ID: 5988
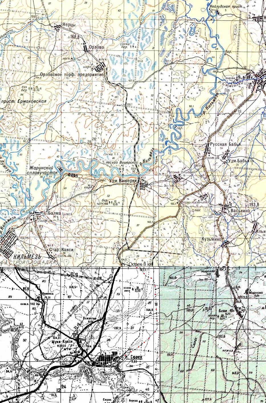
УЗКОКОЛЕЙНАЯ ЖЕЛЕЗНАЯ ДОРОГА ОРЛОВСКОГО ТОРФОПРЕДПРИЯТИЯ СХЕМЫ И ТОПОГРАФИЧЕСКИЕ КАРТЫ
106

Узкоколейная железная дорога на топографической карте
масштаба 1:500 000, изданной в 1983 году.

Узкоколейная железная дорога на топографической карте масштаба 1:200 000, изданной в 1982 году.

Узкоколейная железная дорога на топографической карте масштаба 1:100 000, изданной в 1961 году (северная часть), 2002 году (южная часть).
11.02.2011 © [ДАННЫЕ УДАЛЕНЫ]
«Узкоколейная железная дорога Орловского торфопредприятия»