И. Индра, основанной на отчётах бывшего Министерства лесной промышленности, первый участок узкоколейной железной дороги был открыт в 1949 году. Узкоколейная железная дорога принадлежала Пастуховскому леспромхозу. Название — от села Чутырь. На линиях узкоколейной железной дороги имелись лесные посёлки 113-й квартал, 131-й квартал, 147-й квартал.
Узкоколейная железная дорога полностью разобрана. Период ликвидации — 1970-е годы.
__________________________________________________________________________________________________
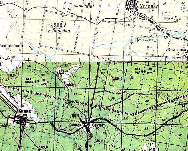
Лумповская узкоколейная железная дорога. Начальный пункт — посёлок Лумпово.

Узкоколейная железная дорога на карте масштаба 1:250 000,
изданной в США в 1954 году.

Узкоколейная железная дорога на топографической карте масштаба 1:200 000, изданной в 1990 году.
Нанесена на основе данных карты масштаба 1:100 000, изданной в 1961 году. Узкоколейная железная дорога на топографической карте масштаба 1:100 000, изданной в 1961 году
По информации от И. Индра, основанной на отчётах бывшего Министерства лесной промышленности, первый участок узкоколейной железной дороги был открыт в 1936 году. В то время узкоколейная железная дорога либо примыкала к Увинско-Узгинской железной дороге колеи 1000 мм (Ижевск — Узга, ныне Кекоран), либо являлась её частью и имела колею 1000 мм. Линия колеи 1000 мм доходила как минимум до станции Лумпово.
http://якшур-бодья.рф/download/Fertikov._Posvjacshaetsja_k_60_letiju_okonchatel_noe.doc — упоминание станции Лумпово Узгинской железной дороги
В 1942-1943 годах была построена железная дорога широкой колеи Ижевск — Балезино (фактически — Ижевск — Пибаньшур). На участке Ижевск — Пастухово она прокладывалась либо на месте Узгинской железной дороги колеи 1000 мм, либо параллельно ей, но по другой трассе.
С момента открытия железной дороги широкой колеи Ижевск — Пибаньшур местом примыкания Лумповской узкоколейной железной дороги к широкой колее стала станция Пастухово.
Узкоколейная железная дорога полностью разобрана. Ориентировочный период ликвидации — 1970-е годы. Посёлок Лумпово и другие лесные посёлки, находившиеся на узкоколейной железной дороге, при её ликвидации были уничтожены.
__________________________________________________________________________________________________
Угловая (?) узкоколейная железная дорога. Начальный пункт — посёлок Угловая, расположенный у станции Угловой на железнодорожной линии Ижевск — Пибаньшур.

Узкоколейная железная дорога на топографической карте масштаба 1:200 000, изданной
в 1986 году (в оригинале карты была обозначена не полностью, нанесена
на основе данных карты масштаба 1:100 000, изданной в 1961 году). Узкоколейная железная дорога на топографической карте масштаба 1:100 000, изданной в 1961 году
По информации от И. Индра, основанной на отчётах бывшего Министерства лесной промышленности, первый участок узкоколейной железной дороги был открыт в 1939 году. В то время узкоколейная железная дорога либо примыкала к Увинско-Узгинской железной дороге колеи 1000 мм (Ижевск — Узга, ныне Кекоран), либо являлась её частью и имела колею 1000 мм.
После открытия на месте Увинско-Узгинской железной дороги колеи 1000 мм железной дороги широкой колеи Ижевск — Пибаньшур в 1943 году узкоколейная железная дорога стала примыкать к широкой колее. В 5 километрах от Углового имелся лесной посёлок 89-й лесоучасток.
Узкоколейная железная дорога полностью разобрана. Ориентировочный период ликвидации — 1970-е годы.
10.02.2011 © [ДАННЫЕ УДАЛЕНЫ]
назад
на главную страницу