ID: 2288
ВЕРХНЕТУРИНСКАЯ УЗКОКОЛЕЙНАЯ ЖЕЛЕЗНАЯ ДОРОГА СХЕМЫ И ТОПОГРАФИЧЕСКИЕ КАРТЫ
126

Узкоколейная железная дорога на карте масштаба 1:1 000 000
(участок Верхняя — Абатуровка не показан).

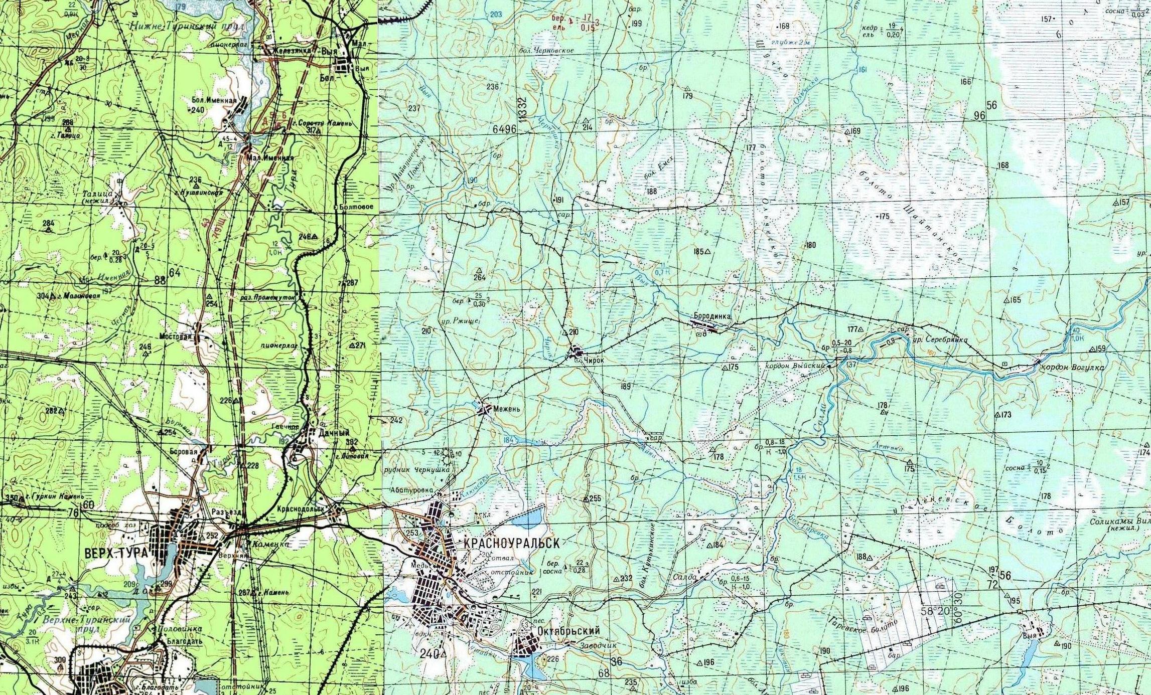
Узкоколейная железная дорога на топографической карте масштаба 1:500 000, изданной в 1994 году (восточная часть),
196? году (западная часть). Выделен сохранившийся участок (по состоянию на 2005 год).

Узкоколейная железная дорога на топографической карте масштаба 1:200 000, изданной в 1984 году (восточная часть), 1979 году (западная часть).
12.09.2007 © [ДАННЫЕ УДАЛЕНЫ]
«Верхнетуринская узкоколейная железная дорога»