ID: 5892
ЖЕЛЕЗНОДОРОЖНАЯ ЛИНИЯ КАЗАРИНОВО — ГАГАРИНО СХЕМЫ И ТОПОГРАФИЧЕСКИЕ КАРТЫ
49

Железнодорожная линия на топографической карте
масштаба 1:500 000, изданной в 1979 году.

Железнодорожная линия на топографической карте масштаба 1:200 000, изданной в 1977 году.
Красным цветом выделен неразобранный участок (по состоянию на 2004 год).

Железнодорожная линия топографической карте масштаба 1:200 000, изданной в 1993 году.

Железнодорожная линия на топографической карте масштаба 1:100 000, изданной в 198? году.

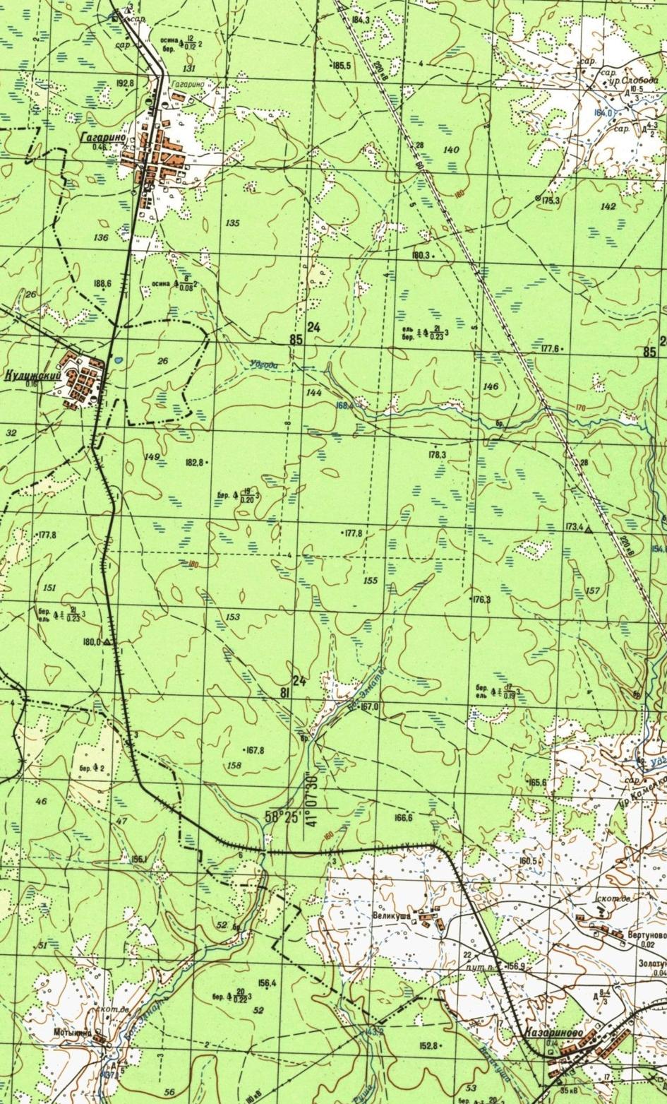
Железнодорожная линия на топографической карте масштаба 1:50 000, изданной в 1991 году.
15.12.2008 © [ДАННЫЕ УДАЛЕНЫ]
«Железнодорожная линия Казариново — Гагарино»