ID: 6534
МАЛЬЦОВСКАЯ УЗКОКОЛЕЙНАЯ ЖЕЛЕЗНАЯ ДОРОГА СХЕМЫ И ТОПОГРАФИЧЕСКИЕ КАРТЫ
560

Узкоколейная железная дорога на карте Орловской губернии из «Энциклопедического
словаря Брокгауза и Ефрона» (возможная дата создания карты — 1903 год).

Узкоколейная железная дорога на карте железных дорог СССР, изданной в Германии в 1941 году
(обозначены участки Дятьково — Ржаница и Зикеево — Палики, на карте ошибочно обозначен
как пролегающий до станции Думиничи).

Узкоколейная железная дорога оперативной карте германской армии,
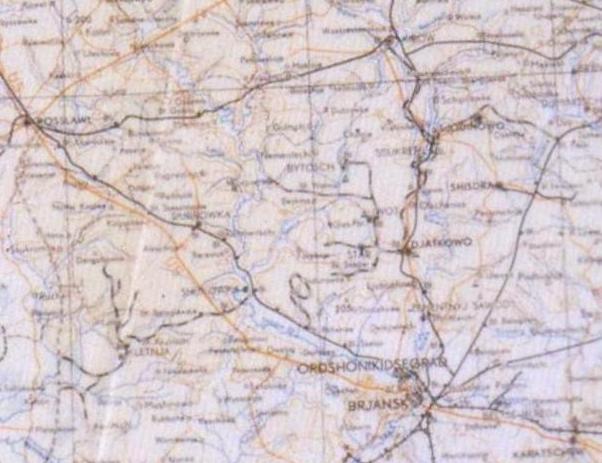
составленной 12.11.1943.

Узкоколейная железная дорога оперативной карте германской армии,
составленной 25.07.1944.

Узкоколейная железная дорога на топографической карте масштаба 1:500 000, изданной в 1941 году.

Узкоколейная железная дорога на карте масштаба 1:1 000 000, изданной в 1988 году (нанесена условно).

Узкоколейная железная дорога на топографической карте масштаба 1:100 000, составленной в июле 1941 года
(показаны участки, расположенные в городе Кирове и его окрестностях).

Участок Людиново — Палики на топографической карте масштаба 1:200 000 («состояние местности на 1980-83-гг., издание 1986 года»). Узкоколейная
железная дорога на одних участках обозначена как действующая и как разобранная, на других участках — не обозначена.

Разобранные участки Волынь — Сельцо — карьер Смолино, Торфяное — торфоразработки на топографической карте масштаба 1:200 000,
изданной в 1986 году (основная часть), 1991 году (крайняя западная часть).

Разобранный участок Дятьково — Куява на топографической карте масштаба 1:100 000 (нанесён условно).
18.01.2008 © [ДАННЫЕ УДАЛЕНЫ]
«Мальцовская узкоколейная железная дорога»