ID: 6002
ПИЖЕМСКАЯ УЗКОКОЛЕЙНАЯ ЖЕЛЕЗНАЯ ДОРОГА СХЕМЫ И ТОПОГРАФИЧЕСКИЕ КАРТЫ
62

Узкоколейная железная дорога на топографической карте
масштаба 1:500 000, изданной в 1989 году.

Узкоколейная железная дорога на топографической карте масштаба 1:500 000, изданной в 198? году.

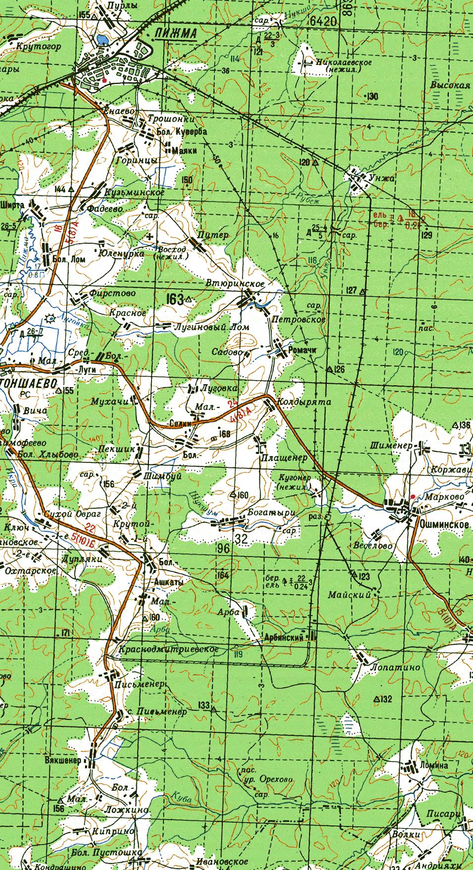
Узкоколейная железная дорога на топографической карте масштаба 1:100 000, изданной в 1978 году (северная часть), 1990 году (южная часть).
03.09.2007 © [ДАННЫЕ УДАЛЕНЫ]
«Пижемская узкоколейная железная дорога»