ID: 5519
УЗКОКОЛЕЙНАЯ ЖЕЛЕЗНАЯ ДОРОГА СВИТСКОГО ТОРФОПРЕДПРИЯТИЯ СХЕМЫ И ТОПОГРАФИЧЕСКИЕ КАРТЫ
144

Узкоколейная железная дорога на топографической карте масштаба 1:500 000, изданной в 1980 году.

Узкоколейная железная дорога на топографической карте масштаба 1:200 000 (из атласа «Смоленская область», изданного в 2001 году 439-й ЦЭВКФ им. Дунаева).

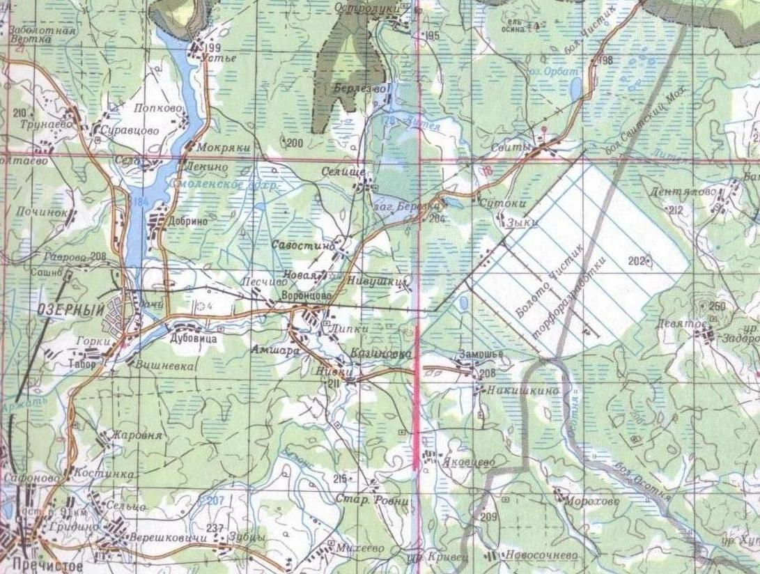
Узкоколейная железная дорога на топографической карте масштаба 1:100 000, изданной в 1987 году.
23.11.2008 © [ДАННЫЕ УДАЛЕНЫ]
«Узкоколейная железная дорога Свитского торфопредприятия»