ID: 6078
ЖЕЛЕЗНОДОРОЖНАЯ ЛИНИЯ СУХОБЕЗВОДНОЕ — ЛАПШАНГА СХЕМЫ И ТОПОГРАФИЧЕСКИЕ КАРТЫ
143

Железнодорожная линия в «Атласе железных дорог», изданном в 1993 году.

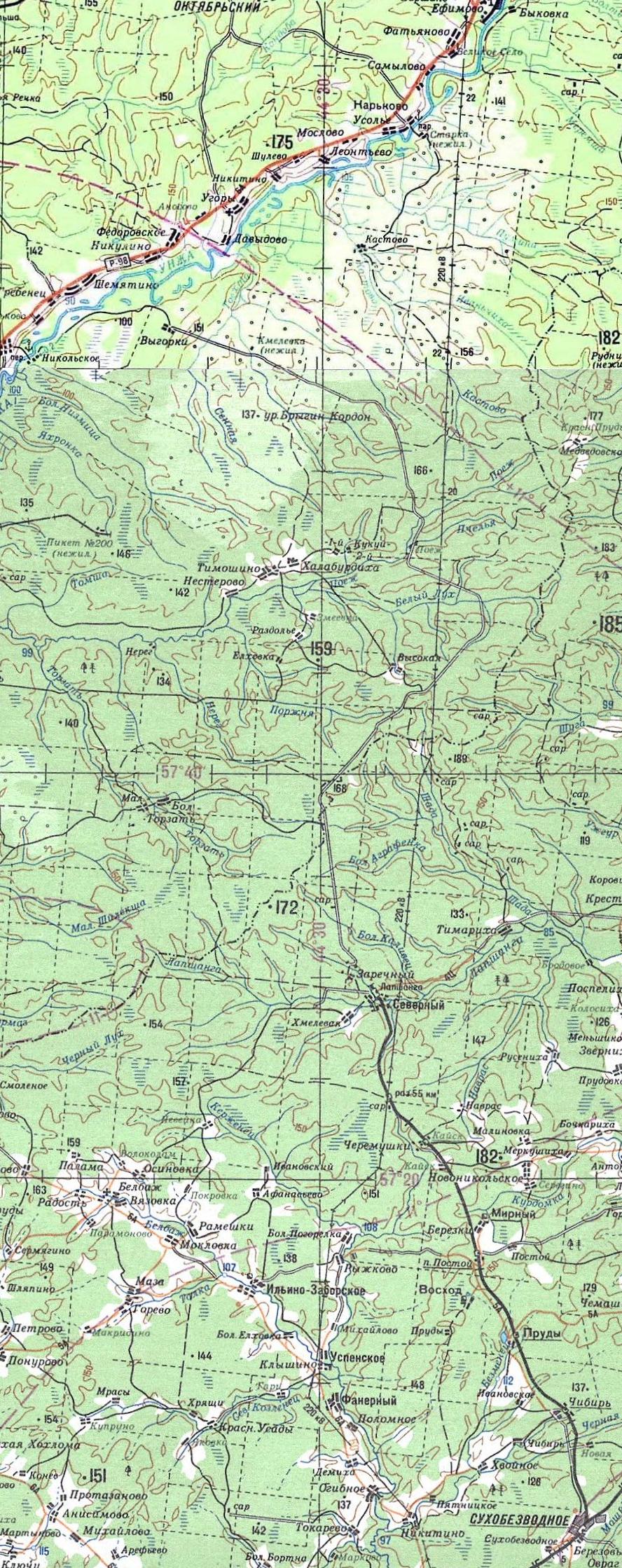
Железнодорожная линия на топографической карте масштаба 1:500 000, изданной в 1989 году.

Железнодорожная линия на топографической карте масштаба 1:200 000, изданной в 1992 году (участок Сухобезводное - Лапшанга).

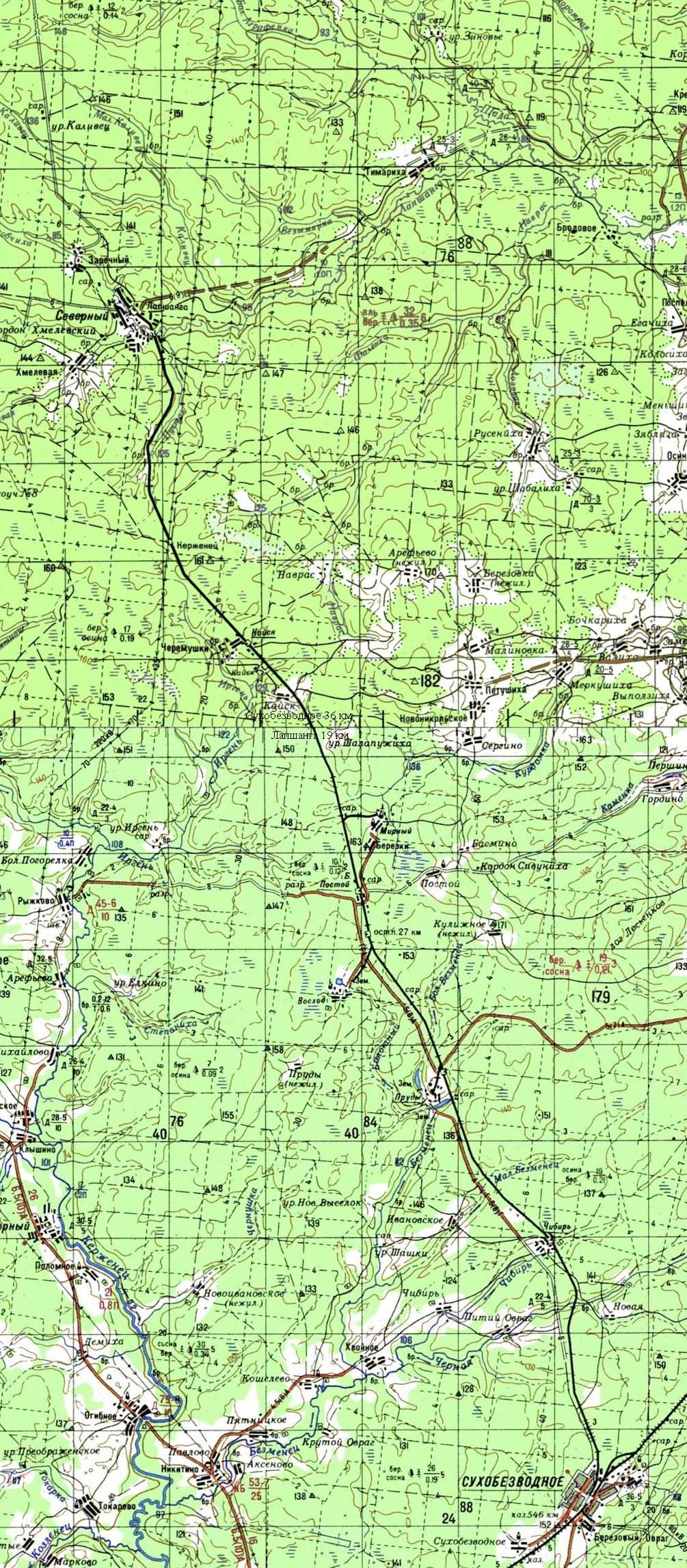
Железнодорожная линия на топографической карте масштаба 1:200 000, изданной в 1994 году
(разобранный участок к северу от станции Лапшанга).
09.01.2009 © [ДАННЫЕ УДАЛЕНЫ]
«Железнодорожная линия Сухобезводное — Лапшанга»