ID: 1263
УЗКОКОЛЕЙНАЯ ЖЕЛЕЗНАЯ ДОРОГА В ПОСЁЛКЕ ЛЕСПРОМХОЗ
161
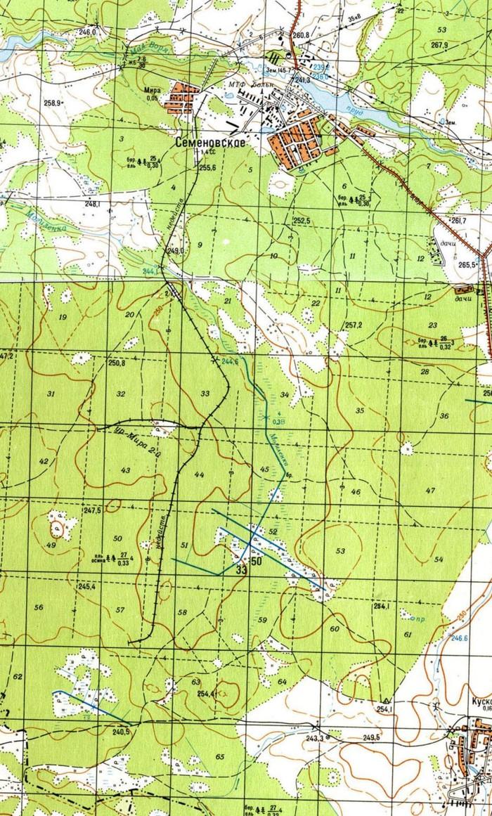
Посёлок Леспромхоз (прежнее название - посёлок Мира или Мирный) находится в Можайском районе Московской области, вблизи более крупного населённого пункта - села Семёновское. Посёлок являлся начальным пунктом лесовозной узкоколейной железной дороги.
Информацией об истории этой узкоколейной железной дороги автор в настоящее время почти не располагает. Возможно, она была построена в 1941 году, изначально являлась военно-полевой узкоколейной железной дорогой.
Позднее узкоколейная железная дорога использовалась для вывоза леса. Возможно, она никогда не являлась «сплавной» - вывезенный по узкоколейной железной дороге лес в Мирном перегружался на автотранспорт.
Ориентировочная дата прекращения вывоза леса по узкоколейной железной дороге - конец 1970-х годов. Магистральная линия была разобрана в 1980-х годах. Отдельные неразобранные участки «усов» можно было найти и в 1990-х годах.
По состоянию на март 1997 года (поездка автора в посёлок Леспромхоз), на окраине посёлка стоял мотовоз МД54-4, сохранившийся фрагментарно. Постоянных жителей в посёлке оставалось мало, многие дома были приобретены дачниками.
Узкоколейная железная дорога на топографической карте масштаба 1:50 000.
Узкоколейная железная дорога на топографической карте масштаба 1:100 000.
27.11.2006 © [ДАННЫЕ УДАЛЕНЫ]
назад
на главную страницу
Информацией об истории этой узкоколейной железной дороги автор в настоящее время почти не располагает. Возможно, она была построена в 1941 году, изначально являлась военно-полевой узкоколейной железной дорогой.
Позднее узкоколейная железная дорога использовалась для вывоза леса. Возможно, она никогда не являлась «сплавной» - вывезенный по узкоколейной железной дороге лес в Мирном перегружался на автотранспорт.
Ориентировочная дата прекращения вывоза леса по узкоколейной железной дороге - конец 1970-х годов. Магистральная линия была разобрана в 1980-х годах. Отдельные неразобранные участки «усов» можно было найти и в 1990-х годах.
По состоянию на март 1997 года (поездка автора в посёлок Леспромхоз), на окраине посёлка стоял мотовоз МД54-4, сохранившийся фрагментарно. Постоянных жителей в посёлке оставалось мало, многие дома были приобретены дачниками.

Узкоколейная железная дорога на топографической карте масштаба 1:50 000.

Узкоколейная железная дорога на топографической карте масштаба 1:100 000.
27.11.2006 © [ДАННЫЕ УДАЛЕНЫ]
назад
на главную страницу