ID: 3448
КАЛАТИНСКАЯ УЗКОКОЛЕЙНАЯ ЖЕЛЕЗНАЯ ДОРОГА СХЕМЫ И ТОПОГРАФИЧЕСКИЕ КАРТЫ
115

Узкоколейная железная дорога в «Атласе схем железных дорог
и водных путей сообщения СССР», изданном в 1943 году.

Узкоколейная железная дорога на топографической карте масштаба 1:500 000,
изданной в 1981 году (западная часть), 1987 году (восточная часть).

Узкоколейная железная дорога на топографической карте масштаба 1:200 000, изданной в 1986 году.

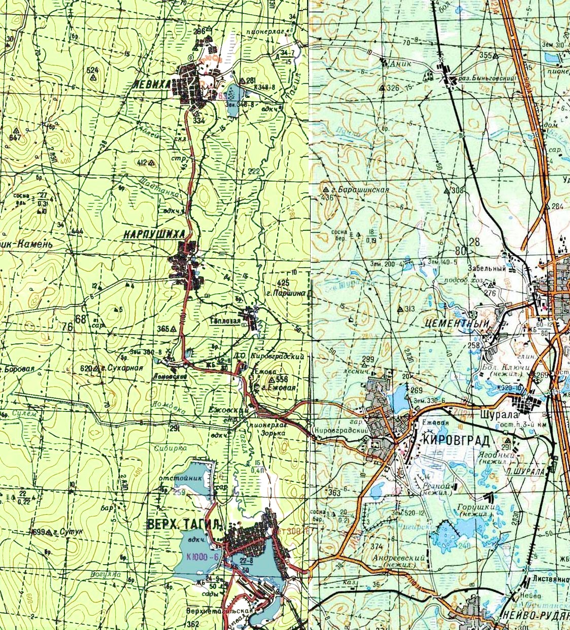
Узкоколейная железная дорога на топографической карте масштаба 1:100 000, изданной в 1985 году (западная часть), 1986 году (восточная часть).
01.03.2008 © [ДАННЫЕ УДАЛЕНЫ]
«Калатинская узкоколейная железная дорога»