ID: 5032
УЗКОКОЛЕЙНАЯ ЖЕЛЕЗНАЯ ДОРОГА ТОРФОБРИКЕТНОГО ЗАВОДА СОЙНЕ СХЕМЫ И ТОПОГРАФИЧЕСКИЕ КАРТЫ
48

Узкоколейная железная дорога и железнодорожная линия широкой колеи Маневичи — Прилесное на топографической карте
масштаба 1:200 000, изданной в 1991 году. Частично обозначена автором, по состоянию на 2012 год.

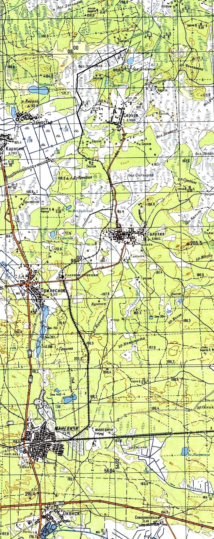
Узкоколейная железная дорога и железнодорожная линия широкой колеи Маневичи — Прилесное
на топографической карте масштаба 1:100 000, изданной в 1990 году. Частично
обозначена автором, по состоянию на 2012 год.

Узкоколейная железная дорога на спутниковом снимке (источник — «Wikimapia.org»,
ориентировочная дата съёмки — 2014 год).

Узкоколейная железная дорога на спутниковом снимке (источник — «Wikimapia.org»,
ориентировочная дата съёмки — 2014 год).
29.11.2018 © [ДАННЫЕ УДАЛЕНЫ]
«Узкоколейная железная дорога торфобрикетного завода Сойне»