ID: 6238
ЛЕСОВОЗНАЯ УЗКОКОЛЕЙНАЯ ЖЕЛЕЗНАЯ ДОРОГА ВЫКСУНСКОГО ЛЕСПРОМХОЗА СХЕМЫ И ТОПОГРАФИЧЕСКИЕ КАРТЫ
767

Схема линий из книги «Поволжье: путеводитель», изданной в г. Ленинграде в 1925 году. Предоставлена Н. Морохиным.

Схема линий Лесовозной узкоколейной железной дороги, по состоянию на 1990 год. Оригинал схемы предоставлен автору
в августе 1997 года, в ходе поездки в Выксу, работниками узкоколейной железной дороги.

Узкоколейная железная дорога на оперативной карте
германской армии, составленной 28.06.1942.

Узкоколейная железная дорога на оперативной карте
германской армии, составленной 06.05.1943.

Лесовозная узкоколейная железная дорога на карте масштаба 1:1 000 000.

Лесовозная узкоколейная железная дорога на топографической карте масштаба 1:500 000, изданной в 1997 году.

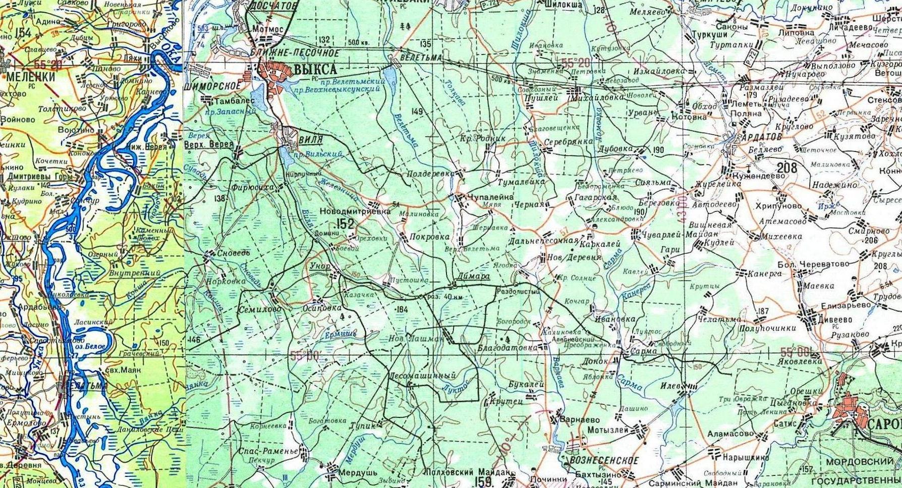
Лесовозная узкоколейная железная дорога на топографической карте масштаба 1:200 000, изданной
в 1976 году («основная» часть) и 1980-х годах («окраинные» части).
26.08.2007 © [ДАННЫЕ УДАЛЕНЫ]
«Лесовозная узкоколейная железная дорога Выксунского леспромхоза»