ID: 147
КНЯЖЕГОРСКАЯ УЗКОКОЛЕЙНАЯ ЖЕЛЕЗНАЯ ДОРОГА СХЕМЫ И ТОПОГРАФИЧЕСКИЕ КАРТЫ
296

Узкоколейная железная дорога на топографической карте масштаба 1:100 000 (в 1 сантиметре — 1 километр), изданной в 1941 году.
Нанесена условным знаком «полотно разобранных железных дорог».

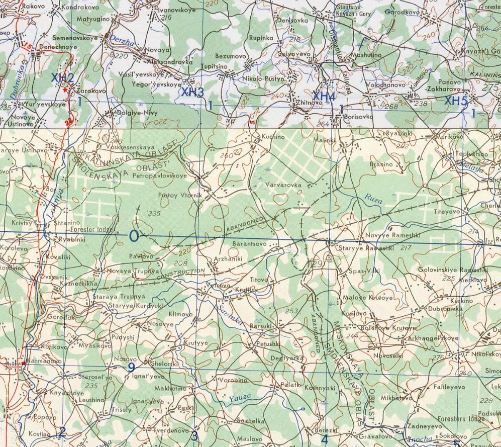
Узкоколейная железная дорога на карте масштаба 1:250 000, изданной в США в 1954 году (северная часть),
1953 году (южная часть). Информация взята в основном из карт, изданных в СССР.

Узкоколейная железная дорога на карте масштаба 1:500 000 (в 1 сантиметре — 5 километров), изданной в 1989 году.

Узкоколейная железная дорога на топографической карте масштаба 1:500 000
(в 1 сантиметре — 5 километров), изданной в 1988 году.

Узкоколейная железная дорога на топографической карте масштаба 1:200 000 (в 1 сантиметре — 2 километра),
изданной в 1986 году (северная часть), 1985 году (южная часть).

Узкоколейная железная дорога на топографической карте масштаба 1:100 000 (в 1 сантиметре — 1 километр),
изданной в 1986 году (северная часть), 1984 году (южная часть).

Западный участок магистральной линии узкоколейной железной дороги на топографической карте масштаба 1:100 000. На всех известных автору
топографических картах масштаба 1:200 000 этот участок не обозначен, либо обозначен неправильно.
10.02.2008 © [ДАННЫЕ УДАЛЕНЫ]
«Княжегорская узкоколейная железная дорога»